Benvenuto Ospite

Forum Entomologi Italiani

www.entomologiitaliani.net/forum
 
Oggi è 07/11/2025, 4:08

Tutti gli orari sono UTC + 1 ora [ ora legale ]

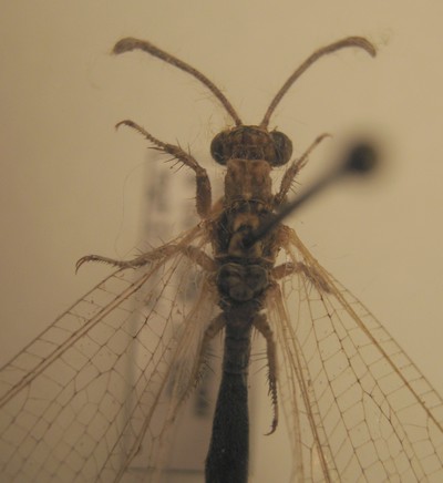
Creoleon plumbeus (Olivier 1811) - Myrmeleontidae - Grecia



nuovo argomento
rispondi
Pagina 1 di 1 [ 5 messaggi ]
Autore Messaggio
MessaggioInviato: 15/09/2009, 19:04 
Avatar utente

Iscritto il: 04/02/2009, 17:49
Messaggi: 5510
Località: Cagliari
Nome: Daniele Sechi
Grecia (Tessaglia) Kalambaka, Kastraki m.300 8 agosto 2008 lunghezza 4 cm il maschio, 2,7 cm la femmina.

IMG_1813.jpg


IMG_1814.jpg


IMG_1815.jpg


IMG_1816.jpg


IMG_1817.jpg


_________________
:hi:
Daniele


Top
profilo
 Oggetto del messaggio: Re: Formicaleoni dalla Grecia
MessaggioInviato: 15/09/2009, 19:37 
Avatar utente

Iscritto il: 02/02/2009, 23:32
Messaggi: 5645
Località: da Ferrara ad Alghero
Nome: Roberto A. Pantaleoni
Lasciamo rispondere Davide/Dilar o Agostino/Letardi, anche se questo è molto facile.

Roberto :to:

_________________
verum stabile cetera fumus


Top
profilo
 Oggetto del messaggio: Re: Formicaleoni dalla Grecia
MessaggioInviato: 15/09/2009, 20:07 
Avatar utente

Iscritto il: 06/02/2009, 9:17
Messaggi: 1025
Località: Roma
Nome: Agostino Letardi
Hemerobius ha scritto:
Lasciamo rispondere Davide/Dilar o Agostino/Letardi, anche se questo è molto facile.

Roberto :to:


Grrrrrrr :x
Cosa intendi dire: che anche un cecato come me forse riesce a vedere che si tratta di un Creoleon :devil: ?????

(ovviamente sto' scherzando :lov1: )

Ebbene si! C'hai ragione... se vedere gli insetti in natura da' sensazioni ed immagini nuove degli insetti che più spesso (almeno a me) capita di vedere al binoculare, vedere la foto di insetti preparati, anche di specie banali a volte mi mette dei dubbi clamorosi...

Sara' che so' proprio cecato :cry: :cry: :cry:

Buone cose

_________________
agostino letardi
http://neurotteri.casaccia.enea.it


Top
profilo
 Oggetto del messaggio: Re: Formicaleoni dalla Grecia
MessaggioInviato: 15/09/2009, 20:09 
Avatar utente

Iscritto il: 06/02/2009, 9:17
Messaggi: 1025
Località: Roma
Nome: Agostino Letardi
Ah... vabbe', visto che siamo in Grecia, direi che si tratta di una coppia (femmina a sx, maschio a dx) di Creoleon plumbeus...

_________________
agostino letardi
http://neurotteri.casaccia.enea.it


Top
profilo
 Oggetto del messaggio: Re: Formicaleoni dalla Grecia
MessaggioInviato: 15/09/2009, 20:34 
Avatar utente

Iscritto il: 02/02/2009, 23:32
Messaggi: 5645
Località: da Ferrara ad Alghero
Nome: Roberto A. Pantaleoni
Eggià, secondo Hoelzel tutti uguali, dalla Calabria Jonica alla Turchia, forse Israele. Tutti Creoleon plumbeus. Purtroppo al momento non si può che determinarli così!

Ciao Roberto :to:

_________________
verum stabile cetera fumus


Top
profilo
Visualizza ultimi messaggi:  Ordina per  
nuovo argomento
rispondi
Pagina 1 di 1 [ 5 messaggi ]

Tutti gli orari sono UTC + 1 ora [ ora legale ]


Chi c’è in linea

Visitano il forum: Nessuno e 2 ospiti


Non puoi aprire nuovi argomenti
Non puoi rispondere negli argomenti
Non puoi modificare i tuoi messaggi
Non puoi cancellare i tuoi messaggi
Non puoi inviare allegati

Cerca per:
Vai a: