Benvenuto Ospite

Forum Entomologi Italiani

www.entomologiitaliani.net/forum
 
Oggi è 13/11/2025, 5:58

Tutti gli orari sono UTC + 1 ora [ ora legale ]

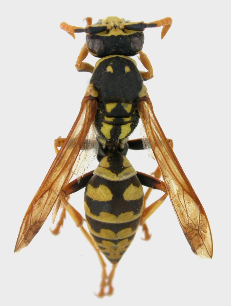
Polistes (Polistes) dominula (Christ, 1791) Dettagli della specie

4.VIII.2016 - SPAGNA - EE, isole Baleari, Minorca, dintorni di Ciutadella, R. Rattu leg.


nuovo argomento
rispondi
Pagina 1 di 1 [ 3 messaggi ]
Autore Messaggio
MessaggioInviato: 06/01/2017, 18:39 
Avatar utente

Iscritto il: 02/09/2009, 20:57
Messaggi: 8703
Località: Cagliari
Nome: Roberto Rattu
Esemplare lungo 14 mm:

DSCN2536.JPG


DSCN2537.JPG



Top
profilo
 Oggetto del messaggio: Re: Polistes da id. - Vespidae
MessaggioInviato: 06/01/2017, 23:06 
Avatar utente

Iscritto il: 01/07/2010, 22:26
Messaggi: 5650
Località: Viterbo
Nome: Marco Selis
P. dominula :hi:


Top
profilo
MessaggioInviato: 07/01/2017, 22:59 
Avatar utente

Iscritto il: 02/09/2009, 20:57
Messaggi: 8703
Località: Cagliari
Nome: Roberto Rattu
Grazie :ok:

:hi:


Top
profilo
Visualizza ultimi messaggi:  Ordina per  
nuovo argomento
rispondi
Pagina 1 di 1 [ 3 messaggi ]

Tutti gli orari sono UTC + 1 ora [ ora legale ]


Chi c’è in linea

Visitano il forum: Nessuno e 1 ospite


Non puoi aprire nuovi argomenti
Non puoi rispondere negli argomenti
Non puoi modificare i tuoi messaggi
Non puoi cancellare i tuoi messaggi
Non puoi inviare allegati

Cerca per:
Vai a:  
cron