Benvenuto Ospite

Forum Entomologi Italiani

www.entomologiitaliani.net/forum
 
Oggi è 26/12/2025, 12:35

Tutti gli orari sono UTC + 1 ora [ ora legale ]


100%
tutti i taxon di questo archivio sono stati determinati correttamente

Meloidae


[ AFROTROPICALE ] [ ANTARTICO ] [ AUSTRALASIANO ] [ NEARTICO ] [ NEOTROPICALE ] [ ORIENTALE ] [ PALEARTICO ]


nuovo argomento
Vai alla pagina Precedente  1, 2, 3, 4, 5, 6  Prossimo
Pagina 4 di 6 [ 296 argomenti ]
 Argomenti   Ordine   Autore   Risposte   Visite    Ultimo messaggio 
Annunci
Nessun messaggio da leggere
Allegato(i)
Incontri entomologici della Società Entomologica Italiana 2025-2026
 

Velvet Ant

0

14732

17/11/2025, 19:41

Velvet Ant Vedi ultimo messaggio

Nessun messaggio da leggere
Allegato(i)
Incontri entomologici telematici organizzati dalla Società Entomologica Italiana nel 2022 e nel 2023

[ Vai alla paginaVai alla pagina: 1, 2, 3 ]

 

Velvet Ant

44

1710726

03/03/2023, 15:55

Velvet Ant Vedi ultimo messaggio

Nessun messaggio da leggere  
Allegato(i)
Sondaggio sul declino dell'entomofauna in Italia

[ Vai alla paginaVai alla pagina: 1, 2, 3, 4 ]

 

Velvet Ant

52

2336020

22/10/2022, 19:18

Acquarius Vedi ultimo messaggio

Nessun messaggio da leggere  
Allegato(i)
Progetto: Bibliografia ragionata dei lavori entomologici nei quali sono citati reperti apparsi su FEI

[ Vai alla paginaVai alla pagina: 1, 2, 3 ]

 

Velvet Ant

33

1373712

06/07/2023, 18:31

Orotrechus Vedi ultimo messaggio

Nessun messaggio da leggere
Allegato(i)
Mimesi, il primo documentario cinematografico sull’entomologia in Italia: casting
 

mazzeip

1

1089983

28/02/2019, 20:26

mazzeip Vedi ultimo messaggio

Questo argomento è bloccato, non puoi modificare o inviare ulteriori messaggi.
Allegato(i)
ISTRUZIONI PUBBLICAZIONE NUOVI ARGOMENTI E FOTO

 
Altri Ordini di Insetti

Julodis

4

2888940

13/05/2015, 19:37

Julodis Vedi ultimo messaggio

Nessun messaggio da leggere
Allegato(i)
Limitatore giornaliero di messaggi, uno strumento utile e ormai indispensabile

[ Vai alla paginaVai alla pagina: 1 ... 14, 15, 16 ]

 

Velvet Ant

233

12476646

25/09/2014, 14:31

Inachis Vedi ultimo messaggio

Nessun messaggio da leggere  
NORME PER I COLLABORATORI DEL FORUM

 
 

Velvet Ant

0

634230

02/06/2011, 12:05

Velvet Ant Vedi ultimo messaggio

Nessun messaggio da leggere
Allegato(i)
NORME PER GLI UTENTI DEL FORUM

[ Vai alla paginaVai alla pagina: 1, 2, 3 ]



 
 

Velvet Ant

30

3490290

23/09/2014, 23:54

Maurizio Bollino Vedi ultimo messaggio

Nessun messaggio da leggere  
Lista degli utenti del "Forum entomologi italiani" per campi di interesse e specializzazione

 
Altri Ordini di Insetti

Velvet Ant

13

1012821

07/09/2023, 17:14

Roberto-07 Vedi ultimo messaggio

Argomenti
Nessun messaggio da leggere
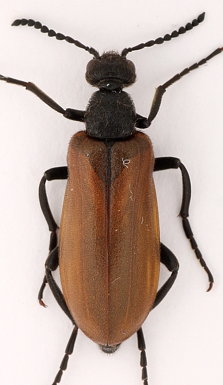
Lytta vesicatoria vesicatoria (Linnaeus, 1758) - Meloidae
18.VI.2016 - ITALIA - Campania - CE
Allegato(i) Dettagli della specie
Lytta vesicatoria vesicatoria (Linnaeus, 1758)
Meloidae


18.VI.2016 - ITALIA - Campania - CE
Coleoptera

nicolaciccarelli

4

1466

30/04/2017, 20:39

Marco A. Bologna Vedi ultimo messaggio

Nessun messaggio da leggere
Sitaris (Sitaris) muralis (Förster, 1771) - Meloidae
11.IX.2016 - ITALIA - Sardegna - OT
Allegato(i) Dettagli della specie
Sitaris (Sitaris) muralis (Förster, 1771)
Meloidae


11.IX.2016 - ITALIA - Sardegna - OT
Coleoptera

Mauro

5

1651

30/04/2017, 20:26

Marco A. Bologna Vedi ultimo messaggio

Nessun messaggio da leggere
Allegato(i) Dettagli della specie
Sitaris (Sitaris) solieri solieri Pecchioli, 1839
Meloidae


4.X.2016 - ITALIA - Sicilia - TP
Coleoptera

Davide Castelli

3

1369

30/04/2017, 20:24

Marco A. Bologna Vedi ultimo messaggio

Nessun messaggio da leggere
Meloe (Eurymeloe) mediterraneus J. Müller, 1925 - Meloidae
20.X.2016 - ITALIA - Sardegna - CA
Allegato(i) Dettagli della specie
Meloe (Eurymeloe) mediterraneus J. Müller, 1925
Meloidae


20.X.2016 - ITALIA - Sardegna - CA
Coleoptera

Palaemonetes

11

2646

30/04/2017, 20:08

Marco A. Bologna Vedi ultimo messaggio

Nessun messaggio da leggere
Allegato(i) Dettagli della specie
Meloe (Treiodous) autumnalis autumnalis A. G. Olivier, 1797
Meloidae


10.XI.2016 - ITALIA - Sardegna - SS
Coleoptera

Gianni Lai

4

974

30/04/2017, 19:59

Marco A. Bologna Vedi ultimo messaggio

Nessun messaggio da leggere
Zonitis (Zonitis) flava Fabricius, 1775 - Meloidae
28.VII.2016 - ITALIA - Sardegna - NU
Allegato(i) Dettagli della specie
Zonitis (Zonitis) flava Fabricius, 1775
Meloidae


28.VII.2016 - ITALIA - Sardegna - NU
Coleoptera

Pietro Niolu

4

1428

30/04/2017, 19:52

Marco A. Bologna Vedi ultimo messaggio

Nessun messaggio da leggere
Meloe (Meloe) violaceus Marsham, 1802 - Meloidae
14.IV.2017 - ITALIA - Emilia-Romagna - PR
Allegato(i) Dettagli della specie
Meloe (Meloe) violaceus Marsham, 1802
Meloidae


14.IV.2017 - ITALIA - Emilia-Romagna - PR
Coleoptera

b.fra77

12

3985

14/04/2017, 22:06

Julodis Vedi ultimo messaggio

Nessun messaggio da leggere
Meloe (Meloe) proscarabaeus proscarabaeus Linnaeus, 1758 - Meloidae
3.III.2013 - ITALIA - Friuli-Venezia Giulia - GO
Allegato(i) Dettagli della specie
Meloe (Meloe) proscarabaeus proscarabaeus Linnaeus, 1758
Meloidae


3.III.2013 - ITALIA - Friuli-Venezia Giulia - GO
Coleoptera

aurinium

1

1070

25/10/2016, 15:16

Marco A. Bologna Vedi ultimo messaggio

Nessun messaggio da leggere
Allegato(i) Dettagli della specie
Meloe (Eurymeloe) mediterraneus J. Müller, 1925
Meloidae


23.X.2016 - ITALIA - Lazio - RM
Coleoptera

Edo

5

1515

25/10/2016, 14:45

Marco A. Bologna Vedi ultimo messaggio

Nessun messaggio da leggere
Allegato(i) Dettagli della specie
Meloe (Eurymeloe) mediterraneus J. Müller, 1925
Meloidae


IX.2016 - ITALIA - Lazio - RM
Coleoptera

wgliinsetti

8

2218

25/10/2016, 14:43

Marco A. Bologna Vedi ultimo messaggio

Nessun messaggio da leggere
Mylabris (Eumylabris) fabricii Sumakov, 1924 - Meloidae
12.VI.2013 - ITALIA - Sicilia - CT
Allegato(i) Dettagli della specie
Mylabris (Eumylabris) fabricii Sumakov, 1924
Meloidae


12.VI.2013 - ITALIA - Sicilia - CT
Coleoptera

carabus

2

1332

20/12/2013, 12:05

Marco A. Bologna Vedi ultimo messaggio

Nessun messaggio da leggere
Mylabris (Mylabris) variabilis (Pallas, 1781) - Meloidae
VI.2013 - ITALIA - Calabria - RC
Allegato(i) Dettagli della specie
Mylabris (Mylabris) variabilis (Pallas, 1781)
Meloidae


VI.2013 - ITALIA - Calabria - RC
Coleoptera

Limonium calabrum

1

981

20/12/2013, 11:58

Marco A. Bologna Vedi ultimo messaggio

Nessun messaggio da leggere
Allegato(i) Dettagli della specie
Meloe (Meloegonius) cicatricosus Leach, 1815
Meloidae


IV.2013 - ITALIA - Lazio - VT
Coleoptera

fagus

8

2119

20/12/2013, 11:56

Marco A. Bologna Vedi ultimo messaggio

Nessun messaggio da leggere
Meloe (Meloe) violaceus Marsham, 1802 - Meloidae
8.IV.2013 - ITALIA - Sicilia - ME
Allegato(i) Dettagli della specie
Meloe (Meloe) violaceus Marsham, 1802
Meloidae


8.IV.2013 - ITALIA - Sicilia - ME
Coleoptera

Loriscola

4

1607

20/12/2013, 11:52

Marco A. Bologna Vedi ultimo messaggio

Nessun messaggio da leggere
Allegato(i) Dettagli della specie
Meloe (Eurymeloe) mediterraneus J. Müller, 1925
Meloidae


20.X.2011 - ITALIA - Marche - AN
Coleoptera

StagBeetle

1

902

20/12/2013, 11:28

Marco A. Bologna Vedi ultimo messaggio

Nessun messaggio da leggere
Allegato(i) Dettagli della specie
Meloe (Meloe) proscarabaeus proscarabaeus Linnaeus, 1758
Meloidae


23.IV.2013 - ITALIA - Marche - AN
Coleoptera

StagBeetle

1

987

20/12/2013, 11:27

Marco A. Bologna Vedi ultimo messaggio

Nessun messaggio da leggere
Allegato(i) Dettagli della specie
Meloe (Meloe) proscarabaeus proscarabaeus Linnaeus, 1758
Meloidae


10.IV.2010 - ITALIA - Marche - AN
Coleoptera

StagBeetle

4

1117

20/12/2013, 11:27

Marco A. Bologna Vedi ultimo messaggio

Nessun messaggio da leggere
Sitaris (Sitaris) muralis (Förster, 1771) - Meloidae
25.IX.2011 - ITALIA - Marche - AN
Allegato(i) Dettagli della specie
Sitaris (Sitaris) muralis (Förster, 1771)
Meloidae


25.IX.2011 - ITALIA - Marche - AN
Coleoptera

StagBeetle

2

1101

20/12/2013, 11:26

Marco A. Bologna Vedi ultimo messaggio

Nessun messaggio da leggere
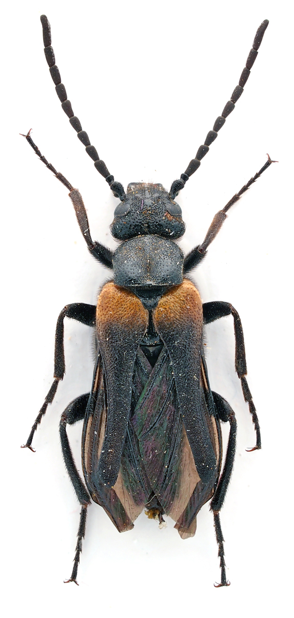
Lydus trimaculatus italicus Kaszab, 1952 - Meloidae
16.VI.2012 - ITALIA - Marche - MC
Allegato(i) Dettagli della specie
Lydus trimaculatus italicus Kaszab, 1952
Meloidae


16.VI.2012 - ITALIA - Marche - MC
Coleoptera

StagBeetle

1

784

20/12/2013, 11:25

Marco A. Bologna Vedi ultimo messaggio

Nessun messaggio da leggere
Mylabris (Mylabris) variabilis (Pallas, 1781) - Meloidae
13.VII.2013 - ITALIA - Emilia-Romagna - BO
Allegato(i) Dettagli della specie
Mylabris (Mylabris) variabilis (Pallas, 1781)
Meloidae


13.VII.2013 - ITALIA - Emilia-Romagna - BO
Coleoptera

Loriscola

3

899

20/12/2013, 11:25

Marco A. Bologna Vedi ultimo messaggio

Nessun messaggio da leggere
Allegato(i) Dettagli della specie
Meloe (Treiodous) autumnalis autumnalis A. G. Olivier, 1797
Meloidae


2.X.2013 - ITALIA - Marche - PU
Coleoptera

Romina

6

1228

20/12/2013, 11:23

Marco A. Bologna Vedi ultimo messaggio

Nessun messaggio da leggere
Allegato(i) Dettagli della specie
Meloe (Treiodous) autumnalis autumnalis A. G. Olivier, 1797
Meloidae


29.IX.2013 - ITALIA - Marche - MC
Coleoptera

StagBeetle

2

857

20/12/2013, 11:22

Marco A. Bologna Vedi ultimo messaggio

Nessun messaggio da leggere
Lytta vesicatoria vesicatoria (Linnaeus, 1758) - Meloidae
12.VI.2013 - ITALIA - Lazio - VT
Allegato(i) Dettagli della specie
Lytta vesicatoria vesicatoria (Linnaeus, 1758)
Meloidae


12.VI.2013 - ITALIA - Lazio - VT
Coleoptera

Andricus

2

985

19/07/2013, 19:26

Andricus Vedi ultimo messaggio

Nessun messaggio da leggere
Meloe (Meloe) violaceus Marsham, 1802 - Meloidae
22.IV.2013 - ITALIA - Toscana - SI
Allegato(i) Dettagli della specie
Meloe (Meloe) violaceus Marsham, 1802
Meloidae


22.IV.2013 - ITALIA - Toscana - SI
Coleoptera

Anillus

5

1334

19/07/2013, 19:02

Anillus Vedi ultimo messaggio

Nessun messaggio da leggere
Allegato(i) Dettagli della specie
Meloe (Meloe) proscarabaeus proscarabaeus Linnaeus, 1758
Meloidae


4.V.2013 - ITALIA - Lombardia - BS
Coleoptera

Tc70

3

1253

19/07/2013, 16:39

Marco A. Bologna Vedi ultimo messaggio

Nessun messaggio da leggere
Allegato(i) Dettagli della specie
Meloe (Eurymeloe) tuccia corrosus Brandt & Erichson, 1832
Meloidae


4.IV.2013 - ITALIA - Sicilia - TP
Coleoptera

Loriscola

6

1521

19/07/2013, 16:37

Marco A. Bologna Vedi ultimo messaggio

Nessun messaggio da leggere
Zonitis (Zonitis) bellieri Reiche, 1860 - Meloidae
4.V.2013 - ITALIA - Sicilia - AG
Allegato(i) Dettagli della specie
Zonitis (Zonitis) bellieri Reiche, 1860
Meloidae


4.V.2013 - ITALIA - Sicilia - AG
Coleoptera

carabus

5

1586

19/07/2013, 16:34

Marco A. Bologna Vedi ultimo messaggio

Nessun messaggio da leggere
Lydus trimaculatus italicus Kaszab, 1952 - Meloidae
6.VII.2013 - ITALIA - Umbria - PG
Allegato(i) Dettagli della specie
Lydus trimaculatus italicus Kaszab, 1952
Meloidae


6.VII.2013 - ITALIA - Umbria - PG
Coleoptera

andreah

4

1224

10/07/2013, 0:15

andreah Vedi ultimo messaggio

Nessun messaggio da leggere
Lydus trimaculatus italicus Kaszab, 1952 - Meloidae
1.VI.2013 - ITALIA - Toscana - GR
Allegato(i) Dettagli della specie
Lydus trimaculatus italicus Kaszab, 1952
Meloidae


1.VI.2013 - ITALIA - Toscana - GR
Coleoptera

hypotyphlus

3

1198

02/06/2013, 19:09

hypotyphlus Vedi ultimo messaggio

Nessun messaggio da leggere
Sitaris (Sitaris) solieri solieri Pecchioli, 1839 - Meloidae
18.IX.2012 - ITALIA - Sicilia - CL
Allegato(i) Dettagli della specie
Sitaris (Sitaris) solieri solieri Pecchioli, 1839
Meloidae


18.IX.2012 - ITALIA - Sicilia - CL
Coleoptera

amedeo

5

1518

23/04/2013, 13:36

Marco A. Bologna Vedi ultimo messaggio

Nessun messaggio da leggere
Meloe (Eurymeloe) tuccia tuccia Rossi, 1792 - Meloidae
23.III.2013 - ITALIA - Toscana - LI
Allegato(i) Dettagli della specie
Meloe (Eurymeloe) tuccia tuccia Rossi, 1792
Meloidae

[ Vai alla paginaVai alla pagina: 1, 2 ]



23.III.2013 - ITALIA - Toscana - LI
Coleoptera

FORBIX

16

2590

23/04/2013, 13:34

Marco A. Bologna Vedi ultimo messaggio

Nessun messaggio da leggere
Sitaris (Sitaris) muralis (Förster, 1771) - Meloidae
18.IX.2012 - ITALIA - Sicilia - CL
Allegato(i) Dettagli della specie
Sitaris (Sitaris) muralis (Förster, 1771)
Meloidae


18.IX.2012 - ITALIA - Sicilia - CL
Coleoptera

amedeo

4

1756

23/04/2013, 13:33

Marco A. Bologna Vedi ultimo messaggio

Nessun messaggio da leggere
Meloe (Meloe) violaceus Marsham, 1802 - Meloidae
10.V.2010 - ITALIA - Valle d'Aosta - AO
Allegato(i) Dettagli della specie
Meloe (Meloe) violaceus Marsham, 1802
Meloidae


10.V.2010 - ITALIA - Valle d'Aosta - AO
Coleoptera

giulia

9

2728

23/04/2013, 13:24

Marco A. Bologna Vedi ultimo messaggio

Nessun messaggio da leggere
Meloe (Eurymeloe) murinus Brandt & Erichson, 1832 - Meloidae
17.II.2012 - ITALIA - Sicilia - PA
Allegato(i) Dettagli della specie
Meloe (Eurymeloe) murinus Brandt & Erichson, 1832
Meloidae


17.II.2012 - ITALIA - Sicilia - PA
Coleoptera

Marco Ferrante

5

2081

23/04/2013, 12:30

Marco A. Bologna Vedi ultimo messaggio

Nessun messaggio da leggere
Allegato(i) Dettagli della specie
Meloe (Meloe) proscarabaeus proscarabaeus Linnaeus, 1758
Meloidae


7.IV.2013 - ITALIA - Lazio - RM
Coleoptera

Fabio Turchetti

1

952

23/04/2013, 11:47

Marco A. Bologna Vedi ultimo messaggio

Nessun messaggio da leggere
Meloe (Meloegonius) cicatricosus Leach, 1815 - Meloidae
5.IV.2013 - ITALIA - Basilicata - MT
Allegato(i) Dettagli della specie
Meloe (Meloegonius) cicatricosus Leach, 1815
Meloidae


5.IV.2013 - ITALIA - Basilicata - MT
Coleoptera

f.izzillo

5

1723

23/04/2013, 11:47

Marco A. Bologna Vedi ultimo messaggio

Nessun messaggio da leggere
Allegato(i) Dettagli della specie
Meloe (Treiodous) autumnalis autumnalis A. G. Olivier, 1797
Meloidae


3.XI.2012 - ITALIA - Sardegna - CA
Coleoptera

Federico A.

5

1550

03/12/2012, 9:59

Marco A. Bologna Vedi ultimo messaggio

Nessun messaggio da leggere
Allegato(i) Dettagli della specie
Meloe (Treiodous) autumnalis autumnalis A. G. Olivier, 1797
Meloidae


16.X.2012 - ITALIA - Umbria - PG
Coleoptera

silvio1953

6

1642

27/11/2012, 9:32

Marco A. Bologna Vedi ultimo messaggio

Nessun messaggio da leggere
Sitaris (Sitaris) muralis (Förster, 1771) - Meloidae
14.IX.2012 - ITALIA - Sardegna - OG
Allegato(i) Dettagli della specie
Sitaris (Sitaris) muralis (Förster, 1771)
Meloidae


14.IX.2012 - ITALIA - Sardegna - OG
Coleoptera

Fumea crassiorella

6

1877

06/11/2012, 15:00

Marco A. Bologna Vedi ultimo messaggio

Nessun messaggio da leggere
Allegato(i) Dettagli della specie
Meloe (Treiodous) autumnalis heydeni Escherich, 1889
Meloidae


28.X.2012 - ITALIA - Sicilia - PA
Coleoptera

carabus

3

1757

06/11/2012, 14:56

Marco A. Bologna Vedi ultimo messaggio

Nessun messaggio da leggere
Allegato(i) Dettagli della specie
Meloe (Treiodous) autumnalis autumnalis A. G. Olivier, 1797
Meloidae


3.X.2012 - ITALIA - Umbria - PG
Coleoptera

Maura

3

1259

06/11/2012, 14:50

Marco A. Bologna Vedi ultimo messaggio

Nessun messaggio da leggere
Lydus trimaculatus italicus Kaszab, 1952 - Meloidae
22.V.2012 - ITALIA - Puglia - BA
Allegato(i) Dettagli della specie
Lydus trimaculatus italicus Kaszab, 1952
Meloidae


22.V.2012 - ITALIA - Puglia - BA
Coleoptera

Mimmo011

5

1896

07/10/2012, 8:57

Mimmo011 Vedi ultimo messaggio

Nessun messaggio da leggere
Allegato(i) Dettagli della specie
Cerocoma (Cerocoma) schaefferi (Linnaeus, 1758)
Meloidae


3.V.2012 - ITALIA - Puglia - BA
Coleoptera

Mimmo011

7

2768

07/10/2012, 8:53

Mimmo011 Vedi ultimo messaggio

Nessun messaggio da leggere
Mylabris (Mylabris) variabilis (Pallas, 1781) - Meloidae
22.V.2012 - ITALIA - Puglia - BA
Allegato(i) Dettagli della specie
Mylabris (Mylabris) variabilis (Pallas, 1781)
Meloidae


22.V.2012 - ITALIA - Puglia - BA
Coleoptera

Mimmo011

2

943

10/09/2012, 21:56

Mimmo011 Vedi ultimo messaggio

Nessun messaggio da leggere
Mylabris (Mylabris) variabilis (Pallas, 1781) - Meloidae
30.VI.2012 - ITALIA - Umbria - PG
Allegato(i) Dettagli della specie
Mylabris (Mylabris) variabilis (Pallas, 1781)
Meloidae

[ Vai alla paginaVai alla pagina: 1, 2 ]



30.VI.2012 - ITALIA - Umbria - PG
Coleoptera

Maura

16

4186

29/08/2012, 9:50

Marco A. Bologna Vedi ultimo messaggio

Nessun messaggio da leggere
Allegato(i) Dettagli della specie
Meloe (Treiodous) autumnalis heydeni Escherich, 1889
Meloidae


1.XI.2011 - ITALIA - Sicilia - ME
Coleoptera

Lucanus tetraodon

4

1757

29/08/2012, 9:49

Marco A. Bologna Vedi ultimo messaggio

Nessun messaggio da leggere
Lytta vesicatoria vesicatoria (Linnaeus, 1758) - Meloidae
30.VI.2012 - ITALIA - Liguria - SP
Allegato(i) Dettagli della specie
Lytta vesicatoria vesicatoria (Linnaeus, 1758)
Meloidae


30.VI.2012 - ITALIA - Liguria - SP
Coleoptera

Marco Fortunato

3

1537

07/07/2012, 10:20

Marco A. Bologna Vedi ultimo messaggio

Nessun messaggio da leggere
Allegato(i) Dettagli della specie
Meloe (Eurymeloe) tuccia corrosus Brandt & Erichson, 1832
Meloidae

[ Vai alla paginaVai alla pagina: 1, 2 ]



18.III.2012 - ITALIA - Sicilia - TP
Coleoptera

Marco Ferrante

17

4181

21/06/2012, 9:16

Marco A. Bologna Vedi ultimo messaggio

Nessun messaggio da leggere
Zonitis (Zonitis) flava Fabricius, 1775 - Meloidae
9.VI.2012 - ITALIA - Friuli-Venezia Giulia - PN
Allegato(i) Dettagli della specie
Zonitis (Zonitis) flava Fabricius, 1775
Meloidae


9.VI.2012 - ITALIA - Friuli-Venezia Giulia - PN
Coleoptera

Agdistis

4

1824

21/06/2012, 8:11

Marco A. Bologna Vedi ultimo messaggio

Nessun messaggio da leggere
Allegato(i) Dettagli della specie
Meloe (Treiodous) autumnalis heydeni Escherich, 1889
Meloidae


14.XI.2011 - ITALIA - Sicilia - PA
Coleoptera

Marco Ferrante

6

2329

14/06/2012, 21:50

Marco A. Bologna Vedi ultimo messaggio

Visualizza ultimi argomenti:  Ordina per  Ordine:  
nuovo argomento
Vai alla pagina Precedente  1, 2, 3, 4, 5, 6  Prossimo
Pagina 4 di 6 [ 296 argomenti ]

Tutti gli orari sono UTC + 1 ora [ ora legale ]


Chi c’è in linea

Visitano il forum: Nessuno e 1 ospite


Legenda
Messaggi da leggere Messaggi da leggere Nessun messaggio da leggere Nessun messaggio da leggere Annuncio Annuncio
 
Specie indeterminata / discussione generica
Messaggi non letti [ Popolari ] Messaggi non letti [ Popolari ] Nessun messaggio da leggere [ Popolare ] Nessun messaggio da leggere [ Popolare ] Importante Importante
 
Specie determinata fino al genere o cf.
Messaggi non letti [ Bloccati ] Messaggi non letti [ Bloccati ] No messaggi non letti [ Bloccati ] No messaggi non letti [ Bloccati ] Argomento spostato Argomento spostato
 
Specie correttamente determinata
Permessi
Non puoi aprire nuovi argomenti
Non puoi rispondere negli argomenti
Non puoi modificare i tuoi messaggi
Non puoi cancellare i tuoi messaggi
Non puoi inviare allegati

Cerca per:
Vai a: