|
|
| Argomenti |
Ordine |
Autore |
Risposte |
Visite |
Ultimo messaggio |
| Annunci |
 |
|
Incontri entomologici telematici organizzati dalla Società Entomologica Italiana nel 2022 e nel 2023
[ Vai alla pagina: 1, 2, 3 ]
|
|
Velvet Ant |
44 |
1393016 |
03/03/2023, 15:55
Velvet Ant
|
 |
|
Sondaggio sul declino dell'entomofauna in Italia
[ Vai alla pagina: 1, 2, 3, 4 ]
|
|
Velvet Ant |
52 |
1716941 |
22/10/2022, 19:18
Acquarius
|
 |
|
Progetto: Bibliografia ragionata dei lavori entomologici nei quali sono citati reperti apparsi su FEI
[ Vai alla pagina: 1, 2, 3 ]
|
|
Velvet Ant |
33 |
1142191 |
06/07/2023, 18:31
Orotrechus
|
 |
|
Mimesi, il primo documentario cinematografico sull’entomologia in Italia: casting
|
|
mazzeip |
1 |
451547 |
28/02/2019, 20:26
mazzeip
|
 |
|
ISTRUZIONI PUBBLICAZIONE NUOVI ARGOMENTI E FOTO
|
Altri Ordini di Insetti |
Julodis |
4 |
820499 |
13/05/2015, 19:37
Julodis
|
 |
|
Limitatore giornaliero di messaggi, uno strumento utile e ormai indispensabile
[ Vai alla pagina: 1 ... 14, 15, 16 ]
|
|
Velvet Ant |
233 |
8668121 |
25/09/2014, 14:31
Inachis
|
 |
|
NORME PER I COLLABORATORI DEL FORUM
|
|
Velvet Ant |
0 |
475020 |
02/06/2011, 12:05
Velvet Ant
|
 |
|
NORME PER GLI UTENTI DEL FORUM
[ Vai alla pagina: 1, 2, 3 ]
|
|
Velvet Ant |
30 |
2316862 |
23/09/2014, 23:54
Maurizio Bollino
|
 |
|
Lista degli utenti del "Forum entomologi italiani" per campi di interesse e specializzazione
|
Altri Ordini di Insetti |
Velvet Ant |
13 |
931845 |
07/09/2023, 17:14
Roberto-07
|
| Argomenti |
 |
|
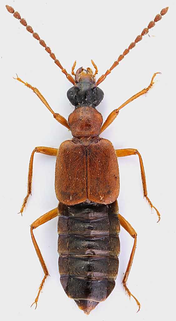
Ocypus (Ocypus) ophtalmicus (Scopoli, 1763) - Staphylinidae, Staphylinina
16.VII.2011 - ITALIA - Lazio - RM
|
Coleoptera |
Broc |
4 |
557 |
15/08/2011, 20:40
Broc
|
 |
|
Deleaster dichrous (Gravenhorst, 1802) - Staphylinidae Oxytelinae
1.VIII.2011 - ITALIA - Lazio - FR
|
Coleoptera |
Julodis |
2 |
385 |
15/08/2011, 0:45
Julodis
|
 |
|
Oxyporus maxillosus Fabricius, 1792 - Staphylinidae Oxyporinae
23.V.2011 - TURCHIA - EE
|
Coleoptera |
Isotomus |
2 |
552 |
11/08/2011, 19:49
Isotomus
|
 |
|
Megalinus glabratus (Gravenhorst, 1802) (cf.) - Staphylinidae
28.V.2011 - ITALIA - Campania - NA
|
Coleoptera |
clido |
7 |
1076 |
04/08/2011, 10:54
Honza
|
 |
|
Ontholestes murinus (Linnaeus, 1758) - Staphylinidae Staphylinini Staphylinina
3.VII.2011 - ITALIA - Lazio - RM
|
Coleoptera |
Broc |
5 |
621 |
01/08/2011, 21:02
Broc
|
 |
|
Deleaster dichrous (Gravenhorst, 1802) - Staphylinidae Oxytelinae
27.VI.2010 - ITALIA - Sicilia
|
Coleoptera |
Agatino Reitano |
1 |
342 |
01/08/2011, 11:01
Honza
|
 |
|
Ocypus ophtalmicus (Scopoli, 1763) - Staphylinidae
17.VII.2010 - ITALIA - Sicilia - CT
|
Coleoptera |
Agatino Reitano |
4 |
617 |
28/07/2011, 16:25
marco paglialunga
|
 |
|
Ocypus (Ocypus) olens olens (O. Muller, 1764) - Staphylinidae Staphylininae Staphylinini Staphylinina
20.VI.2011 - FRANCIA - EE
|
Coleoptera |
matthew gandy |
3 |
439 |
27/07/2011, 0:46
matthew gandy
|
 |
|
Bledius (Bledius) unicornis (Germar, 1825) - Staphylinidae Oxytelini
3.VII.2011 - ITALIA - Sardegna - CA
|
Coleoptera |
ruzzpa |
1 |
451 |
04/07/2011, 12:13
Honza
|
 |
|
Deleaster dichrous (Gravenhorst, 1802) - Staphylinidae Oxytelinae
16.VI.2011 - ITALIA - Emilia-Romagna - BO
|
Coleoptera |
Loriscola |
2 |
300 |
23/06/2011, 9:03
Loriscola
|
 |
|
Ocypus (Matidus) brunnipes alpicola Erichson, 1840 - Staphylinidae
7.III.2011 - ITALIA - Veneto - VE
|
Coleoptera |
Effe Esse |
5 |
549 |
19/06/2011, 13:59
Honza
|
 |
|
Anthobium (Anthobium) atrocephalum atrocephalum (Gyllenhal, 1827) - Staphylinidae Omaliinae Anthophagini
23.I.2011 - ITALIA - Friuli-Venezia Giulia - GO
|
Coleoptera |
Agdistis |
4 |
663 |
19/06/2011, 11:33
Agdistis
|
 |
|
Blepharhymenus (Blepharrymorphus) mirandus Fauvel, 1899 - Staphylinidae Aleocharinae Oxypodini Blepharhymenina
1.X.2003 - ITALIA - Piemonte - CN
|
Coleoptera |
hypotyphlus |
9 |
1583 |
18/06/2011, 15:06
Honza
|
 |
|
Ocypus (Matidus) italicus (Aragona, 1830) - Staphylinidae Staphylininae Staphylinini Staphylinina
1.VI.1970 - ITALIA - Toscana - SI
|
Coleoptera |
ilio |
2 |
456 |
18/06/2011, 13:13
Adriano Zanetti
|
 |
|
Ocypus (Ocypus) olens olens (O. Muller, 1764) - Staphylinidae Staphylininae Staphylinini Staphylinina
1.X.2006 - ITALIA - Lombardia - SO
|
Coleoptera |
Luciano Menghi |
1 |
383 |
18/06/2011, 13:12
Adriano Zanetti
|
 |
|
Sunius (Sunius) propinquus (Brisout de Barneville, 1867) (cf.) - Staphylinidae Paederinae Paederini Medonina
7.III.2011 - ITALIA - Sardegna - CA
|
Coleoptera |
ruzzpa |
3 |
369 |
18/06/2011, 13:11
Adriano Zanetti
|
 |
|
Lesteva omissa Rey, 1880 - Staphylinidae
19.III.2011 - ITALIA - Sardegna - CA
|
Coleoptera |
Fumea crassiorella |
8 |
588 |
18/06/2011, 13:09
Adriano Zanetti
|
 |
|
Proteinus ovalis Stephens, 1834 - Staphylinidae Proteininae Proteinini
17.III.2011 - ITALIA - Friuli-Venezia Giulia - GO
|
Coleoptera |
Agdistis |
3 |
429 |
18/06/2011, 13:08
Adriano Zanetti
|
 |
|
Hypnogyra angularis (Ganglbauer, 1895) - Staphylinidae Staphylininae Xantholinini
17.III.2011 - ITALIA - Friuli-Venezia Giulia - GO
|
Coleoptera |
Agdistis |
3 |
421 |
18/06/2011, 13:07
Adriano Zanetti
|
 |
|
Drusilla canaliculata (Fabricius, 1787) - Staphylinidae Aleocharinae Myrmedoniini
17.III.2011 - ITALIA - Friuli-Venezia Giulia - GO
|
Coleoptera |
Agdistis |
3 |
508 |
18/06/2011, 13:06
Adriano Zanetti
|
 |
|
Paederus (Poederomorphus) littoralis Gravenhorst, 1802 - Staphylinidae Paederinae Paederini Paederina
|
Coleoptera |
roby77 |
5 |
713 |
18/06/2011, 13:03
Adriano Zanetti
|
 |
|
Anthophagus (Phaganthus) fauveli caprai Koch, 1933 - Staphylinidae Omaliinae Anthophagini
21.IX.2010 - ITALIA - Toscana - FI
|
Coleoptera |
Sleepy Moose |
3 |
457 |
18/06/2011, 13:02
Adriano Zanetti
|
 |
|
Scaphium immaculatum (Olivier, 1790) - Staphylinidae, Scaphidiinae
5.III.2011 - ITALIA - Toscana - PI
|
Coleoptera |
Stefano79 |
2 |
420 |
15/06/2011, 11:49
Stefano79
|
 |
|
Platystethus (Platystethus) alutaceus Thomson, 1861 (cf.) - Staphylinidae Oxytelinae
30.V.2011 - ITALIA - Toscana - LI
|
Coleoptera |
FORBIX |
4 |
678 |
06/06/2011, 6:12
Honza
|
 |
|
Ocypus (Pseudocypus ) fortunatarum Wollaston, 1871 - Staphylinidae
4.VI.2011 - ITALIA - Puglia - BA
|
Coleoptera |
Mimmo011 |
4 |
807 |
04/06/2011, 21:11
Mimmo011
|
 |
|
Ocypus (Matidus) italicus (Aragona, 1830) - Staphylinidae
14.V.2011 - ITALIA - Abruzzo - AQ
|
Coleoptera |
clido |
2 |
402 |
01/06/2011, 20:35
clido
|
 |
|
Ocypus (Ocypus) olens (O. Müller, 1764) - Staphylinidae
17.III.2011 - ITALIA - Emilia-Romagna - RE
|
Coleoptera |
Mikiphasmide |
6 |
619 |
23/05/2011, 16:37
Liptaster
|
 |
|
Tasgius (Raycheila) winkleri (Bernhauer, 1906) (cf.) - Staphylininae - Staphylinini
14.III.2011 - ITALIA - Emilia-Romagna - RE
|
Coleoptera |
Mikiphasmide |
8 |
698 |
23/05/2011, 11:44
mascalzonepadano
|
 |
|
Dinothenarus flavocephalus (Goeze, 1777) - Staphylinidae
9.IV.2011 - ITALIA - Marche - MC
|
Coleoptera |
StagBeetle |
5 |
760 |
06/05/2011, 21:42
StagBeetle
|
 |
|
Staphylinus (s.str.) caesareus Cederhjelm, 1798 - Staphylinidae
5.VI.1995 - FRANCIA - EE
|
Coleoptera |
D & JP Balmer |
4 |
609 |
06/05/2011, 16:16
D & JP Balmer
|
 |
|
Ocypus (Matidus) italicus (Aragona, 1830) - Staphylinidae
21.IV.2011 - ITALIA - Emilia-Romagna - BO
|
Coleoptera |
Loriscola |
4 |
667 |
06/05/2011, 12:38
mascalzonepadano
|
 |
|
Platydracus chalcocephalus (Fabricius, 1801) - Staphylinidae - Staphylinini
12.VI.1996 - FRANCIA - EE
|
Coleoptera |
D & JP Balmer |
3 |
540 |
06/05/2011, 12:37
D & JP Balmer
|
 |
|
Emus hirtus (Linnaeus, 1758) - Staphylinidae
6.X.1995 - FRANCIA - EE
|
Coleoptera |
D & JP Balmer |
2 |
450 |
06/05/2011, 12:33
D & JP Balmer
|
 |
|
Ontholestes murinus (Linneo, 1758) - Staphylinidae
28.VII.1987 - FRANCIA - EE
|
Coleoptera |
D & JP Balmer |
2 |
368 |
06/05/2011, 12:30
D & JP Balmer
|
 |
|
Ocypus (Ocypus) olens (O. Müller, 1764) - Staphylinidae
28.III.2011 - ITALIA - Lazio - RM
|
Coleoptera |
Julodis |
5 |
534 |
06/05/2011, 12:30
mascalzonepadano
|
 |
|
Ocypus (Ocypus) olens (O. Müller, 1764) - Staphylinidae
14.VIII.2005 - FRANCIA - EE
|
Coleoptera |
D & JP Balmer |
3 |
480 |
04/05/2011, 7:27
D & JP Balmer
|
 |
|
Oxyporus rufus (Linnaeus 1758) - Staphylinidae Oxyporinae
1.VIII.2004 - FRANCIA - EE
|
Coleoptera |
D & JP Balmer |
2 |
420 |
01/05/2011, 13:54
D & JP Balmer
|
 |
|
Staphylinidae larva
23.IV.2011 - ITALIA - Sardegna - CA
|
Coleoptera |
Fumea crassiorella |
2 |
390 |
27/04/2011, 19:13
Fumea crassiorella
|
 |
|
Creophilus maxillosus (Linnaeus, 1758) - Staphylinidae
23.IV.2011 - ITALIA - Marche - AN
|
Coleoptera |
StagBeetle |
0 |
419 |
26/04/2011, 23:18
StagBeetle
|
 |
|
Eusphalerum italicum italicum (Koch, 1938) (cf.) - Staphylinidae
21.IV.2011 - ITALIA - Emilia-Romagna - BO
|
Coleoptera |
Loriscola |
1 |
355 |
23/04/2011, 22:11
Loriscola
|
 |
|
Anotylus sculpturatus (Gravenhorst, 1806) - Staphilinidae Oxytelinae
1.IV.2011 - ROMANIA - EE
|
Coleoptera |
cosmln |
5 |
630 |
16/04/2011, 11:40
Honza
|
 |
|
Orthridus cribratus (Erichson, 1840) - Staphylinidae Staphylininae Philonthini
10.IV.2011 - ITALIA - Friuli-Venezia Giulia - GO
|
Coleoptera |
Agdistis |
2 |
357 |
11/04/2011, 21:18
Agdistis
|
 |
|
Ocypus (Ocypus) olens (O. Müller, 1764) - Staphylinidae, Staphylininae, Staphylinini, Staphylinina
20.III.2011 - ITALIA - Lazio - RM
|
Coleoptera |
Julodis |
1 |
349 |
11/04/2011, 8:07
Julodis
|
 |
|
Creophilus maxillosus (Linnaeus, 1758) - Staphylinidae - Lazio
4.IV.2011 - ITALIA - Lazio - RM
|
Coleoptera |
Julodis |
0 |
677 |
09/04/2011, 13:50
Julodis
|
 |
|
Cordalia obscura (Gravenhorst, 1802) - Staphylinidae - Lazio
19.I.2011 - ITALIA - Lazio - RM
|
Coleoptera |
Julodis |
2 |
440 |
08/04/2011, 1:09
Julodis
|
 |
|
Tachinus corticinus Gravenhorst 1802 cf. -Staphylinidae Tachyporinae
17.III.2011 - ITALIA - Friuli-Venezia Giulia - GO
|
Coleoptera |
Agdistis |
3 |
385 |
07/04/2011, 17:34
Liptaster
|
 |
|
Tachyporus chrysomelinus (Linnaeus, 1758) - Staphylinidae Tachyporinae - London
7.IV.2011 - REGNO UNITO - Inghilterra - EE
|
Coleoptera |
matthew gandy |
2 |
413 |
07/04/2011, 15:43
matthew gandy
|
 |
|
Leptobium gracile Gravenhorst, 1802 - Staphylinidae Paederinae Dolicaonina
3.IV.2011 - BULGARIA - EE
|
Coleoptera |
Joro |
2 |
344 |
06/04/2011, 22:41
Joro
|
 |
|
Bledius (Euceratobledius) atramentarius Rottenberg, 1870 - Staphylinidae Oxytelinae Thinobiini
28.III.2011 - ITALIA - Sardegna - CA
|
Coleoptera |
Palaemonetes |
3 |
495 |
01/04/2011, 18:48
Palaemonetes
|
 |
|
Paederus (Poederomorphus) littoralis Gravenhorst, 1802 - Staphylinidae Paederini Paederina
26.III.2011 - ROMANIA - EE
|
Coleoptera |
cosmln |
2 |
375 |
29/03/2011, 15:44
cosmln
|
|
|