Benvenuto Ospite

Forum Entomologi Italiani

www.entomologiitaliani.net/forum
 
Oggi è 08/11/2025, 0:25

Tutti gli orari sono UTC + 1 ora [ ora legale ]


77% 
296 taxa correttamente determinati su 382 presenti in archivio

Meloidae


[ AFROTROPICALE ] [ ANTARTICO ] [ AUSTRALASIANO ] [ NEARTICO ] [ NEOTROPICALE ] [ ORIENTALE ] [ PALEARTICO ]


nuovo argomento
Vai alla pagina Precedente  1 ... 10, 11, 12, 13, 14, 15  Prossimo
Pagina 13 di 15 [ 736 argomenti ]
 Argomenti   Ordine   Autore   Risposte   Visite    Ultimo messaggio 
Annunci
Nessun messaggio da leggere
Allegato(i)
Incontri entomologici telematici organizzati dalla Società Entomologica Italiana nel 2022 e nel 2023

[ Vai alla paginaVai alla pagina: 1, 2, 3 ]

 

Velvet Ant

44

1427332

03/03/2023, 15:55

Velvet Ant Vedi ultimo messaggio

Nessun messaggio da leggere  
Allegato(i)
Sondaggio sul declino dell'entomofauna in Italia

[ Vai alla paginaVai alla pagina: 1, 2, 3, 4 ]

 

Velvet Ant

52

1755155

22/10/2022, 19:18

Acquarius Vedi ultimo messaggio

Nessun messaggio da leggere  
Allegato(i)
Progetto: Bibliografia ragionata dei lavori entomologici nei quali sono citati reperti apparsi su FEI

[ Vai alla paginaVai alla pagina: 1, 2, 3 ]

 

Velvet Ant

33

1169136

06/07/2023, 18:31

Orotrechus Vedi ultimo messaggio

Nessun messaggio da leggere
Allegato(i)
Mimesi, il primo documentario cinematografico sull’entomologia in Italia: casting
 

mazzeip

1

456606

28/02/2019, 20:26

mazzeip Vedi ultimo messaggio

Questo argomento è bloccato, non puoi modificare o inviare ulteriori messaggi.
Allegato(i)
ISTRUZIONI PUBBLICAZIONE NUOVI ARGOMENTI E FOTO

 
Altri Ordini di Insetti

Julodis

4

903141

13/05/2015, 19:37

Julodis Vedi ultimo messaggio

Nessun messaggio da leggere
Allegato(i)
Limitatore giornaliero di messaggi, uno strumento utile e ormai indispensabile

[ Vai alla paginaVai alla pagina: 1 ... 14, 15, 16 ]

 

Velvet Ant

233

8817966

25/09/2014, 14:31

Inachis Vedi ultimo messaggio

Nessun messaggio da leggere  
NORME PER I COLLABORATORI DEL FORUM

 
 

Velvet Ant

0

478730

02/06/2011, 12:05

Velvet Ant Vedi ultimo messaggio

Nessun messaggio da leggere
Allegato(i)
NORME PER GLI UTENTI DEL FORUM

[ Vai alla paginaVai alla pagina: 1, 2, 3 ]



 
 

Velvet Ant

30

2344582

23/09/2014, 23:54

Maurizio Bollino Vedi ultimo messaggio

Nessun messaggio da leggere  
Lista degli utenti del "Forum entomologi italiani" per campi di interesse e specializzazione

 
Altri Ordini di Insetti

Velvet Ant

13

943637

07/09/2023, 17:14

Roberto-07 Vedi ultimo messaggio

Argomenti
Nessun messaggio da leggere
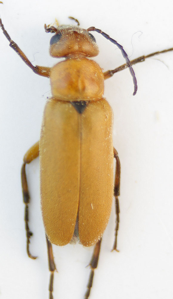
Alosimus sp. (cf.) - Meloidae
27.V.2011 - TURCHIA - EE
Allegato(i)
Alosimus sp. (cf.) - Meloidae

27.V.2011 - TURCHIA - EE
Coleoptera

Fumea crassiorella

4

1357

07/07/2011, 11:59

Marco A. Bologna Vedi ultimo messaggio

Nessun messaggio da leggere
Zonitis sp. (cf.) - Meloidae
26.VI.2011 - TURCHIA - EE
Allegato(i)
Zonitis sp. (cf.) - Meloidae

26.VI.2011 - TURCHIA - EE
Coleoptera

Fumea crassiorella

2

1010

07/07/2011, 11:57

Marco A. Bologna Vedi ultimo messaggio

Nessun messaggio da leggere
Allegato(i) Dettagli della specie
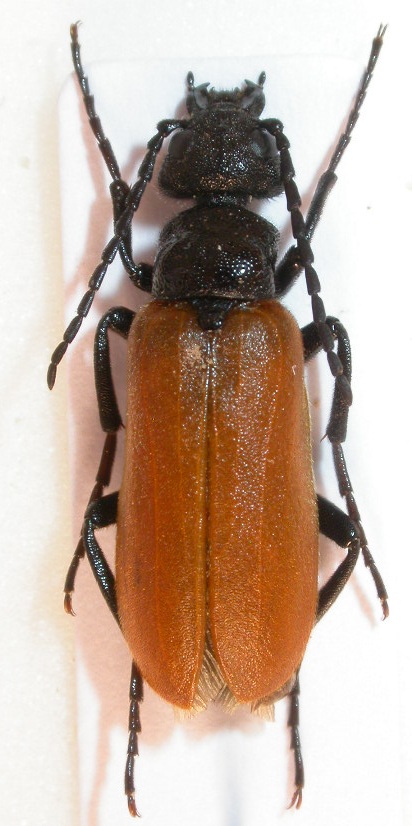
Lytta vesicatoria vesicatoria (Linnaeus, 1758)
Meloidae


21.VI.2011 - FRANCIA - EE
Coleoptera

matthew gandy

3

1248

07/07/2011, 11:55

Marco A. Bologna Vedi ultimo messaggio

Nessun messaggio da leggere
Mylabris (Micrabris) obsoleta Nowicki, 1872 - Meloidae
28.V.2011 - ITALIA - Puglia - LE
Allegato(i) Dettagli della specie
Mylabris (Micrabris) obsoleta Nowicki, 1872
Meloidae


28.V.2011 - ITALIA - Puglia - LE
Coleoptera

Maurizio Bollino

7

2213

03/06/2011, 18:23

Clickie Vedi ultimo messaggio

Nessun messaggio da leggere
Lytta vesicatoria vesicatoria (Linnaeus, 1758) - Meloidae
16.V.2011 - ITALIA - Emilia-Romagna - BO
Allegato(i) Dettagli della specie
Lytta vesicatoria vesicatoria (Linnaeus, 1758)
Meloidae


16.V.2011 - ITALIA - Emilia-Romagna - BO
Coleoptera

Gian Luca Agnoli

5

1751

31/05/2011, 17:56

Marco A. Bologna Vedi ultimo messaggio

Nessun messaggio da leggere
Allegato(i) Dettagli della specie
Meloe (Meloe) proscarabaeus proscarabaeus Linnaeus, 1758
Meloidae


20.IV.2011 - ITALIA - Sicilia - EN
Coleoptera

Amata Ciro

14

5017

18/05/2011, 16:56

Amata Ciro Vedi ultimo messaggio

Nessun messaggio da leggere
Cyaneolytta signifrons cf. - Meloidae - Zambia
14.XII.2008 - ZAMBIA - EE
Allegato(i)
Cyaneolytta signifrons cf. - Meloidae - Zambia

14.XII.2008 - ZAMBIA - EE
Coleoptera

Isotomus

2

1058

16/05/2011, 19:01

Marco A. Bologna Vedi ultimo messaggio

Nessun messaggio da leggere
Allegato(i)
Hycleus bissexnotatus Pic, 1910 cf. - Meloidae - Zambia

14.XII.2008 - ZAMBIA - EE
Coleoptera

Isotomus

2

1032

16/05/2011, 18:59

Marco A. Bologna Vedi ultimo messaggio

Nessun messaggio da leggere
Meloe (Meloegonius) cicatricosus Leach, 1815 - Meloidae
27.III.2011 - ITALIA - Basilicata - MT
Allegato(i) Dettagli della specie
Meloe (Meloegonius) cicatricosus Leach, 1815
Meloidae


27.III.2011 - ITALIA - Basilicata - MT
Coleoptera

Mimmo011

10

2655

16/05/2011, 18:58

Marco A. Bologna Vedi ultimo messaggio

Nessun messaggio da leggere
Berberomeloe majalis (Linnaeus, 1758) - Meloidae
31.III.2011 - SPAGNA - EE
Allegato(i)
Berberomeloe majalis (Linnaeus, 1758) - Meloidae

31.III.2011 - SPAGNA - EE
Coleoptera

Isotomus

1

846

16/05/2011, 18:56

Marco A. Bologna Vedi ultimo messaggio

Nessun messaggio da leggere
Allegato(i)
Berberomeloe majalis (Linnaeus, 1758) - Meloidae, Meloinae, Lyttini

31.III.2011 - SPAGNA - EE
Coleoptera

Isotomus

10

1876

16/05/2011, 18:55

Marco A. Bologna Vedi ultimo messaggio

Nessun messaggio da leggere
Allegato(i)
Ceroctis trifurca Gerstaecker, 1854 - Meloidae - Zambia

14.XII.2008 - ZAMBIA - EE
Coleoptera

Isotomus

3

1488

16/05/2011, 18:53

Marco A. Bologna Vedi ultimo messaggio

Nessun messaggio da leggere
Allegato(i) Dettagli della specie
Mylabris (Micrabris) pusilla latialis Magistretti, 1943
Meloidae


12.VI.2010 - BULGARIA - EE
Coleoptera

Joro

3

1346

16/05/2011, 18:48

Marco A. Bologna Vedi ultimo messaggio

Nessun messaggio da leggere
Meloe (Meloe) violaceus Marsham, 1802 - Meloidae
9.IV.2011 - ITALIA - Marche - MC
Allegato(i) Dettagli della specie
Meloe (Meloe) violaceus Marsham, 1802
Meloidae


9.IV.2011 - ITALIA - Marche - MC
Coleoptera

StagBeetle

2

1156

16/05/2011, 18:43

Marco A. Bologna Vedi ultimo messaggio

Nessun messaggio da leggere
Allegato(i) Dettagli della specie
Meloe (Meloe) proscarabaeus proscarabaeus Linnaeus, 1758
Meloidae


16.IV.2011 - ROMANIA - EE
Coleoptera

alexaandru

2

1114

16/05/2011, 18:42

Marco A. Bologna Vedi ultimo messaggio

Nessun messaggio da leggere
Zonitis (Zonitis) bellieri Reiche, 1860 - Meloidae
22.IV.2011 - ITALIA - Sicilia - AG
Allegato(i) Dettagli della specie
Zonitis (Zonitis) bellieri Reiche, 1860
Meloidae


22.IV.2011 - ITALIA - Sicilia - AG
Coleoptera

carabus

2

1013

16/05/2011, 18:41

Marco A. Bologna Vedi ultimo messaggio

Nessun messaggio da leggere
Lytta vesicatoria vesicatoria (Linnaeus, 1758) - Meloidae
22.IV.2011 - ITALIA - Sicilia - TP
Allegato(i) Dettagli della specie
Lytta vesicatoria vesicatoria (Linnaeus, 1758)
Meloidae


22.IV.2011 - ITALIA - Sicilia - TP
Coleoptera

carabus

2

1289

16/05/2011, 18:39

Marco A. Bologna Vedi ultimo messaggio

Nessun messaggio da leggere
Meloe (Meloe) violaceus Marsham, 1802 - Meloidae
3.IV.2007 - ITALIA - Lombardia - SO
Allegato(i) Dettagli della specie
Meloe (Meloe) violaceus Marsham, 1802
Meloidae


3.IV.2007 - ITALIA - Lombardia - SO
Coleoptera

Luciano Menghi

4

1476

16/05/2011, 18:38

Marco A. Bologna Vedi ultimo messaggio

Nessun messaggio da leggere
Cabalia segetum (Fabricius, 1792) - Meloidae
22.IV.2011 - ITALIA - Sicilia - TP
Allegato(i) Dettagli della specie
Cabalia segetum (Fabricius, 1792)
Meloidae


22.IV.2011 - ITALIA - Sicilia - TP
Coleoptera

carabus

3

1403

16/05/2011, 18:37

Marco A. Bologna Vedi ultimo messaggio

Nessun messaggio da leggere
Meloe (Meloe) violaceus Marsham, 1802 cf. - Meloidae
18.IV.2011 - ITALIA - Piemonte - CN
Allegato(i) Dettagli della specie
Meloe (Meloe) violaceus Marsham, 1802 cf.
Meloidae


18.IV.2011 - ITALIA - Piemonte - CN
Coleoptera

Gremu

7

2094

16/05/2011, 18:36

Marco A. Bologna Vedi ultimo messaggio

Nessun messaggio da leggere
Meloe (Meloe) violaceus Marsham, 1802 - Meloidae
15.V.2011 - ITALIA - Basilicata - MT
Allegato(i) Dettagli della specie
Meloe (Meloe) violaceus Marsham, 1802
Meloidae


15.V.2011 - ITALIA - Basilicata - MT
Coleoptera

Mimmo011

4

1343

16/05/2011, 14:26

storm Vedi ultimo messaggio

Nessun messaggio da leggere
Meloe (Meloe) violaceus Marsham, 1802 cf. - Meloidae
15.V.2011 - ITALIA - Basilicata - MT
Allegato(i) Dettagli della specie
Meloe (Meloe) violaceus Marsham, 1802 cf.
Meloidae


15.V.2011 - ITALIA - Basilicata - MT
Coleoptera

Mimmo011

5

1451

15/05/2011, 23:47

Julodis Vedi ultimo messaggio

Nessun messaggio da leggere
Allegato(i) Dettagli della specie
Meloe (Eurymeloe) mediterraneus J. Müller, 1925 cf.
Meloidae


7.XI.2007 - ITALIA - Lombardia - SO
Coleoptera

Luciano Menghi

4

1332

14/03/2011, 9:18

Marco A. Bologna Vedi ultimo messaggio

Nessun messaggio da leggere
Meloe (Eurymeloe) tuccia tuccia Rossi, 1792 - Meloidae
23.II.2011 - ITALIA - Sardegna - CA
Allegato(i) Dettagli della specie
Meloe (Eurymeloe) tuccia tuccia Rossi, 1792
Meloidae


23.II.2011 - ITALIA - Sardegna - CA
Coleoptera

PierFrancescoMurgia

4

1322

12/03/2011, 9:17

PierFrancescoMurgia Vedi ultimo messaggio

Nessun messaggio da leggere
Cerocoma sp. - Meloidae
14.V.2010 - TURCHIA - EE
Allegato(i)
Cerocoma sp. - Meloidae

14.V.2010 - TURCHIA - EE
Coleoptera

jaho

4

1298

11/03/2011, 22:09

Julodis Vedi ultimo messaggio

Nessun messaggio da leggere
Allegato(i) Dettagli della specie
Cerocoma (Metacerocoma) schreberi Fabricius, 1781
Meloidae


2.VI.2004 - ITALIA - Lazio - RM
Coleoptera

Julodis

6

2097

11/03/2011, 16:31

Marco A. Bologna Vedi ultimo messaggio

Nessun messaggio da leggere
Allegato(i) Dettagli della specie
Cerocoma (Metacerocoma) schreberi Fabricius, 1781
Meloidae


26.V.2010 - ITALIA - Lazio - RM
Coleoptera

elleelle

7

2331

11/03/2011, 16:30

Marco A. Bologna Vedi ultimo messaggio

Nessun messaggio da leggere
Zonitis sp. - Lazio (Serrone)
5.VII.2004 - ITALIA - Lazio - FR
Allegato(i)
Zonitis sp. - Lazio (Serrone)

5.VII.2004 - ITALIA - Lazio - FR
Coleoptera

Julodis

1

903

11/03/2011, 16:26

Marco A. Bologna Vedi ultimo messaggio

Nessun messaggio da leggere
Zonitis sp. - Lazio (Roma)
12.VI.2006 - ITALIA - Lazio - RM
Allegato(i)
Zonitis sp. - Lazio (Roma)

12.VI.2006 - ITALIA - Lazio - RM
Coleoptera

Julodis

1

732

11/03/2011, 16:25

Marco A. Bologna Vedi ultimo messaggio

Nessun messaggio da leggere
Lydus trimaculatus italicus Kaszab, 1952 - Meloidae
2.VI.2005 - ITALIA - Lazio - RM
Allegato(i) Dettagli della specie
Lydus trimaculatus italicus Kaszab, 1952
Meloidae


2.VI.2005 - ITALIA - Lazio - RM
Coleoptera

Julodis

1

750

11/03/2011, 16:22

Marco A. Bologna Vedi ultimo messaggio

Nessun messaggio da leggere
Meloidae (2007)
7.IV.2007 - ITALIA - Lombardia - SO
Allegato(i)
Meloidae (2007)

7.IV.2007 - ITALIA - Lombardia - SO
Coleoptera

Luciano Menghi

2

763

11/03/2011, 16:18

Marco A. Bologna Vedi ultimo messaggio

Nessun messaggio da leggere
Allegato(i)
Cyaneolytta granulipennis (Laporte de Castelnau, 1840) - Meloidae Meloinae Epicautini

X.2008 - SUD AFRICA - EE
Coleoptera

marco paglialunga

4

1425

11/03/2011, 16:13

Marco A. Bologna Vedi ultimo messaggio

Nessun messaggio da leggere
Meloe (Eurymeloe) sp. - Meloidae Meloinae Meloini
16.III.2008 - ITALIA - Umbria - PG
Allegato(i)
Meloe (Eurymeloe) sp. - Meloidae Meloinae Meloini

16.III.2008 - ITALIA - Umbria - PG
Coleoptera

silvio1953

11

1628

11/03/2011, 16:11

Marco A. Bologna Vedi ultimo messaggio

Nessun messaggio da leggere
Lytta vesicatoria vesicatoria (Linnaeus, 1758) - Meloidae
28.I.2007 - ITALIA - Lombardia - SO
Allegato(i) Dettagli della specie
Lytta vesicatoria vesicatoria (Linnaeus, 1758)
Meloidae


28.I.2007 - ITALIA - Lombardia - SO
Coleoptera

Luciano Menghi

6

1264

24/02/2011, 12:11

Marco A. Bologna Vedi ultimo messaggio

Nessun messaggio da leggere
Allegato(i) Dettagli della specie
Meloe (Eurymeloe) mediterraneus J. Müller, 1925
Meloidae


8.X.2010 - ITALIA - Marche - PU
Coleoptera

marco paglialunga

7

1677

24/02/2011, 12:10

Marco A. Bologna Vedi ultimo messaggio

Nessun messaggio da leggere
Allegato(i) Dettagli della specie
Meloe (Meloe) proscarabaeus proscarabaeus Linnaeus, 1758 cf.
Meloidae


1.V.2010 - ITALIA - Sardegna - NU
Coleoptera

Mauro

2

1269

24/02/2011, 11:43

Marco A. Bologna Vedi ultimo messaggio

Nessun messaggio da leggere
Oenas sp. - Meloidae
REPUBBLICA ARABA SIRIANA - EE
Allegato(i)
Oenas sp. - Meloidae

REPUBBLICA ARABA SIRIANA - EE
Coleoptera

claudio sola

7

1163

24/02/2011, 11:04

Glaphyrus Vedi ultimo messaggio

Nessun messaggio da leggere
Mylabris (Mylabris) variabilis (Pallas, 1781) - Meloidae
16.VIII.2010 - ITALIA - Toscana - GR
Allegato(i) Dettagli della specie
Mylabris (Mylabris) variabilis (Pallas, 1781)
Meloidae


16.VIII.2010 - ITALIA - Toscana - GR
Coleoptera

Pippistrello

5

1372

24/02/2011, 11:03

Marco A. Bologna Vedi ultimo messaggio

Nessun messaggio da leggere
Allegato(i) Dettagli della specie
Meloe (Eurymeloe) tuccia corrosus Brandt & Erichson, 1832
Meloidae


17.II.2011 - ITALIA - Sicilia - TP
Coleoptera

Davide Castelli

2

935

24/02/2011, 10:57

Marco A. Bologna Vedi ultimo messaggio

Nessun messaggio da leggere
Meloe (Eurymeloe) murinus Brandt & Erichson, 1832 - Meloidae
25.I.2011 - ITALIA - Sardegna - CA
Allegato(i) Dettagli della specie
Meloe (Eurymeloe) murinus Brandt & Erichson, 1832
Meloidae


25.I.2011 - ITALIA - Sardegna - CA
Coleoptera

Palaemonetes

6

1803

03/02/2011, 15:37

Marco A. Bologna Vedi ultimo messaggio

Nessun messaggio da leggere
Meloe (Eurymeloe) sp. - Meloidae Meloinae Meloini
1.X.2010 - ITALIA - Lazio - RM
Allegato(i)
Meloe (Eurymeloe) sp. - Meloidae Meloinae Meloini

1.X.2010 - ITALIA - Lazio - RM
Coleoptera

soken

1

898

02/02/2011, 21:24

Julodis Vedi ultimo messaggio

Nessun messaggio da leggere
Mylabris (Eumylabris) fabricii Sumakov, 1924 - Meloidae
2.VI.2010 - ITALIA - Basilicata - MT
Allegato(i) Dettagli della specie
Mylabris (Eumylabris) fabricii Sumakov, 1924
Meloidae


2.VI.2010 - ITALIA - Basilicata - MT
Coleoptera

Xylotrechus

5

1691

02/02/2011, 19:28

Marco A. Bologna Vedi ultimo messaggio

Nessun messaggio da leggere
Mylabris (Mylabris) variabilis (Pallas, 1781) - Meloidae
2.VI.2010 - ITALIA - Basilicata - MT
Allegato(i) Dettagli della specie
Mylabris (Mylabris) variabilis (Pallas, 1781)
Meloidae


2.VI.2010 - ITALIA - Basilicata - MT
Coleoptera

Xylotrechus

7

2089

02/02/2011, 19:23

Xylotrechus Vedi ultimo messaggio

Nessun messaggio da leggere
Stenoria (Stenoria) analis Schaum, 1859 - Meloidae
25.VII.2009 - SLOVACCHIA - EE
Allegato(i) Dettagli della specie
Stenoria (Stenoria) analis Schaum, 1859
Meloidae


25.VII.2009 - SLOVACCHIA - EE
Coleoptera

Acmaeodera

9

2258

02/02/2011, 19:21

Marco A. Bologna Vedi ultimo messaggio

Nessun messaggio da leggere
Allegato(i)
Apalus necydaleus (Pallas, 1782) - Meloidae Nemognathinae Sitarini

18.V.2010 - GRECIA - EE
Coleoptera

cosmln

4

1461

02/02/2011, 19:18

Marco A. Bologna Vedi ultimo messaggio

Nessun messaggio da leggere
Allegato(i) Dettagli della specie
Alosimus syriacus austriacus (Schrank von Paula, 1781)
Meloidae


18.V.2010 - GRECIA - EE
Coleoptera

cosmln

5

1787

02/02/2011, 19:15

cosmln Vedi ultimo messaggio

Nessun messaggio da leggere
Meloe (Eurymeloe) ganglbaueri Apfelbeck, 1905 - Meloidae
22.XI.2010 - ITALIA - Lazio - RM
Allegato(i) Dettagli della specie
Meloe (Eurymeloe) ganglbaueri Apfelbeck, 1905
Meloidae


22.XI.2010 - ITALIA - Lazio - RM
Coleoptera

Julodis

4

1425

02/02/2011, 19:15

Marco A. Bologna Vedi ultimo messaggio

Nessun messaggio da leggere
Allegato(i) Dettagli della specie
Meloe (Treiodous) autumnalis autumnalis A. G. Olivier, 1797
Meloidae


19.X.2008 - ROMANIA - EE
Coleoptera

alexaandru

3

1139

02/02/2011, 19:09

Marco A. Bologna Vedi ultimo messaggio

Nessun messaggio da leggere
Allegato(i) Dettagli della specie
Meloe (Treiodous) autumnalis autumnalis A. G. Olivier, 1797
Meloidae


13.IX.2009 - ROMANIA - EE
Coleoptera

alexaandru

3

1224

02/02/2011, 19:09

Marco A. Bologna Vedi ultimo messaggio

Nessun messaggio da leggere
Allegato(i) Dettagli della specie
Mylabris (Mylabris) variabilis (Pallas, 1781)
Meloidae


6.VII.2010 - SPAGNA - EE
Coleoptera

matthew gandy

2

957

02/02/2011, 19:08

Marco A. Bologna Vedi ultimo messaggio

Visualizza ultimi argomenti:  Ordina per  Ordine:  
nuovo argomento
Vai alla pagina Precedente  1 ... 10, 11, 12, 13, 14, 15  Prossimo
Pagina 13 di 15 [ 736 argomenti ]

Tutti gli orari sono UTC + 1 ora [ ora legale ]


Chi c’è in linea

Visitano il forum: Nessuno e 1 ospite


Legenda
Messaggi da leggere Messaggi da leggere Nessun messaggio da leggere Nessun messaggio da leggere Annuncio Annuncio
 
Specie indeterminata / discussione generica
Messaggi non letti [ Popolari ] Messaggi non letti [ Popolari ] Nessun messaggio da leggere [ Popolare ] Nessun messaggio da leggere [ Popolare ] Importante Importante
 
Specie determinata fino al genere o cf.
Messaggi non letti [ Bloccati ] Messaggi non letti [ Bloccati ] No messaggi non letti [ Bloccati ] No messaggi non letti [ Bloccati ] Argomento spostato Argomento spostato
 
Specie correttamente determinata
Permessi
Non puoi aprire nuovi argomenti
Non puoi rispondere negli argomenti
Non puoi modificare i tuoi messaggi
Non puoi cancellare i tuoi messaggi
Non puoi inviare allegati

Cerca per:
Vai a: