Benvenuto Ospite

Forum Entomologi Italiani

www.entomologiitaliani.net/forum
 
Oggi è 22/12/2025, 20:02

Tutti gli orari sono UTC + 1 ora [ ora legale ]

Leiodidae


[ AFROTROPICALE ] [ ANTARTICO ] [ AUSTRALASIANO ] [ NEARTICO ] [ NEOTROPICALE ] [ ORIENTALE ] [ PALEARTICO ]


nuovo argomento
Vai alla pagina Precedente  1, 2, 3, 4  Prossimo
Pagina 3 di 4 [ 166 argomenti ]
 Argomenti   Ordine   Autore   Risposte   Visite    Ultimo messaggio 
Annunci
Nessun messaggio da leggere
Allegato(i)
Incontri entomologici della Società Entomologica Italiana 2025-2026
 

Velvet Ant

0

13789

17/11/2025, 19:41

Velvet Ant Vedi ultimo messaggio

Nessun messaggio da leggere
Allegato(i)
Incontri entomologici telematici organizzati dalla Società Entomologica Italiana nel 2022 e nel 2023

[ Vai alla paginaVai alla pagina: 1, 2, 3 ]

 

Velvet Ant

44

1694509

03/03/2023, 15:55

Velvet Ant Vedi ultimo messaggio

Nessun messaggio da leggere  
Allegato(i)
Sondaggio sul declino dell'entomofauna in Italia

[ Vai alla paginaVai alla pagina: 1, 2, 3, 4 ]

 

Velvet Ant

52

2317238

22/10/2022, 19:18

Acquarius Vedi ultimo messaggio

Nessun messaggio da leggere  
Allegato(i)
Progetto: Bibliografia ragionata dei lavori entomologici nei quali sono citati reperti apparsi su FEI

[ Vai alla paginaVai alla pagina: 1, 2, 3 ]

 

Velvet Ant

33

1360848

06/07/2023, 18:31

Orotrechus Vedi ultimo messaggio

Nessun messaggio da leggere
Allegato(i)
Mimesi, il primo documentario cinematografico sull’entomologia in Italia: casting
 

mazzeip

1

1087762

28/02/2019, 20:26

mazzeip Vedi ultimo messaggio

Questo argomento è bloccato, non puoi modificare o inviare ulteriori messaggi.
Allegato(i)
ISTRUZIONI PUBBLICAZIONE NUOVI ARGOMENTI E FOTO

 
Altri Ordini di Insetti

Julodis

4

2885917

13/05/2015, 19:37

Julodis Vedi ultimo messaggio

Nessun messaggio da leggere
Allegato(i)
Limitatore giornaliero di messaggi, uno strumento utile e ormai indispensabile

[ Vai alla paginaVai alla pagina: 1 ... 14, 15, 16 ]

 

Velvet Ant

233

12366901

25/09/2014, 14:31

Inachis Vedi ultimo messaggio

Nessun messaggio da leggere  
NORME PER I COLLABORATORI DEL FORUM

 
 

Velvet Ant

0

632867

02/06/2011, 12:05

Velvet Ant Vedi ultimo messaggio

Nessun messaggio da leggere
Allegato(i)
NORME PER GLI UTENTI DEL FORUM

[ Vai alla paginaVai alla pagina: 1, 2, 3 ]



 
 

Velvet Ant

30

3479111

23/09/2014, 23:54

Maurizio Bollino Vedi ultimo messaggio

Nessun messaggio da leggere  
Lista degli utenti del "Forum entomologi italiani" per campi di interesse e specializzazione

 
Altri Ordini di Insetti

Velvet Ant

13

1007931

07/09/2023, 17:14

Roberto-07 Vedi ultimo messaggio

Argomenti
Nessun messaggio da leggere
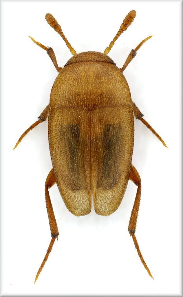
Agathidium sp.- Leiodidae, Leiodinae, Agathidiini
10.X.2013 - ITALIA - Marche - PU
Allegato(i)
Agathidium sp.- Leiodidae, Leiodinae, Agathidiini

10.X.2013 - ITALIA - Marche - PU
Coleoptera

marco paglialunga

0

406

14/10/2013, 20:45

marco paglialunga Vedi ultimo messaggio

Nessun messaggio da leggere
Choleva sp. - Leiodidae Cholevinae Cholevini - Lazio
25.V.2013 - ITALIA - Lazio - RM
Allegato(i)
Choleva sp. - Leiodidae Cholevinae Cholevini - Lazio

25.V.2013 - ITALIA - Lazio - RM
Coleoptera

Julodis

5

670

25/05/2013, 22:23

gomphus Vedi ultimo messaggio

Nessun messaggio da leggere
Nargus sp. (cf.) - Leiodidae Cholevinae Cholevini - Lazio
25.V.2013 - ITALIA - Lazio - RM
Allegato(i)
Nargus sp. (cf.) - Leiodidae Cholevinae Cholevini - Lazio

25.V.2013 - ITALIA - Lazio - RM
Coleoptera

Julodis

2

455

25/05/2013, 16:03

Julodis Vedi ultimo messaggio

Nessun messaggio da leggere
Bathysciola destefanii (Ragusa, 1881) CF. - Cholevidae
5.IV.2013 - ITALIA - Sicilia - PA
Allegato(i)
Bathysciola destefanii (Ragusa, 1881) CF. - Cholevidae

5.IV.2013 - ITALIA - Sicilia - PA
Coleoptera

Loriscola

1

579

06/05/2013, 9:15

Orotrechus Vedi ultimo messaggio

Nessun messaggio da leggere
Sciodrepoides watsoni (Spence, 1815) (cf.) - Leiodidae
22.III.2013 - ITALIA - Emilia-Romagna - FE
Allegato(i)
Sciodrepoides watsoni (Spence, 1815) (cf.) - Leiodidae

22.III.2013 - ITALIA - Emilia-Romagna - FE
Coleoptera

Daniele Maccapani

13

1770

10/04/2013, 16:22

Raubmilbe Vedi ultimo messaggio

Nessun messaggio da leggere
Hydnobius sp. (cf.) - Leiodidae
6.IV.2013 - ITALIA - Sicilia - TP
Allegato(i)
Hydnobius sp. (cf.) - Leiodidae

6.IV.2013 - ITALIA - Sicilia - TP
Coleoptera

Velvet Ant

4

994

08/04/2013, 20:53

giuseppe55 Vedi ultimo messaggio

Nessun messaggio da leggere
Leiodes (Leiodes) polita (Marsham, 1802) (cf.) - Leiodidae
29.III.2013 - ITALIA - Toscana - LI
Allegato(i)
Leiodes (Leiodes) polita (Marsham, 1802) (cf.) - Leiodidae

29.III.2013 - ITALIA - Toscana - LI
Coleoptera

FORBIX

2

837

02/04/2013, 14:33

FORBIX Vedi ultimo messaggio

Nessun messaggio da leggere
Charonites sp. - - Leiodidae Cholevinae
15.VI.2011 - BOSNIA ERZEGOVINA - EE
Allegato(i)
Charonites sp. - - Leiodidae Cholevinae

15.VI.2011 - BOSNIA ERZEGOVINA - EE
Coleoptera

Lenny

4

765

28/02/2013, 23:06

Lenny Vedi ultimo messaggio

Nessun messaggio da leggere
Charonites orlovacensis Reitter, 1913 - Leiodidae, Cholevinae
16.VI.2011 - BOSNIA ERZEGOVINA - EE
Allegato(i)
Charonites orlovacensis Reitter, 1913 - Leiodidae, Cholevinae

16.VI.2011 - BOSNIA ERZEGOVINA - EE
Coleoptera

Lenny

1

551

25/02/2013, 18:42

Orotrechus Vedi ultimo messaggio

Nessun messaggio da leggere
Hydnobius spinipes Gyllenhal, 1813 (cf.) - Leiodidae
10.IV.2009 - ITALIA - Sicilia - EN
Allegato(i)
Hydnobius spinipes Gyllenhal, 1813 (cf.) - Leiodidae

10.IV.2009 - ITALIA - Sicilia - EN
Coleoptera

Anillus

8

994

05/02/2013, 17:14

Julodis Vedi ultimo messaggio

Nessun messaggio da leggere
Choleva sturmi Brisout, 1863 (cf.) - Leiodidae Cholevinae
3.III.1996 - ITALIA - Sicilia - TP
Allegato(i)
Choleva sturmi Brisout, 1863 (cf.) - Leiodidae Cholevinae

3.III.1996 - ITALIA - Sicilia - TP
Coleoptera

Davide Castelli

3

727

27/11/2012, 18:42

Tc70 Vedi ultimo messaggio

Nessun messaggio da leggere
Choleva sturmi Brisout, 1863 (cf.) - Leiodidae Cholevinae
10.III.1984 - ITALIA - Sicilia - TP
Allegato(i)
Choleva sturmi Brisout, 1863 (cf.) - Leiodidae Cholevinae

10.III.1984 - ITALIA - Sicilia - TP
Coleoptera

Davide Castelli

5

1478

27/11/2012, 0:03

eurinomio Vedi ultimo messaggio

Nessun messaggio da leggere
Nargus sp. (cf.) - Leiodidae Cholevinae
9.XI.2012 - ITALIA - Marche - PU
Allegato(i)
Nargus sp. (cf.) - Leiodidae Cholevinae

9.XI.2012 - ITALIA - Marche - PU
Coleoptera

marco paglialunga

1

533

12/11/2012, 12:48

Orotrechus Vedi ultimo messaggio

Nessun messaggio da leggere
Catops sp. - Leiodidae Chlevinae
26.V.2012 - ITALIA - Marche - MC
Allegato(i)
Catops sp. - Leiodidae Chlevinae

26.V.2012 - ITALIA - Marche - MC
Coleoptera

StagBeetle

4

740

20/10/2012, 23:18

Enrico Ruzzier Vedi ultimo messaggio

Nessun messaggio da leggere
Leiodidae
XI.2010 - ITALIA - Lombardia - BS
Allegato(i)
Leiodidae

XI.2010 - ITALIA - Lombardia - BS
Coleoptera

Livio

8

890

08/10/2012, 9:10

Livio Vedi ultimo messaggio

Nessun messaggio da leggere
Choleva sp. - Leiodidae Cholevinae
30.IV.2012 - ITALIA - Umbria - PG
Allegato(i)
Choleva sp. - Leiodidae Cholevinae

30.IV.2012 - ITALIA - Umbria - PG
Coleoptera

Maura

2

521

05/05/2012, 23:16

Maura Vedi ultimo messaggio

Nessun messaggio da leggere
Choleva sp. - Leiodidae
27.IV.2012 - ITALIA - Lazio - VT
Allegato(i)
Choleva sp. - Leiodidae

27.IV.2012 - ITALIA - Lazio - VT
Coleoptera

Andricus

2

470

29/04/2012, 14:34

Andricus Vedi ultimo messaggio

Nessun messaggio da leggere
Bathysciola sp. - Cholevidae
22.I.2012 - ITALIA - Emilia-Romagna - BO
Allegato(i)
Bathysciola sp. - Cholevidae

22.I.2012 - ITALIA - Emilia-Romagna - BO
Coleoptera

Loriscola

13

1640

26/03/2012, 22:45

Loriscola Vedi ultimo messaggio

Nessun messaggio da leggere
Oryotus dreoni Piva & Zoia, 1989 - Leiodidae Cholevinae
ITALIA - Friuli-Venezia Giulia - PN
Allegato(i)
Oryotus dreoni Piva & Zoia, 1989 - Leiodidae Cholevinae

ITALIA - Friuli-Venezia Giulia - PN
Coleoptera

andreafabbri

1

585

17/02/2012, 23:38

Orotrechus Vedi ultimo messaggio

Nessun messaggio da leggere
Allegato(i)
Hadesia asamo (Perreau & Pavicevic, 2008) - Leiodidae Cholevinae

VIII.2011 - BOSNIA ERZEGOVINA - EE
Coleoptera

Enrico Ruzzier

11

1539

17/02/2012, 22:21

Julodis Vedi ultimo messaggio

Nessun messaggio da leggere
Viallia alfanoi Pavan, 1950 - Leiodidae
13.VIII.1991 - ITALIA - Lombardia - BG
Allegato(i)
Viallia alfanoi Pavan, 1950 - Leiodidae

13.VIII.1991 - ITALIA - Lombardia - BG
Coleoptera

vittorino monzini

2

684

17/02/2012, 13:24

andreafabbri Vedi ultimo messaggio

Nessun messaggio da leggere
Sciodrepoides ??? - Leiodidae Cholevidae
IX.2009 - ITALIA - Marche - AN
Allegato(i)
Sciodrepoides ??? - Leiodidae Cholevidae

IX.2009 - ITALIA - Marche - AN
Coleoptera

StagBeetle

3

628

10/02/2012, 18:44

Orotrechus Vedi ultimo messaggio

Nessun messaggio da leggere
Leiodidae Leiodinae ?
3.I.2012 - ITALIA - Puglia - BA
Allegato(i)
Leiodidae Leiodinae ?

3.I.2012 - ITALIA - Puglia - BA
Coleoptera

Mimmo011

7

1132

04/01/2012, 10:44

FORBIX Vedi ultimo messaggio

Nessun messaggio da leggere
Leiodes sp. (cf.) - Leiodidae Leiodinae
14.XII.2011 - ITALIA - Veneto - RO
Allegato(i)
Leiodes sp. (cf.) - Leiodidae Leiodinae

14.XII.2011 - ITALIA - Veneto - RO
Coleoptera

Umbro

6

1224

16/12/2011, 23:03

Julodis Vedi ultimo messaggio

Nessun messaggio da leggere
Choleva sp. - Leiodidae
3.XII.2011 - ITALIA - Emilia-Romagna - BO
Allegato(i)
Choleva sp. - Leiodidae

3.XII.2011 - ITALIA - Emilia-Romagna - BO
Coleoptera

Loriscola

5

1063

14/12/2011, 18:49

Anillus Vedi ultimo messaggio

Nessun messaggio da leggere
Bathysciola sp. gruppo sisernica Catopidae
3.IX.2011 - ITALIA - Lazio - FR
Allegato(i)
Bathysciola sp. gruppo sisernica Catopidae

3.IX.2011 - ITALIA - Lazio - FR
Coleoptera

Notoxus59

1

823

28/11/2011, 1:17

Andrea Pergine Vedi ultimo messaggio

Nessun messaggio da leggere
Catops sp. - Leiodidae
22.XI.2011 - ITALIA - Basilicata - MT
Allegato(i)
Catops sp. - Leiodidae

22.XI.2011 - ITALIA - Basilicata - MT
Coleoptera

Mimmo011

3

776

27/11/2011, 13:02

Orotrechus Vedi ultimo messaggio

Nessun messaggio da leggere
Bathysciotes sp. (cf.) - Cholevidae
23.X.2011 - ITALIA - Friuli-Venezia Giulia - GO
Allegato(i)
Bathysciotes sp. (cf.) - Cholevidae

23.X.2011 - ITALIA - Friuli-Venezia Giulia - GO
Coleoptera

Loriscola

12

1934

23/11/2011, 16:46

Andrea Pergine Vedi ultimo messaggio

Nessun messaggio da leggere
Bathysciola rampinii Latella, 2002 - Catopidae
4.IX.2011 - ITALIA - Lazio - FR
Allegato(i)
Bathysciola rampinii Latella, 2002 - Catopidae

4.IX.2011 - ITALIA - Lazio - FR
Coleoptera

Notoxus59

4

1178

20/11/2011, 20:19

hypotyphlus Vedi ultimo messaggio

Nessun messaggio da leggere
Pholeuonidius halbherri (Reitter, 1887) - Leiodidae
23.X.2011 - ITALIA - Veneto - TV
Allegato(i)
Pholeuonidius halbherri (Reitter, 1887) - Leiodidae

23.X.2011 - ITALIA - Veneto - TV
Coleoptera

Enrico Ruzzier

6

1270

10/11/2011, 21:34

Tc70 Vedi ultimo messaggio

Nessun messaggio da leggere
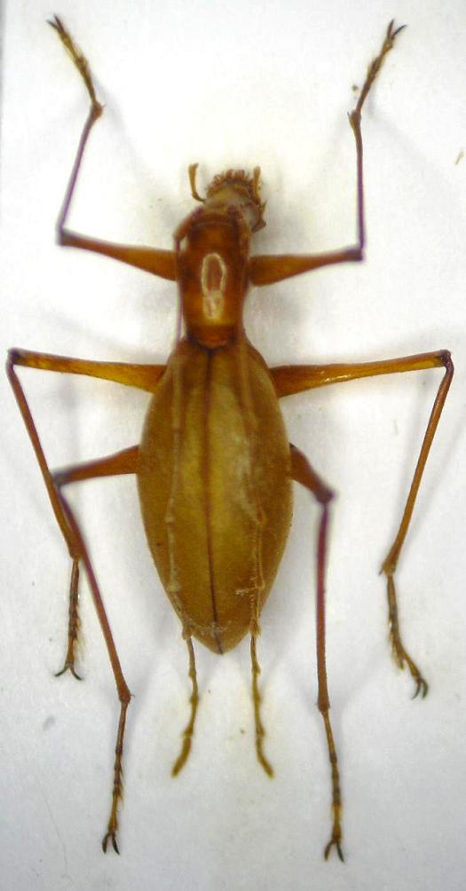
Leiodidae Cholevinae
23.X.2011 - ITALIA - Friuli-Venezia Giulia - GO
Allegato(i)
Leiodidae Cholevinae

23.X.2011 - ITALIA - Friuli-Venezia Giulia - GO
Coleoptera

Agdistis

1

647

28/10/2011, 16:25

Loriscola Vedi ultimo messaggio

Nessun messaggio da leggere
Agathidium sp.- Leiodidae, Leiodinae, Agathidiini
ITALIA - Friuli-Venezia Giulia - PN
Allegato(i)
Agathidium sp.- Leiodidae, Leiodinae, Agathidiini

ITALIA - Friuli-Venezia Giulia - PN
Coleoptera

andreafabbri

3

1417

18/10/2011, 21:07

andreafabbri Vedi ultimo messaggio

Nessun messaggio da leggere
Ptomaphagus (Ptomaphagus) sericatus sericatus (Chaudoir 1845) - Cholevidae
5.X.2011 - ITALIA - Trentino-Alto Adige - TN
Allegato(i)
Ptomaphagus (Ptomaphagus) sericatus sericatus (Chaudoir 1845) - Cholevidae

5.X.2011 - ITALIA - Trentino-Alto Adige - TN
Coleoptera

Andrea Pergine

9

1689

15/10/2011, 0:49

Andrea Pergine Vedi ultimo messaggio

Nessun messaggio da leggere
Leiodes sp. (cf.) - Leiodidae Leiodinae
20.VII.2008 - ITALIA - Trentino-Alto Adige - BZ
Allegato(i)
Leiodes sp. (cf.) - Leiodidae Leiodinae

20.VII.2008 - ITALIA - Trentino-Alto Adige - BZ
Coleoptera

aug

1

610

05/09/2011, 10:03

Tenebrio Vedi ultimo messaggio

Nessun messaggio da leggere
Parabathyscia sp. - Cholevidae
15.VII.2011 - ITALIA - Emilia-Romagna - BO
Allegato(i)
Parabathyscia sp. - Cholevidae

15.VII.2011 - ITALIA - Emilia-Romagna - BO
Coleoptera

Loriscola

3

534

08/08/2011, 23:53

Tc70 Vedi ultimo messaggio

Nessun messaggio da leggere
Allegato(i)
Sciodrepoides watsoni (Spence, 1815) ? - Leiodidae

1.IV.2011 - ROMANIA - EE
Coleoptera

cosmln

2

449

08/04/2011, 12:57

cosmln Vedi ultimo messaggio

Nessun messaggio da leggere
Nargus sp. - Leiodidae Cholevinae
9.X.2008 - ITALIA - Lombardia - BS
Allegato(i)
Nargus sp. - Leiodidae Cholevinae

9.X.2008 - ITALIA - Lombardia - BS
Coleoptera

Livio

3

527

27/03/2011, 18:42

Livio Vedi ultimo messaggio

Nessun messaggio da leggere
Catopsimorphus orientalis Aubé, 1850 cf. - Leiodidae Cholevinae
19.III.2011 - ITALIA - Sardegna - CA
Allegato(i)
Catopsimorphus orientalis Aubé, 1850 cf. - Leiodidae Cholevinae

19.III.2011 - ITALIA - Sardegna - CA
Coleoptera

Fumea crassiorella

1

416

19/03/2011, 23:12

Tenebrio Vedi ultimo messaggio

Nessun messaggio da leggere
Catops coracinus Kellner, 1846 - Leiodidae - Sardegna - Burcei
21.XII.2010 - ITALIA - Sardegna - CA
Allegato(i)
Catops coracinus Kellner, 1846 - Leiodidae - Sardegna - Burcei

21.XII.2010 - ITALIA - Sardegna - CA
Coleoptera

Fumea crassiorella

10

1392

06/03/2011, 21:57

Fumea crassiorella Vedi ultimo messaggio

Nessun messaggio da leggere
Allegato(i)
Platypsyllus castoris Ritsema, 1869 - Leiodidae Platypsyllinae ... un piccolo quiz entomologico

19.III.2010 - GERMANIA - EE
Coleoptera

pietro lo cascio

9

1154

20/02/2011, 17:18

Glaphyrus Vedi ultimo messaggio

Nessun messaggio da leggere
Catops sp. - Sardegna
1.I.1800 - ITALIA - Sardegna - CA
Allegato(i)
Catops sp. - Sardegna

1.I.1800 - ITALIA - Sardegna - CA
Coleoptera

ruzzpa

3

568

23/01/2011, 21:46

Orotrechus Vedi ultimo messaggio

Nessun messaggio da leggere
Allegato(i)
Agathidium sp.- Leiodidae, Leiodinae, Agathidiini - (BL) Veneto

17.I.2011 - ITALIA - Veneto - BL
Coleoptera

Maw89

2

861

21/01/2011, 1:03

Maw89 Vedi ultimo messaggio

Nessun messaggio da leggere
Amphicyllis globiformis (Sahlberg, 1833) - Leiodidae
16.I.2011 - ITALIA - Friuli-Venezia Giulia - GO
Allegato(i)
Amphicyllis globiformis (Sahlberg, 1833) - Leiodidae

16.I.2011 - ITALIA - Friuli-Venezia Giulia - GO
Coleoptera

Agdistis

12

1794

17/01/2011, 22:57

Tc70 Vedi ultimo messaggio

Nessun messaggio da leggere
Boldoria allegrettii Jeannel, 1930
15.IX.2007 - ITALIA - Lombardia - BS
Allegato(i)
Boldoria allegrettii Jeannel, 1930

15.IX.2007 - ITALIA - Lombardia - BS
Coleoptera

Tc70

0

523

08/01/2011, 14:59

Tc70 Vedi ultimo messaggio

Nessun messaggio da leggere
Allegato(i)
Boldoria morettii ssp.morettii Pavan, 1939 - Leiodidae Cholevinae

14.IV.2007 - ITALIA - Lombardia - BS
Coleoptera

Tc70

2

765

06/01/2011, 19:45

Tc70 Vedi ultimo messaggio

Nessun messaggio da leggere
Aphaobius forojulensis Mueller, 1931 - Leiodidae Cholevinae
8.III.2003 - ITALIA - Friuli-Venezia Giulia - UD
Allegato(i)
Aphaobius forojulensis Mueller, 1931 - Leiodidae Cholevinae

8.III.2003 - ITALIA - Friuli-Venezia Giulia - UD
Coleoptera

Orotrechus

0

579

06/01/2011, 15:42

Orotrechus Vedi ultimo messaggio

Nessun messaggio da leggere
Leiodidae - Lazio (Marcigliana)
9.IV.2010 - ITALIA - Lazio - RM
Allegato(i)
Leiodidae - Lazio (Marcigliana)

9.IV.2010 - ITALIA - Lazio - RM
Coleoptera

Julodis

4

575

03/01/2011, 22:39

Orotrechus Vedi ultimo messaggio

Nessun messaggio da leggere
Catops sp. - Leiodidae
26.XII.2010 - ITALIA - Sardegna - CA
Allegato(i)
Catops sp. - Leiodidae

26.XII.2010 - ITALIA - Sardegna - CA
Coleoptera

Fumea crassiorella

9

1039

28/12/2010, 22:40

Daniele Sechi Vedi ultimo messaggio

Nessun messaggio da leggere
Cholevide da vaglio - Casalecchio di Reno (BO)
XI.2010 - ITALIA - Emilia-Romagna - BO
Allegato(i)
Cholevide da vaglio - Casalecchio di Reno (BO)

XI.2010 - ITALIA - Emilia-Romagna - BO
Coleoptera

Loriscola

2

650

22/11/2010, 9:00

Loriscola Vedi ultimo messaggio

Nessun messaggio da leggere
Allegato(i)
Bathysciola (Bathysciola) sarteanensis sarteanensis (Bargagli, 1870) - Leiodidae Cholevinae - Lazio

[ Vai alla paginaVai alla pagina: 1, 2 ]



25.II.2010 - ITALIA - Lazio - RM
Coleoptera

Julodis

17

3393

07/10/2010, 23:30

Andrea Pergine Vedi ultimo messaggio

Visualizza ultimi argomenti:  Ordina per  Ordine:  
nuovo argomento
Vai alla pagina Precedente  1, 2, 3, 4  Prossimo
Pagina 3 di 4 [ 166 argomenti ]

Tutti gli orari sono UTC + 1 ora [ ora legale ]


Chi c’è in linea

Visitano il forum: Nessuno e 1 ospite


Legenda
Messaggi da leggere Messaggi da leggere Nessun messaggio da leggere Nessun messaggio da leggere Annuncio Annuncio
 
Specie indeterminata / discussione generica
Messaggi non letti [ Popolari ] Messaggi non letti [ Popolari ] Nessun messaggio da leggere [ Popolare ] Nessun messaggio da leggere [ Popolare ] Importante Importante
 
Specie determinata fino al genere o cf.
Messaggi non letti [ Bloccati ] Messaggi non letti [ Bloccati ] No messaggi non letti [ Bloccati ] No messaggi non letti [ Bloccati ] Argomento spostato Argomento spostato
 
Specie correttamente determinata
Permessi
Non puoi aprire nuovi argomenti
Non puoi rispondere negli argomenti
Non puoi modificare i tuoi messaggi
Non puoi cancellare i tuoi messaggi
Non puoi inviare allegati

Cerca per:
Vai a: