Benvenuto Ospite

Forum Entomologi Italiani

www.entomologiitaliani.net/forum
 
Oggi è 22/12/2025, 17:20

Tutti gli orari sono UTC + 1 ora [ ora legale ]

Staphylinidae indeterminati


[ AFROTROPICALE ] [ ANTARTICO ] [ AUSTRALASIANO ] [ NEARTICO ] [ NEOTROPICALE ] [ ORIENTALE ] [ PALEARTICO ]


nuovo argomento
Vai alla pagina Precedente  1, 2, 3, 4, 5 ... 13  Prossimo
Pagina 2 di 13 [ 637 argomenti ]
 Argomenti   Ordine   Autore   Risposte   Visite    Ultimo messaggio 
Annunci
Nessun messaggio da leggere
Allegato(i)
Incontri entomologici della Società Entomologica Italiana 2025-2026
 

Velvet Ant

0

13618

17/11/2025, 19:41

Velvet Ant Vedi ultimo messaggio

Nessun messaggio da leggere
Allegato(i)
Incontri entomologici telematici organizzati dalla Società Entomologica Italiana nel 2022 e nel 2023

[ Vai alla paginaVai alla pagina: 1, 2, 3 ]

 

Velvet Ant

44

1693825

03/03/2023, 15:55

Velvet Ant Vedi ultimo messaggio

Nessun messaggio da leggere  
Allegato(i)
Sondaggio sul declino dell'entomofauna in Italia

[ Vai alla paginaVai alla pagina: 1, 2, 3, 4 ]

 

Velvet Ant

52

2315907

22/10/2022, 19:18

Acquarius Vedi ultimo messaggio

Nessun messaggio da leggere  
Allegato(i)
Progetto: Bibliografia ragionata dei lavori entomologici nei quali sono citati reperti apparsi su FEI

[ Vai alla paginaVai alla pagina: 1, 2, 3 ]

 

Velvet Ant

33

1360191

06/07/2023, 18:31

Orotrechus Vedi ultimo messaggio

Nessun messaggio da leggere
Allegato(i)
Mimesi, il primo documentario cinematografico sull’entomologia in Italia: casting
 

mazzeip

1

1087693

28/02/2019, 20:26

mazzeip Vedi ultimo messaggio

Questo argomento è bloccato, non puoi modificare o inviare ulteriori messaggi.
Allegato(i)
ISTRUZIONI PUBBLICAZIONE NUOVI ARGOMENTI E FOTO

 
Altri Ordini di Insetti

Julodis

4

2885827

13/05/2015, 19:37

Julodis Vedi ultimo messaggio

Nessun messaggio da leggere
Allegato(i)
Limitatore giornaliero di messaggi, uno strumento utile e ormai indispensabile

[ Vai alla paginaVai alla pagina: 1 ... 14, 15, 16 ]

 

Velvet Ant

233

12360530

25/09/2014, 14:31

Inachis Vedi ultimo messaggio

Nessun messaggio da leggere  
NORME PER I COLLABORATORI DEL FORUM

 
 

Velvet Ant

0

632828

02/06/2011, 12:05

Velvet Ant Vedi ultimo messaggio

Nessun messaggio da leggere
Allegato(i)
NORME PER GLI UTENTI DEL FORUM

[ Vai alla paginaVai alla pagina: 1, 2, 3 ]



 
 

Velvet Ant

30

3478327

23/09/2014, 23:54

Maurizio Bollino Vedi ultimo messaggio

Nessun messaggio da leggere  
Lista degli utenti del "Forum entomologi italiani" per campi di interesse e specializzazione

 
Altri Ordini di Insetti

Velvet Ant

13

1007764

07/09/2023, 17:14

Roberto-07 Vedi ultimo messaggio

Argomenti
Nessun messaggio da leggere
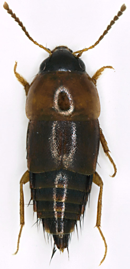
Stenus sp. - Staphylinidae
1.III.2019 - ITALIA - Lazio - RM
Allegato(i)
Stenus sp. - Staphylinidae

1.III.2019 - ITALIA - Lazio - RM
Coleoptera

elleelle

1

909

06/04/2023, 23:24

Lorenzo Locati Vedi ultimo messaggio

Nessun messaggio da leggere
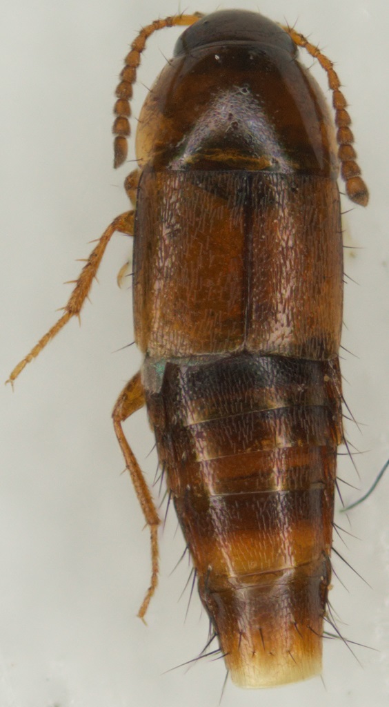
Quedius (Raphirus) sp. - Staphylinidae
30.III.2023 - ITALIA - Sardegna - CA
Allegato(i)
Quedius (Raphirus) sp. - Staphylinidae

30.III.2023 - ITALIA - Sardegna - CA
Coleoptera

Fumea crassiorella

2

716

02/04/2023, 8:16

Fumea crassiorella Vedi ultimo messaggio

Nessun messaggio da leggere
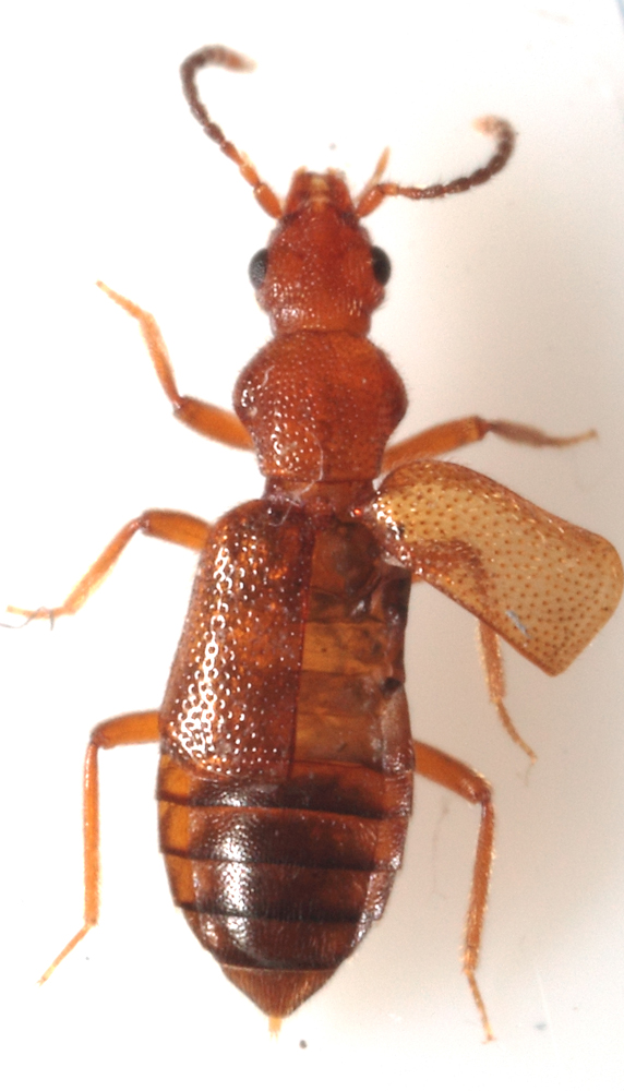
Lordithon sp. - Staphylinidae
9.XI.2007 - ITALIA - Lombardia - SO
Allegato(i)
Lordithon sp. - Staphylinidae

9.XI.2007 - ITALIA - Lombardia - SO
Coleoptera

Luciano Menghi

2

749

25/03/2023, 8:58

Lorenzo Locati Vedi ultimo messaggio

Nessun messaggio da leggere
Allegato(i)
Sepedophilus sp. - Staphylinidae Tachyporinae - nel muschio Sasso Marconi (BO)

 
Coleoptera

Loriscola

2

837

25/03/2023, 8:55

Lorenzo Locati Vedi ultimo messaggio

Nessun messaggio da leggere
Allegato(i)
Staphylinidae larva - Romania
Coleoptera

alexaandru

3

915

25/03/2023, 8:51

Lorenzo Locati Vedi ultimo messaggio

Nessun messaggio da leggere
Tachyporus sp. - Staphylinidae Tachyporinae - Lazio, Tolfa
21.II.2010 - ITALIA - Lazio - RM
Allegato(i)
Tachyporus sp. - Staphylinidae Tachyporinae - Lazio, Tolfa

21.II.2010 - ITALIA - Lazio - RM
Coleoptera

Julodis

3

1295

25/03/2023, 8:49

Lorenzo Locati Vedi ultimo messaggio

Nessun messaggio da leggere
Allegato(i)
Quedius (Raphirus) picipes (Mannerheim, 1830) (cf.) - Staphylinidae

3.IV.2010 - ITALIA - Lazio - RM
Coleoptera

Julodis

5

1967

21/03/2023, 22:52

AetherisIgnis Vedi ultimo messaggio

Nessun messaggio da leggere
Lordithon sp. - Staphylinidae
30.VII.2012 - ITALIA - Trentino-Alto Adige - BZ
Allegato(i)
Lordithon sp. - Staphylinidae

30.VII.2012 - ITALIA - Trentino-Alto Adige - BZ
Coleoptera

Olaffio

3

1102

21/03/2023, 20:26

Olaffio Vedi ultimo messaggio

Nessun messaggio da leggere
Scaphisoma sp. (cf.) - Staphylinidae Scaphidinae
12.III.2000 - ITALIA - Lombardia - BS
Allegato(i)
Scaphisoma sp. (cf.) - Staphylinidae Scaphidinae

12.III.2000 - ITALIA - Lombardia - BS
Coleoptera

Orotrechus

1

632

21/03/2023, 10:50

Biasi Vedi ultimo messaggio

Nessun messaggio da leggere
Tasgius sp. - Staphylinidae
6.VIII.2011 - REGNO UNITO - Inghilterra - EE
Allegato(i)
Tasgius sp. - Staphylinidae

6.VIII.2011 - REGNO UNITO - Inghilterra - EE
Coleoptera

Goliathus

3

983

21/03/2023, 2:25

Lorenzo Locati Vedi ultimo messaggio

Nessun messaggio da leggere
Sepedophilus sp. - Staphylinidae
24.XI.2011 - ITALIA - Lazio - RM
Allegato(i)
Sepedophilus sp. - Staphylinidae

24.XI.2011 - ITALIA - Lazio - RM
Coleoptera

Claude54

5

981

21/03/2023, 2:24

Lorenzo Locati Vedi ultimo messaggio

Nessun messaggio da leggere
Tasgius sp. - Staphylinidae
4.V.2011 - SPAGNA - EE
Allegato(i)
Tasgius sp. - Staphylinidae

4.V.2011 - SPAGNA - EE
Coleoptera

Carlos Galan

1

540

21/03/2023, 2:23

Lorenzo Locati Vedi ultimo messaggio

Nessun messaggio da leggere
Astenus sp. - Staphylinidae
26.I.2012 - ITALIA - Lazio - RM
Allegato(i)
Astenus sp. - Staphylinidae

26.I.2012 - ITALIA - Lazio - RM
Coleoptera

Fabio Turchetti

3

756

21/03/2023, 2:22

Lorenzo Locati Vedi ultimo messaggio

Nessun messaggio da leggere
Astenus sp. - Staphylinidae
26.III.2012 - ITALIA - Lazio - RM
Allegato(i)
Astenus sp. - Staphylinidae

26.III.2012 - ITALIA - Lazio - RM
Coleoptera

soken

3

733

21/03/2023, 2:20

Lorenzo Locati Vedi ultimo messaggio

Nessun messaggio da leggere
Tasgius sp. - Staphylinidae
18.IX.2013 - ITALIA - Emilia-Romagna - RE
Allegato(i)
Tasgius sp. - Staphylinidae

18.IX.2013 - ITALIA - Emilia-Romagna - RE
Coleoptera

paolofon

1

634

21/03/2023, 2:17

Lorenzo Locati Vedi ultimo messaggio

Nessun messaggio da leggere
Staphylinidae Aleocharinae sp.
24.II.2023 - ITALIA - Molise - CB
Allegato(i)
Staphylinidae Aleocharinae sp.

24.II.2023 - ITALIA - Molise - CB
Coleoptera

Franco ROSSI

1

458

28/02/2023, 15:46

Lorenzo Locati Vedi ultimo messaggio

Nessun messaggio da leggere
Stenus sp. - Staphylinidae
20.I.2023 - ITALIA - Lazio - RM
Allegato(i)
Stenus sp. - Staphylinidae

20.I.2023 - ITALIA - Lazio - RM
Coleoptera

soken

3

843

31/01/2023, 15:05

soken Vedi ultimo messaggio

Nessun messaggio da leggere
Paederus sp. - Staphylinidae
25.II.2023 - ITALIA - Lazio - RM
Allegato(i)
Paederus sp. - Staphylinidae

25.II.2023 - ITALIA - Lazio - RM
Coleoptera

elleelle

1

457

27/01/2023, 8:40

Carlo Monari Vedi ultimo messaggio

Nessun messaggio da leggere
Philonthus (Philonthus) atratus (Gravenhorst, 1802) cf. - Staphylinidae
8.VII.2022 - ITALIA - Trentino-Alto Adige - TN
Allegato(i)
Philonthus (Philonthus) atratus (Gravenhorst, 1802) cf. - Staphylinidae

8.VII.2022 - ITALIA - Trentino-Alto Adige - TN
Coleoptera

wgliinsetti

3

735

20/12/2022, 20:12

wgliinsetti Vedi ultimo messaggio

Nessun messaggio da leggere
Quedius sp. - Staphylinidae
8.X.2022 - ITALIA - Lombardia - MB
Allegato(i)
Quedius sp. - Staphylinidae

8.X.2022 - ITALIA - Lombardia - MB
Coleoptera

Syrio

1

550

14/10/2022, 17:38

pedux Vedi ultimo messaggio

Nessun messaggio da leggere
Philonthus sp. - Staphylinidae
8.VII.2022 - ITALIA - Lombardia - SO
Allegato(i)
Philonthus sp. - Staphylinidae

8.VII.2022 - ITALIA - Lombardia - SO
Coleoptera

soken

6

848

15/09/2022, 17:28

soken Vedi ultimo messaggio

Nessun messaggio da leggere
Mycetoporus sp. - Staphylinidae
8.VII.2022 - ITALIA - Lombardia - SO
Allegato(i)
Mycetoporus sp. - Staphylinidae

8.VII.2022 - ITALIA - Lombardia - SO
Coleoptera

soken

5

913

29/08/2022, 16:35

soken Vedi ultimo messaggio

Nessun messaggio da leggere
Mycetoporus sp. (cf.) - Staphylinidae
30.IV.2021 - ITALIA - Lazio - RM
Allegato(i)
Mycetoporus sp. (cf.) - Staphylinidae

30.IV.2021 - ITALIA - Lazio - RM
Coleoptera

wgliinsetti

8

1132

25/08/2022, 15:34

Honza Vedi ultimo messaggio

Nessun messaggio da leggere
Paederidus sp. - Staphylinidae
17.VIII.2022 - ITALIA - Lazio - RI
Allegato(i)
Paederidus sp. - Staphylinidae

17.VIII.2022 - ITALIA - Lazio - RI
Coleoptera

Palaemonetes

1

493

18/08/2022, 19:45

Honza Vedi ultimo messaggio

Nessun messaggio da leggere
Stenus sp. - Staphylinidae
11.VI.2022 - SPAGNA - EE
Allegato(i)
Stenus sp. - Staphylinidae

11.VI.2022 - SPAGNA - EE
Coleoptera

Isidro

0

415

13/06/2022, 6:46

Isidro Vedi ultimo messaggio

Nessun messaggio da leggere
Allegato(i)
Scopaeus sp. (cf.) - Staphylinidae Paederinae Paederini Scopaeina

10.V.2022 - ITALIA - Toscana - MS
Coleoptera

marco paglialunga

0

437

28/05/2022, 8:56

marco paglialunga Vedi ultimo messaggio

Nessun messaggio da leggere
Quedius (Raphirus) sp. - Staphylinidae
9.V.2022 - ITALIA - Lazio - RM
Allegato(i)
Quedius (Raphirus) sp. - Staphylinidae

9.V.2022 - ITALIA - Lazio - RM
Coleoptera

Ermanno61

2

577

10/05/2022, 8:09

Ermanno61 Vedi ultimo messaggio

Nessun messaggio da leggere
Scaphisoma sp. - Staphylinidae Scaphidiinae
28.IV.2022 - ITALIA - Trentino-Alto Adige - TN
Allegato(i)
Scaphisoma sp. - Staphylinidae Scaphidiinae

28.IV.2022 - ITALIA - Trentino-Alto Adige - TN
Coleoptera

Biasi

6

903

08/05/2022, 17:27

Biasi Vedi ultimo messaggio

Nessun messaggio da leggere
Staphylinidae da identificare 2
15.XII.2019 - ITALIA - Marche - AN
Allegato(i)
Staphylinidae da identificare 2

15.XII.2019 - ITALIA - Marche - AN
Coleoptera

mbondini

0

443

08/05/2022, 15:37

mbondini Vedi ultimo messaggio

Nessun messaggio da leggere
Proteinus sp. - Staphylinidae
15.IV.2022 - ITALIA - Lombardia - VA
Allegato(i)
Proteinus sp. - Staphylinidae

15.IV.2022 - ITALIA - Lombardia - VA
Coleoptera

fasmidi

2

592

22/04/2022, 20:16

fasmidi Vedi ultimo messaggio

Nessun messaggio da leggere
Xantholinus sp. - Staphylinidae
18.XI.2020 - ITALIA - Sardegna - CA
Allegato(i)
Xantholinus sp. - Staphylinidae

18.XI.2020 - ITALIA - Sardegna - CA
Coleoptera

Adriana49

8

1083

15/04/2022, 17:40

Honza Vedi ultimo messaggio

Nessun messaggio da leggere
Lesteva sp. - Staphylinidae
4.IV.2022 - ITALIA - Lombardia - CO
Allegato(i)
Lesteva sp. - Staphylinidae

4.IV.2022 - ITALIA - Lombardia - CO
Coleoptera

fasmidi

2

597

15/04/2022, 15:27

fasmidi Vedi ultimo messaggio

Nessun messaggio da leggere
Micropeplus sp. - Staphylinidae Micropeplinae
22.II.2022 - ITALIA - Lombardia - MI
Allegato(i)
Micropeplus sp. - Staphylinidae Micropeplinae

22.II.2022 - ITALIA - Lombardia - MI
Coleoptera

fasmidi

2

746

04/03/2022, 11:09

fasmidi Vedi ultimo messaggio

Nessun messaggio da leggere
Anotylus sp. (cf.) - Staphylinidae
25.II.2022 - ITALIA - Sicilia - TP
Allegato(i)
Anotylus sp. (cf.) - Staphylinidae

25.II.2022 - ITALIA - Sicilia - TP
Coleoptera

angelo.ditta

2

555

26/02/2022, 11:53

angelo.ditta Vedi ultimo messaggio

Nessun messaggio da leggere
Mocyta sp. - Staphylinidae
22.I.2022 - ITALIA - Lazio - RM
Allegato(i)
Mocyta sp. - Staphylinidae

22.I.2022 - ITALIA - Lazio - RM
Coleoptera

soken

3

608

16/02/2022, 14:45

soken Vedi ultimo messaggio

Nessun messaggio da leggere
Gyrophaena sp. - Staphylinidae
22.I.2022 - ITALIA - Lazio - RM
Allegato(i)
Gyrophaena sp. - Staphylinidae

22.I.2022 - ITALIA - Lazio - RM
Coleoptera

soken

13

1295

13/02/2022, 22:44

soken Vedi ultimo messaggio

Nessun messaggio da leggere
Proteinus sp. - Staphylinidae
22.I.2022 - ITALIA - Lazio - RM
Allegato(i)
Proteinus sp. - Staphylinidae

22.I.2022 - ITALIA - Lazio - RM
Coleoptera

soken

11

1462

13/02/2022, 17:24

soken Vedi ultimo messaggio

Nessun messaggio da leggere
Tachyporus sp. - Staphylinidae Tachyporinae
19.XII.2021 - ITALIA - Lazio - RM
Allegato(i)
Tachyporus sp. - Staphylinidae Tachyporinae

19.XII.2021 - ITALIA - Lazio - RM
Coleoptera

wgliinsetti

0

462

25/01/2022, 19:15

wgliinsetti Vedi ultimo messaggio

Nessun messaggio da leggere
Lesteva sp. - Staphylinidae
28.VI.2021 - ITALIA - Piemonte - TO
Allegato(i)
Lesteva sp. - Staphylinidae

28.VI.2021 - ITALIA - Piemonte - TO
Coleoptera

ruzzpa

4

855

30/12/2021, 15:54

AetherisIgnis Vedi ultimo messaggio

Nessun messaggio da leggere
Omalium sp. - Staphylinidae
28.XI.2021 - ITALIA - Sardegna - CA
Allegato(i)
Omalium sp. - Staphylinidae

28.XI.2021 - ITALIA - Sardegna - CA
Coleoptera

ruzzpa

4

815

10/12/2021, 17:13

Honza Vedi ultimo messaggio

Nessun messaggio da leggere
Atheta sp. (cf.) - Staphylinidae
10.III.2015 - MALTA - EE
Allegato(i)
Atheta sp. (cf.) - Staphylinidae

10.III.2015 - MALTA - EE
Coleoptera

Fumea crassiorella

4

1204

28/11/2021, 17:45

AetherisIgnis Vedi ultimo messaggio

Nessun messaggio da leggere
Staphylinidae Tachyporinae sp.
18.XI.2021 - ITALIA - Sardegna - SS
Allegato(i)
Staphylinidae Tachyporinae sp.

18.XI.2021 - ITALIA - Sardegna - SS
Coleoptera

Pietro Niolu

3

538

20/11/2021, 13:31

Pietro Niolu Vedi ultimo messaggio

Nessun messaggio da leggere
Staphylinidae sp.
22.IX.2021 - ITALIA - Lazio - RI
Allegato(i)
Staphylinidae sp.

22.IX.2021 - ITALIA - Lazio - RI
Coleoptera

wgliinsetti

7

710

08/11/2021, 16:43

wgliinsetti Vedi ultimo messaggio

Nessun messaggio da leggere
Staphylinidae Athetini sp.
21.VIII.2021 - ITALIA - Lazio - RM
Allegato(i)
Staphylinidae Athetini sp.

21.VIII.2021 - ITALIA - Lazio - RM
Coleoptera

wgliinsetti

6

946

09/10/2021, 16:54

wgliinsetti Vedi ultimo messaggio

Nessun messaggio da leggere
Heterothops sp. ♀ - Staphylinidae
17.VIII.2021 - ITALIA - Lazio - RM
Allegato(i)
Heterothops sp. ♀ - Staphylinidae

17.VIII.2021 - ITALIA - Lazio - RM
Coleoptera

wgliinsetti

2

478

27/08/2021, 8:40

wgliinsetti Vedi ultimo messaggio

Nessun messaggio da leggere
Anotylus sp. - Staphylinidae
5.V.2021 - ITALIA - Lazio - RM
Allegato(i)
Anotylus sp. - Staphylinidae

5.V.2021 - ITALIA - Lazio - RM
Coleoptera

wgliinsetti

0

333

12/05/2021, 13:07

wgliinsetti Vedi ultimo messaggio

Nessun messaggio da leggere
Anotylus sp. - Staphylinidae
28.III.2021 - ITALIA - Lazio - RM
Allegato(i)
Anotylus sp. - Staphylinidae

28.III.2021 - ITALIA - Lazio - RM
Coleoptera

wgliinsetti

1

404

12/05/2021, 12:40

wgliinsetti Vedi ultimo messaggio

Nessun messaggio da leggere
Paederus sp. - Staphylinidae
16.IV.2021 - ITALIA - Lombardia - LC
Allegato(i)
Paederus sp. - Staphylinidae

16.IV.2021 - ITALIA - Lombardia - LC
Coleoptera

RicPan

9

1081

05/05/2021, 14:12

RicPan Vedi ultimo messaggio

Nessun messaggio da leggere
Omalium sp. - Staphylinidae Omaliinae
19.IV.2021 - ITALIA - Veneto - VI
Allegato(i)
Omalium sp. - Staphylinidae Omaliinae

19.IV.2021 - ITALIA - Veneto - VI
Coleoptera

Apoderus

7

850

22/04/2021, 20:16

Apoderus Vedi ultimo messaggio

Nessun messaggio da leggere
Anotylus sp. - Staphylinidae
30.III.2021 - ITALIA - Lazio - RM
Allegato(i)
Anotylus sp. - Staphylinidae

30.III.2021 - ITALIA - Lazio - RM
Coleoptera

wgliinsetti

8

1046

21/04/2021, 9:50

wgliinsetti Vedi ultimo messaggio

Visualizza ultimi argomenti:  Ordina per  Ordine:  
nuovo argomento
Vai alla pagina Precedente  1, 2, 3, 4, 5 ... 13  Prossimo
Pagina 2 di 13 [ 637 argomenti ]

Tutti gli orari sono UTC + 1 ora [ ora legale ]


Chi c’è in linea

Visitano il forum: Nessuno e 1 ospite


Legenda
Messaggi da leggere Messaggi da leggere Nessun messaggio da leggere Nessun messaggio da leggere Annuncio Annuncio
 
Specie indeterminata / discussione generica
Messaggi non letti [ Popolari ] Messaggi non letti [ Popolari ] Nessun messaggio da leggere [ Popolare ] Nessun messaggio da leggere [ Popolare ] Importante Importante
 
Specie determinata fino al genere o cf.
Messaggi non letti [ Bloccati ] Messaggi non letti [ Bloccati ] No messaggi non letti [ Bloccati ] No messaggi non letti [ Bloccati ] Argomento spostato Argomento spostato
 
Specie correttamente determinata
Permessi
Non puoi aprire nuovi argomenti
Non puoi rispondere negli argomenti
Non puoi modificare i tuoi messaggi
Non puoi cancellare i tuoi messaggi
Non puoi inviare allegati

Cerca per:
Vai a: