Benvenuto Ospite

Forum Entomologi Italiani

www.entomologiitaliani.net/forum
 
Oggi è 08/11/2025, 18:28

Tutti gli orari sono UTC + 1 ora [ ora legale ]


100%
2927 taxa correttamente determinati su 2928 presenti in archivio

Cerambycidae


[ AFROTROPICALE ] [ ANTARTICO ] [ AUSTRALASIANO ] [ NEARTICO ] [ NEOTROPICALE ] [ ORIENTALE ] [ PALEARTICO ]


nuovo argomento
Vai alla pagina Precedente  1 ... 16, 17, 18, 19, 20, 21, 22 ... 59  Prossimo
Pagina 19 di 59 [ 2928 argomenti ]
 Argomenti   Ordine   Autore   Risposte   Visite    Ultimo messaggio 
Annunci
Nessun messaggio da leggere
Allegato(i)
Incontri entomologici telematici organizzati dalla Società Entomologica Italiana nel 2022 e nel 2023

[ Vai alla paginaVai alla pagina: 1, 2, 3 ]

 

Velvet Ant

44

1429740

03/03/2023, 15:55

Velvet Ant Vedi ultimo messaggio

Nessun messaggio da leggere  
Allegato(i)
Sondaggio sul declino dell'entomofauna in Italia

[ Vai alla paginaVai alla pagina: 1, 2, 3, 4 ]

 

Velvet Ant

52

1757664

22/10/2022, 19:18

Acquarius Vedi ultimo messaggio

Nessun messaggio da leggere  
Allegato(i)
Progetto: Bibliografia ragionata dei lavori entomologici nei quali sono citati reperti apparsi su FEI

[ Vai alla paginaVai alla pagina: 1, 2, 3 ]

 

Velvet Ant

33

1170701

06/07/2023, 18:31

Orotrechus Vedi ultimo messaggio

Nessun messaggio da leggere
Allegato(i)
Mimesi, il primo documentario cinematografico sull’entomologia in Italia: casting
 

mazzeip

1

456921

28/02/2019, 20:26

mazzeip Vedi ultimo messaggio

Questo argomento è bloccato, non puoi modificare o inviare ulteriori messaggi.
Allegato(i)
ISTRUZIONI PUBBLICAZIONE NUOVI ARGOMENTI E FOTO

 
Altri Ordini di Insetti

Julodis

4

906222

13/05/2015, 19:37

Julodis Vedi ultimo messaggio

Nessun messaggio da leggere
Allegato(i)
Limitatore giornaliero di messaggi, uno strumento utile e ormai indispensabile

[ Vai alla paginaVai alla pagina: 1 ... 14, 15, 16 ]

 

Velvet Ant

233

8829734

25/09/2014, 14:31

Inachis Vedi ultimo messaggio

Nessun messaggio da leggere  
NORME PER I COLLABORATORI DEL FORUM

 
 

Velvet Ant

0

478870

02/06/2011, 12:05

Velvet Ant Vedi ultimo messaggio

Nessun messaggio da leggere
Allegato(i)
NORME PER GLI UTENTI DEL FORUM

[ Vai alla paginaVai alla pagina: 1, 2, 3 ]



 
 

Velvet Ant

30

2345843

23/09/2014, 23:54

Maurizio Bollino Vedi ultimo messaggio

Questo argomento è bloccato, non puoi modificare o inviare ulteriori messaggi.  
Elenco delle specie italiane di Cerambycidae presenti sul forum
Cerambycidae


 
Coleoptera

Plagionotus

0

5997

22/11/2010, 22:28

Plagionotus Vedi ultimo messaggio

Nessun messaggio da leggere  
Lista degli utenti del "Forum entomologi italiani" per campi di interesse e specializzazione

 
Altri Ordini di Insetti

Velvet Ant

13

944291

07/09/2023, 17:14

Roberto-07 Vedi ultimo messaggio

Argomenti
Nessun messaggio da leggere
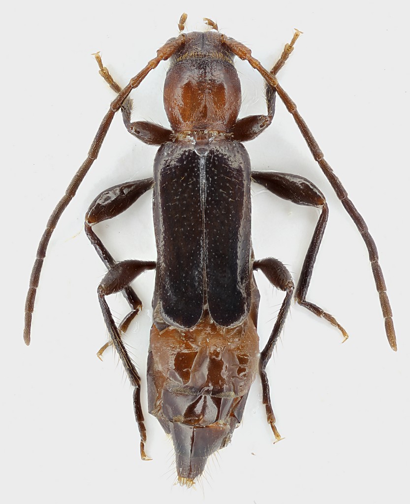
Clytus rhamni Germar, 1817 - Cerambycidae
13.VI.2015 - ITALIA - Lazio - RM
Allegato(i) Dettagli della specie
Clytus rhamni Germar, 1817
Cerambycidae


13.VI.2015 - ITALIA - Lazio - RM
Coleoptera

venturini

1

867

17/06/2015, 14:10

venturini Vedi ultimo messaggio

Nessun messaggio da leggere
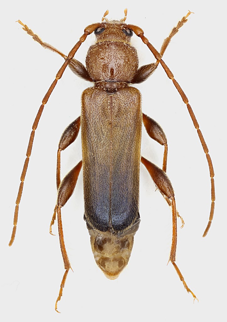
Chlorophorus sartor (O. F. Müller, 1766) - Cerambycidae
13.VI.2015 - ITALIA - Lazio - RM
Allegato(i) Dettagli della specie
Chlorophorus sartor (O. F. Müller, 1766)
Cerambycidae


13.VI.2015 - ITALIA - Lazio - RM
Coleoptera

venturini

1

702

17/06/2015, 13:23

Entomarci Vedi ultimo messaggio

Nessun messaggio da leggere
Ergates faber opifex Mulsant, 1851 - Cerambycidae
12.VI.2015 - ITALIA - Sicilia - CT
Allegato(i) Dettagli della specie
Ergates faber opifex Mulsant, 1851
Cerambycidae


12.VI.2015 - ITALIA - Sicilia - CT
Coleoptera

Entomarci

5

1346

16/06/2015, 15:28

Julodis Vedi ultimo messaggio

Nessun messaggio da leggere
Gracilia minuta (Fabricius, 1781) - Cerambycidae
2.VI.2015 - ITALIA - Sardegna - SS
Allegato(i) Dettagli della specie
Gracilia minuta (Fabricius, 1781)
Cerambycidae


2.VI.2015 - ITALIA - Sardegna - SS
Coleoptera

aug

3

1153

15/06/2015, 22:36

Xylosteus Vedi ultimo messaggio

Nessun messaggio da leggere
Mesosa nebulosa nebulosa (Fabricius, 1781) - Cerambycidae
13.VI.2015 - ITALIA - Sicilia - ME
Allegato(i) Dettagli della specie
Mesosa nebulosa nebulosa (Fabricius, 1781)
Cerambycidae


13.VI.2015 - ITALIA - Sicilia - ME
Coleoptera

carabus

1

912

14/06/2015, 20:46

marco villa Vedi ultimo messaggio

Nessun messaggio da leggere
Allegato(i) Dettagli della specie
Xylotrechus (Xylotrechus) stebbingi Gahan, 1906
Cerambycidae


4.VI.2015 - ITALIA - Sicilia - TP
Coleoptera

Davide Castelli

3

1103

09/06/2015, 16:39

Daniele Maccapani Vedi ultimo messaggio

Nessun messaggio da leggere
Trichoferus campestris (Faldermann, 1835) - Cerambycidae
13.VI.2012 - ITALIA - Lombardia - MB
Allegato(i) Dettagli della specie
Trichoferus campestris (Faldermann, 1835)
Cerambycidae


13.VI.2012 - ITALIA - Lombardia - MB
Coleoptera

Xylotrechus

9

2159

08/06/2015, 20:40

f.izzillo Vedi ultimo messaggio

Nessun messaggio da leggere
Phymatodes testaceus (Linnaeus, 1758) - Cerambycidae
V.2015 - ITALIA - Lazio - RM
Allegato(i) Dettagli della specie
Phymatodes testaceus (Linnaeus, 1758)
Cerambycidae


V.2015 - ITALIA - Lazio - RM
Coleoptera

Broc

7

1614

08/06/2015, 11:00

alebisca Vedi ultimo messaggio

Nessun messaggio da leggere
Aegomorphus clavipes (Schrank, 1781) - Cerambycidae
6.VI.2015 - ITALIA - Veneto - VE
Allegato(i) Dettagli della specie
Aegomorphus clavipes (Schrank, 1781)
Cerambycidae


6.VI.2015 - ITALIA - Veneto - VE
Coleoptera

ghebo

2

1033

07/06/2015, 9:31

ghebo Vedi ultimo messaggio

Nessun messaggio da leggere
Callidium aeneum (De Geer, 1775) - Cerambycidae
2.VI.2015 - ITALIA - Veneto - VI
Allegato(i) Dettagli della specie
Callidium aeneum (De Geer, 1775)
Cerambycidae


2.VI.2015 - ITALIA - Veneto - VI
Coleoptera

Umbro

1

945

05/06/2015, 19:43

Entomarci Vedi ultimo messaggio

Nessun messaggio da leggere
Rusticoclytus rusticus (Linnaeus, 1758) - Cerambycidae
2.VI.2015 - ITALIA - Veneto - VR
Allegato(i) Dettagli della specie
Rusticoclytus rusticus (Linnaeus, 1758)
Cerambycidae


2.VI.2015 - ITALIA - Veneto - VR
Coleoptera

AleP

3

935

04/06/2015, 16:09

AleP Vedi ultimo messaggio

Nessun messaggio da leggere
Allegato(i) Dettagli della specie
Dinoptera (Dinoptera) collaris (Linnaeus, 1758)
Cerambycidae


2.VI.2015 - ITALIA - Marche - MC
Coleoptera

Andream

1

685

04/06/2015, 14:28

Julodis Vedi ultimo messaggio

Nessun messaggio da leggere
Allegato(i) Dettagli della specie
Agapanthia (Agapanthia) cardui (Linnaeus, 1767)
Cerambycidae


14.V.2015 - ITALIA - Veneto - RO
Coleoptera

Umbro

3

1181

03/06/2015, 21:58

Umbro Vedi ultimo messaggio

Nessun messaggio da leggere
Oberea (Oberea) oculata (Linnaeus, 1758) - Cerambycidae
2.VI.2015 - ITALIA - Friuli-Venezia Giulia - UD
Allegato(i) Dettagli della specie
Oberea (Oberea) oculata (Linnaeus, 1758)
Cerambycidae


2.VI.2015 - ITALIA - Friuli-Venezia Giulia - UD
Coleoptera

AleP

2

941

03/06/2015, 21:09

AleP Vedi ultimo messaggio

Nessun messaggio da leggere
Nathrius brevipennis (Mulsant, 1839) - Cerambycidae
V.2015 - ITALIA - Lazio - FR
Allegato(i) Dettagli della specie
Nathrius brevipennis (Mulsant, 1839)
Cerambycidae


V.2015 - ITALIA - Lazio - FR
Coleoptera

Julodis

1

928

02/06/2015, 9:47

michele.carraretto Vedi ultimo messaggio

Nessun messaggio da leggere
Allegato(i) Dettagli della specie
Xylotrechus (Xylotrechus) stebbingi Gahan, 1906
Cerambycidae


2014 - ITALIA - Puglia - LE
Coleoptera

Frob

3

1085

01/06/2015, 18:31

Tc70 Vedi ultimo messaggio

Nessun messaggio da leggere
Phymatodes testaceus (Linnaeus, 1758) - Cerambycidae
V.2015 - ITALIA - Lazio - FR
Allegato(i) Dettagli della specie
Phymatodes testaceus (Linnaeus, 1758)
Cerambycidae


V.2015 - ITALIA - Lazio - FR
Coleoptera

Julodis

2

846

01/06/2015, 15:57

f.izzillo Vedi ultimo messaggio

Nessun messaggio da leggere
Saperda octopunctata (Scopoli, 1772) - Cerambycidae
18.VI.2005 - ITALIA - Friuli-Venezia Giulia - UD
Allegato(i) Dettagli della specie
Saperda octopunctata (Scopoli, 1772)
Cerambycidae

[ Vai alla paginaVai alla pagina: 1, 2 ]



18.VI.2005 - ITALIA - Friuli-Venezia Giulia - UD
Coleoptera

michele.carraretto

15

2728

30/05/2015, 8:48

betelges Vedi ultimo messaggio

Nessun messaggio da leggere
Saperda similis Laicharting, 1784 - Cerambycidae
17.V.2015 - ITALIA - Friuli-Venezia Giulia - UD
Allegato(i) Dettagli della specie
Saperda similis Laicharting, 1784
Cerambycidae


17.V.2015 - ITALIA - Friuli-Venezia Giulia - UD
Coleoptera

AleP

8

2037

27/05/2015, 20:55

AleP Vedi ultimo messaggio

Nessun messaggio da leggere
Allegato(i) Dettagli della specie
Saphanus piceus piceus (Laicharting, 1784)
Cerambycidae


IV.2015 - ITALIA - Veneto - VR
Coleoptera

AleP

0

800

27/05/2015, 17:34

AleP Vedi ultimo messaggio

Nessun messaggio da leggere
Phytoecia virgula (Charpentier, 1825) - Cerambycidae
17.V.2015 - ITALIA - Friuli-Venezia Giulia - PN
Allegato(i) Dettagli della specie
Phytoecia virgula (Charpentier, 1825)
Cerambycidae


17.V.2015 - ITALIA - Friuli-Venezia Giulia - PN
Coleoptera

michele.carraretto

6

2103

27/05/2015, 14:39

michele.carraretto Vedi ultimo messaggio

Nessun messaggio da leggere
Allegato(i) Dettagli della specie
Necydalis (Necydalis) ulmi (Chevrolat, 1838)
Cerambycidae

[ Vai alla paginaVai alla pagina: 1, 2 ]



19.VI.2013 - ITALIA - Lazio - RM
Coleoptera

Goliathus

18

4128

22/05/2015, 2:08

parnassius_73 Vedi ultimo messaggio

Nessun messaggio da leggere
Evodinus clathratus (Fabricius, 1792) - Cerambycidae
VII.2014 - ITALIA - Piemonte - BI
Allegato(i) Dettagli della specie
Evodinus clathratus (Fabricius, 1792)
Cerambycidae


VII.2014 - ITALIA - Piemonte - BI
Coleoptera

claudio sola

9

2214

19/05/2015, 22:15

claudio sola Vedi ultimo messaggio

Nessun messaggio da leggere
Allegato(i) Dettagli della specie
Cortodera humeralis humeralis (Schaller, 1783)
Cerambycidae

[ Vai alla paginaVai alla pagina: 1, 2 ]



14.V.2015 - ITALIA - Umbria - PG
Coleoptera

Monarca

17

3340

18/05/2015, 9:03

Monarca Vedi ultimo messaggio

Nessun messaggio da leggere
Pogonocherus hispidus (Linnaeus, 1758) - Cerambycidae
7.V.2015 - ITALIA - Veneto - VE
Allegato(i) Dettagli della specie
Pogonocherus hispidus (Linnaeus, 1758)
Cerambycidae


7.V.2015 - ITALIA - Veneto - VE
Coleoptera

ghebo

4

1355

17/05/2015, 15:10

ghebo Vedi ultimo messaggio

Nessun messaggio da leggere
Allegato(i) Dettagli della specie
Pedostrangalia (Pedostrangalia) revestita (Linnaeus, 1767)
Cerambycidae


10.V.2015 - ITALIA - Toscana - GR
Coleoptera

hypotyphlus

6

2034

15/05/2015, 13:56

hypotyphlus Vedi ultimo messaggio

Nessun messaggio da leggere
Mesosa nebulosa nebulosa (Fabricius, 1781) - Cerambycidae
28.IV.2015 - ITALIA - Campania - SA
Allegato(i) Dettagli della specie
Mesosa nebulosa nebulosa (Fabricius, 1781)
Cerambycidae


28.IV.2015 - ITALIA - Campania - SA
Coleoptera

XylellaFastidiosa

5

1778

15/05/2015, 13:03

f.izzillo Vedi ultimo messaggio

Nessun messaggio da leggere
Allegato(i) Dettagli della specie
Grammoptera ruficornis ruficornis (Fabricius, 1781)
Cerambycidae


9.V.2015 - ITALIA - Lazio - RM
Coleoptera

elleelle

3

1203

14/05/2015, 19:58

marco villa Vedi ultimo messaggio

Nessun messaggio da leggere
Allegato(i) Dettagli della specie
Agapanthia (Epoptes) irrorata (Fabricius, 1787)
Cerambycidae


9.V.2015 - ITALIA - Sicilia - SR
Coleoptera

skapc66

13

3018

14/05/2015, 13:19

marco villa Vedi ultimo messaggio

Nessun messaggio da leggere
Clytus arietis arietis (Linnaeus, 1758) - Cerambycidae
12.V.2015 - ITALIA - Trentino-Alto Adige - BZ
Allegato(i) Dettagli della specie
Clytus arietis arietis (Linnaeus, 1758)
Cerambycidae


12.V.2015 - ITALIA - Trentino-Alto Adige - BZ
Coleoptera

gigilmozzi

2

974

13/05/2015, 16:11

gigilmozzi Vedi ultimo messaggio

Nessun messaggio da leggere
Stenurella nigra (Linnaeus, 1758) - Cerambycidae
10.V.2015 - ITALIA - Trentino-Alto Adige - BZ
Allegato(i) Dettagli della specie
Stenurella nigra (Linnaeus, 1758)
Cerambycidae


10.V.2015 - ITALIA - Trentino-Alto Adige - BZ
Coleoptera

gigilmozzi

4

1186

12/05/2015, 19:02

gigilmozzi Vedi ultimo messaggio

Nessun messaggio da leggere
Morimus asper asper (Sulzer, 1776) - Cerambycidae
9.V.2015 - ITALIA - Umbria - PG
Allegato(i) Dettagli della specie
Morimus asper asper (Sulzer, 1776)
Cerambycidae


9.V.2015 - ITALIA - Umbria - PG
Coleoptera

Monarca

6

1247

12/05/2015, 18:52

Monarca Vedi ultimo messaggio

Nessun messaggio da leggere
Cerambyx cerdo cerdo Linnaeus, 1758 - Cerambycidae
10.V.2015 - ITALIA - Liguria - SV
Allegato(i) Dettagli della specie
Cerambyx cerdo cerdo Linnaeus, 1758
Cerambycidae


10.V.2015 - ITALIA - Liguria - SV
Coleoptera

Helix

8

1650

11/05/2015, 22:35

Plagionotus Vedi ultimo messaggio

Nessun messaggio da leggere
Morimus asper asper (Sulzer, 1776) - Cerambycidae
20.VII.1993 - ITALIA - Umbria - PG
Allegato(i) Dettagli della specie
Morimus asper asper (Sulzer, 1776)
Cerambycidae


20.VII.1993 - ITALIA - Umbria - PG
Coleoptera

MARIO LUNA

7

1672

11/05/2015, 22:35

Monarca Vedi ultimo messaggio

Nessun messaggio da leggere
Morimus asper asper (Sulzer, 1776) - Cerambycidae
3.V.2015 - ITALIA - Trentino-Alto Adige - TN
Allegato(i) Dettagli della specie
Morimus asper asper (Sulzer, 1776)
Cerambycidae

[ Vai alla paginaVai alla pagina: 1, 2 ]



3.V.2015 - ITALIA - Trentino-Alto Adige - TN
Coleoptera

Syrio

15

3234

11/05/2015, 22:17

Monarca Vedi ultimo messaggio

Nessun messaggio da leggere
Mesosa curculionoides (Linnaeus, 1760) - Cerambycidae
10.V.2015 - ITALIA - Trentino-Alto Adige - BZ
Allegato(i) Dettagli della specie
Mesosa curculionoides (Linnaeus, 1760)
Cerambycidae


10.V.2015 - ITALIA - Trentino-Alto Adige - BZ
Coleoptera

gigilmozzi

1

784

11/05/2015, 14:46

Entomarci Vedi ultimo messaggio

Nessun messaggio da leggere
Cerambyx scopolii scopolii Fuessly, 1775 - Cerambycidae
10.V.2015 - ITALIA - Trentino-Alto Adige - BZ
Allegato(i) Dettagli della specie
Cerambyx scopolii scopolii Fuessly, 1775
Cerambycidae


10.V.2015 - ITALIA - Trentino-Alto Adige - BZ
Coleoptera

gigilmozzi

1

701

11/05/2015, 11:45

Tc70 Vedi ultimo messaggio

Nessun messaggio da leggere
Saperda populnea (Linnaeus, 1758) - Cerambycidae
19.IV.2015 - ITALIA - Lombardia - BS
Allegato(i) Dettagli della specie
Saperda populnea (Linnaeus, 1758)
Cerambycidae


19.IV.2015 - ITALIA - Lombardia - BS
Coleoptera

Livio

6

1451

09/05/2015, 21:04

michele.carraretto Vedi ultimo messaggio

Nessun messaggio da leggere
Grammoptera ruficornis ruficornis (Fabricius, 1781) - Cerambycidae
7.V.2015 - ITALIA - Trentino-Alto Adige - TN
Allegato(i) Dettagli della specie
Grammoptera ruficornis ruficornis (Fabricius, 1781)
Cerambycidae


7.V.2015 - ITALIA - Trentino-Alto Adige - TN
Coleoptera

Andrea Pergine

2

855

09/05/2015, 10:36

Andrea Pergine Vedi ultimo messaggio

Nessun messaggio da leggere
Rhagium (Rhagium) inquisitor inquisitor (Linnaeus, 1758) - Cerambycidae
7.V.2015 - ITALIA - Trentino-Alto Adige - TN
Allegato(i) Dettagli della specie
Rhagium (Rhagium) inquisitor inquisitor (Linnaeus, 1758)
Cerambycidae


7.V.2015 - ITALIA - Trentino-Alto Adige - TN
Coleoptera

gigilmozzi

8

1585

09/05/2015, 6:39

Julodis Vedi ultimo messaggio

Nessun messaggio da leggere
Cerambyx scopolii scopolii Fuessly, 1775 - Cerambycidae
3.V.2015 - ITALIA - Trentino-Alto Adige - TN
Allegato(i) Dettagli della specie
Cerambyx scopolii scopolii Fuessly, 1775
Cerambycidae

[ Vai alla paginaVai alla pagina: 1, 2 ]



3.V.2015 - ITALIA - Trentino-Alto Adige - TN
Coleoptera

Syrio

15

4059

08/05/2015, 9:18

Syrio Vedi ultimo messaggio

Nessun messaggio da leggere
Monochamus saltuarius (Gebler, 1830) - Cerambycidae
3.V.2015 - ITALIA - Trentino-Alto Adige - BZ
Allegato(i) Dettagli della specie
Monochamus saltuarius (Gebler, 1830)
Cerambycidae


3.V.2015 - ITALIA - Trentino-Alto Adige - BZ
Coleoptera

michele.carraretto

3

1047

05/05/2015, 23:02

Monarca Vedi ultimo messaggio

Nessun messaggio da leggere
Allegato(i) Dettagli della specie
Xylotrechus (Xylotrechus) arvicola (Olivier, 1795)
Cerambycidae


6.VII.2014 - ITALIA - Lombardia - MN
Coleoptera

Junger

3

1142

03/05/2015, 22:39

Junger Vedi ultimo messaggio

Nessun messaggio da leggere
Saperda punctata (Linnaeus, 1767) - Cerambycidae
29.IV.2015 - ITALIA - Friuli-Venezia Giulia - TS
Allegato(i) Dettagli della specie
Saperda punctata (Linnaeus, 1767)
Cerambycidae


29.IV.2015 - ITALIA - Friuli-Venezia Giulia - TS
Coleoptera

AleP

2

833

02/05/2015, 8:03

AleP Vedi ultimo messaggio

Nessun messaggio da leggere
Phymatodes testaceus (Linnaeus, 1758) - Cerambycidae
20.IV.2015 - ITALIA - Lombardia - MB
Allegato(i) Dettagli della specie
Phymatodes testaceus (Linnaeus, 1758)
Cerambycidae


20.IV.2015 - ITALIA - Lombardia - MB
Coleoptera

sgarra87

3

869

29/04/2015, 14:01

sgarra87 Vedi ultimo messaggio

Nessun messaggio da leggere
Saperda punctata (Linnaeus, 1767) - Cerambycidae
26.IV.2015 - ITALIA - Emilia-Romagna - RA
Allegato(i) Dettagli della specie
Saperda punctata (Linnaeus, 1767)
Cerambycidae


26.IV.2015 - ITALIA - Emilia-Romagna - RA
Coleoptera

Entomarci

6

1155

29/04/2015, 9:46

michele.carraretto Vedi ultimo messaggio

Nessun messaggio da leggere
Allegato(i) Dettagli della specie
Dorcadion (Pedestredorcadion) etruscum (Rossi, 1790)
Cerambycidae


24.IV.2015 - ITALIA - Campania - SA
Coleoptera

Enzo.C

2

844

28/04/2015, 23:34

Enzo.C Vedi ultimo messaggio

Nessun messaggio da leggere
Allegato(i) Dettagli della specie
Pogonocherus hispidulus (Piller & Mitterpacher, 1783)
Cerambycidae


16.IV.2015 - ITALIA - Molise - IS
Coleoptera

Franco ROSSI

5

1174

27/04/2015, 18:54

Phytoecia Vedi ultimo messaggio

Nessun messaggio da leggere
Morimus asper asper (Sulzer, 1776) - Cerambycidae
25.IV.2015 - ITALIA - Umbria - PG
Allegato(i) Dettagli della specie
Morimus asper asper (Sulzer, 1776)
Cerambycidae


25.IV.2015 - ITALIA - Umbria - PG
Coleoptera

stefanovet1958

2

845

27/04/2015, 6:32

Julodis Vedi ultimo messaggio

Nessun messaggio da leggere
Saperda perforata (Pallas, 1773) - Cerambycidae
22.IV.2015 - ITALIA - Trentino-Alto Adige - BZ
Allegato(i) Dettagli della specie
Saperda perforata (Pallas, 1773)
Cerambycidae


22.IV.2015 - ITALIA - Trentino-Alto Adige - BZ
Coleoptera

Entomarci

10

2591

26/04/2015, 17:18

Uncle Adam Vedi ultimo messaggio

Visualizza ultimi argomenti:  Ordina per  Ordine:  
nuovo argomento
Vai alla pagina Precedente  1 ... 16, 17, 18, 19, 20, 21, 22 ... 59  Prossimo
Pagina 19 di 59 [ 2928 argomenti ]

Tutti gli orari sono UTC + 1 ora [ ora legale ]


Chi c’è in linea

Visitano il forum: Nessuno e 1 ospite


Legenda
Messaggi da leggere Messaggi da leggere Nessun messaggio da leggere Nessun messaggio da leggere Annuncio Annuncio
 
Specie indeterminata / discussione generica
Messaggi non letti [ Popolari ] Messaggi non letti [ Popolari ] Nessun messaggio da leggere [ Popolare ] Nessun messaggio da leggere [ Popolare ] Importante Importante
 
Specie determinata fino al genere o cf.
Messaggi non letti [ Bloccati ] Messaggi non letti [ Bloccati ] No messaggi non letti [ Bloccati ] No messaggi non letti [ Bloccati ] Argomento spostato Argomento spostato
 
Specie correttamente determinata
Permessi
Non puoi aprire nuovi argomenti
Non puoi rispondere negli argomenti
Non puoi modificare i tuoi messaggi
Non puoi cancellare i tuoi messaggi
Non puoi inviare allegati

Cerca per:
Vai a: