Benvenuto Ospite

Forum Entomologi Italiani

www.entomologiitaliani.net/forum
 
Oggi è 12/11/2025, 11:39

Tutti gli orari sono UTC + 1 ora [ ora legale ]

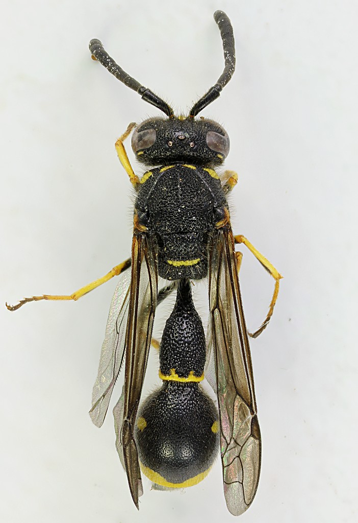
Eumenes (Eumenes) coronatus coronatus (Panzer, 1799) Dettagli della specie

30.VIII.2011 - ITALIA - Lazio - RM, Cervara di Roma, 1000 m


nuovo argomento
rispondi
Pagina 1 di 1 [ 6 messaggi ]
Autore Messaggio
MessaggioInviato: 03/09/2011, 19:32 
Avatar utente

Iscritto il: 30/12/2009, 22:20
Messaggi: 31564
Località: Roma
Nome: Maurizio Gigli
Preso su fiori di ombrellifere.

Lazio, Roma, Cervara, 1000 m, 30.VIII.2011, M. Gigli legit

8,5 mm

Eumeninae_Cervara_30-VIII-2011_8,5mm.jpg


_________________
Maurizio Gigli
http://utenti.romascuola.net/bups
http://bup.xoom.it/


Top
profilo
 Oggetto del messaggio: Re: Vespidae Eumeninae ? - Lazio
MessaggioInviato: 03/09/2011, 21:37 
Avatar utente

Iscritto il: 28/05/2009, 16:38
Messaggi: 5030
Nome: luigi lenzini
Certamente! La forma dell'addome è inconfondibile.

Arrivare alla specie credo non sia facile neanche per i più esperti.
:hi: luigi


Top
profilo
 Oggetto del messaggio: Re: Vespidae Eumeninae ? - Lazio
MessaggioInviato: 03/09/2011, 23:03 
Avatar utente

Iscritto il: 30/12/2009, 22:20
Messaggi: 31564
Località: Roma
Nome: Maurizio Gigli
elleelle ha scritto:
Certamente! La forma dell'addome è inconfondibile.

Arrivare alla specie credo non sia facile neanche per i più esperti.
:hi: luigi

Però credo che al genere ci arriveranno facilmente.

_________________
Maurizio Gigli
http://utenti.romascuola.net/bups
http://bup.xoom.it/


Top
profilo
 Oggetto del messaggio: Re: Vespidae Eumeninae ? - Lazio
MessaggioInviato: 04/09/2011, 0:23 
 

Iscritto il: 06/02/2009, 9:05
Messaggi: 2588
Località: Alghero
Nome: Pietro Niolu
In genere nemmeno Shmidt Egger si esprime su fotografie, per lo meno non sugli esemplari che gli ho proposto.

_________________
Ciao
Pietro


Top
profilo
 Oggetto del messaggio: Re: Vespidae Eumeninae - Lazio
MessaggioInviato: 08/12/2013, 18:49 
Avatar utente

Iscritto il: 01/07/2010, 22:26
Messaggi: 5650
Località: Viterbo
Nome: Marco Selis
Maurizio hai ancora l'esemplare?


Top
profilo
 Oggetto del messaggio: Re: Eumenes sp. - Vespidae Eumeninae
MessaggioInviato: 25/01/2016, 14:22 
Avatar utente

Iscritto il: 01/07/2010, 22:26
Messaggi: 5650
Località: Viterbo
Nome: Marco Selis
Ho recentemente esaminato questo esemplare, si tratta di E. coronatus.


Top
profilo
Visualizza ultimi messaggi:  Ordina per  
nuovo argomento
rispondi
Pagina 1 di 1 [ 6 messaggi ]

Tutti gli orari sono UTC + 1 ora [ ora legale ]


Chi c’è in linea

Visitano il forum: Nessuno e 1 ospite


Non puoi aprire nuovi argomenti
Non puoi rispondere negli argomenti
Non puoi modificare i tuoi messaggi
Non puoi cancellare i tuoi messaggi
Non puoi inviare allegati

Cerca per:
Vai a: