Benvenuto Ospite

Forum Entomologi Italiani

www.entomologiitaliani.net/forum
 
Oggi è 08/11/2025, 23:11

Tutti gli orari sono UTC + 1 ora [ ora legale ]


100%
2927 taxa correttamente determinati su 2928 presenti in archivio

Cerambycidae


[ AFROTROPICALE ] [ ANTARTICO ] [ AUSTRALASIANO ] [ NEARTICO ] [ NEOTROPICALE ] [ ORIENTALE ] [ PALEARTICO ]


nuovo argomento
Vai alla pagina Precedente  1 ... 17, 18, 19, 20, 21, 22, 23 ... 59  Prossimo
Pagina 20 di 59 [ 2928 argomenti ]
 Argomenti   Ordine   Autore   Risposte   Visite    Ultimo messaggio 
Annunci
Nessun messaggio da leggere
Allegato(i)
Incontri entomologici telematici organizzati dalla Società Entomologica Italiana nel 2022 e nel 2023

[ Vai alla paginaVai alla pagina: 1, 2, 3 ]

 

Velvet Ant

44

1430128

03/03/2023, 15:55

Velvet Ant Vedi ultimo messaggio

Nessun messaggio da leggere  
Allegato(i)
Sondaggio sul declino dell'entomofauna in Italia

[ Vai alla paginaVai alla pagina: 1, 2, 3, 4 ]

 

Velvet Ant

52

1758122

22/10/2022, 19:18

Acquarius Vedi ultimo messaggio

Nessun messaggio da leggere  
Allegato(i)
Progetto: Bibliografia ragionata dei lavori entomologici nei quali sono citati reperti apparsi su FEI

[ Vai alla paginaVai alla pagina: 1, 2, 3 ]

 

Velvet Ant

33

1171048

06/07/2023, 18:31

Orotrechus Vedi ultimo messaggio

Nessun messaggio da leggere
Allegato(i)
Mimesi, il primo documentario cinematografico sull’entomologia in Italia: casting
 

mazzeip

1

457158

28/02/2019, 20:26

mazzeip Vedi ultimo messaggio

Questo argomento è bloccato, non puoi modificare o inviare ulteriori messaggi.
Allegato(i)
ISTRUZIONI PUBBLICAZIONE NUOVI ARGOMENTI E FOTO

 
Altri Ordini di Insetti

Julodis

4

911091

13/05/2015, 19:37

Julodis Vedi ultimo messaggio

Nessun messaggio da leggere
Allegato(i)
Limitatore giornaliero di messaggi, uno strumento utile e ormai indispensabile

[ Vai alla paginaVai alla pagina: 1 ... 14, 15, 16 ]

 

Velvet Ant

233

8831782

25/09/2014, 14:31

Inachis Vedi ultimo messaggio

Nessun messaggio da leggere  
NORME PER I COLLABORATORI DEL FORUM

 
 

Velvet Ant

0

478898

02/06/2011, 12:05

Velvet Ant Vedi ultimo messaggio

Nessun messaggio da leggere
Allegato(i)
NORME PER GLI UTENTI DEL FORUM

[ Vai alla paginaVai alla pagina: 1, 2, 3 ]



 
 

Velvet Ant

30

2346076

23/09/2014, 23:54

Maurizio Bollino Vedi ultimo messaggio

Questo argomento è bloccato, non puoi modificare o inviare ulteriori messaggi.  
Elenco delle specie italiane di Cerambycidae presenti sul forum
Cerambycidae


 
Coleoptera

Plagionotus

0

5998

22/11/2010, 22:28

Plagionotus Vedi ultimo messaggio

Nessun messaggio da leggere  
Lista degli utenti del "Forum entomologi italiani" per campi di interesse e specializzazione

 
Altri Ordini di Insetti

Velvet Ant

13

944438

07/09/2023, 17:14

Roberto-07 Vedi ultimo messaggio

Argomenti
Nessun messaggio da leggere
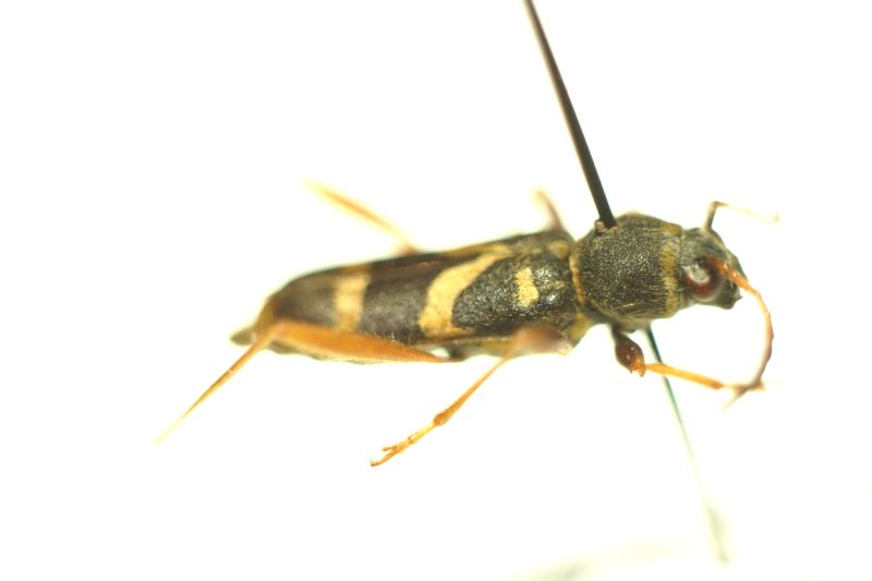
Callimus abdominalis (Olivier, 1795) - Cerambycidae
20.IV.2015 - ITALIA - Sicilia - PA
Allegato(i) Dettagli della specie
Callimus abdominalis (Olivier, 1795)
Cerambycidae


20.IV.2015 - ITALIA - Sicilia - PA
Coleoptera

carabus

3

1277

20/04/2015, 21:51

Plagionotus Vedi ultimo messaggio

Nessun messaggio da leggere
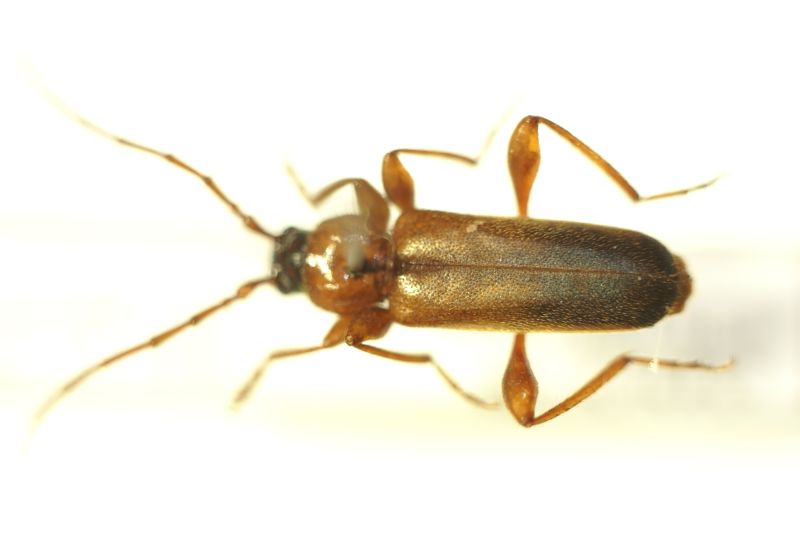
Molorchus minor minor (Linnaeus, 1758) - Cerambycidae
12.IV.2015 - ITALIA - Trentino-Alto Adige - TN
Allegato(i) Dettagli della specie
Molorchus minor minor (Linnaeus, 1758)
Cerambycidae


12.IV.2015 - ITALIA - Trentino-Alto Adige - TN
Coleoptera

gigilmozzi

5

1736

13/04/2015, 14:39

gigilmozzi Vedi ultimo messaggio

Nessun messaggio da leggere
Niphona picticornis Mulsant, 1839 - Cerambycidae
7.IV.2015 - ITALIA - Lazio - RM
Allegato(i) Dettagli della specie
Niphona picticornis Mulsant, 1839
Cerambycidae


7.IV.2015 - ITALIA - Lazio - RM
Coleoptera

Julodis

0

789

07/04/2015, 19:18

Julodis Vedi ultimo messaggio

Nessun messaggio da leggere
Ropalopus (Ropalopus) clavipes (Fabricius, 1775) - Cerambycidae
VIII.2014 - ITALIA - Friuli-Venezia Giulia - PN
Allegato(i) Dettagli della specie
Ropalopus (Ropalopus) clavipes (Fabricius, 1775)
Cerambycidae


VIII.2014 - ITALIA - Friuli-Venezia Giulia - PN
Coleoptera

Pisturo

2

1208

03/04/2015, 10:27

Pisturo Vedi ultimo messaggio

Nessun messaggio da leggere
Allegato(i) Dettagli della specie
Dorcadion (Pedestredorcadion) etruscum (Rossi, 1790)
Cerambycidae


31.III.2015 - ITALIA - Campania - SA
Coleoptera

Enzo.C

6

1882

02/04/2015, 17:49

Enzo.C Vedi ultimo messaggio

Nessun messaggio da leggere
Chlorophorus glabromaculatus (Goeze, 1777) - Cerambycidae
14.VI.2006 - ITALIA - Emilia-Romagna - BO
Allegato(i) Dettagli della specie
Chlorophorus glabromaculatus (Goeze, 1777)
Cerambycidae


14.VI.2006 - ITALIA - Emilia-Romagna - BO
Coleoptera

Andream

5

1360

26/03/2015, 3:43

eurinomio Vedi ultimo messaggio

Nessun messaggio da leggere
Clytus arietis arietis (Linnaeus, 1758) - Cerambycidae
26.VI.1996 - ITALIA - Toscana - PO
Allegato(i) Dettagli della specie
Clytus arietis arietis (Linnaeus, 1758)
Cerambycidae


26.VI.1996 - ITALIA - Toscana - PO
Coleoptera

Andream

2

876

24/03/2015, 23:31

Andream Vedi ultimo messaggio

Nessun messaggio da leggere
Pachytodes erraticus erraticus (Dalman, 1817) - Cerambycidae
22.VI.1997 - ITALIA - Toscana - PO
Allegato(i) Dettagli della specie
Pachytodes erraticus erraticus (Dalman, 1817)
Cerambycidae


22.VI.1997 - ITALIA - Toscana - PO
Coleoptera

Andream

3

1045

24/03/2015, 23:30

Andream Vedi ultimo messaggio

Nessun messaggio da leggere
Clytus arietis arietis (Linnaeus, 1758) - Cerambycidae
2.VII.1993 - ITALIA - Toscana - PO
Allegato(i) Dettagli della specie
Clytus arietis arietis (Linnaeus, 1758)
Cerambycidae


2.VII.1993 - ITALIA - Toscana - PO
Coleoptera

Andream

3

995

24/03/2015, 12:46

Andream Vedi ultimo messaggio

Nessun messaggio da leggere
Clytus rhamni Germar, 1817 - Cerambycidae
26.VI.1997 - ITALIA - Toscana - PO
Allegato(i) Dettagli della specie
Clytus rhamni Germar, 1817
Cerambycidae


26.VI.1997 - ITALIA - Toscana - PO
Coleoptera

Andream

3

1141

24/03/2015, 12:46

Andream Vedi ultimo messaggio

Nessun messaggio da leggere
Chlorophorus trifasciatus (Fabricius, 1781) - Cerambycidae
20.VI.2006 - ITALIA - Emilia-Romagna - BO
Allegato(i) Dettagli della specie
Chlorophorus trifasciatus (Fabricius, 1781)
Cerambycidae


20.VI.2006 - ITALIA - Emilia-Romagna - BO
Coleoptera

Andream

2

813

23/03/2015, 23:54

Andream Vedi ultimo messaggio

Nessun messaggio da leggere
Xylotrechus (Xylotrechus) stebbingi Gahan, 1906 - Cerambycidae
25.VII.1994 - ITALIA - Toscana - PO
Allegato(i) Dettagli della specie
Xylotrechus (Xylotrechus) stebbingi Gahan, 1906
Cerambycidae


25.VII.1994 - ITALIA - Toscana - PO
Coleoptera

Andream

3

1004

23/03/2015, 0:29

Andream Vedi ultimo messaggio

Nessun messaggio da leggere
Agapanthia (Agapanthia) cardui (Linnaeus, 1767) - Cerambycidae
10.VI.1998 - ITALIA - Emilia-Romagna - BO
Allegato(i) Dettagli della specie
Agapanthia (Agapanthia) cardui (Linnaeus, 1767)
Cerambycidae


10.VI.1998 - ITALIA - Emilia-Romagna - BO
Coleoptera

Andream

2

925

22/03/2015, 0:34

Andream Vedi ultimo messaggio

Nessun messaggio da leggere
Allegato(i) Dettagli della specie
Xylotrechus (Xylotrechus) antilope antilope (Schöenherr, 1817)
Cerambycidae


25.VII.1998 - ITALIA - Toscana - PO
Coleoptera

Andream

3

940

21/03/2015, 23:30

Plagionotus Vedi ultimo messaggio

Nessun messaggio da leggere
Rhagium (Rhagium) inquisitor inquisitor (Linnaeus, 1758) - Cerambycidae
18.III.2015 - ITALIA - Trentino-Alto Adige - TN
Allegato(i) Dettagli della specie
Rhagium (Rhagium) inquisitor inquisitor (Linnaeus, 1758)
Cerambycidae


18.III.2015 - ITALIA - Trentino-Alto Adige - TN
Coleoptera

gigilmozzi

4

1012

19/03/2015, 20:56

gigilmozzi Vedi ultimo messaggio

Nessun messaggio da leggere
Saperda scalaris scalaris (Linnaeus, 1758) - Cerambycidae
2.IX.2014 - ITALIA - Friuli-Venezia Giulia - PN
Allegato(i) Dettagli della specie
Saperda scalaris scalaris (Linnaeus, 1758)
Cerambycidae


2.IX.2014 - ITALIA - Friuli-Venezia Giulia - PN
Coleoptera

andreah

2

888

13/03/2015, 20:11

andreah Vedi ultimo messaggio

Nessun messaggio da leggere
Parmena pubescens pubescens (Dalman, 1817) - Cerambycidae
22.VIII.2014 - ITALIA - Sicilia - RG
Allegato(i) Dettagli della specie
Parmena pubescens pubescens (Dalman, 1817)
Cerambycidae


22.VIII.2014 - ITALIA - Sicilia - RG
Coleoptera

salvo

13

2555

12/03/2015, 23:27

salvo Vedi ultimo messaggio

Nessun messaggio da leggere
Vesperus strepens (Fabricius, 1792) - Cerambycidae
25.II.2015 - ITALIA - Liguria - SV
Allegato(i) Dettagli della specie
Vesperus strepens (Fabricius, 1792)
Cerambycidae


25.II.2015 - ITALIA - Liguria - SV
Coleoptera

Helix

14

3981

02/03/2015, 9:47

Plagionotus Vedi ultimo messaggio

Nessun messaggio da leggere
Rutpela maculata maculata (Poda, 1761) - Cerambycidae
4.VII.1999 - ITALIA - Toscana - PO
Allegato(i) Dettagli della specie
Rutpela maculata maculata (Poda, 1761)
Cerambycidae


4.VII.1999 - ITALIA - Toscana - PO
Coleoptera

Andream

5

1139

10/02/2015, 19:35

Andream Vedi ultimo messaggio

Nessun messaggio da leggere
Allegato(i) Dettagli della specie
Stictoleptura cordigera cordigera (Fuessly, 1775)
Cerambycidae


14.VI.2001 - ITALIA - Umbria - PG
Coleoptera

Andream

2

852

10/02/2015, 14:05

Andream Vedi ultimo messaggio

Nessun messaggio da leggere
Allegato(i) Dettagli della specie
Trichoferus fasciculatus fasciculatus (Faldermann, 1837)
Cerambycidae


19.VI.2013 - ITALIA - Marche - MC
Coleoptera

Andream

4

965

10/02/2015, 0:33

Andream Vedi ultimo messaggio

Nessun messaggio da leggere
Callidium aeneum (De Geer, 1775) - Cerambycidae
23.I.2015 - ITALIA - Trentino-Alto Adige - TN
Allegato(i) Dettagli della specie
Callidium aeneum (De Geer, 1775)
Cerambycidae


23.I.2015 - ITALIA - Trentino-Alto Adige - TN
Coleoptera

gigilmozzi

6

2142

25/01/2015, 15:23

gigilmozzi Vedi ultimo messaggio

Nessun messaggio da leggere
Callidium aeneum (De Geer, 1775) - Cerambycidae
29.XII.2014 - ITALIA - Trentino-Alto Adige - TN
Allegato(i) Dettagli della specie
Callidium aeneum (De Geer, 1775)
Cerambycidae


29.XII.2014 - ITALIA - Trentino-Alto Adige - TN
Coleoptera

gigilmozzi

6

1855

29/12/2014, 22:44

Entomarci Vedi ultimo messaggio

Nessun messaggio da leggere
Cerambyx welensii (Küster, 1845) - Cerambycidae
17.VIII.2014 - ITALIA - Marche - FM
Allegato(i) Dettagli della specie
Cerambyx welensii (Küster, 1845)
Cerambycidae


17.VIII.2014 - ITALIA - Marche - FM
Coleoptera

Andream

5

1375

26/12/2014, 16:07

Andream Vedi ultimo messaggio

Nessun messaggio da leggere
Exocentrus adspersus Mulsant, 1846 - Cerambycidae
18.VI.2012 - ITALIA - Lazio - FR
Allegato(i) Dettagli della specie
Exocentrus adspersus Mulsant, 1846
Cerambycidae

[ Vai alla paginaVai alla pagina: 1, 2 ]



18.VI.2012 - ITALIA - Lazio - FR
Coleoptera

Valerio

28

6707

11/12/2014, 15:04

Julodis Vedi ultimo messaggio

Nessun messaggio da leggere
Allegato(i) Dettagli della specie
Agapanthia (Epoptes) sicula malmerendii Sama, 1981
Cerambycidae


29.VI.2013 - ITALIA - Calabria - CS
Coleoptera

Valerio

2

1746

10/12/2014, 21:47

Valerio Vedi ultimo messaggio

Nessun messaggio da leggere
Allegato(i) Dettagli della specie
Acanthocinus xanthoneurus (Mulsant & Rey, 1852)
Cerambycidae

[ Vai alla paginaVai alla pagina: 1, 2 ]



19.VI.2011 - ITALIA - Lazio - RI
Coleoptera

Valerio

18

5231

10/12/2014, 21:04

Valerio Vedi ultimo messaggio

Nessun messaggio da leggere
Chlorophorus varius varius (O. F. Müller, 1766) - Cerambycidae
23.VIII.2014 - ITALIA - Abruzzo - CH
Allegato(i) Dettagli della specie
Chlorophorus varius varius (O. F. Müller, 1766)
Cerambycidae


23.VIII.2014 - ITALIA - Abruzzo - CH
Coleoptera

Andream

5

1460

07/12/2014, 16:13

Andream Vedi ultimo messaggio

Nessun messaggio da leggere
Allegato(i) Dettagli della specie
Xylotrechus (Xylotrechus) arvicola (Olivier, 1795)
Cerambycidae


20.VI.2000 - ITALIA - Toscana - PO
Coleoptera

Andream

2

988

07/12/2014, 14:50

Andream Vedi ultimo messaggio

Nessun messaggio da leggere
Phymatodes testaceus (Linnaeus, 1758) - Cerambycidae
25.VI.1996 - ITALIA - Toscana - PO
Allegato(i) Dettagli della specie
Phymatodes testaceus (Linnaeus, 1758)
Cerambycidae


25.VI.1996 - ITALIA - Toscana - PO
Coleoptera

Andream

2

1124

06/12/2014, 15:10

Andream Vedi ultimo messaggio

Nessun messaggio da leggere
Phymatodes testaceus (Linnaeus, 1758) - Cerambycidae
22.VI.1997 - ITALIA - Toscana - PO
Allegato(i) Dettagli della specie
Phymatodes testaceus (Linnaeus, 1758)
Cerambycidae


22.VI.1997 - ITALIA - Toscana - PO
Coleoptera

Andream

2

1324

06/12/2014, 15:09

Andream Vedi ultimo messaggio

Nessun messaggio da leggere
Agapanthia (Epoptes) cynarae (Germar, 1817) - Cerambycidae
23.VI.2013 - ITALIA - Calabria - CS
Allegato(i) Dettagli della specie
Agapanthia (Epoptes) cynarae (Germar, 1817)
Cerambycidae


23.VI.2013 - ITALIA - Calabria - CS
Coleoptera

Valerio

7

3694

06/12/2014, 13:34

Valerio Vedi ultimo messaggio

Nessun messaggio da leggere
Agapanthia (Epoptes) cynarae (Germar, 1817) - Cerambycidae
30.VI.2010 - ITALIA - Calabria - CS
Allegato(i) Dettagli della specie
Agapanthia (Epoptes) cynarae (Germar, 1817)
Cerambycidae


30.VI.2010 - ITALIA - Calabria - CS
Coleoptera

Valerio

1

1814

06/12/2014, 12:45

alebisca Vedi ultimo messaggio

Nessun messaggio da leggere
Phymatodes testaceus (Linnaeus, 1758) - Cerambycidae
25.VI.1994 - ITALIA - Toscana - PO
Allegato(i) Dettagli della specie
Phymatodes testaceus (Linnaeus, 1758)
Cerambycidae


25.VI.1994 - ITALIA - Toscana - PO
Coleoptera

Andream

2

1252

05/12/2014, 13:48

Andream Vedi ultimo messaggio

Nessun messaggio da leggere
Phymatodes testaceus (Linnaeus, 1758) - Cerambycidae
22.VI.1999 - ITALIA - Toscana - PO
Allegato(i) Dettagli della specie
Phymatodes testaceus (Linnaeus, 1758)
Cerambycidae


22.VI.1999 - ITALIA - Toscana - PO
Coleoptera

Andream

3

1368

05/12/2014, 13:48

Andream Vedi ultimo messaggio

Nessun messaggio da leggere
Allegato(i) Dettagli della specie
Dorcadion (Pedestredorcadion) arenarium marsicanum Fracassi, 1905
Cerambycidae


30.IV.2010 - ITALIA - Abruzzo - AQ
Coleoptera

Valerio

2

981

04/12/2014, 12:06

Valerio Vedi ultimo messaggio

Nessun messaggio da leggere
Allegato(i) Dettagli della specie
Dorcadion (Pedestredorcadion) etruscum (Rossi, 1790)
Cerambycidae


1.VII.2010 - ITALIA - Calabria - CS
Coleoptera

Valerio

1

826

04/12/2014, 8:18

michele.carraretto Vedi ultimo messaggio

Nessun messaggio da leggere
Trichoferus holosericeus (Rossi, 1790) - Cerambycidae
12.VIII.2012 - ITALIA - Lazio - RM
Allegato(i) Dettagli della specie
Trichoferus holosericeus (Rossi, 1790)
Cerambycidae


12.VIII.2012 - ITALIA - Lazio - RM
Coleoptera

Valerio

8

1514

03/12/2014, 11:24

Valerio Vedi ultimo messaggio

Nessun messaggio da leggere
Saperda punctata (Linnaeus, 1767) - Cerambycidae
21.VII.2001 - ITALIA - Emilia-Romagna - BO
Allegato(i) Dettagli della specie
Saperda punctata (Linnaeus, 1767)
Cerambycidae


21.VII.2001 - ITALIA - Emilia-Romagna - BO
Coleoptera

Andream

2

832

02/12/2014, 12:51

Andream Vedi ultimo messaggio

Nessun messaggio da leggere
Saperda carcharias (Linnaeus, 1758) - Cerambycidae
19.VII.1995 - ITALIA - Toscana - PO
Allegato(i) Dettagli della specie
Saperda carcharias (Linnaeus, 1758)
Cerambycidae


19.VII.1995 - ITALIA - Toscana - PO
Coleoptera

Andream

2

908

02/12/2014, 12:50

Andream Vedi ultimo messaggio

Nessun messaggio da leggere
Allegato(i) Dettagli della specie
Trichoferus fasciculatus fasciculatus (Faldermann, 1837)
Cerambycidae


26.VII.2012 - ITALIA - Abruzzo - AQ
Coleoptera

Valerio

1

1183

01/12/2014, 22:01

michele.carraretto Vedi ultimo messaggio

Nessun messaggio da leggere
Aegomorphus clavipes (Schrank, 1781) - Cerambycidae
20.VII.1996 - ITALIA - Toscana - PO
Allegato(i) Dettagli della specie
Aegomorphus clavipes (Schrank, 1781)
Cerambycidae

[ Vai alla paginaVai alla pagina: 1, 2 ]



20.VII.1996 - ITALIA - Toscana - PO
Coleoptera

Andream

17

5176

01/12/2014, 20:59

Uncle Adam Vedi ultimo messaggio

Nessun messaggio da leggere
Saperda scalaris scalaris (Linnaeus, 1758) - Cerambycidae
29.XI.2014 - ITALIA - Friuli-Venezia Giulia - UD
Allegato(i) Dettagli della specie
Saperda scalaris scalaris (Linnaeus, 1758)
Cerambycidae


29.XI.2014 - ITALIA - Friuli-Venezia Giulia - UD
Coleoptera

AleP

6

2387

30/11/2014, 20:06

AleP Vedi ultimo messaggio

Nessun messaggio da leggere
Arhopalus rusticus (Linnaeus, 1758) - Cerambycidae
16.VII.2013 - ITALIA - Calabria - CS
Allegato(i) Dettagli della specie
Arhopalus rusticus (Linnaeus, 1758)
Cerambycidae


16.VII.2013 - ITALIA - Calabria - CS
Coleoptera

Valerio

2

1387

30/11/2014, 13:39

Valerio Vedi ultimo messaggio

Nessun messaggio da leggere
Pidonia (Pidonia) lurida (Fabricius, 1792) - Cerambycidae
20.VII.2014 - ITALIA - Trentino-Alto Adige - TN
Allegato(i) Dettagli della specie
Pidonia (Pidonia) lurida (Fabricius, 1792)
Cerambycidae


20.VII.2014 - ITALIA - Trentino-Alto Adige - TN
Coleoptera

gigilmozzi

3

1818

30/11/2014, 11:35

gigilmozzi Vedi ultimo messaggio

Nessun messaggio da leggere
Certallum ebulinum (Linnaeus, 1767) - Cerambycidae
26.IV.2012 - ITALIA - Sicilia - ME
Allegato(i) Dettagli della specie
Certallum ebulinum (Linnaeus, 1767)
Cerambycidae


26.IV.2012 - ITALIA - Sicilia - ME
Coleoptera

Valerio

0

945

29/11/2014, 15:05

Valerio Vedi ultimo messaggio

Nessun messaggio da leggere
Anastrangalia sanguinolenta (Linnaeus, 1760) - Cerambycidae
27.VI.2013 - ITALIA - Calabria - CS
Allegato(i) Dettagli della specie
Anastrangalia sanguinolenta (Linnaeus, 1760)
Cerambycidae


27.VI.2013 - ITALIA - Calabria - CS
Coleoptera

Valerio

2

1138

28/11/2014, 17:42

Valerio Vedi ultimo messaggio

Nessun messaggio da leggere
Rutpela maculata maculata (Poda, 1761) - Cerambycidae
25.VI.2013 - ITALIA - Calabria - CS
Allegato(i) Dettagli della specie
Rutpela maculata maculata (Poda, 1761)
Cerambycidae


25.VI.2013 - ITALIA - Calabria - CS
Coleoptera

Valerio

0

700

28/11/2014, 17:38

Valerio Vedi ultimo messaggio

Nessun messaggio da leggere
Allegato(i) Dettagli della specie
Dorcadion (Pedestredorcadion) etruscum (Rossi, 1790)
Cerambycidae


3.VI.2007 - ITALIA - Toscana - PO
Coleoptera

Andream

3

1149

28/11/2014, 12:29

Andream Vedi ultimo messaggio

Nessun messaggio da leggere
Allegato(i) Dettagli della specie
Purpuricenus (Purpuricenus) kaehleri kaehleri (Linnaeus, 1758)
Cerambycidae


9.VI.2010 - ITALIA - Toscana - PO
Coleoptera

Andream

3

1212

28/11/2014, 12:26

Andream Vedi ultimo messaggio

Visualizza ultimi argomenti:  Ordina per  Ordine:  
nuovo argomento
Vai alla pagina Precedente  1 ... 17, 18, 19, 20, 21, 22, 23 ... 59  Prossimo
Pagina 20 di 59 [ 2928 argomenti ]

Tutti gli orari sono UTC + 1 ora [ ora legale ]


Chi c’è in linea

Visitano il forum: Nessuno e 2 ospiti


Legenda
Messaggi da leggere Messaggi da leggere Nessun messaggio da leggere Nessun messaggio da leggere Annuncio Annuncio
 
Specie indeterminata / discussione generica
Messaggi non letti [ Popolari ] Messaggi non letti [ Popolari ] Nessun messaggio da leggere [ Popolare ] Nessun messaggio da leggere [ Popolare ] Importante Importante
 
Specie determinata fino al genere o cf.
Messaggi non letti [ Bloccati ] Messaggi non letti [ Bloccati ] No messaggi non letti [ Bloccati ] No messaggi non letti [ Bloccati ] Argomento spostato Argomento spostato
 
Specie correttamente determinata
Permessi
Non puoi aprire nuovi argomenti
Non puoi rispondere negli argomenti
Non puoi modificare i tuoi messaggi
Non puoi cancellare i tuoi messaggi
Non puoi inviare allegati

Cerca per:
Vai a: