Benvenuto Ospite

Forum Entomologi Italiani

www.entomologiitaliani.net/forum
 
Oggi è 12/11/2025, 3:42

Tutti gli orari sono UTC + 1 ora [ ora legale ]

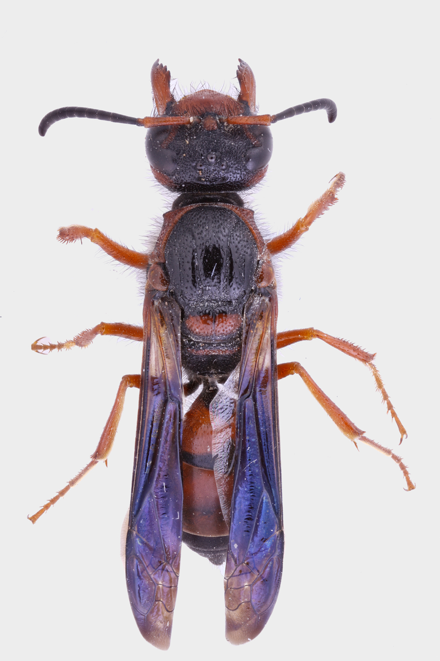
Pterocheilus rothi Dusmet, 1928 - Vespidae Eumeninae Odynerini

6.IV.2014 - TUNISIA - EE, Blidet - 30 Km a NW di Douz


nuovo argomento
rispondi
Vai alla pagina 1, 2  Prossimo
Pagina 1 di 2 [ 20 messaggi ]
Autore Messaggio
MessaggioInviato: 03/05/2014, 15:44 
Amministratore
Avatar utente

Iscritto il: 02/02/2009, 23:30
Messaggi: 7102
Località: Capaci (Pa)
Nome: Marcello Romano
Di questo Imenottero (Vespoideo?) quello che mi ha maggiormente impressionato non è tanto la lunghezza delle mandibole, seppur ragguardevole, quanto quella dei palpi mascellari, veramente spropositati.
Di cosa potrebbe trattarsi?
Lunghezza: 13 mm




dorsale.jpg



Qui l'immagine alla massima risoluzione




capo.jpg



Qui l'immagine alla massima risoluzione




capo_laterale.jpg



Qui l'immagine alla massima risoluzione

_________________
:hi: Marcello Romano


Top
profilo
 Oggetto del messaggio: Re: Imenottero dagli enormi palpi
MessaggioInviato: 03/05/2014, 16:25 
Avatar utente

Iscritto il: 30/12/2009, 22:20
Messaggi: 31564
Località: Roma
Nome: Maurizio Gigli
Che ci farà con tutti quei peli? Ci assorbirà la linfa?

_________________
Maurizio Gigli
http://utenti.romascuola.net/bups
http://bup.xoom.it/


Top
profilo
 Oggetto del messaggio: Re: Imenottero dagli enormi palpi
MessaggioInviato: 03/05/2014, 17:39 
Avatar utente

Iscritto il: 01/07/2010, 22:26
Messaggi: 5650
Località: Viterbo
Nome: Marco Selis
Bello bello bello!!! :p :p :p
Le ali piegate indicano che è chiaramente un Vespidae, con quei palpi labiali appiattiti e enormi ci sono ben pochi generi e solo uno con l'ultimo articolo curvo: Onychopterocheilus.
Ora vedo se con le chiavi in mio possesso posso arrivare alla specie ;)


Top
profilo
 Oggetto del messaggio: Re: Imenottero dagli enormi palpi
MessaggioInviato: 03/05/2014, 18:10 
Avatar utente

Iscritto il: 23/06/2010, 19:05
Messaggi: 2588
Località: Pescara
Nome: Alessio Morelli
Julodis ha scritto:
Che ci farà con tutti quei peli? Ci assorbirà la linfa?

...o forse, dato che mi da l'impressione di essere una vespa solitaria, ci trasporterà la classica pallina di terra o qualche altro materiale per costruire il nido :mrgreen: .

Foto eccezionali come sempre :o


Top
profilo
 Oggetto del messaggio: Re: Imenottero dagli enormi palpi
MessaggioInviato: 03/05/2014, 19:32 
Amministratore
Avatar utente

Iscritto il: 02/02/2009, 23:30
Messaggi: 7102
Località: Capaci (Pa)
Nome: Marcello Romano
Andricus ha scritto:
Bello bello bello!!! :p :p :p
Le ali piegate indicano che è chiaramente un Vespidae, con quei palpi labiali appiattiti e enormi ci sono ben pochi generi e solo uno con l'ultimo articolo curvo: Onychopterocheilus.
Ora vedo se con le chiavi in mio possesso posso arrivare alla specie ;)


Marco, credo che i palpi in questione siano quelli mascellari.

_________________
:hi: Marcello Romano


Top
profilo
 Oggetto del messaggio: Re: Imenottero dagli enormi palpi
MessaggioInviato: 03/05/2014, 19:44 
Avatar utente

Iscritto il: 01/07/2010, 22:26
Messaggi: 5650
Località: Viterbo
Nome: Marco Selis
Ammetto di non conoscere bene l'anatomia dell'apparato boccale degli Imenotteri, ma in tutte le chiavi ho trovato che in questo gruppo di generi i palpi più sviluppati sono quelli labiali, mentre i palpi normali sono i mascellari :roll:
A proposito, i palpi normalmente sviluppati hanno 5 o 6 articoli?


Top
profilo
 Oggetto del messaggio: Re: Imenottero dagli enormi palpi
MessaggioInviato: 03/05/2014, 19:52 
Amministratore
Avatar utente

Iscritto il: 02/02/2009, 23:30
Messaggi: 7102
Località: Capaci (Pa)
Nome: Marcello Romano
Potrei essere io a sbagliarmi.
Ora realizzo una foto in cui si vedono tutti i palpi così mi chiarisco le idee :roll:

_________________
:hi: Marcello Romano


Top
profilo
 Oggetto del messaggio: Re: Imenottero dagli enormi palpi
MessaggioInviato: 03/05/2014, 19:56 
Avatar utente

Iscritto il: 02/02/2009, 23:32
Messaggi: 5645
Località: da Ferrara ad Alghero
Nome: Roberto A. Pantaleoni
Un Vespidae :?
Con quelle mandibole secondo me è un Eumenide, e l'apparato boccale è conformato per costruire il nido pedotrofico. Come ha ben detto Alessio tutta quella "peluria" servirà per costruire la classica pallina con la "polvere" del deserto (che è veramente POLVERE).

Roberto :to:

_________________
verum stabile cetera fumus


Top
profilo
 Oggetto del messaggio: Re: Imenottero dagli enormi palpi
MessaggioInviato: 03/05/2014, 20:06 
Avatar utente

Iscritto il: 01/07/2010, 22:26
Messaggi: 5650
Località: Viterbo
Nome: Marco Selis
Hemerobius ha scritto:
Un Vespidae :?
Con quelle mandibole secondo me è un Eumenide


Gli Eumenidi da un po' di tempo sono diventati sottofamiglia dei Vespidi ;)

Hemerobius ha scritto:
e l'apparato boccale è conformato per costruire il nido pedotrofico. Come ha ben detto Alessio tutta quella "peluria" servirà per costruire la classica pallina con la "polvere" del deserto (che è veramente POLVERE).


Esatto, i palpi aiutano nel raccogliere e trasportare le palline di terra che vengono poi utilizzate per rivestire le cellette poste ai lati di una galleria verticale nel terreno.


Top
profilo
 Oggetto del messaggio: Re: Imenottero dagli enormi palpi
MessaggioInviato: 03/05/2014, 21:05 
Amministratore
Avatar utente

Iscritto il: 02/02/2009, 23:30
Messaggi: 7102
Località: Capaci (Pa)
Nome: Marcello Romano
Ecco ancora un'altra immagine dell'intero apparato boccale, in cui sono ben visibili le due paia di palpi.

capo03a.jpg



Qui l'immagine alla massima risoluzione.

_________________
:hi: Marcello Romano


Top
profilo
 Oggetto del messaggio: Re: Imenottero dagli enormi palpi
MessaggioInviato: 03/05/2014, 21:17 
Avatar utente

Iscritto il: 01/07/2010, 22:26
Messaggi: 5650
Località: Viterbo
Nome: Marco Selis
Curioso, i palpi "normali" presentano 5 articoli e questo porterebbe a Pterocheilus, ma l'ultimo articolo dei palpi "dilatati" è curvo e questo carattere è tipico di Onychopterocheilus. Ci sono anche altri caratteri che mi quadrano poco, il clipeo con il margine ventrale così dritto è da Pterocheilus (Onychopterocheilus di solito lo ha emarginato) e il mesonoto con i solchi parapsidali è da Onychopterocheilus (Pterocheilus non ha mai i solchi).


Top
profilo
 Oggetto del messaggio: Re: Imenottero dagli enormi palpi
MessaggioInviato: 03/05/2014, 21:20 
Avatar utente

Iscritto il: 02/02/2009, 23:32
Messaggi: 5645
Località: da Ferrara ad Alghero
Nome: Roberto A. Pantaleoni
Andricus ha scritto:
...
Gli Eumenidi da un po' di tempo sono diventati sottofamiglia dei Vespidi ;)...
Touché! L'imprinting giovanile si conserva anche in età senile :gh: !
Roberto :to:

_________________
verum stabile cetera fumus


Top
profilo
 Oggetto del messaggio: Re: Imenottero dagli enormi palpi
MessaggioInviato: 03/05/2014, 21:37 
Amministratore
Avatar utente

Iscritto il: 02/02/2009, 23:30
Messaggi: 7102
Località: Capaci (Pa)
Nome: Marcello Romano
Marco, avevi ragione tu: quelli sviluppati sono i palpi labiali.
In effetti i rappresentanti del genere Pterocheilus somigliano molto al nostro (vedi questo disegno).

_________________
:hi: Marcello Romano


Top
profilo
 Oggetto del messaggio: Re: Imenottero dagli enormi palpi
MessaggioInviato: 08/05/2014, 22:18 
Avatar utente

Iscritto il: 01/07/2010, 22:26
Messaggi: 5650
Località: Viterbo
Nome: Marco Selis
Ho provato a sottoporre le foto dell'esemplare a James M. Carpenter, specialista di Vespidi, e dice che senza sapere il numero dei segmenti dei palpi mascellari (5 o 6) non si può neanche essere sicuri del genere.


Top
profilo
 Oggetto del messaggio: Re: Imenottero dagli enormi palpi
MessaggioInviato: 08/05/2014, 23:46 
Amministratore
Avatar utente

Iscritto il: 02/02/2009, 23:30
Messaggi: 7102
Località: Capaci (Pa)
Nome: Marcello Romano
A me sembrano 5:


Immagine

_________________
:hi: Marcello Romano


Top
profilo
Visualizza ultimi messaggi:  Ordina per  
nuovo argomento
rispondi
Vai alla pagina 1, 2  Prossimo
Pagina 1 di 2 [ 20 messaggi ]

Tutti gli orari sono UTC + 1 ora [ ora legale ]


Chi c’è in linea

Visitano il forum: Nessuno e 1 ospite


Non puoi aprire nuovi argomenti
Non puoi rispondere negli argomenti
Non puoi modificare i tuoi messaggi
Non puoi cancellare i tuoi messaggi
Non puoi inviare allegati

Cerca per:
Vai a: