Benvenuto Ospite

Forum Entomologi Italiani

www.entomologiitaliani.net/forum
 
Oggi è 12/11/2025, 1:01

Tutti gli orari sono UTC + 1 ora [ ora legale ]

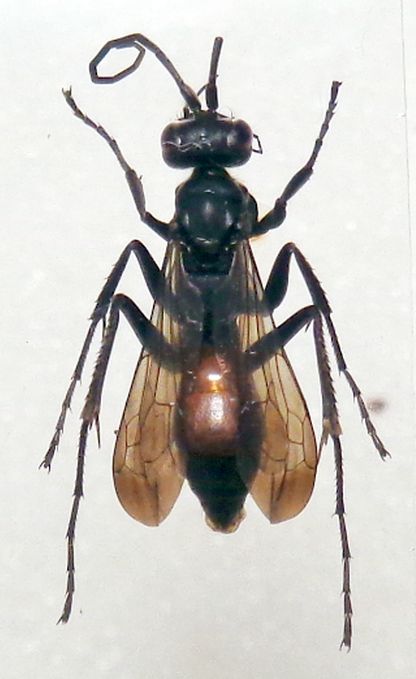
Cryptocheilus (Adonta) notatus (Rossi, 1792) ♀ - Pompilidae Pepsinae

1.VIII.2019 - ITALIA - Valle d'Aosta - AO, valle di La Thuile, m 1800


nuovo argomento
rispondi
Pagina 1 di 1 [ 8 messaggi ]
Autore Messaggio
MessaggioInviato: 27/07/2020, 19:09 
 

Iscritto il: 08/12/2013, 1:52
Messaggi: 7538
Località: Bagnacavallo (RA)
Nome: Giorgio Pezzi
Pare essere il più piccolo del genere; femmina di mm 11. Per il maschio vedasi qui viewtopic.php?f=11&t=91496 , ufficialmente da domani sera. :) Grazie per i pareri.
:hi:
DSC03368.JPG



DSC03373.JPG

DSC03375.JPG

DSC03372.JPG

Top
profilo
MessaggioInviato: 27/07/2020, 20:59 
Avatar utente

Iscritto il: 23/06/2010, 11:11
Messaggi: 2784
Località: Cagliari
Nome: Gianpaolo Ruzzante
Praticamente raccolta sul livello del mare ITALIA - Valle d'Aosta - AO, valle di La Thuile, m 18 :mrgreen:


Top
profilo
MessaggioInviato: 28/07/2020, 16:30 
 

Iscritto il: 25/10/2018, 20:44
Messaggi: 77
Località: Verona
Nome: Andrea Volpe
Se il terzo articolo antennale è più lungo di scapo più pedicello dovremmo esserci

_________________
Andrea Volpe
Verona (VR)


Top
profilo
MessaggioInviato: 30/07/2020, 11:30 
 

Iscritto il: 08/12/2013, 1:52
Messaggi: 7538
Località: Bagnacavallo (RA)
Nome: Giorgio Pezzi
ruzzpa ha scritto:
Praticamente raccolta sul livello del mare ITALIA - Valle d'Aosta - AO, valle di La Thuile, m 18 :mrgreen:

:sick:


Top
profilo
MessaggioInviato: 30/07/2020, 11:44 
 

Iscritto il: 08/12/2013, 1:52
Messaggi: 7538
Località: Bagnacavallo (RA)
Nome: Giorgio Pezzi
Andrea Volpe ha scritto:
Se il terzo articolo antennale è più lungo di scapo più pedicello dovremmo esserci

Sì, più lungo (20 e 16 tacche rispettivamente), come in foto. Nel maschio (link) tale rapporto è equilibrato.
:hi:


DSC03395.JPG



Ultima modifica di Chalybion il 30/07/2020, 11:51, modificato 1 volta in totale.
Top
profilo
MessaggioInviato: 30/07/2020, 11:48 
 

Iscritto il: 25/10/2018, 20:44
Messaggi: 77
Località: Verona
Nome: Andrea Volpe
Grazie per aver postato la foto Giorgio, non mi è mai capitato di vederlo dal vivo.

_________________
Andrea Volpe
Verona (VR)


Top
profilo
MessaggioInviato: 30/07/2020, 20:53 
 

Iscritto il: 08/12/2013, 1:52
Messaggi: 7538
Località: Bagnacavallo (RA)
Nome: Giorgio Pezzi
Dal vivo?!
:lol:
Qualcuno corregge la quota con un paio di zeri? Grazie. :bln:


Top
profilo
MessaggioInviato: 31/07/2020, 20:14 
Avatar utente

Iscritto il: 23/06/2010, 11:11
Messaggi: 2784
Località: Cagliari
Nome: Gianpaolo Ruzzante
Chalybion ha scritto:
Dal vivo?!
:lol:
Qualcuno corregge la quota con un paio di zeri? Grazie. :bln:

:ok:


Top
profilo
Visualizza ultimi messaggi:  Ordina per  
nuovo argomento
rispondi
Pagina 1 di 1 [ 8 messaggi ]

Tutti gli orari sono UTC + 1 ora [ ora legale ]


Chi c’è in linea

Visitano il forum: Nessuno e 1 ospite


Non puoi aprire nuovi argomenti
Non puoi rispondere negli argomenti
Non puoi modificare i tuoi messaggi
Non puoi cancellare i tuoi messaggi
Non puoi inviare allegati

Cerca per:
Vai a: