Benvenuto Ospite

Forum Entomologi Italiani

www.entomologiitaliani.net/forum
 
Oggi è 12/11/2025, 3:48

Tutti gli orari sono UTC + 1 ora [ ora legale ]

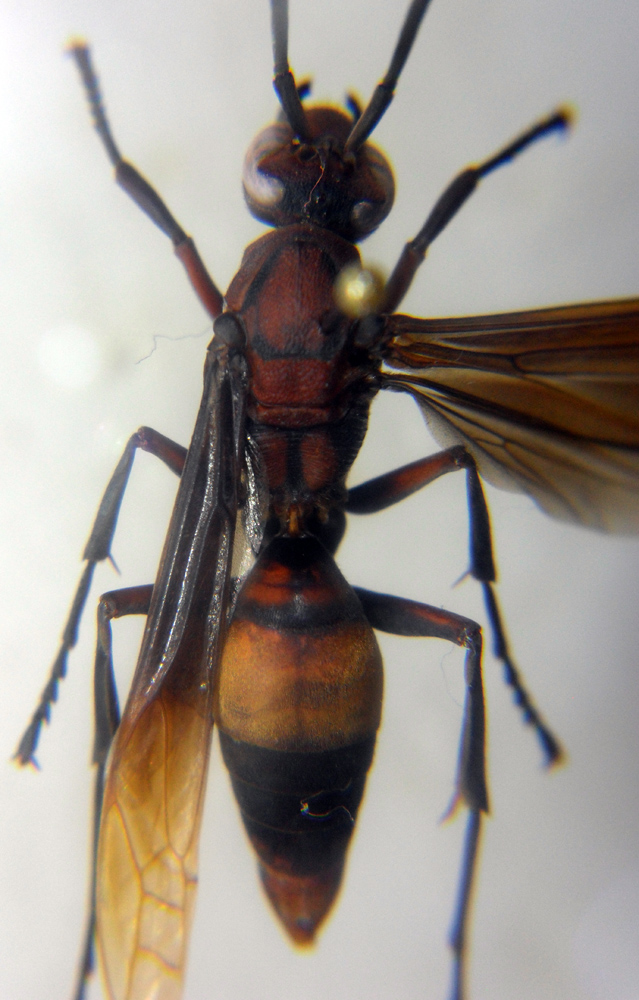
Polistes (Polistella) sagittarius Saussure, 1853 - Vespidae Polistinae Polistini

II.2013 - INDONESIA - OVEST - EE, Borneo, Kalimantan, Mt. Bawang, Leg. raccoglitore locale


nuovo argomento
rispondi
Pagina 1 di 1 [ 2 messaggi ]
Autore Messaggio
MessaggioInviato: 14/01/2014, 21:35 
Avatar utente

Iscritto il: 01/07/2010, 22:26
Messaggi: 5650
Località: Viterbo
Nome: Marco Selis
Di questa specie un anno fa ho mostrato il maschio, ieri mi è arrivata la femmina :D

16mm all'apice del secondo tergite, 21mm all'apice dell'addome

SAM_6785.JPG



SAM_6789.JPG



SAM_6786.JPG



SAM_6787.JPG



Top
profilo
MessaggioInviato: 20/02/2015, 23:06 
Avatar utente

Iscritto il: 01/07/2010, 22:26
Messaggi: 5650
Località: Viterbo
Nome: Marco Selis
Qui ho toppato alla grande :oops: Non solo non si tratta di P. tenebricosus, ma appartiene addirittura ad un altro sottogenere! E' una femmina di Polistes (Polistella) sagittarius Saussure, 1853.


Top
profilo
Visualizza ultimi messaggi:  Ordina per  
nuovo argomento
rispondi
Pagina 1 di 1 [ 2 messaggi ]

Tutti gli orari sono UTC + 1 ora [ ora legale ]


Chi c’è in linea

Visitano il forum: Nessuno e 1 ospite


Non puoi aprire nuovi argomenti
Non puoi rispondere negli argomenti
Non puoi modificare i tuoi messaggi
Non puoi cancellare i tuoi messaggi
Non puoi inviare allegati

Cerca per:
Vai a:  
cron