Benvenuto Ospite

Forum Entomologi Italiani

www.entomologiitaliani.net/forum
 
Oggi è 31/10/2025, 0:26

Tutti gli orari sono UTC + 1 ora [ ora legale ]

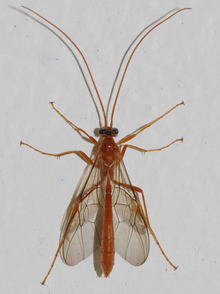
Ophion sp. - Ichneumonidae Ophioninae

9.V.2012 - ITALIA - Veneto - PD, Padova


nuovo argomento
rispondi
Pagina 1 di 1 [ 3 messaggi ]
Autore Messaggio
 Oggetto del messaggio: Ophion sp. - Ichneumonidae Ophioninae
MessaggioInviato: 30/03/2013, 19:33 
Avatar utente

Iscritto il: 25/08/2011, 0:01
Messaggi: 71
Nome: Giulio Piras
Questa vola vi tormento con un imenottero: era sul muro di casa a maggio dell'anno scorso, mai più rivisto in seguito. E' molto particolare e mi piacerebbe sapere di che si tratta.

Buona giornata

Giulio Piras
Padova


Imenottero2464.jpg

Imenottero2473.jpg

Imenottero2480.jpg

Top
profilo
 Oggetto del messaggio: Re: imenottero rosso
MessaggioInviato: 31/03/2013, 18:42 
Avatar utente

Iscritto il: 06/02/2009, 9:02
Messaggi: 1429
Località: Verona - Roma - Foggia e sporadicamente Padova
Nome: Filippo Di Giovanni
Ciao, si tratta di un Ophion sp. (Ichneumonidae Ophioninae), una femmina.

Filippo

_________________
"Non posso separare il piacere estetico che provo nel vedere una farfalla dal piacere scientifico di sapere che cosa è" (V.Nabokov)


Top
profilo
 Oggetto del messaggio: Re: imenottero rosso
MessaggioInviato: 01/04/2013, 8:48 
Avatar utente

Iscritto il: 25/08/2011, 0:01
Messaggi: 71
Nome: Giulio Piras
Grazie mille

Giulio


Top
profilo
Visualizza ultimi messaggi:  Ordina per  
nuovo argomento
rispondi
Pagina 1 di 1 [ 3 messaggi ]

Tutti gli orari sono UTC + 1 ora [ ora legale ]


Chi c’è in linea

Visitano il forum: Nessuno e 1 ospite


Non puoi aprire nuovi argomenti
Non puoi rispondere negli argomenti
Non puoi modificare i tuoi messaggi
Non puoi cancellare i tuoi messaggi
Non puoi inviare allegati

Cerca per:
Vai a:  
cron