Benvenuto Ospite

Forum Entomologi Italiani

www.entomologiitaliani.net/forum
 
Oggi è 22/12/2025, 18:18

Tutti gli orari sono UTC + 1 ora [ ora legale ]

Leiodidae


[ AFROTROPICALE ] [ ANTARTICO ] [ AUSTRALASIANO ] [ NEARTICO ] [ NEOTROPICALE ] [ ORIENTALE ] [ PALEARTICO ]


nuovo argomento
Vai alla pagina Precedente  1, 2, 3, 4  Prossimo
Pagina 2 di 4 [ 166 argomenti ]
 Argomenti   Ordine   Autore   Risposte   Visite    Ultimo messaggio 
Annunci
Nessun messaggio da leggere
Allegato(i)
Incontri entomologici della Società Entomologica Italiana 2025-2026
 

Velvet Ant

0

13656

17/11/2025, 19:41

Velvet Ant Vedi ultimo messaggio

Nessun messaggio da leggere
Allegato(i)
Incontri entomologici telematici organizzati dalla Società Entomologica Italiana nel 2022 e nel 2023

[ Vai alla paginaVai alla pagina: 1, 2, 3 ]

 

Velvet Ant

44

1694189

03/03/2023, 15:55

Velvet Ant Vedi ultimo messaggio

Nessun messaggio da leggere  
Allegato(i)
Sondaggio sul declino dell'entomofauna in Italia

[ Vai alla paginaVai alla pagina: 1, 2, 3, 4 ]

 

Velvet Ant

52

2316838

22/10/2022, 19:18

Acquarius Vedi ultimo messaggio

Nessun messaggio da leggere  
Allegato(i)
Progetto: Bibliografia ragionata dei lavori entomologici nei quali sono citati reperti apparsi su FEI

[ Vai alla paginaVai alla pagina: 1, 2, 3 ]

 

Velvet Ant

33

1360619

06/07/2023, 18:31

Orotrechus Vedi ultimo messaggio

Nessun messaggio da leggere
Allegato(i)
Mimesi, il primo documentario cinematografico sull’entomologia in Italia: casting
 

mazzeip

1

1087722

28/02/2019, 20:26

mazzeip Vedi ultimo messaggio

Questo argomento è bloccato, non puoi modificare o inviare ulteriori messaggi.
Allegato(i)
ISTRUZIONI PUBBLICAZIONE NUOVI ARGOMENTI E FOTO

 
Altri Ordini di Insetti

Julodis

4

2885870

13/05/2015, 19:37

Julodis Vedi ultimo messaggio

Nessun messaggio da leggere
Allegato(i)
Limitatore giornaliero di messaggi, uno strumento utile e ormai indispensabile

[ Vai alla paginaVai alla pagina: 1 ... 14, 15, 16 ]

 

Velvet Ant

233

12363214

25/09/2014, 14:31

Inachis Vedi ultimo messaggio

Nessun messaggio da leggere  
NORME PER I COLLABORATORI DEL FORUM

 
 

Velvet Ant

0

632847

02/06/2011, 12:05

Velvet Ant Vedi ultimo messaggio

Nessun messaggio da leggere
Allegato(i)
NORME PER GLI UTENTI DEL FORUM

[ Vai alla paginaVai alla pagina: 1, 2, 3 ]



 
 

Velvet Ant

30

3478807

23/09/2014, 23:54

Maurizio Bollino Vedi ultimo messaggio

Nessun messaggio da leggere  
Lista degli utenti del "Forum entomologi italiani" per campi di interesse e specializzazione

 
Altri Ordini di Insetti

Velvet Ant

13

1007831

07/09/2023, 17:14

Roberto-07 Vedi ultimo messaggio

Argomenti
Nessun messaggio da leggere
Allegato(i)
Leptodirus hohenwarti ssp.reticulatus - Leiodidae Leptodirini

4.IX.1994 - SLOVENIA - EE
Coleoptera

hypotyphlus

5

1725

27/03/2019, 21:40

hypotyphlus Vedi ultimo messaggio

Nessun messaggio da leggere
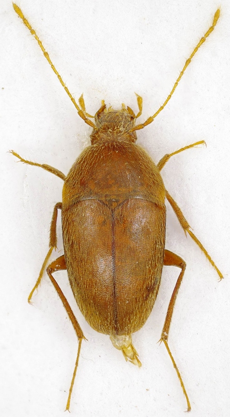
Leiodidae sp.
1.III.2019 - ITALIA - Lazio - RM
Allegato(i)
Leiodidae sp.

1.III.2019 - ITALIA - Lazio - RM
Coleoptera

elleelle

1

915

07/03/2019, 8:13

Agdistis Vedi ultimo messaggio

Nessun messaggio da leggere
Leiodes sp. - Leiodidae
15.XII.2018 - ITALIA - Lombardia - CO
Allegato(i)
Leiodes sp. - Leiodidae

15.XII.2018 - ITALIA - Lombardia - CO
Coleoptera

fasmidi

2

1056

18/12/2018, 17:34

fasmidi Vedi ultimo messaggio

Nessun messaggio da leggere
Ptomaphagus sp. - Leiodidae
8.XI.2018 - ITALIA - Lombardia - VA
Allegato(i)
Ptomaphagus sp. - Leiodidae

8.XI.2018 - ITALIA - Lombardia - VA
Coleoptera

fasmidi

4

1551

11/11/2018, 18:46

fasmidi Vedi ultimo messaggio

Nessun messaggio da leggere
Catops sp. (cf.) - Leiodidae Cholevinae
I.2018 - SPAGNA - EE
Allegato(i)
Catops sp. (cf.) - Leiodidae Cholevinae

I.2018 - SPAGNA - EE
Coleoptera

Sergi

5

1446

23/02/2018, 16:50

Julodis Vedi ultimo messaggio

Nessun messaggio da leggere
Leiodidae Leptodirini sp.
6.VII.2016 - ALBANIA - EE
Allegato(i)
Leiodidae Leptodirini sp.

6.VII.2016 - ALBANIA - EE
Coleoptera

Notoxus59

14

4078

23/04/2017, 18:10

Julodis Vedi ultimo messaggio

Nessun messaggio da leggere
Allegato(i)
Neobathyscia antrorum fenzoi Rallo, 1971 - Leiodidae Cholevinae

22.VII.2016 - ITALIA - Veneto - VI
Coleoptera

Notoxus59

9

2826

19/02/2017, 22:01

Cesare Bellò Vedi ultimo messaggio

Nessun messaggio da leggere
Allegato(i)
Choleva (Cholevopsis) paskoviensis Reitter, 1913 (cf.) - Leiodidae Cholevinae

1.II.2017 - TURCHIA - EE
Coleoptera

Baris99

4

1221

01/02/2017, 22:04

Baris99 Vedi ultimo messaggio

Nessun messaggio da leggere
Leiodes sp. - Leiodidae
27.III.2013 - ITALIA - Lazio - RM
Allegato(i)
Leiodes sp. - Leiodidae

27.III.2013 - ITALIA - Lazio - RM
Coleoptera

Valerio

2

1060

01/11/2016, 18:14

Valerio Vedi ultimo messaggio

Nessun messaggio da leggere
Nargus sp. - Leiodidae Cholevinae
23.X.2016 - ITALIA - Friuli-Venezia Giulia - UD
Allegato(i)
Nargus sp. - Leiodidae Cholevinae

23.X.2016 - ITALIA - Friuli-Venezia Giulia - UD
Coleoptera

Agdistis

1

887

30/10/2016, 0:36

AetherisIgnis Vedi ultimo messaggio

Nessun messaggio da leggere
Catops sp. - Leiodidae
1.X.2016 - ITALIA - Sardegna - CA
Allegato(i)
Catops sp. - Leiodidae

1.X.2016 - ITALIA - Sardegna - CA
Coleoptera

Fumea crassiorella

0

856

03/10/2016, 19:47

Fumea crassiorella Vedi ultimo messaggio

Nessun messaggio da leggere
Agathidium sp. (cf.) - Leiodidae
26.V.2014 - ITALIA - Trentino-Alto Adige - TN
Allegato(i)
Agathidium sp. (cf.) - Leiodidae

26.V.2014 - ITALIA - Trentino-Alto Adige - TN
Coleoptera

Loriscola

2

1194

29/05/2016, 21:01

pedux Vedi ultimo messaggio

Nessun messaggio da leggere
Ptomaphagus sp. (cf.) - Leiodidae
3.III.2016 - ITALIA - Veneto - TV
Allegato(i)
Ptomaphagus sp. (cf.) - Leiodidae

3.III.2016 - ITALIA - Veneto - TV
Coleoptera

stefano tasca

3

1503

22/05/2016, 13:50

stefano tasca Vedi ultimo messaggio

Nessun messaggio da leggere
Sciodrepoides watsoni (Spence, 1815) - Leiodidae Cholevinae
18.XI.2015 - ITALIA - Abruzzo - PE
Allegato(i)
Sciodrepoides watsoni (Spence, 1815) - Leiodidae Cholevinae

18.XI.2015 - ITALIA - Abruzzo - PE
Coleoptera

Alessio89

9

2490

19/02/2016, 22:57

Tenebrio Vedi ultimo messaggio

Nessun messaggio da leggere
Colon sp. - Leiodidae Cholevinae
7.V.2014 - ITALIA - Abruzzo - PE
Allegato(i)
Colon sp. - Leiodidae Cholevinae

7.V.2014 - ITALIA - Abruzzo - PE
Coleoptera

Alessio89

5

1252

12/02/2016, 22:31

Alessio89 Vedi ultimo messaggio

Nessun messaggio da leggere
Leiodes calcarata (Erichson, 1845) - Leiodidae
21.VII.2011 - ROMANIA - EE
Allegato(i)
Leiodes calcarata (Erichson, 1845) - Leiodidae

21.VII.2011 - ROMANIA - EE
Coleoptera

alexaandru

14

2080

08/02/2016, 23:48

alexaandru Vedi ultimo messaggio

Nessun messaggio da leggere
Leiodes cinnamomea (Panzer, 1793) - Leiodidae
29.I.2016 - ROMANIA - EE
Allegato(i)
Leiodes cinnamomea (Panzer, 1793) - Leiodidae

29.I.2016 - ROMANIA - EE
Coleoptera

alexaandru

1

747

08/02/2016, 23:44

alexaandru Vedi ultimo messaggio

Nessun messaggio da leggere
Ptomaphagus sp. (cf.) - Leiodidae
13.VI.2015 - ITALIA - Marche - FM
Allegato(i)
Ptomaphagus sp. (cf.) - Leiodidae

13.VI.2015 - ITALIA - Marche - FM
Coleoptera

Andream

2

869

27/12/2015, 15:06

Andream Vedi ultimo messaggio

Nessun messaggio da leggere
Colon sp. - Leiodidae
1.IV.2007 - ITALIA - Lazio - FR
Allegato(i)
Colon sp. - Leiodidae

1.IV.2007 - ITALIA - Lazio - FR
Coleoptera

giuseppe55

4

1134

19/12/2015, 1:07

Daniele Maccapani Vedi ultimo messaggio

Nessun messaggio da leggere
Bathysciola sp. - Leiodidae
24.XI.2012 - ITALIA - Lazio - RM
Allegato(i)
Bathysciola sp. - Leiodidae

24.XI.2012 - ITALIA - Lazio - RM
Coleoptera

Julodis

4

1155

06/10/2015, 11:44

Andrea Pergine Vedi ultimo messaggio

Nessun messaggio da leggere
Bathysciola sp. - Leiodidae
7.XI.2013 - ITALIA - Lazio - FR
Allegato(i)
Bathysciola sp. - Leiodidae

7.XI.2013 - ITALIA - Lazio - FR
Coleoptera

Julodis

8

1787

06/10/2015, 11:43

Andrea Pergine Vedi ultimo messaggio

Nessun messaggio da leggere
Allegato(i)
Antrosedes speluncarius Reitter, 1912 - Leiodidae

BOSNIA ERZEGOVINA - EE
Coleoptera

Honza

1

1116

09/06/2015, 6:50

strepens Vedi ultimo messaggio

Nessun messaggio da leggere
Leiodidae sp.
X.2003 - ITALIA - Campania - CE
Allegato(i)
Leiodidae sp.

X.2003 - ITALIA - Campania - CE
Coleoptera

aesalus37

0

759

14/05/2015, 6:35

aesalus37 Vedi ultimo messaggio

Nessun messaggio da leggere
Leiodes sp. - Leiodidae
3.VI.1999 - ITALIA - Lazio - RM
Allegato(i)
Leiodes sp. - Leiodidae

3.VI.1999 - ITALIA - Lazio - RM
Coleoptera

aesalus37

2

844

19/03/2015, 7:41

aesalus37 Vedi ultimo messaggio

Nessun messaggio da leggere
Leiodes sp. - Leiodidae
4.III.2015 - ITALIA - Marche - MC
Allegato(i)
Leiodes sp. - Leiodidae

4.III.2015 - ITALIA - Marche - MC
Coleoptera

Andream

2

858

11/03/2015, 0:02

Andream Vedi ultimo messaggio

Nessun messaggio da leggere
Leiodidae sp.
29.X.2014 - ITALIA - Toscana - GR
Allegato(i)
Leiodidae sp.

29.X.2014 - ITALIA - Toscana - GR
Coleoptera

pipine26

2

956

13/01/2015, 14:08

pipine26 Vedi ultimo messaggio

Nessun messaggio da leggere
Colon sp. - Leiodidae
1.VI.1999 - ITALIA - Lazio - RM
Allegato(i)
Colon sp. - Leiodidae

1.VI.1999 - ITALIA - Lazio - RM
Coleoptera

aesalus37

4

1211

19/11/2014, 7:48

aesalus37 Vedi ultimo messaggio

Nessun messaggio da leggere
Ptomaphagus sp. - Leiodidae Cholevinae
IV.1999 - ITALIA - Lazio - RM
Allegato(i)
Ptomaphagus sp. - Leiodidae Cholevinae

IV.1999 - ITALIA - Lazio - RM
Coleoptera

aesalus37

2

899

16/11/2014, 7:31

aesalus37 Vedi ultimo messaggio

Nessun messaggio da leggere
Allegato(i)
Anemadus pellitus Reitter 1885 (cf.) - Leiodidae

3.X.2014 - GRECIA - EE
Coleoptera

ruzzpa

1

752

09/11/2014, 22:58

Tenebrio Vedi ultimo messaggio

Nessun messaggio da leggere
Leptinus testaceus P.W.J.Muller, 1817 - Leiodidae Platypsyllinae
15.X.2014 - ITALIA - Trentino-Alto Adige - TN
Allegato(i)
Leptinus testaceus P.W.J.Muller, 1817 - Leiodidae Platypsyllinae

15.X.2014 - ITALIA - Trentino-Alto Adige - TN
Coleoptera

Loriscola

0

707

20/10/2014, 17:44

Loriscola Vedi ultimo messaggio

Nessun messaggio da leggere
Allegato(i)
Catops grandicollis Erichson, 1837 (cf.) - Leiodidae

10.X.2014 - BULGARIA - EE
Coleoptera

Joro

4

1165

12/10/2014, 19:43

Joro Vedi ultimo messaggio

Nessun messaggio da leggere
Closania winkleri Jeannel, 1928 - Leiodidae
6.VIII.2007 - ROMANIA - EE
Allegato(i)
Closania winkleri Jeannel, 1928 - Leiodidae

6.VIII.2007 - ROMANIA - EE
Coleoptera

cosmln

8

1721

24/06/2014, 21:04

Orotrechus Vedi ultimo messaggio

Nessun messaggio da leggere
Leiodes sp. - Leiodidae
13.XI.1997 - ITALIA - Lazio - RM
Allegato(i)
Leiodes sp. - Leiodidae

13.XI.1997 - ITALIA - Lazio - RM
Coleoptera

aesalus37

2

828

17/04/2014, 6:58

aesalus37 Vedi ultimo messaggio

Nessun messaggio da leggere
Agathidium sp.- Leiodidae, Leiodinae, Agathidiini
26.II.2014 - ITALIA - Emilia-Romagna - FE
Allegato(i)
Agathidium sp.- Leiodidae, Leiodinae, Agathidiini

26.II.2014 - ITALIA - Emilia-Romagna - FE
Coleoptera

Daniele Maccapani

6

2121

26/03/2014, 23:19

Maura Vedi ultimo messaggio

Nessun messaggio da leggere
Allegato(i)
Leiodes (Oosphaerula) flavicornis (Brisout de Barneville, 1883) - Leiodidae

16.II.2014 - ITALIA - Sardegna - CA
Coleoptera

Fumea crassiorella

2

887

18/02/2014, 16:32

Fumea crassiorella Vedi ultimo messaggio

Nessun messaggio da leggere
Catops morio (Fabricius, 1787) (cf.) - Leiodidae
5.IX.2012 - GERMANIA - EE
Allegato(i)
Catops morio (Fabricius, 1787) (cf.) - Leiodidae

5.IX.2012 - GERMANIA - EE
Coleoptera

Lenny

1

689

14/02/2014, 8:32

Julodis Vedi ultimo messaggio

Nessun messaggio da leggere
Catops nigrita (Erichson 1837) (cf.) - Leiodidae
25.I.2014 - ITALIA - Sardegna - CA
Allegato(i)
Catops nigrita (Erichson 1837) (cf.) - Leiodidae

25.I.2014 - ITALIA - Sardegna - CA
Coleoptera

Fumea crassiorella

1

671

09/02/2014, 1:08

Klaas Reißmann Vedi ultimo messaggio

Nessun messaggio da leggere
Ptomaphagus sp. - Leiodidae
28.I.2014 - SVIZZERA - EE
Allegato(i)
Ptomaphagus sp. - Leiodidae

28.I.2014 - SVIZZERA - EE
Coleoptera

gio

2

819

31/01/2014, 1:42

gio Vedi ultimo messaggio

Nessun messaggio da leggere
Nargus sp. (cf.) - Leiodidae Cholevinae Cholevini
25.XI.2013 - ITALIA - Lazio - RM
Allegato(i)
Nargus sp. (cf.) - Leiodidae Cholevinae Cholevini

25.XI.2013 - ITALIA - Lazio - RM
Coleoptera

Julodis

2

1027

13/01/2014, 19:26

Julodis Vedi ultimo messaggio

Nessun messaggio da leggere
Catops sp. - Leiodidae Cholevinae
19.VII.2012 - ITALIA - Lombardia - BS
Allegato(i)
Catops sp. - Leiodidae Cholevinae

19.VII.2012 - ITALIA - Lombardia - BS
Coleoptera

Livio

5

1255

01/01/2014, 9:04

Klaas Reißmann Vedi ultimo messaggio

Nessun messaggio da leggere
Allegato(i)
Ptomaphagus (Ptomaphagus) pius Seidlitz, 1887 (cf.) - Leiodidae

25.XI.2013 - ITALIA - Lazio - RM
Coleoptera

Julodis

3

1526

31/12/2013, 22:53

Julodis Vedi ultimo messaggio

Nessun messaggio da leggere
Allegato(i)
Agathidium (Neoceble) varians Beck, 1817 - Leiodidae

30.XII.2013 - SVIZZERA - EE
Coleoptera

gio

10

3355

31/12/2013, 16:20

Maura Vedi ultimo messaggio

Nessun messaggio da leggere
Agathidium sp. - Leiodidae
II.2010 - ITALIA - Lazio - RM
Allegato(i)
Agathidium sp. - Leiodidae

II.2010 - ITALIA - Lazio - RM
Coleoptera

aesalus37

3

1204

22/12/2013, 22:46

aesalus37 Vedi ultimo messaggio

Nessun messaggio da leggere
Ptomaphagus sp. (cf.) - Leiodidae Cholevinae
14.XII.2013 - ITALIA - Friuli-Venezia Giulia - GO
Allegato(i)
Ptomaphagus sp. (cf.) - Leiodidae Cholevinae

14.XII.2013 - ITALIA - Friuli-Venezia Giulia - GO
Coleoptera

Agdistis

3

1012

16/12/2013, 10:53

Andrea Pergine Vedi ultimo messaggio

Nessun messaggio da leggere
Hydnobius punctatus (Sturm, 1807) (cf.) - Leiodidae
23.X.2013 - ITALIA - Abruzzo - PE
Allegato(i)
Hydnobius punctatus (Sturm, 1807) (cf.) - Leiodidae

[ Vai alla paginaVai alla pagina: 1, 2 ]



23.X.2013 - ITALIA - Abruzzo - PE
Coleoptera

Alessio89

17

2974

04/12/2013, 15:24

dorbodervus Vedi ultimo messaggio

Nessun messaggio da leggere
Leiodes cf. - Leiodidae
27.X.2011 - ITALIA - Calabria - RC
Allegato(i)
Leiodes cf. - Leiodidae

27.X.2011 - ITALIA - Calabria - RC
Coleoptera

Valerio

2

713

30/11/2013, 19:37

Valerio Vedi ultimo messaggio

Nessun messaggio da leggere
Leiodes sp. - Leiodidae da ID
22.IX.2013 - ITALIA - Abruzzo - PE
Allegato(i)
Leiodes sp. - Leiodidae da ID

22.IX.2013 - ITALIA - Abruzzo - PE
Coleoptera

Alessio89

2

753

30/10/2013, 13:51

Alessio89 Vedi ultimo messaggio

Nessun messaggio da leggere
Catops sp. - Leiodidae
7.X.2013 - ITALIA - Lazio - RM
Allegato(i)
Catops sp. - Leiodidae

7.X.2013 - ITALIA - Lazio - RM
Coleoptera

Julodis

9

1087

21/10/2013, 21:32

Julodis Vedi ultimo messaggio

Nessun messaggio da leggere
Allegato(i)
Parabathyscia (Parabathyscia) fiorii (Capra, 1920) cf. - Leiodidae Cholevinae

13.X.2013 - ITALIA - Emilia-Romagna - BO
Coleoptera

Loriscola

2

616

21/10/2013, 14:03

Loriscola Vedi ultimo messaggio

Nessun messaggio da leggere
Leiodes (Leiodes) polita (Marsham, 1802) (cf.) - Leiodidae
16.X.2013 - ITALIA - Marche - PU
Allegato(i)
Leiodes (Leiodes) polita (Marsham, 1802) (cf.) - Leiodidae

16.X.2013 - ITALIA - Marche - PU
Coleoptera

marco paglialunga

0

361

17/10/2013, 8:35

marco paglialunga Vedi ultimo messaggio

Visualizza ultimi argomenti:  Ordina per  Ordine:  
nuovo argomento
Vai alla pagina Precedente  1, 2, 3, 4  Prossimo
Pagina 2 di 4 [ 166 argomenti ]

Tutti gli orari sono UTC + 1 ora [ ora legale ]


Chi c’è in linea

Visitano il forum: Nessuno e 1 ospite


Legenda
Messaggi da leggere Messaggi da leggere Nessun messaggio da leggere Nessun messaggio da leggere Annuncio Annuncio
 
Specie indeterminata / discussione generica
Messaggi non letti [ Popolari ] Messaggi non letti [ Popolari ] Nessun messaggio da leggere [ Popolare ] Nessun messaggio da leggere [ Popolare ] Importante Importante
 
Specie determinata fino al genere o cf.
Messaggi non letti [ Bloccati ] Messaggi non letti [ Bloccati ] No messaggi non letti [ Bloccati ] No messaggi non letti [ Bloccati ] Argomento spostato Argomento spostato
 
Specie correttamente determinata
Permessi
Non puoi aprire nuovi argomenti
Non puoi rispondere negli argomenti
Non puoi modificare i tuoi messaggi
Non puoi cancellare i tuoi messaggi
Non puoi inviare allegati

Cerca per:
Vai a: