Benvenuto Ospite

Forum Entomologi Italiani

www.entomologiitaliani.net/forum
 
Oggi è 23/12/2025, 0:50

Tutti gli orari sono UTC + 1 ora [ ora legale ]

Staphylinidae indeterminati


[ AFROTROPICALE ] [ ANTARTICO ] [ AUSTRALASIANO ] [ NEARTICO ] [ NEOTROPICALE ] [ ORIENTALE ] [ PALEARTICO ]


nuovo argomento
Vai alla pagina Precedente  1, 2, 3, 4, 5, 6 ... 13  Prossimo
Pagina 3 di 13 [ 637 argomenti ]
 Argomenti   Ordine   Autore   Risposte   Visite    Ultimo messaggio 
Annunci
Nessun messaggio da leggere
Allegato(i)
Incontri entomologici della Società Entomologica Italiana 2025-2026
 

Velvet Ant

0

13817

17/11/2025, 19:41

Velvet Ant Vedi ultimo messaggio

Nessun messaggio da leggere
Allegato(i)
Incontri entomologici telematici organizzati dalla Società Entomologica Italiana nel 2022 e nel 2023

[ Vai alla paginaVai alla pagina: 1, 2, 3 ]

 

Velvet Ant

44

1696105

03/03/2023, 15:55

Velvet Ant Vedi ultimo messaggio

Nessun messaggio da leggere  
Allegato(i)
Sondaggio sul declino dell'entomofauna in Italia

[ Vai alla paginaVai alla pagina: 1, 2, 3, 4 ]

 

Velvet Ant

52

2319473

22/10/2022, 19:18

Acquarius Vedi ultimo messaggio

Nessun messaggio da leggere  
Allegato(i)
Progetto: Bibliografia ragionata dei lavori entomologici nei quali sono citati reperti apparsi su FEI

[ Vai alla paginaVai alla pagina: 1, 2, 3 ]

 

Velvet Ant

33

1362376

06/07/2023, 18:31

Orotrechus Vedi ultimo messaggio

Nessun messaggio da leggere
Allegato(i)
Mimesi, il primo documentario cinematografico sull’entomologia in Italia: casting
 

mazzeip

1

1087863

28/02/2019, 20:26

mazzeip Vedi ultimo messaggio

Questo argomento è bloccato, non puoi modificare o inviare ulteriori messaggi.
Allegato(i)
ISTRUZIONI PUBBLICAZIONE NUOVI ARGOMENTI E FOTO

 
Altri Ordini di Insetti

Julodis

4

2886060

13/05/2015, 19:37

Julodis Vedi ultimo messaggio

Nessun messaggio da leggere
Allegato(i)
Limitatore giornaliero di messaggi, uno strumento utile e ormai indispensabile

[ Vai alla paginaVai alla pagina: 1 ... 14, 15, 16 ]

 

Velvet Ant

233

12377974

25/09/2014, 14:31

Inachis Vedi ultimo messaggio

Nessun messaggio da leggere  
NORME PER I COLLABORATORI DEL FORUM

 
 

Velvet Ant

0

632937

02/06/2011, 12:05

Velvet Ant Vedi ultimo messaggio

Nessun messaggio da leggere
Allegato(i)
NORME PER GLI UTENTI DEL FORUM

[ Vai alla paginaVai alla pagina: 1, 2, 3 ]



 
 

Velvet Ant

30

3480735

23/09/2014, 23:54

Maurizio Bollino Vedi ultimo messaggio

Nessun messaggio da leggere  
Lista degli utenti del "Forum entomologi italiani" per campi di interesse e specializzazione

 
Altri Ordini di Insetti

Velvet Ant

13

1008153

07/09/2023, 17:14

Roberto-07 Vedi ultimo messaggio

Argomenti
Nessun messaggio da leggere
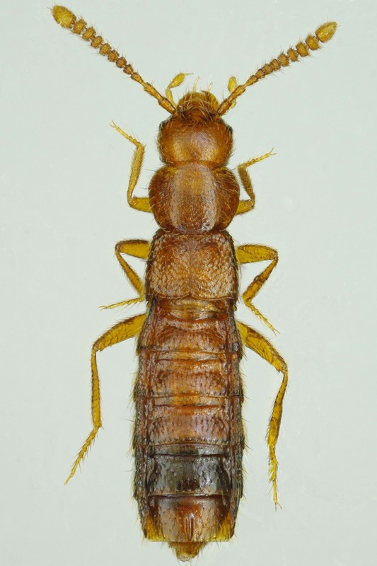
Staphylinidae sp.
26.III.2021 - ITALIA - Lazio - RM
Allegato(i)
Staphylinidae sp.

26.III.2021 - ITALIA - Lazio - RM
Coleoptera

wgliinsetti

0

375

20/04/2021, 13:04

wgliinsetti Vedi ultimo messaggio

Nessun messaggio da leggere
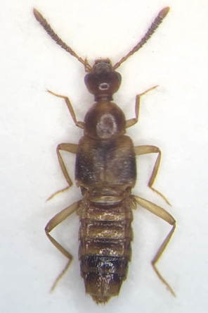
Quedius (Raphirus) sp. - Staphylinidae
27.XI.2014 - ITALIA - Abruzzo - PE
Allegato(i)
Quedius (Raphirus) sp. - Staphylinidae

27.XI.2014 - ITALIA - Abruzzo - PE
Coleoptera

Alessio89

5

1379

04/04/2021, 13:39

Honza Vedi ultimo messaggio

Nessun messaggio da leggere
Allegato(i)
Euaesthetus ruficapillus (Lacordaire, 1835) - Staphylinidae Euasthetinae

2.V.2020 - ITALIA - Veneto - VR
Coleoptera

Alez

4

578

01/04/2021, 22:15

Alez Vedi ultimo messaggio

Nessun messaggio da leggere
Larva di Staphylinidae sp.
19.III.2021 - ITALIA - Veneto - VE
Allegato(i)
Larva di Staphylinidae sp.

19.III.2021 - ITALIA - Veneto - VE
Coleoptera

Lorenzo Zanella

6

627

24/03/2021, 9:27

Lorenzo Zanella Vedi ultimo messaggio

Nessun messaggio da leggere
Medon sp. - Staphylinidae Paederinae
1.III.2021 - ITALIA - Friuli-Venezia Giulia - GO
Allegato(i)
Medon sp. - Staphylinidae Paederinae

1.III.2021 - ITALIA - Friuli-Venezia Giulia - GO
Coleoptera

Agdistis

2

478

08/03/2021, 2:18

Agdistis Vedi ultimo messaggio

Nessun messaggio da leggere
Staphylinidae da identificare
28.IV.2019 - ITALIA - Marche - AN
Allegato(i)
Staphylinidae da identificare

28.IV.2019 - ITALIA - Marche - AN
Coleoptera

mbondini

0

358

10/02/2021, 17:30

mbondini Vedi ultimo messaggio

Nessun messaggio da leggere
Tachyporus sp. - Staphylinidae Tachyporinae
28.VI.2019 - ITALIA - Marche - AN
Allegato(i)
Tachyporus sp. - Staphylinidae Tachyporinae

28.VI.2019 - ITALIA - Marche - AN
Coleoptera

mbondini

2

468

10/02/2021, 13:37

mbondini Vedi ultimo messaggio

Nessun messaggio da leggere
ancora uno Staphylinidae da identificare
3.XI.2018 - ITALIA - Toscana - AR
Allegato(i)
ancora uno Staphylinidae da identificare

3.XI.2018 - ITALIA - Toscana - AR
Coleoptera

parnassius

0

327

07/02/2021, 18:14

parnassius Vedi ultimo messaggio

Nessun messaggio da leggere
Geostiba sp. - Staphylinidae Aleocharinae
17.XII.2011 - ITALIA - Sardegna - CA
Allegato(i)
Geostiba sp. - Staphylinidae Aleocharinae

17.XII.2011 - ITALIA - Sardegna - CA
Coleoptera

Fumea crassiorella

4

611

05/02/2021, 15:11

Honza Vedi ultimo messaggio

Nessun messaggio da leggere
Ischnosoma sp. - Staphylinidae
17.I.2011 - ITALIA - Veneto - BL
Allegato(i)
Ischnosoma sp. - Staphylinidae

17.I.2011 - ITALIA - Veneto - BL
Coleoptera

Maw89

1

429

05/02/2021, 8:52

AetherisIgnis Vedi ultimo messaggio

Nessun messaggio da leggere
Geostiba sp. - Staphylinidae Aleocharinae
21.III.2014 - ITALIA - Sardegna - NU
Allegato(i)
Geostiba sp. - Staphylinidae Aleocharinae

21.III.2014 - ITALIA - Sardegna - NU
Coleoptera

Notoxus59

4

904

05/02/2021, 8:22

AetherisIgnis Vedi ultimo messaggio

Nessun messaggio da leggere
Xantholinus sp. - Staphylinidae
15.XII.2020 - ITALIA - Lazio - RM
Allegato(i)
Xantholinus sp. - Staphylinidae

15.XII.2020 - ITALIA - Lazio - RM
Coleoptera

soken

2

418

29/01/2021, 17:47

soken Vedi ultimo messaggio

Nessun messaggio da leggere
Medon sp. (cf.) - Staphylinidae Paederinae
29.VI.2019 - ITALIA - Sicilia - TP
Allegato(i)
Medon sp. (cf.) - Staphylinidae Paederinae

29.VI.2019 - ITALIA - Sicilia - TP
Coleoptera

Chalybion

3

531

26/01/2021, 20:33

Chalybion Vedi ultimo messaggio

Nessun messaggio da leggere
Larva di Staphylinidae sp.
23.VIII.2020 - ITALIA - Lazio - RM
Allegato(i)
Larva di Staphylinidae sp.

23.VIII.2020 - ITALIA - Lazio - RM
Coleoptera

soken

3

518

07/01/2021, 23:02

soken Vedi ultimo messaggio

Nessun messaggio da leggere
Bolitochara sp. - Staphylinidae
18.V.2007 - GERMANIA - EE
Allegato(i)
Bolitochara sp. - Staphylinidae

18.V.2007 - GERMANIA - EE
Coleoptera

scarabaeidae

3

999

28/12/2020, 3:15

AetherisIgnis Vedi ultimo messaggio

Nessun messaggio da leggere
Staphylinidae sp.
28.VIII.2015 - ITALIA - Abruzzo - PE
Allegato(i)
Staphylinidae sp.

28.VIII.2015 - ITALIA - Abruzzo - PE
Coleoptera

Alessio89

1

554

28/12/2020, 2:15

AetherisIgnis Vedi ultimo messaggio

Nessun messaggio da leggere
Platystethus sp. - Staphylinidae Oxytelinae
20.III.2016 - ITALIA - Emilia-Romagna - FE
Allegato(i)
Platystethus sp. - Staphylinidae Oxytelinae

20.III.2016 - ITALIA - Emilia-Romagna - FE
Coleoptera

Alessio89

3

583

28/12/2020, 1:59

AetherisIgnis Vedi ultimo messaggio

Nessun messaggio da leggere
Anotylus sp. - Staphylinidae
10.I.2015 - ITALIA - Abruzzo - PE
Allegato(i)
Anotylus sp. - Staphylinidae

10.I.2015 - ITALIA - Abruzzo - PE
Coleoptera

Alessio89

3

880

28/12/2020, 1:50

AetherisIgnis Vedi ultimo messaggio

Nessun messaggio da leggere
Staphylinidae sp.
1.XI.2020 - ITALIA - Lazio - RM
Allegato(i)
Staphylinidae sp.

1.XI.2020 - ITALIA - Lazio - RM
Coleoptera

DiRussoEd

2

485

19/11/2020, 20:27

DiRussoEd Vedi ultimo messaggio

Nessun messaggio da leggere
Lathrobium sp. - Staphylinidae
22.VIII.2013 - ITALIA - Friuli-Venezia Giulia - PN
Allegato(i)
Lathrobium sp. - Staphylinidae

22.VIII.2013 - ITALIA - Friuli-Venezia Giulia - PN
Coleoptera

Gabriele

2

584

14/11/2020, 20:32

Gabriele Vedi ultimo messaggio

Nessun messaggio da leggere
Staphylinidae Aleocharinae sp.
31.X.2020 - ITALIA - Trentino-Alto Adige - TN
Allegato(i)
Staphylinidae Aleocharinae sp.

31.X.2020 - ITALIA - Trentino-Alto Adige - TN
Coleoptera

Syrio

2

555

13/11/2020, 19:04

Syrio Vedi ultimo messaggio

Nessun messaggio da leggere
Bledius sp. - Staphylinidae
10.VII.2020 - ITALIA - Piemonte - TO
Allegato(i)
Bledius sp. - Staphylinidae

10.VII.2020 - ITALIA - Piemonte - TO
Coleoptera

37formichine

2

475

12/11/2020, 19:01

37formichine Vedi ultimo messaggio

Nessun messaggio da leggere
Omalium sp. - Staphylinidae Omaliinae
21.VII.2020 - ITALIA - Piemonte - TO
Allegato(i)
Omalium sp. - Staphylinidae Omaliinae

21.VII.2020 - ITALIA - Piemonte - TO
Coleoptera

37formichine

2

488

08/11/2020, 19:26

37formichine Vedi ultimo messaggio

Nessun messaggio da leggere
Staphylinidae Scaphidiinae sp. - Gabon
II.2012 - GABON - EE
Allegato(i)
Staphylinidae Scaphidiinae sp. - Gabon

II.2012 - GABON - EE
Coleoptera

Apoderus

10

1558

23/10/2020, 8:17

Apoderus Vedi ultimo messaggio

Nessun messaggio da leggere
Allegato(i)
sp. 7 - Staphylinidae Paederinae Paederini Cryptobiina - Gabon

XI.2019 - GABON - EE
Coleoptera

Daniele Sechi

2

565

06/10/2020, 14:55

Daniele Sechi Vedi ultimo messaggio

Nessun messaggio da leggere
Staphylinidae Gabon
XI.2017 - GABON - EE
Allegato(i)
Staphylinidae Gabon

XI.2017 - GABON - EE
Coleoptera

Apoderus

2

537

04/10/2020, 18:56

Apoderus Vedi ultimo messaggio

Nessun messaggio da leggere
Staphylinidae Gabon
VI.2016 - GABON - EE
Allegato(i)
Staphylinidae Gabon

VI.2016 - GABON - EE
Coleoptera

Apoderus

2

552

04/10/2020, 18:54

Apoderus Vedi ultimo messaggio

Nessun messaggio da leggere
Allegato(i)
sp. 2 - Staphylinidae Paederinae Paederini Cryptobiina - Gabon

XI.2019 - GABON - EE
Coleoptera

Daniele Sechi

2

634

04/10/2020, 14:36

Honza Vedi ultimo messaggio

Nessun messaggio da leggere
Allegato(i)
sp. 4 - Staphylinidae Lomechusini Myrmedoniina - Gabon

XI.2019 - GABON - EE
Coleoptera

Daniele Sechi

1

475

04/10/2020, 8:29

Honza Vedi ultimo messaggio

Nessun messaggio da leggere
Staphylinidae Paederinae sp. Gabon
XII.2013 - GABON - EE
Allegato(i)
Staphylinidae Paederinae sp. Gabon

XII.2013 - GABON - EE
Coleoptera

Apoderus

5

620

03/10/2020, 18:24

Honza Vedi ultimo messaggio

Nessun messaggio da leggere
Hesperus sp. - Staphylinidae
VI.2016 - GABON - EE
Allegato(i)
Hesperus sp. - Staphylinidae

VI.2016 - GABON - EE
Coleoptera

Apoderus

3

473

03/10/2020, 16:47

Apoderus Vedi ultimo messaggio

Nessun messaggio da leggere
Allegato(i)
sp. 6 - Staphylinidae Paederinae Paederini Cryptobiina - Gabon

XI.2019 - GABON - EE
Coleoptera

Daniele Sechi

1

439

03/10/2020, 14:11

Honza Vedi ultimo messaggio

Nessun messaggio da leggere
Quedius (Raphirus) sp. - Staphylinidae
18.VII.2012 - GERMANIA - EE
Allegato(i)
Quedius (Raphirus) sp. - Staphylinidae

18.VII.2012 - GERMANIA - EE
Coleoptera

gstalker

1

579

22/09/2020, 0:06

AetherisIgnis Vedi ultimo messaggio

Nessun messaggio da leggere
Philonthus sp.
16.VII.2014 - GERMANIA - EE
Allegato(i)
Philonthus sp.

16.VII.2014 - GERMANIA - EE
Coleoptera

gstalker

1

465

21/09/2020, 23:40

AetherisIgnis Vedi ultimo messaggio

Nessun messaggio da leggere
Mycetoporus (cf.) sp. - Staphylinidae Tachyporinae
15.VI.2020 - ITALIA - Piemonte - TO
Allegato(i)
Mycetoporus (cf.) sp. - Staphylinidae Tachyporinae

15.VI.2020 - ITALIA - Piemonte - TO
Coleoptera

37formichine

4

583

08/09/2020, 11:43

37formichine Vedi ultimo messaggio

Nessun messaggio da leggere
Ischnosoma sp. - Staphylinidae Tachyporinae
15.VI.2020 - ITALIA - Piemonte - TO
Allegato(i)
Ischnosoma sp. - Staphylinidae Tachyporinae

15.VI.2020 - ITALIA - Piemonte - TO
Coleoptera

37formichine

2

426

07/09/2020, 13:29

37formichine Vedi ultimo messaggio

Nessun messaggio da leggere
Ocypus (Ocypus) sp. - Staphylinidae
3.IX.2020 - ITALIA - Piemonte - TO
Allegato(i)
Ocypus (Ocypus) sp. - Staphylinidae

3.IX.2020 - ITALIA - Piemonte - TO
Altri Ordini di Insetti

Kepler13Bis

4

528

04/09/2020, 12:04

mascalzonepadano Vedi ultimo messaggio

Nessun messaggio da leggere
Staphylinidae sp.
25.VII.2020 - ITALIA - Trentino-Alto Adige - TN
Allegato(i)
Staphylinidae sp.

25.VII.2020 - ITALIA - Trentino-Alto Adige - TN
Coleoptera

Syrio

4

836

06/08/2020, 21:39

Syrio Vedi ultimo messaggio

Nessun messaggio da leggere
Staphylinidae da id.
21.IX.2019 - ITALIA - Abruzzo - CH
Allegato(i)
Staphylinidae da id.

21.IX.2019 - ITALIA - Abruzzo - CH
Coleoptera

DTVD

0

716

17/06/2020, 18:13

DTVD Vedi ultimo messaggio

Nessun messaggio da leggere
Scopaeus sp. - Staphylinidae
30.V.2020 - ITALIA - Piemonte - TO
Allegato(i)
Scopaeus sp. - Staphylinidae

30.V.2020 - ITALIA - Piemonte - TO
Coleoptera

37formichine

3

1219

14/06/2020, 19:02

37formichine Vedi ultimo messaggio

Nessun messaggio da leggere
Staphylinidae sp.
24.V.2020 - ITALIA - Lazio - RM
Allegato(i)
Staphylinidae sp.

24.V.2020 - ITALIA - Lazio - RM
Coleoptera

soken

4

1537

06/06/2020, 20:33

soken Vedi ultimo messaggio

Nessun messaggio da leggere
Sepedophilus sp. - Staphylinidae
20.III.2020 - ITALIA - Lazio - RM
Allegato(i)
Sepedophilus sp. - Staphylinidae

20.III.2020 - ITALIA - Lazio - RM
Coleoptera

soken

6

1979

28/05/2020, 12:53

soken Vedi ultimo messaggio

Nessun messaggio da leggere
ID ? - Stenus sp. from Germany
10.IV.2020 - GERMANIA - EE
Allegato(i)
ID ? - Stenus sp. from Germany

10.IV.2020 - GERMANIA - EE
Coleoptera

scarabaeidae

0

719

28/05/2020, 11:55

scarabaeidae Vedi ultimo messaggio

Nessun messaggio da leggere
Philonthus sp. - Staphylinidae
10.V.2020 - ITALIA - Lombardia - MB
Allegato(i)
Philonthus sp. - Staphylinidae

10.V.2020 - ITALIA - Lombardia - MB
Coleoptera

Giuseppe

1

696

12/05/2020, 14:59

marco villa Vedi ultimo messaggio

Nessun messaggio da leggere
Bledius sp. - Staphylinidae
9.V.2020 - ITALIA - Friuli-Venezia Giulia - UD
Allegato(i)
Bledius sp. - Staphylinidae

9.V.2020 - ITALIA - Friuli-Venezia Giulia - UD
Coleoptera

burn

6

1426

10/05/2020, 19:42

f.izzillo Vedi ultimo messaggio

Nessun messaggio da leggere
Scaphisoma sp. - Staphylinidae
23.V.2019 - ITALIA - Trentino-Alto Adige - TN
Allegato(i)
Scaphisoma sp. - Staphylinidae

23.V.2019 - ITALIA - Trentino-Alto Adige - TN
Coleoptera

Rothari

2

876

07/04/2020, 10:54

Rothari Vedi ultimo messaggio

Nessun messaggio da leggere
Proteinus sp. - Staphylinidae
17.III.2017 - ITALIA - Trentino-Alto Adige - TN
Allegato(i)
Proteinus sp. - Staphylinidae

17.III.2017 - ITALIA - Trentino-Alto Adige - TN
Coleoptera

Andrea Pergine

2

912

19/03/2020, 17:55

Andrea Pergine Vedi ultimo messaggio

Nessun messaggio da leggere
Gyrophaena sp. - Staphylinidae
6.X.2019 - ITALIA - Lazio - RM
Allegato(i)
Gyrophaena sp. - Staphylinidae

6.X.2019 - ITALIA - Lazio - RM
Coleoptera

soken

2

1930

06/03/2020, 21:27

soken Vedi ultimo messaggio

Nessun messaggio da leggere
Ocalea sp. - Staphylinidae
20.II.2020 - ITALIA - Piemonte - VB
Allegato(i)
Ocalea sp. - Staphylinidae

20.II.2020 - ITALIA - Piemonte - VB
Coleoptera

Bantorp

2

1013

29/02/2020, 15:45

Bantorp Vedi ultimo messaggio

Nessun messaggio da leggere
Stenus sp. - Staphylinidae
19.II.2020 - ITALIA - Veneto - VE
Allegato(i)
Stenus sp. - Staphylinidae

19.II.2020 - ITALIA - Veneto - VE
Coleoptera

ghebo

2

864

19/02/2020, 18:14

ghebo Vedi ultimo messaggio

Visualizza ultimi argomenti:  Ordina per  Ordine:  
nuovo argomento
Vai alla pagina Precedente  1, 2, 3, 4, 5, 6 ... 13  Prossimo
Pagina 3 di 13 [ 637 argomenti ]

Tutti gli orari sono UTC + 1 ora [ ora legale ]


Chi c’è in linea

Visitano il forum: Nessuno e 1 ospite


Legenda
Messaggi da leggere Messaggi da leggere Nessun messaggio da leggere Nessun messaggio da leggere Annuncio Annuncio
 
Specie indeterminata / discussione generica
Messaggi non letti [ Popolari ] Messaggi non letti [ Popolari ] Nessun messaggio da leggere [ Popolare ] Nessun messaggio da leggere [ Popolare ] Importante Importante
 
Specie determinata fino al genere o cf.
Messaggi non letti [ Bloccati ] Messaggi non letti [ Bloccati ] No messaggi non letti [ Bloccati ] No messaggi non letti [ Bloccati ] Argomento spostato Argomento spostato
 
Specie correttamente determinata
Permessi
Non puoi aprire nuovi argomenti
Non puoi rispondere negli argomenti
Non puoi modificare i tuoi messaggi
Non puoi cancellare i tuoi messaggi
Non puoi inviare allegati

Cerca per:
Vai a: