Benvenuto Ospite

Forum Entomologi Italiani

www.entomologiitaliani.net/forum
 
Oggi è 21/12/2025, 17:36

Tutti gli orari sono UTC + 1 ora [ ora legale ]


56% 
201 taxa correttamente determinati su 359 presenti in archivio

Staphylinidae Pselaphinae


[ AFROTROPICALE ] [ ANTARTICO ] [ AUSTRALASIANO ] [ NEARTICO ] [ NEOTROPICALE ] [ ORIENTALE ] [ PALEARTICO ]


nuovo argomento
Vai alla pagina Precedente  1, 2, 3, 4, 5, 6, 7, 8, 9  Prossimo
Pagina 5 di 9 [ 427 argomenti ]
 Argomenti   Ordine   Autore   Risposte   Visite    Ultimo messaggio 
Annunci
Nessun messaggio da leggere
Allegato(i)
Incontri entomologici della Società Entomologica Italiana 2025-2026
 

Velvet Ant

0

13349

17/11/2025, 19:41

Velvet Ant Vedi ultimo messaggio

Nessun messaggio da leggere
Allegato(i)
Incontri entomologici telematici organizzati dalla Società Entomologica Italiana nel 2022 e nel 2023

[ Vai alla paginaVai alla pagina: 1, 2, 3 ]

 

Velvet Ant

44

1683781

03/03/2023, 15:55

Velvet Ant Vedi ultimo messaggio

Nessun messaggio da leggere  
Allegato(i)
Sondaggio sul declino dell'entomofauna in Italia

[ Vai alla paginaVai alla pagina: 1, 2, 3, 4 ]

 

Velvet Ant

52

2304284

22/10/2022, 19:18

Acquarius Vedi ultimo messaggio

Nessun messaggio da leggere  
Allegato(i)
Progetto: Bibliografia ragionata dei lavori entomologici nei quali sono citati reperti apparsi su FEI

[ Vai alla paginaVai alla pagina: 1, 2, 3 ]

 

Velvet Ant

33

1353456

06/07/2023, 18:31

Orotrechus Vedi ultimo messaggio

Nessun messaggio da leggere
Allegato(i)
Mimesi, il primo documentario cinematografico sull’entomologia in Italia: casting
 

mazzeip

1

1087052

28/02/2019, 20:26

mazzeip Vedi ultimo messaggio

Questo argomento è bloccato, non puoi modificare o inviare ulteriori messaggi.
Allegato(i)
ISTRUZIONI PUBBLICAZIONE NUOVI ARGOMENTI E FOTO

 
Altri Ordini di Insetti

Julodis

4

2884818

13/05/2015, 19:37

Julodis Vedi ultimo messaggio

Nessun messaggio da leggere
Allegato(i)
Limitatore giornaliero di messaggi, uno strumento utile e ormai indispensabile

[ Vai alla paginaVai alla pagina: 1 ... 14, 15, 16 ]

 

Velvet Ant

233

12298948

25/09/2014, 14:31

Inachis Vedi ultimo messaggio

Nessun messaggio da leggere  
NORME PER I COLLABORATORI DEL FORUM

 
 

Velvet Ant

0

632371

02/06/2011, 12:05

Velvet Ant Vedi ultimo messaggio

Nessun messaggio da leggere
Allegato(i)
NORME PER GLI UTENTI DEL FORUM

[ Vai alla paginaVai alla pagina: 1, 2, 3 ]



 
 

Velvet Ant

30

3471974

23/09/2014, 23:54

Maurizio Bollino Vedi ultimo messaggio

Nessun messaggio da leggere  
Staphylinidae Pselaphinae. Indice delle Specie italiane

 
Coleoptera

Loriscola

0

1647

18/10/2010, 11:04

Loriscola Vedi ultimo messaggio

Nessun messaggio da leggere  
Lista degli utenti del "Forum entomologi italiani" per campi di interesse e specializzazione

 
Altri Ordini di Insetti

Velvet Ant

13

1005642

07/09/2023, 17:14

Roberto-07 Vedi ultimo messaggio

Argomenti
Nessun messaggio da leggere
Allegato(i) Dettagli della specie
Bibloplectus (Bibloplectus) ambiguus (Reichenbach, 1816)
Staphylinidae Pselaphinae


2.II.2013 - ITALIA - Emilia-Romagna - RA
Coleoptera

Loriscola

1

828

11/02/2013, 8:02

Honza Vedi ultimo messaggio

Nessun messaggio da leggere
Allegato(i) Dettagli della specie
Bibloplectus (Bibloplectus) tenebrosus (Reitter, 1880) cf.
Staphylinidae Pselaphinae


2.II.2013 - ITALIA - Emilia-Romagna - RA
Coleoptera

Loriscola

6

1359

08/02/2013, 15:24

Loriscola Vedi ultimo messaggio

Nessun messaggio da leggere
Bryaxis bulbifer (Reichenbach, 1816) - Staphylinidae Pselaphinae
2.II.2013 - ITALIA - Emilia-Romagna - RA
Allegato(i) Dettagli della specie
Bryaxis bulbifer (Reichenbach, 1816)
Staphylinidae Pselaphinae


2.II.2013 - ITALIA - Emilia-Romagna - RA
Coleoptera

Loriscola

1

852

08/02/2013, 12:45

Honza Vedi ultimo messaggio

Nessun messaggio da leggere
Tychus pullus Kiesenwetter, 1858 cf. - Staphylinidae Pselaphinae
2.II.2013 - ITALIA - Emilia-Romagna - RA
Allegato(i) Dettagli della specie
Tychus pullus Kiesenwetter, 1858 cf.
Staphylinidae Pselaphinae


2.II.2013 - ITALIA - Emilia-Romagna - RA
Coleoptera

Loriscola

0

711

07/02/2013, 9:01

Loriscola Vedi ultimo messaggio

Nessun messaggio da leggere
Bryaxis bulbifer (Reichenbach, 1816) cf. - Staphylinidae Pselaphinae
2.II.2013 - ITALIA - Emilia-Romagna - RA
Allegato(i) Dettagli della specie
Bryaxis bulbifer (Reichenbach, 1816) cf.
Staphylinidae Pselaphinae


2.II.2013 - ITALIA - Emilia-Romagna - RA
Coleoptera

Notoxus59

6

1638

02/02/2013, 19:52

Notoxus59 Vedi ultimo messaggio

Nessun messaggio da leggere
Tychus dalmatinus Reitter, 1884 - Staphylinidae Pselaphinae
4.VI.2011 - ITALIA - Friuli-Venezia Giulia - GO
Allegato(i) Dettagli della specie
Tychus dalmatinus Reitter, 1884
Staphylinidae Pselaphinae


4.VI.2011 - ITALIA - Friuli-Venezia Giulia - GO
Coleoptera

Loriscola

0

632

23/01/2013, 11:36

Loriscola Vedi ultimo messaggio

Nessun messaggio da leggere
Bryaxis aelistae (Reitter, 1881) - Staphylinidae Pselaphinae
7.V.2011 - ITALIA - Sardegna - CA
Allegato(i) Dettagli della specie
Bryaxis aelistae (Reitter, 1881)
Staphylinidae Pselaphinae


7.V.2011 - ITALIA - Sardegna - CA
Coleoptera

Loriscola

4

1159

22/01/2013, 16:04

Honza Vedi ultimo messaggio

Nessun messaggio da leggere
Bryaxis muscorum (Kiesenwetter, 1849) - Staphylinidae Pselaphinae
4.III.2012 - ITALIA - Friuli-Venezia Giulia - GO
Allegato(i) Dettagli della specie
Bryaxis muscorum (Kiesenwetter, 1849)
Staphylinidae Pselaphinae


4.III.2012 - ITALIA - Friuli-Venezia Giulia - GO
Coleoptera

Loriscola

1

746

22/01/2013, 14:41

Honza Vedi ultimo messaggio

Nessun messaggio da leggere
Allegato(i) Dettagli della specie
Bryaxis grouvellei (Reitter, 1881) cf.
Staphylinidae Pselaphinae


23.I.2011 - ITALIA - Toscana - MS
Coleoptera

Loriscola

4

1314

07/01/2013, 16:58

Loriscola Vedi ultimo messaggio

Nessun messaggio da leggere
Bryaxis sp. - Staphylinidae Pselaphinae
16.XI.2012 - ITALIA - Lombardia - SO
Allegato(i)
Bryaxis sp. - Staphylinidae Pselaphinae

16.XI.2012 - ITALIA - Lombardia - SO
Coleoptera

marsal

4

1051

03/12/2012, 20:03

Tc70 Vedi ultimo messaggio

Nessun messaggio da leggere
Bryaxis ullrichii (Motschulsky, 1851) - Staphylinidae Pselaphinae
25.XI.2012 - ITALIA - Emilia-Romagna - BO
Allegato(i) Dettagli della specie
Bryaxis ullrichii (Motschulsky, 1851)
Staphylinidae Pselaphinae


25.XI.2012 - ITALIA - Emilia-Romagna - BO
Coleoptera

Loriscola

5

1478

02/12/2012, 10:11

Loriscola Vedi ultimo messaggio

Nessun messaggio da leggere
Allegato(i) Dettagli della specie
Bythinus reichenbachi (Machulka, 1928) cf.
Staphylinidae Pselaphinae


16.XI.2012 - ITALIA - Lombardia - SO
Coleoptera

marsal

5

1315

30/11/2012, 12:24

Honza Vedi ultimo messaggio

Nessun messaggio da leggere
Allegato(i)
Brachygluta sp. - Staphylinidae Pselaphinae teratologico - Lazio
Staphylinidae Pselaphinae


24.XI.2012 - ITALIA - Lazio - RM
Coleoptera

Julodis

3

985

28/11/2012, 9:10

Loriscola Vedi ultimo messaggio

Nessun messaggio da leggere
Bibloplectus sp. - Staphylinidae Pselaphinae - Lazio
22.XI.2012 - ITALIA - Lazio - RM
Allegato(i)
Bibloplectus sp. - Staphylinidae Pselaphinae - Lazio
Staphylinidae Pselaphinae


22.XI.2012 - ITALIA - Lazio - RM
Coleoptera

Julodis

4

1075

26/11/2012, 16:51

Julodis Vedi ultimo messaggio

Nessun messaggio da leggere
Allegato(i)
Batrisocenus septemstriatus group - Staphylinidae Pselaphinae
Staphylinidae Pselaphinae


19.VI.2011 - MALESIA - EE
Coleoptera

Loriscola

2

1385

12/11/2012, 7:25

hypotyphlus Vedi ultimo messaggio

Nessun messaggio da leggere
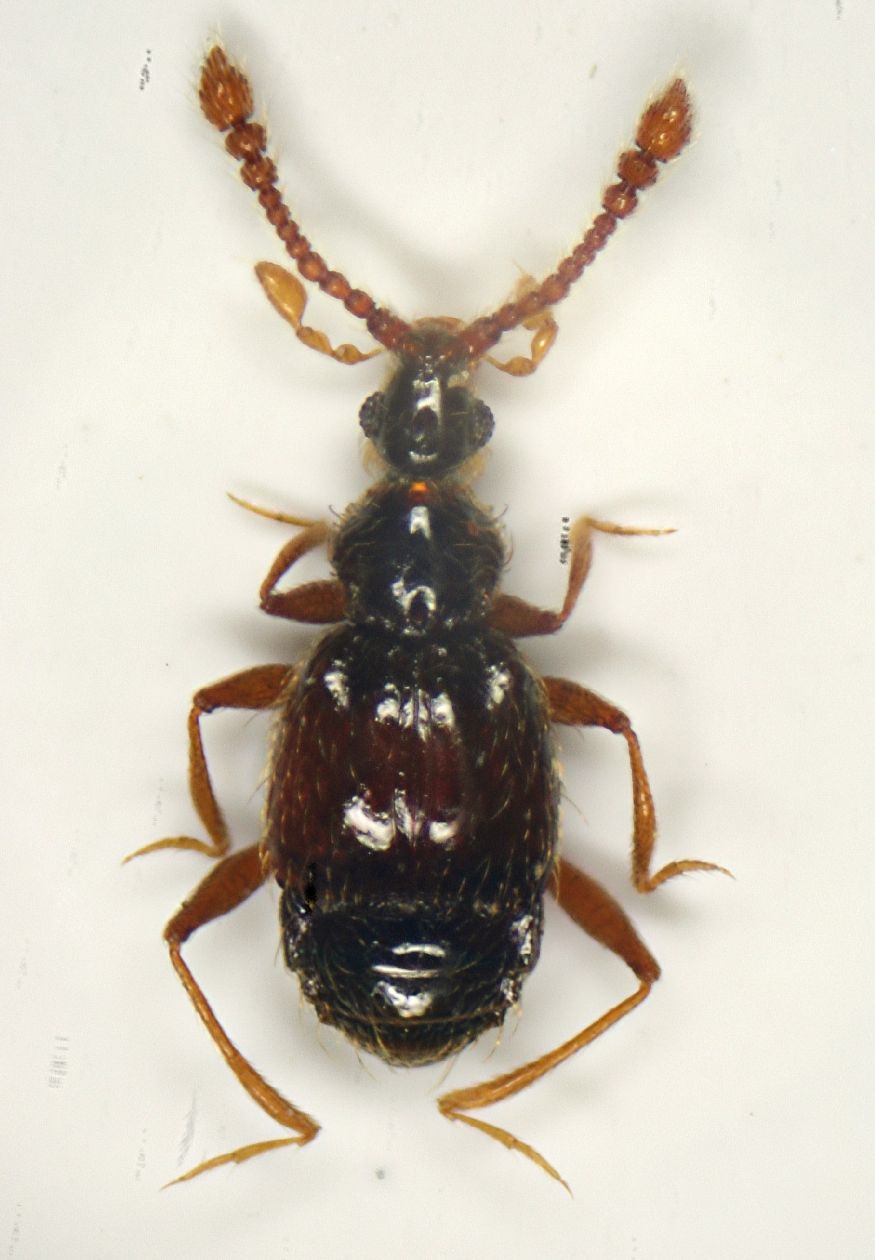
Xenopselafide 01 - Staphylinidae Pselaphinae
22.VIII.2005 - BURKINA FASO - EE
Allegato(i)
Xenopselafide 01 - Staphylinidae Pselaphinae
Staphylinidae Pselaphinae


22.VIII.2005 - BURKINA FASO - EE
Coleoptera

Loriscola

1

1258

12/11/2012, 0:58

Honza Vedi ultimo messaggio

Nessun messaggio da leggere
Allegato(i) Dettagli della specie
Rybaxis longicornis (Leach, 1817)
Staphylinidae Pselaphinae


2.XI.2012 - ITALIA - Lazio - RM
Coleoptera

Julodis

2

1146

09/11/2012, 0:11

Julodis Vedi ultimo messaggio

Nessun messaggio da leggere
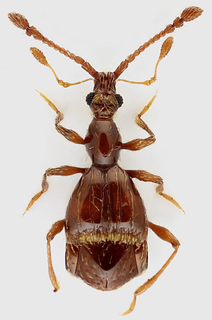
Faronus lafertei Aubé, 1844 - Staphylinidae Pselaphinae
2.XI.2012 - ITALIA - Lazio - RM
Allegato(i) Dettagli della specie
Faronus lafertei Aubé, 1844
Staphylinidae Pselaphinae


2.XI.2012 - ITALIA - Lazio - RM
Coleoptera

Julodis

3

1466

08/11/2012, 13:01

Honza Vedi ultimo messaggio

Nessun messaggio da leggere
Allegato(i) Dettagli della specie
Bythinus reichenbachi (Machulka, 1928) cf.
Staphylinidae Pselaphinae


15.X.2012 - ITALIA - Lombardia - SO
Coleoptera

marsal

4

1187

07/11/2012, 23:32

marsal Vedi ultimo messaggio

Nessun messaggio da leggere
Allegato(i) Dettagli della specie
Tyrus mucronatus mucronatus (Panzer, 1805)
Staphylinidae Pselaphinae


22.X.2010 - ITALIA - Lombardia - SO
Coleoptera

marsal

2

896

07/11/2012, 23:27

marsal Vedi ultimo messaggio

Nessun messaggio da leggere
Brachygluta sp. - Staphylinidae Pselaphinae
2.XI.2012 - ITALIA - Lazio - RM
Allegato(i)
Brachygluta sp. - Staphylinidae Pselaphinae
Staphylinidae Pselaphinae


2.XI.2012 - ITALIA - Lazio - RM
Coleoptera

Julodis

3

1056

06/11/2012, 15:23

Loriscola Vedi ultimo messaggio

Nessun messaggio da leggere
Allegato(i) Dettagli della specie
Pselaphus parvus Karaman, 1940
Staphylinidae Pselaphinae


2.XI.2012 - ITALIA - Lazio - RM
Coleoptera

Julodis

5

1129

04/11/2012, 14:22

Honza Vedi ultimo messaggio

Nessun messaggio da leggere
Allegato(i) Dettagli della specie
Paramaurops pinkeri (Ganglbauer, 1904)
Staphylinidae Pselaphinae


9.IV.2012 - ITALIA - Lombardia - BS
Coleoptera

Loriscola

4

1107

15/10/2012, 10:32

Anillus Vedi ultimo messaggio

Nessun messaggio da leggere
Allegato(i) Dettagli della specie
Brachygluta (Brachygluta) ragusae (Saulcy, 1876)
Staphylinidae Pselaphinae


24.II.2012 - ITALIA - Toscana - SI
Coleoptera

Loriscola

0

759

13/10/2012, 18:38

Loriscola Vedi ultimo messaggio

Nessun messaggio da leggere
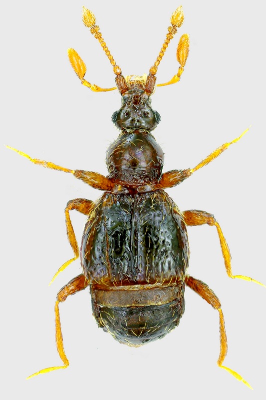
Trimium zoufali Krauss, 1900 - Staphylinidae Pselaphinae
26.II.2012 - ITALIA - Toscana - FI
Allegato(i) Dettagli della specie
Trimium zoufali Krauss, 1900
Staphylinidae Pselaphinae


26.II.2012 - ITALIA - Toscana - FI
Coleoptera

Loriscola

0

1045

13/10/2012, 18:38

Loriscola Vedi ultimo messaggio

Nessun messaggio da leggere
Allegato(i) Dettagli della specie
Trissemus (Trissemus) olivieri (Raffray, 1871)
Staphylinidae Pselaphinae

[ Vai alla paginaVai alla pagina: 1, 2 ]



3.I.2011 - ITALIA - Lazio - RM
Coleoptera

Julodis

21

3685

12/10/2012, 22:23

Loriscola Vedi ultimo messaggio

Nessun messaggio da leggere
Tychobythinus glabratus (Rye, 1870) - Staphylinidae Pselaphinae
31.X.2011 - ITALIA - Emilia-Romagna - BO
Allegato(i) Dettagli della specie
Tychobythinus glabratus (Rye, 1870)
Staphylinidae Pselaphinae


31.X.2011 - ITALIA - Emilia-Romagna - BO
Coleoptera

Loriscola

1

866

06/10/2012, 22:53

Loriscola Vedi ultimo messaggio

Nessun messaggio da leggere
Allegato(i) Dettagli della specie
Tychobythinus damryi damryi (Croissandeau, 1891)
Staphylinidae Pselaphinae


6.III.2011 - ITALIA - Sardegna - CA
Coleoptera

Loriscola

10

1843

05/10/2012, 8:06

Maurizio Bollino Vedi ultimo messaggio

Nessun messaggio da leggere
Allegato(i)
Pselaphidi del Kenya - Stapylinidae Pselaphinae

11.IV.2004 - KENYA - EE
Coleoptera

Loriscola

12

2137

27/09/2012, 8:40

Loriscola Vedi ultimo messaggio

Nessun messaggio da leggere
Allegato(i) Dettagli della specie
Batrisodes (Batrisodes) adnexus (Hampe, 1863) cf.
Staphylinidae Pselaphinae


VIII.2012 - ITALIA - Marche - AN
Coleoptera

StagBeetle

12

3070

13/09/2012, 23:11

Julodis Vedi ultimo messaggio

Nessun messaggio da leggere
Allegato(i) Dettagli della specie
Centrotoma lucifuga C.H.G. Heyden, 1849
Staphylinidae Pselaphinae


14.IV.2010 - SLOVACCHIA - EE
Coleoptera

Honza

5

1729

27/08/2012, 15:15

Loriscola Vedi ultimo messaggio

Nessun messaggio da leggere
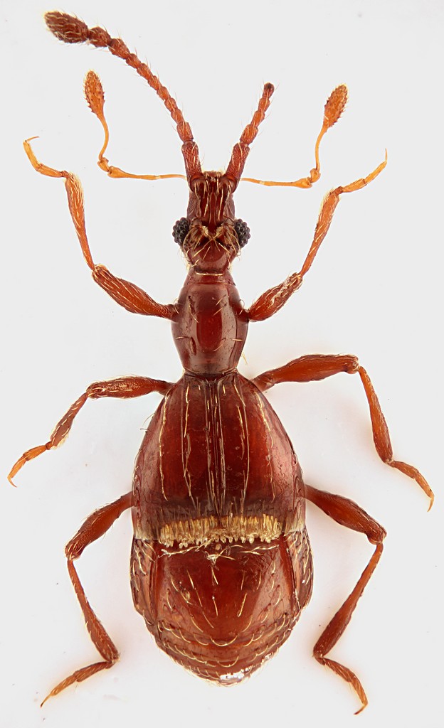
Faronus lafertei Aubé, 1844 cf. - Staphylinidae Pselaphinae
18.III.2012 - ITALIA - Sardegna - NU
Allegato(i) Dettagli della specie
Faronus lafertei Aubé, 1844 cf.
Staphylinidae Pselaphinae


18.III.2012 - ITALIA - Sardegna - NU
Coleoptera

Anillus

7

1577

26/07/2012, 22:40

Tenebrio Vedi ultimo messaggio

Nessun messaggio da leggere
Paramaurops mingazzinii Castellini, 1986 - Staphylinidae Pselaphinae
9.V.2012 - ITALIA - Emilia-Romagna - BO
Allegato(i) Dettagli della specie
Paramaurops mingazzinii Castellini, 1986
Staphylinidae Pselaphinae


9.V.2012 - ITALIA - Emilia-Romagna - BO
Coleoptera

Loriscola

3

1268

16/05/2012, 8:10

Loriscola Vedi ultimo messaggio

Nessun messaggio da leggere
Bryaxis difficilis (Reitter, 1884) - Staphylinidae Pselaphinae
19.III.2012 - ITALIA - Sardegna - NU
Allegato(i) Dettagli della specie
Bryaxis difficilis (Reitter, 1884)
Staphylinidae Pselaphinae


19.III.2012 - ITALIA - Sardegna - NU
Coleoptera

Loriscola

4

1191

14/05/2012, 11:14

Honza Vedi ultimo messaggio

Nessun messaggio da leggere
Allegato(i) Dettagli della specie
Bryaxis rugosicollis rugicollis (Fiori, 1905) cf.
Staphylinidae Pselaphinae


27.VI.2004 - ITALIA - Veneto - BL
Coleoptera

Loriscola

0

843

04/05/2012, 22:25

Loriscola Vedi ultimo messaggio

Nessun messaggio da leggere
Tychus dalmatinus Reitter, 1884 - Staphylinidae Pselaphinae
14.V.2010 - ITALIA - Emilia-Romagna - FC
Allegato(i) Dettagli della specie
Tychus dalmatinus Reitter, 1884
Staphylinidae Pselaphinae


14.V.2010 - ITALIA - Emilia-Romagna - FC
Coleoptera

Loriscola

0

661

03/05/2012, 22:25

Loriscola Vedi ultimo messaggio

Nessun messaggio da leggere
Allegato(i) Dettagli della specie
Brachygluta (Brachygluta) perforata (Aubé, 1833)
Staphylinidae Pselaphinae


14.V.2010 - ITALIA - Emilia-Romagna - FC
Coleoptera

Loriscola

0

788

03/05/2012, 22:25

Loriscola Vedi ultimo messaggio

Nessun messaggio da leggere
Allegato(i) Dettagli della specie
Pselaphus parvus Karaman, 1940
Staphylinidae Pselaphinae


2.IV.2012 - ITALIA - Lazio - RM
Coleoptera

Julodis

7

2204

08/04/2012, 8:29

Julodis Vedi ultimo messaggio

Nessun messaggio da leggere
Batrisus formicarius Aubé, 1833 - Staphylinidae Pselaphinae
17.III.2012 - ITALIA - Lombardia - BS
Allegato(i) Dettagli della specie
Batrisus formicarius Aubé, 1833
Staphylinidae Pselaphinae


17.III.2012 - ITALIA - Lombardia - BS
Coleoptera

magosti

4

1449

18/03/2012, 21:38

Loriscola Vedi ultimo messaggio

Nessun messaggio da leggere
Allegato(i) Dettagli della specie
Bryaxis insularis (Holdhaus, 1905)
Staphylinidae Pselaphinae


25.II.2012 - ITALIA - Toscana - LI
Coleoptera

FORBIX

8

2324

09/03/2012, 9:15

Loriscola Vedi ultimo messaggio

Nessun messaggio da leggere
Tyrus mucronatus mucronatus (Panzer, 1805) - Staphylinidae Pselaphinae
4.III.2012 - ITALIA - Friuli-Venezia Giulia - GO
Allegato(i) Dettagli della specie
Tyrus mucronatus mucronatus (Panzer, 1805)
Staphylinidae Pselaphinae


4.III.2012 - ITALIA - Friuli-Venezia Giulia - GO
Coleoptera

Agdistis

3

1317

04/03/2012, 21:22

Loriscola Vedi ultimo messaggio

Nessun messaggio da leggere
Allegato(i) Dettagli della specie
Plectophloeus nitidus (Fairmaire, 1857) cf.
Staphylinidae Pselaphinae


25.II.2012 - ITALIA - Toscana - LI
Coleoptera

FORBIX

7

1390

03/03/2012, 4:09

FORBIX Vedi ultimo messaggio

Nessun messaggio da leggere
Bibloplectus sp. - Staphylinidae Pselaphinae
25.II.2012 - ITALIA - Friuli-Venezia Giulia - GO
Allegato(i)
Bibloplectus sp. - Staphylinidae Pselaphinae

25.II.2012 - ITALIA - Friuli-Venezia Giulia - GO
Coleoptera

Agdistis

3

916

02/03/2012, 19:41

Agdistis Vedi ultimo messaggio

Nessun messaggio da leggere
Allegato(i) Dettagli della specie
Bryaxis rugosicollis rugicollis (Fiori, 1905) cf.
Staphylinidae Pselaphinae


27.VI.2004 - ITALIA - Veneto - BL
Coleoptera

Loriscola

2

973

14/02/2012, 14:59

Loriscola Vedi ultimo messaggio

Nessun messaggio da leggere
Allegato(i) Dettagli della specie
Bibloplectus (Bibloplectus) ambiguus (Reichenbach, 1816)
Staphylinidae Pselaphinae


I.1994 - ITALIA - Toscana - FI
Coleoptera

Loriscola

0

772

12/02/2012, 17:42

Loriscola Vedi ultimo messaggio

Nessun messaggio da leggere
Bryaxis bulbifer (Reichenbach, 1816) - Staphylinidae Pselaphinae
18.III.1994 - ITALIA - Emilia-Romagna - RA
Allegato(i) Dettagli della specie
Bryaxis bulbifer (Reichenbach, 1816)
Staphylinidae Pselaphinae


18.III.1994 - ITALIA - Emilia-Romagna - RA
Coleoptera

Loriscola

2

949

11/02/2012, 21:39

Loriscola Vedi ultimo messaggio

Nessun messaggio da leggere
Allegato(i) Dettagli della specie
Brachygluta (Brachygluta) tibialis (Aubé, 1844)
Staphylinidae Pselaphinae


ALBANIA - EE
Coleoptera

Loriscola

2

1090

11/02/2012, 21:37

Loriscola Vedi ultimo messaggio

Nessun messaggio da leggere
Allegato(i) Dettagli della specie
Claviger (Clavifer) longicornis P.W. Müller, 1818
Staphylinidae Pselaphinae


6.VI.2000 - ITALIA - Lombardia - BG
Coleoptera

Loriscola

10

2095

11/02/2012, 17:57

Loriscola Vedi ultimo messaggio

Nessun messaggio da leggere
Bryaxis collaris (Baudi, 1859) - Staphylinidae Pselaphinae
22.VII.2003 - ITALIA - Piemonte - TO
Allegato(i) Dettagli della specie
Bryaxis collaris (Baudi, 1859)
Staphylinidae Pselaphinae


22.VII.2003 - ITALIA - Piemonte - TO
Coleoptera

Loriscola

0

755

11/02/2012, 17:56

Loriscola Vedi ultimo messaggio

Nessun messaggio da leggere
Allegato(i) Dettagli della specie
Bryaxis muscorum (Kiesenwetter, 1849)
Staphylinidae Pselaphinae


8.V.2006 - ITALIA - Lombardia - BG
Coleoptera

Loriscola

0

675

11/02/2012, 17:42

Loriscola Vedi ultimo messaggio

Visualizza ultimi argomenti:  Ordina per  Ordine:  
nuovo argomento
Vai alla pagina Precedente  1, 2, 3, 4, 5, 6, 7, 8, 9  Prossimo
Pagina 5 di 9 [ 427 argomenti ]

Tutti gli orari sono UTC + 1 ora [ ora legale ]


Chi c’è in linea

Visitano il forum: Nessuno e 1 ospite


Legenda
Messaggi da leggere Messaggi da leggere Nessun messaggio da leggere Nessun messaggio da leggere Annuncio Annuncio
 
Specie indeterminata / discussione generica
Messaggi non letti [ Popolari ] Messaggi non letti [ Popolari ] Nessun messaggio da leggere [ Popolare ] Nessun messaggio da leggere [ Popolare ] Importante Importante
 
Specie determinata fino al genere o cf.
Messaggi non letti [ Bloccati ] Messaggi non letti [ Bloccati ] No messaggi non letti [ Bloccati ] No messaggi non letti [ Bloccati ] Argomento spostato Argomento spostato
 
Specie correttamente determinata
Permessi
Non puoi aprire nuovi argomenti
Non puoi rispondere negli argomenti
Non puoi modificare i tuoi messaggi
Non puoi cancellare i tuoi messaggi
Non puoi inviare allegati

Cerca per:
Vai a: