Benvenuto Ospite

Forum Entomologi Italiani

www.entomologiitaliani.net/forum
 
Oggi è 20/10/2025, 11:56

Tutti gli orari sono UTC + 1 ora [ ora legale ]

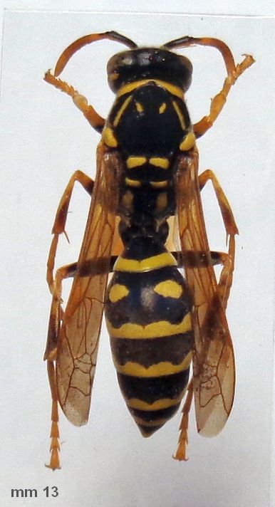
Polistes (Polistes) foederatus Kohl, 1898 Dettagli della specie

16.VI.2023 - ITALIA - Trentino-Alto Adige - TN, passo Vezzena, m 1335


nuovo argomento
rispondi
Pagina 1 di 1 [ 3 messaggi ]
Autore Messaggio
MessaggioInviato: 15/10/2024, 19:10 
 

Iscritto il: 08/12/2013, 1:52
Messaggi: 7510
Località: Bagnacavallo (RA)
Nome: Giorgio Pezzi
Questo esemplare ha colori non alterati rispetto a quello di ieri viewtopic.php?t=105760 ; anche questo è gallicus?
:hi:
DSC03161.JPG



DSC03158.JPG

Top
profilo
 Oggetto del messaggio: Re: Polistes sp. - Vespidae
MessaggioInviato: 28/10/2024, 19:01 
 

Iscritto il: 08/12/2013, 1:52
Messaggi: 7510
Località: Bagnacavallo (RA)
Nome: Giorgio Pezzi
Porto su. :hi:


Top
profilo
 Oggetto del messaggio: Re: Polistes sp. - Vespidae
MessaggioInviato: 29/04/2025, 21:17 
Avatar utente

Iscritto il: 01/07/2010, 22:26
Messaggi: 5647
Località: Viterbo
Nome: Marco Selis
Esaminato, l'esemplare coincide bene con P. foederatus :hi:


Top
profilo
Visualizza ultimi messaggi:  Ordina per  
nuovo argomento
rispondi
Pagina 1 di 1 [ 3 messaggi ]

Tutti gli orari sono UTC + 1 ora [ ora legale ]


Chi c’è in linea

Visitano il forum: Nessuno e 1 ospite


Non puoi aprire nuovi argomenti
Non puoi rispondere negli argomenti
Non puoi modificare i tuoi messaggi
Non puoi cancellare i tuoi messaggi
Non puoi inviare allegati

Cerca per:
Vai a: