Benvenuto Ospite

Forum Entomologi Italiani

www.entomologiitaliani.net/forum
 
Oggi è 20/10/2025, 10:30

Tutti gli orari sono UTC + 1 ora [ ora legale ]

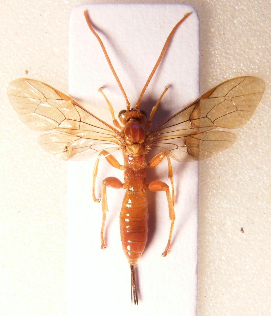
Theronia atalantae (Poda 1761) - Ichneumonidae Pimplinae

4.VI.2016 - ITALIA - Sardegna - CA, San Gregorio (Sìnnai)


nuovo argomento
rispondi
Pagina 1 di 1 [ 3 messaggi ]
Autore Messaggio
MessaggioInviato: 05/06/2016, 12:17 
Avatar utente

Iscritto il: 01/11/2009, 9:51
Messaggi: 2329
Nome: Andrea Rattu
Catturato mentre sorvolava la sponda di un ruscello. Lunghezza mm 10 (13 se aggiungiamo la terebra). Grazie a tutti.


3.jpg

4.jpg

2.jpg

1.jpg


_________________
Se gettassi su di un piatto della bilancia tutto ciò che ho imparato a comprendere in quelle ore di meditazione di fronte all'acquario, e sull'altro tutto ciò che ho ricavato dai libri, come rimarrebbe leggero il secondo!
Konrad Lorenz
Top
profilo
 Oggetto del messaggio: Re: Imenottero 1 da ID
MessaggioInviato: 06/06/2016, 11:17 
Avatar utente

Iscritto il: 06/02/2009, 9:02
Messaggi: 1429
Località: Verona - Roma - Foggia e sporadicamente Padova
Nome: Filippo Di Giovanni
Theronia atalantae (Poda 1761) (Ichneumonidae Pimplinae)

Filippo :birra:

_________________
"Non posso separare il piacere estetico che provo nel vedere una farfalla dal piacere scientifico di sapere che cosa è" (V.Nabokov)


Top
profilo
 Oggetto del messaggio: Re: Imenottero 1 da ID
MessaggioInviato: 06/06/2016, 11:37 
Avatar utente

Iscritto il: 01/11/2009, 9:51
Messaggi: 2329
Nome: Andrea Rattu
Urrah, grazie Filippo :hp: .

_________________
Se gettassi su di un piatto della bilancia tutto ciò che ho imparato a comprendere in quelle ore di meditazione di fronte all'acquario, e sull'altro tutto ciò che ho ricavato dai libri, come rimarrebbe leggero il secondo!
Konrad Lorenz


Top
profilo
Visualizza ultimi messaggi:  Ordina per  
nuovo argomento
rispondi
Pagina 1 di 1 [ 3 messaggi ]

Tutti gli orari sono UTC + 1 ora [ ora legale ]


Chi c’è in linea

Visitano il forum: Nessuno e 1 ospite


Non puoi aprire nuovi argomenti
Non puoi rispondere negli argomenti
Non puoi modificare i tuoi messaggi
Non puoi cancellare i tuoi messaggi
Non puoi inviare allegati

Cerca per:
Vai a: