Benvenuto Ospite

Forum Entomologi Italiani

www.entomologiitaliani.net/forum
 
Oggi è 29/10/2025, 20:04

Tutti gli orari sono UTC + 1 ora [ ora legale ]

 Forum   Argomenti   Messaggi   Ultimo messaggio 
Nessun messaggio da leggere
Filtro località
Staphylinidae indeterminati

636

2551

30/07/2025, 15:09

giuseppe55 Vedi ultimo messaggio

Nessun messaggio da leggere
Filtro località
Staphylinidae Pselaphinae

427

2216

29/05/2025, 15:52

Daniele Sechi Vedi ultimo messaggio

Nessun messaggio da leggere
Filtro località
Staphylinidae Scydmaeninae

162

1018

25/10/2025, 23:15

marco villa Vedi ultimo messaggio



Staphylinidae


[ AFROTROPICALE ] [ ANTARTICO ] [ AUSTRALASIANO ] [ NEARTICO ] [ NEOTROPICALE ] [ ORIENTALE ] [ PALEARTICO ]


nuovo argomento
Vai alla pagina Precedente  1 ... 11, 12, 13, 14, 15, 16, 17 ... 23  Prossimo
Pagina 14 di 23 [ 1126 argomenti ]
 Argomenti   Ordine   Autore   Risposte   Visite    Ultimo messaggio 
Annunci
Nessun messaggio da leggere
Allegato(i)
Incontri entomologici telematici organizzati dalla Società Entomologica Italiana nel 2022 e nel 2023

[ Vai alla paginaVai alla pagina: 1, 2, 3 ]

 

Velvet Ant

44

1394274

03/03/2023, 15:55

Velvet Ant Vedi ultimo messaggio

Nessun messaggio da leggere  
Allegato(i)
Sondaggio sul declino dell'entomofauna in Italia

[ Vai alla paginaVai alla pagina: 1, 2, 3, 4 ]

 

Velvet Ant

52

1718094

22/10/2022, 19:18

Acquarius Vedi ultimo messaggio

Nessun messaggio da leggere  
Allegato(i)
Progetto: Bibliografia ragionata dei lavori entomologici nei quali sono citati reperti apparsi su FEI

[ Vai alla paginaVai alla pagina: 1, 2, 3 ]

 

Velvet Ant

33

1143105

06/07/2023, 18:31

Orotrechus Vedi ultimo messaggio

Nessun messaggio da leggere
Allegato(i)
Mimesi, il primo documentario cinematografico sull’entomologia in Italia: casting
 

mazzeip

1

451754

28/02/2019, 20:26

mazzeip Vedi ultimo messaggio

Questo argomento è bloccato, non puoi modificare o inviare ulteriori messaggi.
Allegato(i)
ISTRUZIONI PUBBLICAZIONE NUOVI ARGOMENTI E FOTO

 
Altri Ordini di Insetti

Julodis

4

821731

13/05/2015, 19:37

Julodis Vedi ultimo messaggio

Nessun messaggio da leggere
Allegato(i)
Limitatore giornaliero di messaggi, uno strumento utile e ormai indispensabile

[ Vai alla paginaVai alla pagina: 1 ... 14, 15, 16 ]

 

Velvet Ant

233

8672740

25/09/2014, 14:31

Inachis Vedi ultimo messaggio

Nessun messaggio da leggere  
NORME PER I COLLABORATORI DEL FORUM

 
 

Velvet Ant

0

475193

02/06/2011, 12:05

Velvet Ant Vedi ultimo messaggio

Nessun messaggio da leggere
Allegato(i)
NORME PER GLI UTENTI DEL FORUM

[ Vai alla paginaVai alla pagina: 1, 2, 3 ]



 
 

Velvet Ant

30

2317844

23/09/2014, 23:54

Maurizio Bollino Vedi ultimo messaggio

Nessun messaggio da leggere  
Lista degli utenti del "Forum entomologi italiani" per campi di interesse e specializzazione

 
Altri Ordini di Insetti

Velvet Ant

13

932243

07/09/2023, 17:14

Roberto-07 Vedi ultimo messaggio

Argomenti
Nessun messaggio da leggere
Omalium rivulare (Paykull, 1789) (cf.) - Staphylinidae
7.XI.2013 - ITALIA - Lazio - FR
Allegato(i)
Omalium rivulare (Paykull, 1789) (cf.) - Staphylinidae

7.XI.2013 - ITALIA - Lazio - FR
Coleoptera

Julodis

8

1106

09/02/2014, 12:28

Maurizio Bollino Vedi ultimo messaggio

Nessun messaggio da leggere
Allegato(i)
Drusilla canaliculata (Fabricius, 1787) - Staphylinidae

II.2010 - ITALIA - Lazio - RM
Coleoptera

aesalus37

3

724

30/01/2014, 7:44

aesalus37 Vedi ultimo messaggio

Nessun messaggio da leggere
Amischa nigrofusca (Stephens, 1832) (cf.) - Staphylinidae
25.XI.2013 - ITALIA - Lazio - RM
Allegato(i)
Amischa nigrofusca (Stephens, 1832) (cf.) - Staphylinidae

25.XI.2013 - ITALIA - Lazio - RM
Coleoptera

Julodis

3

1024

11/01/2014, 8:01

Julodis Vedi ultimo messaggio

Nessun messaggio da leggere
Allegato(i)
Phanolinus pretiosus (Erichson, 1840) (cf.) - Staphylinidae Staphylininae Staphylinini Xanthopygina

6.I.2002 - VENEZUELA - EE
Coleoptera

Chalybion

3

904

08/01/2014, 6:57

Honza Vedi ultimo messaggio

Nessun messaggio da leggere
Octavius doderoi Coiffait, 1965 - Staphylinidae Euaesthetinae
28.XII.2013 - ITALIA - Sardegna - CA
Allegato(i)
Octavius doderoi Coiffait, 1965 - Staphylinidae Euaesthetinae

28.XII.2013 - ITALIA - Sardegna - CA
Coleoptera

Fumea crassiorella

0

522

03/01/2014, 23:09

Fumea crassiorella Vedi ultimo messaggio

Nessun messaggio da leggere
Allegato(i)
Ocypus (Ocypus) olens (Müller, 1764) - Staphylinidae

5.VI.2013 - TURCHIA - EE
Coleoptera

ozgur70

1

547

03/01/2014, 8:12

Honza Vedi ultimo messaggio

Nessun messaggio da leggere
Allegato(i)
Sunius propinquus (Brisout, 1867) (cf.) - Staphylinidae Paederinae Paederini Medonina

27.XII.2013 - ITALIA - Sardegna - CI
Coleoptera

Fumea crassiorella

2

721

31/12/2013, 16:42

Fumea crassiorella Vedi ultimo messaggio

Nessun messaggio da leggere
Stenus (Hypostenus) similis (Herbst, 1784) - Staphylinidae
25.XI.2013 - ITALIA - Lazio - RM
Allegato(i)
Stenus (Hypostenus) similis (Herbst, 1784) - Staphylinidae

25.XI.2013 - ITALIA - Lazio - RM
Coleoptera

Julodis

2

1077

30/12/2013, 20:35

Julodis Vedi ultimo messaggio

Nessun messaggio da leggere
Allegato(i)
Anotylus rugosus (Fabricius, 1775) - Staphylinidae - Oxytelinae - Oxytelini

20.VI.2012 - ITALIA - Lombardia - BS
Coleoptera

Livio

2

841

29/12/2013, 17:55

Honza Vedi ultimo messaggio

Nessun messaggio da leggere
Allegato(i)
Astenus (s.str.) lyonessius (Joy, 1908) (cf.) - Staphylinidae

V.2013 - ITALIA - Lazio - RM
Coleoptera

aesalus37

4

1014

29/12/2013, 10:29

aesalus37 Vedi ultimo messaggio

Nessun messaggio da leggere
Allegato(i)
Scaphidium quadrimaculatum G.A. Olivier, 1790, Staphylinidae

27.XII.2013 - SVIZZERA - EE
Coleoptera

gio

2

557

28/12/2013, 19:51

gio Vedi ultimo messaggio

Nessun messaggio da leggere
Emus hirtus (Linnaeus, 1758) - Staphylinidae
2.VIII.2013 - ROMANIA - EE
Allegato(i)
Emus hirtus (Linnaeus, 1758) - Staphylinidae

2.VIII.2013 - ROMANIA - EE
Coleoptera

cosmln

2

597

27/12/2013, 15:45

Malpertuis Vedi ultimo messaggio

Nessun messaggio da leggere
Allegato(i)
Tasgius (Rayacheila) falcifer aliquoi Bordoni, 1975 - Staphylinidae

9.IV.2012 - ITALIA - Sicilia - CT
Coleoptera

Lucanus tetraodon

4

557

26/12/2013, 20:06

Honza Vedi ultimo messaggio

Nessun messaggio da leggere
Allegato(i)
Dasycerus sulcatus Brongniart, 1800 - Dasycerinae Staphylinidae

19.XII.2013 - ITALIA - Marche - PU
Coleoptera

marco paglialunga

2

472

25/12/2013, 10:15

marco paglialunga Vedi ultimo messaggio

Nessun messaggio da leggere
Allegato(i)
Ocypus (Ocypus) olens (Müller, 1764) - Staphylinidae Staphylininae Staphylinini

23.IX.2012 - ITALIA - Lombardia - BS
Coleoptera

Livio

2

670

22/12/2013, 22:57

Livio Vedi ultimo messaggio

Nessun messaggio da leggere
Allegato(i)
Ocypus (Matidus) nitens (Schrank, 1781) - Staphylinidae Staphylinini

16.XI.2013 - ITALIA - Lombardia - BS
Coleoptera

Livio

5

1095

21/12/2013, 20:47

Livio Vedi ultimo messaggio

Nessun messaggio da leggere
Allegato(i)
Ocypus (Matidus) nitens (Schrank, 1781) - Staphylinidae - Staphylinini

25.XI.2013 - ITALIA - Lazio - RM
Coleoptera

Julodis

2

941

20/12/2013, 22:52

Julodis Vedi ultimo messaggio

Nessun messaggio da leggere
Allegato(i)
Bolitobius castaneus (Stephens, 1832) - Staphylinidae Tachyporinae Mycetoporini

17.XII.2013 - ITALIA - Marche - PU
Coleoptera

marco paglialunga

0

522

20/12/2013, 13:19

marco paglialunga Vedi ultimo messaggio

Nessun messaggio da leggere
Platydracus fulvipes (Scopoli, 1763) - Staphylinidae
25.XI.2013 - ITALIA - Lazio - RM
Allegato(i)
Platydracus fulvipes (Scopoli, 1763) - Staphylinidae

25.XI.2013 - ITALIA - Lazio - RM
Coleoptera

Julodis

2

984

19/12/2013, 23:45

Julodis Vedi ultimo messaggio

Nessun messaggio da leggere
Micrillus testaceus (Erichson, 1840) - Staphylinidae
22.X.2013 - ITALIA - Toscana - GR
Allegato(i)
Micrillus testaceus (Erichson, 1840) - Staphylinidae

22.X.2013 - ITALIA - Toscana - GR
Coleoptera

pipine26

3

818

19/12/2013, 9:03

pipine26 Vedi ultimo messaggio

Nessun messaggio da leggere
Tasgius falcifer (Nordmann, 1837) - Staphylinidae
25.XI.2013 - ITALIA - Lazio - RM
Allegato(i)
Tasgius falcifer (Nordmann, 1837) - Staphylinidae

25.XI.2013 - ITALIA - Lazio - RM
Coleoptera

Julodis

3

1156

17/12/2013, 0:05

Lucanus tetraodon Vedi ultimo messaggio

Nessun messaggio da leggere
Ocypus ophthalmicus (Scopoli, 1763) - Staphylinidae
24.VIII.2013 - ITALIA - Emilia-Romagna - FE
Allegato(i)
Ocypus ophthalmicus (Scopoli, 1763) - Staphylinidae

24.VIII.2013 - ITALIA - Emilia-Romagna - FE
Coleoptera

Daniele Maccapani

3

796

13/12/2013, 23:56

Lucanus tetraodon Vedi ultimo messaggio

Nessun messaggio da leggere
Allegato(i)
Tasgius (Rayacheila) falcifer (Nordmann 1837) - Staphylinidae

X.2013 - ITALIA - Lazio - RM
Coleoptera

aesalus37

3

682

09/12/2013, 6:59

aesalus37 Vedi ultimo messaggio

Nessun messaggio da leggere
Allegato(i)
Phloeocharis (Scotodytes) ichnusae Dodero, 1900 - Staphylinidae Phloeocharinae

6.III.2011 - ITALIA - Sardegna - CA
Coleoptera

Loriscola

4

999

08/12/2013, 21:45

hypotyphlus Vedi ultimo messaggio

Nessun messaggio da leggere
Allegato(i)
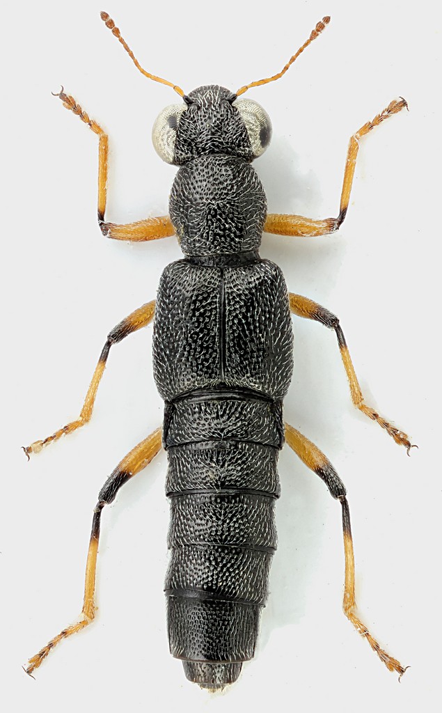
Othius laeviusculus Stephens, 1832 - Staphylinidae - Xantholinae

25.XI.2013 - ITALIA - Lazio - RM
Coleoptera

Julodis

2

968

08/12/2013, 16:43

Julodis Vedi ultimo messaggio

Nessun messaggio da leggere
Ocypus (Matidus) italicus (Aragona, 1830) - Staphylinidae
10.XI.2013 - ITALIA - Emilia-Romagna - BO
Allegato(i)
Ocypus (Matidus) italicus (Aragona, 1830) - Staphylinidae

10.XI.2013 - ITALIA - Emilia-Romagna - BO
Coleoptera

Loriscola

2

688

25/11/2013, 10:44

mascalzonepadano Vedi ultimo messaggio

Nessun messaggio da leggere
Allegato(i)
Lesteva (Lesteva) longoelytrata longoelytrata (Goeze, 1777) - Staphylinidae

25.IV.2013 - ITALIA - Lombardia - BS
Coleoptera

Livio

4

733

24/11/2013, 13:10

Honza Vedi ultimo messaggio

Nessun messaggio da leggere
Allegato(i)
Anthobium atrocephalum atrocephalum (Gyllenhal, 1827) - Staphylinidae

26.X.2013 - ITALIA - Lombardia - BS
Coleoptera

Livio

9

986

23/11/2013, 19:31

Honza Vedi ultimo messaggio

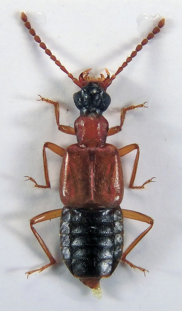
Nessun messaggio da leggere
Gauropterus fulgidus (Fabricius, 1787) - Staphylinidae
7.VI.2007 - ITALIA - Lazio - RM
Allegato(i)
Gauropterus fulgidus (Fabricius, 1787) - Staphylinidae

7.VI.2007 - ITALIA - Lazio - RM
Coleoptera

aesalus37

4

467

15/11/2013, 7:44

aesalus37 Vedi ultimo messaggio

Nessun messaggio da leggere
Allegato(i)
Lordithon (Lordithon) bimaculatus (Schrank, 1798) - Staphylinidae Tachyporinae

7.XI.2013 - ITALIA - Marche - PU
Coleoptera

marco paglialunga

4

547

11/11/2013, 9:07

marco paglialunga Vedi ultimo messaggio

Nessun messaggio da leggere
Allegato(i)
Oedichirus (Oedichirus) paederinus Erichson 1840 - Staphylinidae

4.IV.2013 - ITALIA - Sicilia - TP
Coleoptera

Lymnastis

6

736

10/11/2013, 21:40

giuseppe55 Vedi ultimo messaggio

Nessun messaggio da leggere
Allegato(i)
Lordithon (Bolitobus) lunulatus (Linnaeus, 1760) - Staphylinidae

19.V.2013 - ITALIA - Umbria - PG
Coleoptera

StagBeetle

8

937

10/11/2013, 18:37

Honza Vedi ultimo messaggio

Nessun messaggio da leggere
Allegato(i)
Tasgius (Tasgius) pedator pedator (Gravenhorst, 1802) - Staphylinidae

12.X.2013 - ITALIA - Toscana - LI
Coleoptera

FORBIX

2

559

31/10/2013, 15:08

FORBIX Vedi ultimo messaggio

Nessun messaggio da leggere
Ocypus (Ocypus) olens (O. Müller, 1764) - Staphylinidae
20.X.2013 - ITALIA - Emilia-Romagna - FE
Allegato(i)
Ocypus (Ocypus) olens (O. Müller, 1764) - Staphylinidae

20.X.2013 - ITALIA - Emilia-Romagna - FE
Coleoptera

BadMasterMax

12

1250

28/10/2013, 15:41

BadMasterMax Vedi ultimo messaggio

Nessun messaggio da leggere
Scaphium immaculatum (Olivier, 1790) - Staphylinidae
19.X.2013 - ITALIA - Lazio - VT
Allegato(i)
Scaphium immaculatum (Olivier, 1790) - Staphylinidae

19.X.2013 - ITALIA - Lazio - VT
Coleoptera

Andricus

2

580

22/10/2013, 19:52

Andricus Vedi ultimo messaggio

Nessun messaggio da leggere
Allegato(i)
Tasgius (Rayacheila) falcifer (Nordmann 1837) - Staphylinidae

16.X.2013 - ITALIA - Lazio - RM
Coleoptera

Julodis

1

570

19/10/2013, 20:56

Honza Vedi ultimo messaggio

Nessun messaggio da leggere
Allegato(i)
Lobrathium multipunctum multipunctum (Gravenhorst, 1802) (cf.) - Staphylinidae Paederinae

10.X.2013 - ITALIA - Marche - PU
Coleoptera

marco paglialunga

3

982

14/10/2013, 7:23

Honza Vedi ultimo messaggio

Nessun messaggio da leggere
Ocypus (Ocypus) olens (O. Müller, 1764) - Staphylinidae
4.V.2013 - ITALIA - Sardegna - OT
Allegato(i)
Ocypus (Ocypus) olens (O. Müller, 1764) - Staphylinidae

4.V.2013 - ITALIA - Sardegna - OT
Coleoptera

Fumea crassiorella

0

481

09/10/2013, 16:51

Fumea crassiorella Vedi ultimo messaggio

Nessun messaggio da leggere
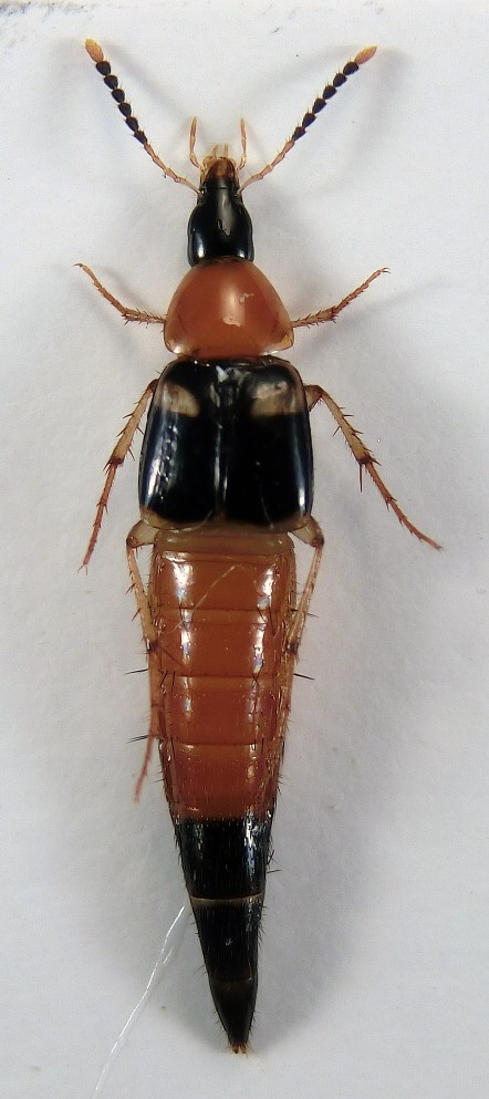
Paederus (Paederus) melanurus Aragona 1830 - Staphylinidae
3.X.2013 - ITALIA - Lombardia - SO
Allegato(i)
Paederus (Paederus) melanurus Aragona 1830 - Staphylinidae

3.X.2013 - ITALIA - Lombardia - SO
Coleoptera

Dioli

0

545

03/10/2013, 18:56

Dioli Vedi ultimo messaggio

Nessun messaggio da leggere
Allegato(i)
Platystethus cornutus (Gravenhorst, 1802) - Staphylinidae Oxytelinae

28.IX.2013 - ITALIA - Marche - PU
Coleoptera

marco paglialunga

0

481

30/09/2013, 0:34

marco paglialunga Vedi ultimo messaggio

Nessun messaggio da leggere
Allegato(i)
Philonthus umbratilis (Gravenhorst, 1802) cf. - Staphylinidae

17.IX.2013 - ITALIA - Marche - PU
Coleoptera

marco paglialunga

6

640

22/09/2013, 19:49

marco paglialunga Vedi ultimo messaggio

Nessun messaggio da leggere
Ocypus (s.str.) olens (O. Müller, 1764) - Staphylinidae
4.IX.2013 - ITALIA - Emilia-Romagna - BO
Allegato(i)
Ocypus (s.str.) olens (O. Müller, 1764) - Staphylinidae

4.IX.2013 - ITALIA - Emilia-Romagna - BO
Coleoptera

bimbol

9

3912

05/09/2013, 16:04

bimbol Vedi ultimo messaggio

Nessun messaggio da leggere
Platydracus stercorarius (Olivier, 1795) - Staphylinidae
14.VIII.2013 - ITALIA - Toscana - LU
Allegato(i)
Platydracus stercorarius (Olivier, 1795) - Staphylinidae

14.VIII.2013 - ITALIA - Toscana - LU
Coleoptera

Michael

10

915

25/08/2013, 10:51

Michael Vedi ultimo messaggio

Nessun messaggio da leggere
Velleius dilatatus (Fabricius, 1787) - Staphylinidae
21.VII.2013 - ITALIA - Emilia-Romagna - BO
Allegato(i)
Velleius dilatatus (Fabricius, 1787) - Staphylinidae

21.VII.2013 - ITALIA - Emilia-Romagna - BO
Coleoptera

Loriscola

0

432

13/08/2013, 17:11

Loriscola Vedi ultimo messaggio

Nessun messaggio da leggere
Ocypus (Ocypus) olens (O. Müller, 1764) - Staphylinidae
15.VI.2013 - ITALIA - Piemonte - NO
Allegato(i)
Ocypus (Ocypus) olens (O. Müller, 1764) - Staphylinidae

15.VI.2013 - ITALIA - Piemonte - NO
Coleoptera

farinetti

3

788

04/08/2013, 18:13

Tenebrio Vedi ultimo messaggio

Nessun messaggio da leggere
Acidota crenata (Fabricius, 1793) - Staphylinidae Omalinae
9.VII.2013 - ITALIA - Lombardia - SO
Allegato(i)
Acidota crenata (Fabricius, 1793) - Staphylinidae Omalinae

9.VII.2013 - ITALIA - Lombardia - SO
Coleoptera

aug

3

1354

22/07/2013, 8:14

aug Vedi ultimo messaggio

Nessun messaggio da leggere
Allegato(i)
Scotonomus mariae P. Leo, A. Degiovanni & L. Fancello, 2013 - Staphylinidae

[ Vai alla paginaVai alla pagina: 1, 2 ]



20.III.2012 - ITALIA - Sardegna - CA
Coleoptera

Notoxus59

22

4150

16/07/2013, 12:05

Lucanus tetraodon Vedi ultimo messaggio

Nessun messaggio da leggere
Allegato(i)
Lesteva (Lesteva) monticola Kiesenwetter, 1847 - Staphylinidae Omalinae Omaliini

8.VI.2013 - ITALIA - Marche - MC
Coleoptera

StagBeetle

6

1281

04/07/2013, 6:29

Honza Vedi ultimo messaggio

Nessun messaggio da leggere
Bledius fergussoni Joy, 1912 (cf.) - Staphilinidae
20.VI.2013 - ITALIA - Sardegna - CA
Allegato(i)
Bledius fergussoni Joy, 1912 (cf.) - Staphilinidae

20.VI.2013 - ITALIA - Sardegna - CA
Coleoptera

Fumea crassiorella

2

652

01/07/2013, 16:05

Fumea crassiorella Vedi ultimo messaggio

Nessun messaggio da leggere
Astrapaeus ulmi (Rossi, 1790) - Staphylinidae
18.V.2013 - ITALIA - Friuli-Venezia Giulia - GO
Allegato(i)
Astrapaeus ulmi (Rossi, 1790) - Staphylinidae

18.V.2013 - ITALIA - Friuli-Venezia Giulia - GO
Coleoptera

Agdistis

2

670

20/05/2013, 21:59

Agdistis Vedi ultimo messaggio

Visualizza ultimi argomenti:  Ordina per  Ordine:  
nuovo argomento
Vai alla pagina Precedente  1 ... 11, 12, 13, 14, 15, 16, 17 ... 23  Prossimo
Pagina 14 di 23 [ 1126 argomenti ]

Tutti gli orari sono UTC + 1 ora [ ora legale ]


Chi c’è in linea

Visitano il forum: Nessuno e 1 ospite


Legenda
Messaggi da leggere Messaggi da leggere Nessun messaggio da leggere Nessun messaggio da leggere Annuncio Annuncio
 
Specie indeterminata / discussione generica
Messaggi non letti [ Popolari ] Messaggi non letti [ Popolari ] Nessun messaggio da leggere [ Popolare ] Nessun messaggio da leggere [ Popolare ] Importante Importante
 
Specie determinata fino al genere o cf.
Messaggi non letti [ Bloccati ] Messaggi non letti [ Bloccati ] No messaggi non letti [ Bloccati ] No messaggi non letti [ Bloccati ] Argomento spostato Argomento spostato
 
Specie correttamente determinata
Permessi
Non puoi aprire nuovi argomenti
Non puoi rispondere negli argomenti
Non puoi modificare i tuoi messaggi
Non puoi cancellare i tuoi messaggi
Non puoi inviare allegati

Cerca per:
Vai a: