Benvenuto Ospite

Forum Entomologi Italiani

www.entomologiitaliani.net/forum
 
Oggi è 26/12/2025, 16:44

Tutti gli orari sono UTC + 1 ora [ ora legale ]


100%
201 taxa correttamente determinati su 202 presenti in archivio

Staphylinidae Pselaphinae


[ AFROTROPICALE ] [ ANTARTICO ] [ AUSTRALASIANO ] [ NEARTICO ] [ NEOTROPICALE ] [ ORIENTALE ] [ PALEARTICO ]


nuovo argomento
Vai alla pagina 1, 2, 3, 4, 5  Prossimo
Pagina 1 di 5 [ 202 argomenti ]
 Argomenti   Ordine   Autore   Risposte   Visite    Ultimo messaggio 
Annunci
Nessun messaggio da leggere
Allegato(i)
Incontri entomologici della Società Entomologica Italiana 2025-2026
 

Velvet Ant

0

14748

17/11/2025, 19:41

Velvet Ant Vedi ultimo messaggio

Nessun messaggio da leggere
Allegato(i)
Incontri entomologici telematici organizzati dalla Società Entomologica Italiana nel 2022 e nel 2023

[ Vai alla paginaVai alla pagina: 1, 2, 3 ]

 

Velvet Ant

44

1711112

03/03/2023, 15:55

Velvet Ant Vedi ultimo messaggio

Nessun messaggio da leggere  
Allegato(i)
Sondaggio sul declino dell'entomofauna in Italia

[ Vai alla paginaVai alla pagina: 1, 2, 3, 4 ]

 

Velvet Ant

52

2336514

22/10/2022, 19:18

Acquarius Vedi ultimo messaggio

Nessun messaggio da leggere  
Allegato(i)
Progetto: Bibliografia ragionata dei lavori entomologici nei quali sono citati reperti apparsi su FEI

[ Vai alla paginaVai alla pagina: 1, 2, 3 ]

 

Velvet Ant

33

1374039

06/07/2023, 18:31

Orotrechus Vedi ultimo messaggio

Nessun messaggio da leggere
Allegato(i)
Mimesi, il primo documentario cinematografico sull’entomologia in Italia: casting
 

mazzeip

1

1090037

28/02/2019, 20:26

mazzeip Vedi ultimo messaggio

Questo argomento è bloccato, non puoi modificare o inviare ulteriori messaggi.
Allegato(i)
ISTRUZIONI PUBBLICAZIONE NUOVI ARGOMENTI E FOTO

 
Altri Ordini di Insetti

Julodis

4

2889022

13/05/2015, 19:37

Julodis Vedi ultimo messaggio

Nessun messaggio da leggere
Allegato(i)
Limitatore giornaliero di messaggi, uno strumento utile e ormai indispensabile

[ Vai alla paginaVai alla pagina: 1 ... 14, 15, 16 ]

 

Velvet Ant

233

12478984

25/09/2014, 14:31

Inachis Vedi ultimo messaggio

Nessun messaggio da leggere  
NORME PER I COLLABORATORI DEL FORUM

 
 

Velvet Ant

0

634289

02/06/2011, 12:05

Velvet Ant Vedi ultimo messaggio

Nessun messaggio da leggere
Allegato(i)
NORME PER GLI UTENTI DEL FORUM

[ Vai alla paginaVai alla pagina: 1, 2, 3 ]



 
 

Velvet Ant

30

3490584

23/09/2014, 23:54

Maurizio Bollino Vedi ultimo messaggio

Nessun messaggio da leggere  
Staphylinidae Pselaphinae. Indice delle Specie italiane

 
Coleoptera

Loriscola

0

1655

18/10/2010, 11:04

Loriscola Vedi ultimo messaggio

Nessun messaggio da leggere  
Lista degli utenti del "Forum entomologi italiani" per campi di interesse e specializzazione

 
Altri Ordini di Insetti

Velvet Ant

13

1012932

07/09/2023, 17:14

Roberto-07 Vedi ultimo messaggio

Argomenti
Nessun messaggio da leggere
Allegato(i) Dettagli della specie
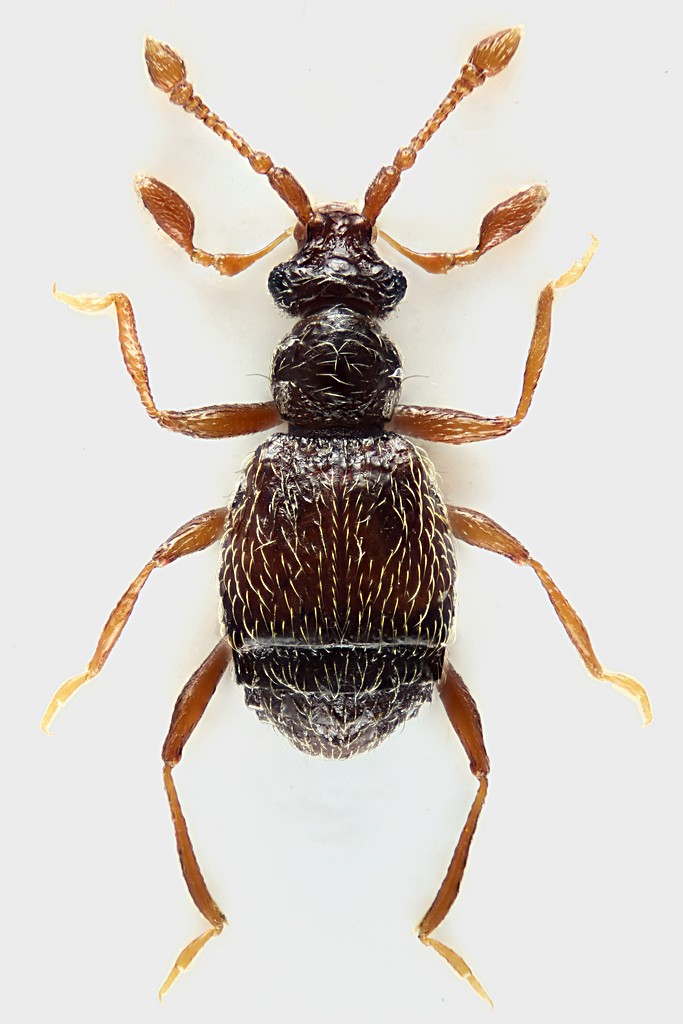
Pselaphostomus ganglbaueri (Reitter, 1881)
Staphylinidae Pselaphinae


16.XI.2024 - ITALIA - Sardegna - NU
Coleoptera

Daniele Sechi

0

2489

29/05/2025, 15:52

Daniele Sechi Vedi ultimo messaggio

Nessun messaggio da leggere
Allegato(i) Dettagli della specie
Brachygluta (Brachygluta) dentiventris (Saulcy, 1876)
Staphylinidae Pselaphinae


4.IV.2025 - ITALIA - Sardegna - CA
Coleoptera

Daniele Sechi

3

721

29/05/2025, 10:00

Daniele Sechi Vedi ultimo messaggio

Nessun messaggio da leggere
Allegato(i) Dettagli della specie
Trissemus (Trissemus) antennatus antennatus (Aubé, 1833)
Staphylinidae Pselaphinae


4.IV.2023 - ITALIA - Lombardia - CO
Coleoptera

fasmidi

2

650

20/04/2023, 8:26

fasmidi Vedi ultimo messaggio

Nessun messaggio da leggere
Bryaxis pedator (Reitter, 1881) - Staphylinidae Pselaphinae
23.I.2023 - ITALIA - Emilia-Romagna - RN
Allegato(i) Dettagli della specie
Bryaxis pedator (Reitter, 1881)
Staphylinidae Pselaphinae


23.I.2023 - ITALIA - Emilia-Romagna - RN
Coleoptera

Abete bianco

4

892

24/01/2023, 13:20

Tc70 Vedi ultimo messaggio

Nessun messaggio da leggere
Allegato(i) Dettagli della specie
Tychobythinus glabratus (Rye, 1870)
Staphylinidae Pselaphinae


20.X.2021 - ITALIA - Lazio - RM
Coleoptera

wgliinsetti

8

1417

04/12/2021, 23:00

wgliinsetti Vedi ultimo messaggio

Nessun messaggio da leggere
Rybaxis longicornis (Leach, 1817) - Staphylinidae Pselaphinae
21.IV.2021 - ITALIA - Emilia-Romagna - BO
Allegato(i) Dettagli della specie
Rybaxis longicornis (Leach, 1817)
Staphylinidae Pselaphinae


21.IV.2021 - ITALIA - Emilia-Romagna - BO
Coleoptera

Notoxus59

4

1006

05/05/2021, 17:56

Notoxus59 Vedi ultimo messaggio

Nessun messaggio da leggere
Paramaurops diecki (Saulcy, 1874) - Staphylinidae Pselaphinae
18.III.2021 - ITALIA - Toscana - MS
Allegato(i) Dettagli della specie
Paramaurops diecki (Saulcy, 1874)
Staphylinidae Pselaphinae


18.III.2021 - ITALIA - Toscana - MS
Coleoptera

andrea bramanti

2

914

21/04/2021, 20:02

andrea bramanti Vedi ultimo messaggio

Nessun messaggio da leggere
Allegato(i) Dettagli della specie
Batrisodes (Batrisodes) venustus (Reichenbach, 1816)
Staphylinidae Pselaphinae


7.V.2020 - ITALIA - Friuli-Venezia Giulia - GO
Coleoptera

Agdistis

6

2289

11/03/2021, 20:02

Agdistis Vedi ultimo messaggio

Nessun messaggio da leggere
Tychus rufus Motschulsky, 1851 - Staphylinidae Pselaphinae
27.X.2018 - ITALIA - Friuli-Venezia Giulia - GO
Allegato(i) Dettagli della specie
Tychus rufus Motschulsky, 1851
Staphylinidae Pselaphinae


27.X.2018 - ITALIA - Friuli-Venezia Giulia - GO
Coleoptera

Agdistis

5

1845

11/03/2021, 19:57

Agdistis Vedi ultimo messaggio

Nessun messaggio da leggere
Fagniezia impressa (Panzer, 1805) - Staphylinidae Pselaphinae
10.III.2019 - ITALIA - Friuli-Venezia Giulia - GO
Allegato(i) Dettagli della specie
Fagniezia impressa (Panzer, 1805)
Staphylinidae Pselaphinae


10.III.2019 - ITALIA - Friuli-Venezia Giulia - GO
Coleoptera

StagBeetle

2

683

27/11/2020, 23:54

StagBeetle Vedi ultimo messaggio

Nessun messaggio da leggere
Rybaxis longicornis (Leach, 1817) - Staphylinidae Pselaphinae
17.X.2020 - ITALIA - Sardegna - OG
Allegato(i) Dettagli della specie
Rybaxis longicornis (Leach, 1817)
Staphylinidae Pselaphinae


17.X.2020 - ITALIA - Sardegna - OG
Coleoptera

Adriana49

5

1012

23/10/2020, 17:31

Adriana49 Vedi ultimo messaggio

Nessun messaggio da leggere
Allegato(i) Dettagli della specie
Aphilia crassipes (Raffray, 1908)
Staphylinidae Pselaphinae


5.VII.2020 - ITALIA - Lazio - RM
Coleoptera

soken

11

1862

18/07/2020, 12:35

soken Vedi ultimo messaggio

Nessun messaggio da leggere
Allegato(i) Dettagli della specie
Trichonyx sulcicollis (Reichenbach, 1816)
Staphylinidae Pselaphinae


29.IV.2018 - ITALIA - Lombardia - BS
Coleoptera

Livio

5

1911

13/05/2018, 8:16

Honza Vedi ultimo messaggio

Nessun messaggio da leggere
Euplectus linderi Reitter, 1884 - Staphylinidae Pselaphinae
3.IV.2018 - ITALIA - Liguria - GE
Allegato(i) Dettagli della specie
Euplectus linderi Reitter, 1884
Staphylinidae Pselaphinae


3.IV.2018 - ITALIA - Liguria - GE
Coleoptera

Mikiphasmide

0

1059

26/04/2018, 22:44

Mikiphasmide Vedi ultimo messaggio

Nessun messaggio da leggere
Tychobythinus glabratus (Rye, 1870) - Staphylinidae Pselaphinae
2.IV.2017 - ITALIA - Emilia-Romagna - RE
Allegato(i) Dettagli della specie
Tychobythinus glabratus (Rye, 1870)
Staphylinidae Pselaphinae


2.IV.2017 - ITALIA - Emilia-Romagna - RE
Coleoptera

Mikiphasmide

8

2323

23/03/2018, 10:34

Mikiphasmide Vedi ultimo messaggio

Nessun messaggio da leggere
Allegato(i) Dettagli della specie
Bryaxis curtisi curtisi (Leach, 1817)
Staphylinidae Pselaphinae


6.II.2018 - ITALIA - Lombardia - CO
Coleoptera

fasmidi

2

1104

09/02/2018, 18:48

fasmidi Vedi ultimo messaggio

Nessun messaggio da leggere
Trimium brevicorne Aubé, 1833 - Staphylinidae Pselaphinae
22.X.2017 - ITALIA - Emilia-Romagna - RE
Allegato(i) Dettagli della specie
Trimium brevicorne Aubé, 1833
Staphylinidae Pselaphinae


22.X.2017 - ITALIA - Emilia-Romagna - RE
Coleoptera

Mikiphasmide

4

1485

03/01/2018, 19:10

Mikiphasmide Vedi ultimo messaggio

Nessun messaggio da leggere
Allegato(i) Dettagli della specie
Brachygluta (Brachygluta) perforata (Aubé, 1833)
Staphylinidae Pselaphinae


VII.2017 - ITALIA - Lazio - FR
Coleoptera

Julodis

2

1084

10/08/2017, 20:51

Julodis Vedi ultimo messaggio

Nessun messaggio da leggere
Allegato(i) Dettagli della specie
Brachygluta (Brachygluta) foveola Motschulsky, 1840
Staphylinidae Pselaphinae


9.IV.2017 - ITALIA - Emilia-Romagna - RA
Coleoptera

marco villa

9

1938

12/07/2017, 19:50

Honza Vedi ultimo messaggio

Nessun messaggio da leggere
Allegato(i) Dettagli della specie
Brachygluta (Brachygluta) sardoa (Saulcy, 1876)
Staphylinidae Pselaphinae


4.VII.2016 - ITALIA - Sardegna - CI
Coleoptera

Mikiphasmide

3

1282

08/05/2017, 14:28

Mikiphasmide Vedi ultimo messaggio

Nessun messaggio da leggere
Bryaxis grouvellei (Reitter, 1881) - Staphylinidae Pselaphinae
29.XI.2015 - ITALIA - Emilia-Romagna - RE
Allegato(i) Dettagli della specie
Bryaxis grouvellei (Reitter, 1881)
Staphylinidae Pselaphinae


29.XI.2015 - ITALIA - Emilia-Romagna - RE
Coleoptera

Mikiphasmide

4

1592

23/02/2017, 19:41

Mikiphasmide Vedi ultimo messaggio

Nessun messaggio da leggere
Allegato(i) Dettagli della specie
Tychobythinus gladiator gladiator (Reitter, 1884)
Staphylinidae Pselaphinae


29.XI.2015 - ITALIA - Emilia-Romagna - RE
Coleoptera

Mikiphasmide

2

1334

22/02/2017, 19:10

Mikiphasmide Vedi ultimo messaggio

Nessun messaggio da leggere
Allegato(i) Dettagli della specie
Brachygluta (Brachygluta) sengleti Besuchet, 1969
Staphylinidae Pselaphinae

[ Vai alla paginaVai alla pagina: 1, 2 ]



8.VI.2009 - ITALIA - Sardegna - NU
Coleoptera

Andrea Pergine

15

3647

13/02/2017, 12:34

Andrea Pergine Vedi ultimo messaggio

Nessun messaggio da leggere
Allegato(i) Dettagli della specie
Bryaxis italicus (Baudi, 1869)
Staphylinidae Pselaphinae


V.2015 - ITALIA - Lazio - FR
Coleoptera

Julodis

3

1487

20/05/2015, 18:57

Julodis Vedi ultimo messaggio

Nessun messaggio da leggere
Allegato(i) Dettagli della specie
Rybaxis longicornis (Leach, 1817)
Staphylinidae Pselaphinae


9.VII.1998 - ITALIA - Lazio - RM
Coleoptera

aesalus37

2

1096

19/05/2015, 15:04

aesalus37 Vedi ultimo messaggio

Nessun messaggio da leggere
Allegato(i) Dettagli della specie
Rybaxis longicornis (Leach, 1817)
Staphylinidae Pselaphinae


10.VII.2001 - ITALIA - Lazio - RM
Coleoptera

aesalus37

5

1582

30/03/2015, 23:35

aesalus37 Vedi ultimo messaggio

Nessun messaggio da leggere
Tyrus mucronatus mucronatus (Panzer, 1805) - Staphylinidae Pselaphinae
28.II.2015 - ITALIA - Trentino-Alto Adige - BZ
Allegato(i) Dettagli della specie
Tyrus mucronatus mucronatus (Panzer, 1805)
Staphylinidae Pselaphinae


28.II.2015 - ITALIA - Trentino-Alto Adige - BZ
Coleoptera

gigilmozzi

5

1704

02/03/2015, 10:40

Loriscola Vedi ultimo messaggio

Nessun messaggio da leggere
Allegato(i) Dettagli della specie
Tychobythinus vannii Castellini, 1984
Staphylinidae Pselaphinae


23.VI.2011 - ITALIA - Toscana - PT
Coleoptera

Loriscola

1

1049

30/10/2014, 0:05

Tc70 Vedi ultimo messaggio

Nessun messaggio da leggere
Allegato(i) Dettagli della specie
Bryaxis pedator (Reitter, 1881)
Staphylinidae Pselaphinae


18.X.2014 - ITALIA - Umbria - TR
Coleoptera

FORBIX

1

1252

24/10/2014, 21:12

FORBIX Vedi ultimo messaggio

Nessun messaggio da leggere
Bryaxis effeminatus Besuchet, 1983 - Staphylinidae Pselaphinae
18.VIII.2014 - ITALIA - Lombardia - LC
Allegato(i) Dettagli della specie
Bryaxis effeminatus Besuchet, 1983
Staphylinidae Pselaphinae


18.VIII.2014 - ITALIA - Lombardia - LC
Coleoptera

Loriscola

4

1501

22/10/2014, 9:36

Orotrechus Vedi ultimo messaggio

Nessun messaggio da leggere
Bryaxis pinkeri (Stolz, 1917) - Staphylinidae Pselaphinae
11.IV.1987 - ITALIA - Lombardia - CO
Allegato(i) Dettagli della specie
Bryaxis pinkeri (Stolz, 1917)
Staphylinidae Pselaphinae


11.IV.1987 - ITALIA - Lombardia - CO
Coleoptera

Loriscola

7

2299

23/09/2014, 9:42

Loriscola Vedi ultimo messaggio

Nessun messaggio da leggere
Allegato(i) Dettagli della specie
Pselaphostomus insulcatus (Dodero, 1919)
Staphylinidae Pselaphinae

[ Vai alla paginaVai alla pagina: 1, 2 ]



16.III.2014 - ITALIA - Sardegna - OT
Coleoptera

Loriscola

16

3366

12/05/2014, 13:50

Pippistrello Vedi ultimo messaggio

Nessun messaggio da leggere
Zibus leiocephalus (Aubé, 1833) - Staphylinidae Pselaphinae
7.XI.2010 - ITALIA - Sicilia - PA
Allegato(i) Dettagli della specie
Zibus leiocephalus (Aubé, 1833)
Staphylinidae Pselaphinae


7.XI.2010 - ITALIA - Sicilia - PA
Coleoptera

Loriscola

0

766

28/04/2014, 11:13

Loriscola Vedi ultimo messaggio

Nessun messaggio da leggere
Allegato(i) Dettagli della specie
Pselaphogenius argentarius (Holdhaus, 1910)
Staphylinidae Pselaphinae


24.I.2011 - ITALIA - Toscana - GR
Coleoptera

Loriscola

5

1295

16/04/2014, 15:06

gomphus Vedi ultimo messaggio

Nessun messaggio da leggere
Allegato(i) Dettagli della specie
Trogaster binaghii Besuchet, 1969
Staphylinidae Pselaphinae


14.I.2009 - ITALIA - Liguria - GE
Coleoptera

Loriscola

1

768

15/04/2014, 20:44

Honza Vedi ultimo messaggio

Nessun messaggio da leggere
Allegato(i) Dettagli della specie
Tychobythinus tibialis (Dodero, 1919)
Staphylinidae Pselaphinae


19.III.2014 - ITALIA - Sardegna - NU
Coleoptera

Loriscola

2

762

10/04/2014, 15:21

Loriscola Vedi ultimo messaggio

Nessun messaggio da leggere
Allegato(i) Dettagli della specie
Tychobythinus myrmido (Reitter, 1881)
Staphylinidae Pselaphinae


19.III.2014 - ITALIA - Sardegna - NU
Coleoptera

Loriscola

1

762

09/04/2014, 16:10

betelges Vedi ultimo messaggio

Nessun messaggio da leggere
Allegato(i) Dettagli della specie
Tychobythinus dentimanus (Reitter, 1884)
Staphylinidae Pselaphinae


19.III.2014 - ITALIA - Sardegna - NU
Coleoptera

Loriscola

0

699

09/04/2014, 12:22

Loriscola Vedi ultimo messaggio

Nessun messaggio da leggere
Faronus lafertei Aubé, 1844 - Staphylinidae Pselaphinae
17.III.2014 - ITALIA - Abruzzo - PE
Allegato(i) Dettagli della specie
Faronus lafertei Aubé, 1844
Staphylinidae Pselaphinae


17.III.2014 - ITALIA - Abruzzo - PE
Coleoptera

Alessio89

9

1681

31/03/2014, 15:20

Daniele Maccapani Vedi ultimo messaggio

Nessun messaggio da leggere
Allegato(i) Dettagli della specie
Trissemus (Trissemus) antennatus antennatus (Aubé, 1833)
Staphylinidae Pselaphinae


VII.1998 - ITALIA - Lazio - RM
Coleoptera

aesalus37

2

846

10/03/2014, 7:44

aesalus37 Vedi ultimo messaggio

Nessun messaggio da leggere
Tychobythinus glabratus (Rye, 1870) - Staphylinidae Pselaphinae
22.II.2014 - ITALIA - Emilia-Romagna - PC
Allegato(i) Dettagli della specie
Tychobythinus glabratus (Rye, 1870)
Staphylinidae Pselaphinae


22.II.2014 - ITALIA - Emilia-Romagna - PC
Coleoptera

betelges

3

1068

05/03/2014, 14:29

betelges Vedi ultimo messaggio

Nessun messaggio da leggere
Allegato(i) Dettagli della specie
Reichenbachia nigriventris (Schaum, 1859)
Staphylinidae Pselaphinae


1.II.2014 - ITALIA - Lazio - RM
Coleoptera

Julodis

14

2901

08/02/2014, 17:51

Julodis Vedi ultimo messaggio

Nessun messaggio da leggere
Allegato(i) Dettagli della specie
Batrisodes (Batrisodes) oculatus (Aubé, 1833)
Staphylinidae Pselaphinae


4.VII.2010 - ITALIA - Abruzzo - PE
Coleoptera

aesalus37

2

995

23/01/2014, 7:50

aesalus37 Vedi ultimo messaggio

Nessun messaggio da leggere
Allegato(i) Dettagli della specie
Tyrus mucronatus mucronatus (Panzer, 1805)
Staphylinidae Pselaphinae


24.IV.2006 - ITALIA - Lazio - RM
Coleoptera

aesalus37

4

1186

22/01/2014, 7:49

aesalus37 Vedi ultimo messaggio

Nessun messaggio da leggere
Allegato(i) Dettagli della specie
Bryaxis italicus (Baudi, 1869)
Staphylinidae Pselaphinae


IV.2010 - ITALIA - Lazio - RM
Coleoptera

aesalus37

2

865

22/01/2014, 7:44

aesalus37 Vedi ultimo messaggio

Nessun messaggio da leggere
Allegato(i) Dettagli della specie
Bryaxis paganettii (W. Blattný & C. Blattný, 1914)
Staphylinidae Pselaphinae


20.VI.1997 - ITALIA - Basilicata - PZ
Coleoptera

Loriscola

5

1608

15/01/2014, 16:12

Loriscola Vedi ultimo messaggio

Nessun messaggio da leggere
Allegato(i) Dettagli della specie
Paramaurops aculeatus (Dodero, 1919)
Staphylinidae Pselaphinae


9.XII.2005 - ITALIA - Sardegna - NU
Coleoptera

Loriscola

5

1390

10/01/2014, 15:12

Loriscola Vedi ultimo messaggio

Nessun messaggio da leggere
Fagniezia impressa (Panzer, 1805) - Staphylinidae Pselaphinae
22.XII.2013 - ITALIA - Emilia-Romagna - BO
Allegato(i) Dettagli della specie
Fagniezia impressa (Panzer, 1805)
Staphylinidae Pselaphinae


22.XII.2013 - ITALIA - Emilia-Romagna - BO
Coleoptera

Loriscola

0

641

10/01/2014, 13:29

Loriscola Vedi ultimo messaggio

Nessun messaggio da leggere
Allegato(i) Dettagli della specie
Brachygluta (Brachygluta) sengleti Besuchet, 1969
Staphylinidae Pselaphinae


18.VI.2009 - ITALIA - Sardegna - CA
Coleoptera

Loriscola

2

934

02/01/2014, 15:15

Loriscola Vedi ultimo messaggio

Nessun messaggio da leggere
Fagniezia impressa (Panzer, 1805) - Staphylinidae Pselaphinae
16.XI.2012 - ITALIA - Lombardia - SO
Allegato(i) Dettagli della specie
Fagniezia impressa (Panzer, 1805)
Staphylinidae Pselaphinae


16.XI.2012 - ITALIA - Lombardia - SO
Coleoptera

marsal

7

1512

02/01/2014, 15:10

Loriscola Vedi ultimo messaggio

Visualizza ultimi argomenti:  Ordina per  Ordine:  
nuovo argomento
Vai alla pagina 1, 2, 3, 4, 5  Prossimo
Pagina 1 di 5 [ 202 argomenti ]

Tutti gli orari sono UTC + 1 ora [ ora legale ]


Chi c’è in linea

Visitano il forum: Nessuno e 1 ospite


Legenda
Messaggi da leggere Messaggi da leggere Nessun messaggio da leggere Nessun messaggio da leggere Annuncio Annuncio
 
Specie indeterminata / discussione generica
Messaggi non letti [ Popolari ] Messaggi non letti [ Popolari ] Nessun messaggio da leggere [ Popolare ] Nessun messaggio da leggere [ Popolare ] Importante Importante
 
Specie determinata fino al genere o cf.
Messaggi non letti [ Bloccati ] Messaggi non letti [ Bloccati ] No messaggi non letti [ Bloccati ] No messaggi non letti [ Bloccati ] Argomento spostato Argomento spostato
 
Specie correttamente determinata
Permessi
Non puoi aprire nuovi argomenti
Non puoi rispondere negli argomenti
Non puoi modificare i tuoi messaggi
Non puoi cancellare i tuoi messaggi
Non puoi inviare allegati

Cerca per:
Vai a: