Benvenuto Ospite

Forum Entomologi Italiani

www.entomologiitaliani.net/forum
 
Oggi è 12/11/2025, 6:27

Tutti gli orari sono UTC + 1 ora [ ora legale ]

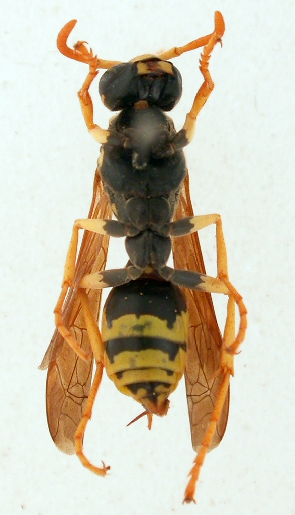
Polistes (Polistes) gallicus (Linnaeus, 1767) Dettagli della specie

14.V.2017 - MAROCCO - EE, MEKNES-TAFILALT – Strada N13 - 25.1 Km a 10° da Er-Rachidia, R. Rattu leg.


nuovo argomento
rispondi
Pagina 1 di 1 [ 7 messaggi ]
Autore Messaggio
MessaggioInviato: 03/11/2017, 16:41 
Avatar utente

Iscritto il: 02/09/2009, 20:57
Messaggi: 8703
Località: Cagliari
Nome: Roberto Rattu
Esemplare lungo 12 mm

DSCN3198.JPG


DSCN3199.JPG


DSCN3200.JPG



Top
profilo
 Oggetto del messaggio: Re: Polistes da id.
MessaggioInviato: 03/11/2017, 16:50 
Avatar utente

Iscritto il: 01/07/2010, 22:26
Messaggi: 5650
Località: Viterbo
Nome: Marco Selis
Prima di espormi devo studiare per bene la revisione appena uscita e... rideterminare più di un centinaio di miei esemplari :dead:


Top
profilo
 Oggetto del messaggio: Re: Polistes da id.
MessaggioInviato: 03/11/2017, 17:04 
Avatar utente

Iscritto il: 02/09/2009, 20:57
Messaggi: 8703
Località: Cagliari
Nome: Roberto Rattu
Andricus ha scritto:
Prima di espormi devo studiare per bene la revisione appena uscita e... rideterminare più di un centinaio di miei esemplari :dead:

Ho postato questo esemplare non a caso :) ; dovrò controllare in freezer se ho altro materiale marocchino.

:hi:


Top
profilo
 Oggetto del messaggio: Re: Polistes da id.
MessaggioInviato: 03/11/2017, 18:25 
 

Iscritto il: 24/03/2010, 12:42
Messaggi: 1439
Nome: Lech Borowiec
New revision of the West Palearctic Polistes was published few days ago. PDF is available here:

https://zookeys.pensoft.net/article/11335/list/1/


Top
profilo
 Oggetto del messaggio: Re: Polistes da id.
MessaggioInviato: 05/11/2017, 14:43 
Avatar utente

Iscritto il: 18/06/2010, 0:03
Messaggi: 1214
Località: Predore ( BG)
Nome: Claudio Deiaco
Fumea crassiorella ha scritto:
Andricus ha scritto:
Prima di espormi devo studiare per bene la revisione appena uscita e... rideterminare più di un centinaio di miei esemplari :dead:

dovrò controllare in freezer se ho altro materiale marocchino.


Questa revisione che mi sta torturando da due giorni, rende queste vespe sempre più intricate.....
Ho alcuni esemplari algerini molto simili, altri della Georgia che a prima vista identici agli esemplari africani, ma ora.....
Vedremo...

_________________
Claudio Deiaco
_____________________________________


Top
profilo
 Oggetto del messaggio: Re: Polistes sp. - Vespidae
MessaggioInviato: 27/10/2018, 19:27 
Avatar utente

Iscritto il: 25/07/2018, 23:17
Messaggi: 146
Località: Firenze, Toscana
Nome: Arturo Femia
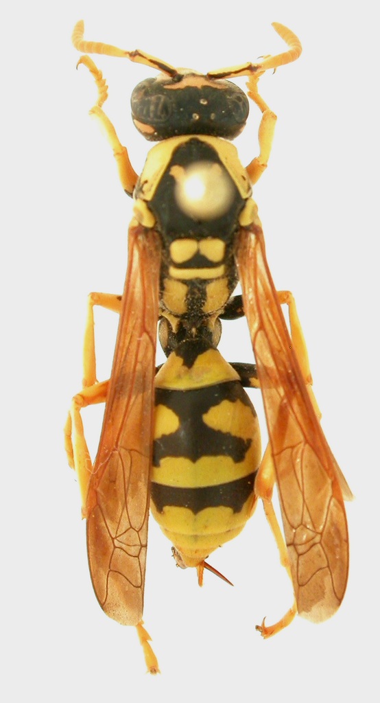
Mi sono imbattuto in questo thread e ho voluto cimentarmi nell'identificazione, penso a Polistes mongolicus (du Buysson, 1911). Che ne dite?

_________________
Arturo
Vespidae enthusiast


Top
profilo
 Oggetto del messaggio: Re: Polistes sp. - Vespidae
MessaggioInviato: 29/10/2018, 19:58 
Avatar utente

Iscritto il: 01/07/2010, 22:26
Messaggi: 5650
Località: Viterbo
Nome: Marco Selis
Secondo quanto riportato da Schmid-Egger, Polistes mongolicus sarebbe vicariante di Polistes gallicus, con una distribuzione più orientale e in Nord Africa si trova solo in Egitto. Allo stato attuale delle conoscenze, le popolazioni del NW Africa sono da considerare Polistes gallicus, ma non è da escludere che potrebbero rivelarsi un'entità a parte.

Roberto, se hai altri esemplari marocchini simili mi piacerebbe dargli un'occhiata, soprattutto se maschi.


Top
profilo
Visualizza ultimi messaggi:  Ordina per  
nuovo argomento
rispondi
Pagina 1 di 1 [ 7 messaggi ]

Tutti gli orari sono UTC + 1 ora [ ora legale ]


Chi c’è in linea

Visitano il forum: Nessuno e 1 ospite


Non puoi aprire nuovi argomenti
Non puoi rispondere negli argomenti
Non puoi modificare i tuoi messaggi
Non puoi cancellare i tuoi messaggi
Non puoi inviare allegati

Cerca per:
Vai a: