Benvenuto Ospite

Forum Entomologi Italiani

www.entomologiitaliani.net/forum
 
Oggi è 12/11/2025, 21:25

Tutti gli orari sono UTC + 1 ora [ ora legale ]

Eumenes (Eumenes) dubius dubius Saussure, 1852 Dettagli della specie

7.VIII.2016 - SPAGNA - EE, isole Baleari, Minorca, Son Saura (pineta di), R. Rattu leg.


nuovo argomento
rispondi
Pagina 1 di 1 [ 7 messaggi ]
Autore Messaggio
MessaggioInviato: 22/08/2016, 18:40 
Avatar utente

Iscritto il: 02/09/2009, 20:57
Messaggi: 8703
Località: Cagliari
Nome: Roberto Rattu
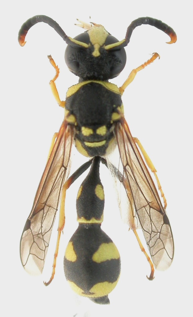
Esemplare lungo 10 mm, raccolto su fronte di lentisco:

DSCN2134.JPG



Top
profilo
 Oggetto del messaggio: Re: Vespidae da id.
MessaggioInviato: 22/08/2016, 21:09 
Avatar utente

Iscritto il: 01/07/2010, 22:26
Messaggi: 5650
Località: Viterbo
Nome: Marco Selis
Eumenes senza ombra di dubbio. Per la specie sarebbe utile vedere la peluria del retro della testa e una foto laterale dell'addome per vedere bene la peluria del secondo tergite e sternite.


Top
profilo
 Oggetto del messaggio: Re: Vespidae da id.
MessaggioInviato: 23/08/2016, 16:53 
Avatar utente

Iscritto il: 02/09/2009, 20:57
Messaggi: 8703
Località: Cagliari
Nome: Roberto Rattu
Ecco le foto:

DSCN2142.JPG


DSCN2144.JPG



Top
profilo
 Oggetto del messaggio: Re: Vespidae da id.
MessaggioInviato: 23/08/2016, 18:38 
Avatar utente

Iscritto il: 01/07/2010, 22:26
Messaggi: 5650
Località: Viterbo
Nome: Marco Selis
Sul retro della testa non vedo peli lunghi, ma suppongo ci sia una serie di peli brevissimi a spazzola lungo la carena occipitale, quindi il dubbio è tra dubius e cyrenaicus. La lamella apicale del secondo tergite è nera o gialla-arancione?


Top
profilo
 Oggetto del messaggio: Re: Vespidae da id.
MessaggioInviato: 23/08/2016, 19:01 
Avatar utente

Iscritto il: 02/09/2009, 20:57
Messaggi: 8703
Località: Cagliari
Nome: Roberto Rattu
Ciao Marco, è nera; immagino sia un dubius.

:hi:


Top
profilo
 Oggetto del messaggio: Re: Vespidae da id.
MessaggioInviato: 23/08/2016, 19:02 
Avatar utente

Iscritto il: 01/07/2010, 22:26
Messaggi: 5650
Località: Viterbo
Nome: Marco Selis
Proprio lui :ok:


Top
profilo
MessaggioInviato: 23/08/2016, 19:29 
 

Iscritto il: 03/02/2015, 11:23
Messaggi: 984
Località: Policoro (MT)
Nome: Giuseppe Cancelliere
Marco Selis, mi fai paura. Fai determinazioni fredde e precise senza battere ciglio. Complimenti! :hi:


Top
profilo
Visualizza ultimi messaggi:  Ordina per  
nuovo argomento
rispondi
Pagina 1 di 1 [ 7 messaggi ]

Tutti gli orari sono UTC + 1 ora [ ora legale ]


Chi c’è in linea

Visitano il forum: Nessuno e 2 ospiti


Non puoi aprire nuovi argomenti
Non puoi rispondere negli argomenti
Non puoi modificare i tuoi messaggi
Non puoi cancellare i tuoi messaggi
Non puoi inviare allegati

Cerca per:
Vai a: