Benvenuto Ospite

Forum Entomologi Italiani

www.entomologiitaliani.net/forum
 
Oggi è 10/10/2025, 10:25

Tutti gli orari sono UTC + 1 ora [ ora legale ]

Notiophilus aquaticus (Linnaeus, 1758) e Notiophilus aestuans Dejean, 1826 - Carabidae Nebriinae - Lombardia



nuovo argomento
rispondi
Pagina 1 di 1 [ 12 messaggi ]
Autore Messaggio
MessaggioInviato: 04/02/2010, 0:59 
Avatar utente

Iscritto il: 22/05/2009, 21:00
Messaggi: 2773
Località: Pergine Valsugana (TN)
Nome: Andrea Carlin
Chiedo conferma in quanto le chiavi che ho sono alquanto datate (e forse imprecise). :(

(P.S: scusate, non riesco a mettere le due immagini fianco a fianco....)

:hi: :hi: :hi:

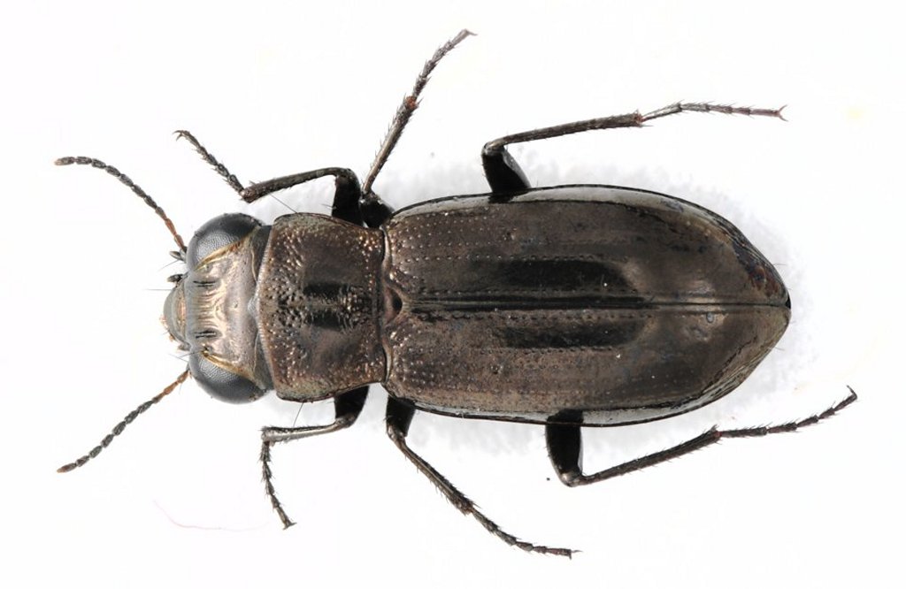
Lombardia, Passo Gavia 2650m 07.VII.2000 - lunghezza 5,2 mm
Notiophilus 1.jpg


Alto Adige, Valles (BZ) Picco della Croce 2700m 30.IX.2009 - lunghezza 5 mm
Notiophilus.jpg


_________________
Andrea Carlin, Pergine Valsugana (TN) carlin.andrea(AT)gmail.com

Nota: tutti gli esemplari inseriti nelle discussioni aperte da me sono da ritenere "Andrea Carlin legit" se non diversamente specificato.


Top
profilo
MessaggioInviato: 04/02/2010, 9:27 
Avatar utente

Iscritto il: 06/02/2009, 9:07
Messaggi: 1483
Località: Val Camonica (BS)
Nome: Davide Pedersoli
arriverà Maurizio e ti dirà di guardare quanti pori ci sono alla fine della terza o quarta intestria delle elitre, se sono due è aesthuans, se è uno aquaticus, o almeno credo :?

_________________
Pedux Camuno


Top
profilo
MessaggioInviato: 04/02/2010, 9:28 
Avatar utente

Iscritto il: 06/02/2009, 9:07
Messaggi: 1483
Località: Val Camonica (BS)
Nome: Davide Pedersoli
cmq l'aquaticus al Gavia è comunissimo nei suoli intrisi e l'ho preso anche io :D

_________________
Pedux Camuno


Top
profilo
MessaggioInviato: 04/02/2010, 9:54 
Avatar utente

Iscritto il: 22/05/2009, 21:00
Messaggi: 2773
Località: Pergine Valsugana (TN)
Nome: Andrea Carlin
Ti ringrazio Davide :birra:
Sarà lui, di poro ne vedo uno solo! (e le tibie sono nere!)
Alcuni caratteri però non mi sembravano uguali (tipo gli angoli posteriori del pronoto, la fronte, la brillantezza (assenza di microscultura) elitrale, ecc... ).

Devo precisare che il secondo esemplare (quello dell'Alto Adige) lo avevo già postato un po' di tempo fa ed era stato determinato come aquaticus!

:hi: :hi: :hi:

_________________
Andrea Carlin, Pergine Valsugana (TN) carlin.andrea(AT)gmail.com

Nota: tutti gli esemplari inseriti nelle discussioni aperte da me sono da ritenere "Andrea Carlin legit" se non diversamente specificato.


Top
profilo
MessaggioInviato: 04/02/2010, 13:16 
Avatar utente

Iscritto il: 05/02/2009, 17:31
Messaggi: 9527
Località: milano
Nome: maurizio pavesi
ciao andrea

in effetti non sembrano proprio uguali :? , in particolare il primo esemplare, riguardandolo, non sembra del tutto privo di microscultura sulle interstrie esterne, e anche la differenza nella punteggiatura delle strie elitrali mi lascia perplesso :twisted:

tu dici che
Andrea Pergine ha scritto:
... il secondo esemplare (quello dell'Alto Adige) lo avevo già postato un po' di tempo fa ed era stato determinato come aquaticus!...
è vero, ma era stato determinato come tale non perché dalla foto si vedesse chiaramente, ma perché
Andrea Pergine ha scritto:
Confermo, c'è un poro solo!!! ...
a questo punto, sei proprio sicuro che di poro ce n'è solo uno, vero ;) ?

_________________
*****************
Immagine maurizio


Top
profilo
MessaggioInviato: 04/02/2010, 18:51 
Avatar utente

Iscritto il: 22/05/2009, 21:00
Messaggi: 2773
Località: Pergine Valsugana (TN)
Nome: Andrea Carlin
Il poro setifero è uno solo in entrambi gli esemplari. :sick:

esemplare del Passo Gavia
apice elitrale Notiophilus Gavia.jpg


esemplare dell'Alto Adige
apice elitrale Notiophilus Alto Adige.jpg


_________________
Andrea Carlin, Pergine Valsugana (TN) carlin.andrea(AT)gmail.com

Nota: tutti gli esemplari inseriti nelle discussioni aperte da me sono da ritenere "Andrea Carlin legit" se non diversamente specificato.


Top
profilo
MessaggioInviato: 04/02/2010, 19:38 
Avatar utente

Iscritto il: 05/02/2009, 17:31
Messaggi: 9527
Località: milano
Nome: maurizio pavesi
ciao andrea

potresti farmi una foto più ingrandita dell'apice dell'elitra destra, magari visto leggermente di lato, dell'esemplare dell'alto adige? c'è qualcosa che non mi quadra

_________________
*****************
Immagine maurizio


Top
profilo
MessaggioInviato: 05/02/2010, 0:30 
Avatar utente

Iscritto il: 22/05/2009, 21:00
Messaggi: 2773
Località: Pergine Valsugana (TN)
Nome: Andrea Carlin
Scusa Maurizio ma stasera non sono riuscito a far niente: posto comunque questo crop, chissà che comunque tu veda (o non veda) quello che cercavi!

A domani. Grazie :hi: :hi: :hi:

Apice elitre Notiophilus Alto Adige


apice elitre Notiophilus Alto Adige.jpg


_________________
Andrea Carlin, Pergine Valsugana (TN) carlin.andrea(AT)gmail.com

Nota: tutti gli esemplari inseriti nelle discussioni aperte da me sono da ritenere "Andrea Carlin legit" se non diversamente specificato.
Top
profilo
MessaggioInviato: 05/02/2010, 1:15 
Avatar utente

Iscritto il: 05/02/2009, 17:31
Messaggi: 9527
Località: milano
Nome: maurizio pavesi
ciao andrea

il crop non è nitidissimo... ma ho ancor più l'impressione che almeno a destra i pori siano due, di cui l'anteriore ha perso la setola; a sinistra in effetti sembrerebbe essercene uno solo, il che potrebbe essere un'anomalia individuale

domani (anzi no, stamattina :to: ) faccio un confrontino con esemplari di aquaticus & aestuans, prescindendo dai punti

_________________
*****************
Immagine maurizio


Top
profilo
MessaggioInviato: 12/02/2010, 1:48 
Avatar utente

Iscritto il: 22/05/2009, 21:00
Messaggi: 2773
Località: Pergine Valsugana (TN)
Nome: Andrea Carlin
:ses Mauriziooooo! Scusa se rompo ma sei riuscito a dare un'occhiatina al Notiophilus aestuans? GRAZIE!!!! :hi: :hi: :hi:

_________________
Andrea Carlin, Pergine Valsugana (TN) carlin.andrea(AT)gmail.com

Nota: tutti gli esemplari inseriti nelle discussioni aperte da me sono da ritenere "Andrea Carlin legit" se non diversamente specificato.


Top
profilo
MessaggioInviato: 12/02/2010, 13:00 
Avatar utente

Iscritto il: 05/02/2009, 17:31
Messaggi: 9527
Località: milano
Nome: maurizio pavesi
ciao andrea

fai bene a rompere, quando è il caso :oops: ... io sono stato un tantino preso, e sono riuscito solo ora a fare il confronto

per quello vecchio dell'alto adige, che sono già andato a correggere, la punteggiatura del margine anteriore del pronoto, più estesa verso il disco, e le strie elitrali indicano chiaramente

Notiophilus aestuans Dejean, 1826

qui ho indicato quello che secondo me è il secondo punto, senza più la setola

apice%20elitrale%20Notiophilus%20Alto%20Adige.JPG



e quindi quello del passo gavia al momento è l'unico autentico

Notiophilus aquaticus (Linnaeus, 1758)

_________________
*****************
Immagine maurizio


Top
profilo
MessaggioInviato: 13/02/2010, 0:20 
Avatar utente

Iscritto il: 22/05/2009, 21:00
Messaggi: 2773
Località: Pergine Valsugana (TN)
Nome: Andrea Carlin
:hp: Caro Maurizio, ti ringrazio qui anche per tutte le altre determinazioni. :lov2: :lov2: :lov2:

Alla prossima! :hi: :hi: :hi: (che sarà fra pochissimo.... :gh: :gh: :gh: )

_________________
Andrea Carlin, Pergine Valsugana (TN) carlin.andrea(AT)gmail.com

Nota: tutti gli esemplari inseriti nelle discussioni aperte da me sono da ritenere "Andrea Carlin legit" se non diversamente specificato.


Top
profilo
Visualizza ultimi messaggi:  Ordina per  
nuovo argomento
rispondi
Pagina 1 di 1 [ 12 messaggi ]

Tutti gli orari sono UTC + 1 ora [ ora legale ]


Chi c’è in linea

Visitano il forum: Nessuno e 3 ospiti


Non puoi aprire nuovi argomenti
Non puoi rispondere negli argomenti
Non puoi modificare i tuoi messaggi
Non puoi cancellare i tuoi messaggi
Non puoi inviare allegati

Cerca per:
Vai a: