Benvenuto Ospite

Forum Entomologi Italiani

www.entomologiitaliani.net/forum
 
Oggi è 06/10/2025, 12:23

Tutti gli orari sono UTC + 1 ora [ ora legale ]

Cymindis (Arrhostus) andreae Menetries, 1832 - Carabidae

4.VII.2024 - TURCHIA - EE, Mount Ararat


nuovo argomento
rispondi
Pagina 1 di 1 [ 8 messaggi ]
Autore Messaggio
MessaggioInviato: 17/08/2024, 4:33 
Avatar utente

Iscritto il: 24/07/2014, 20:03
Messaggi: 70
Località: Armenia
Nome: Vahe Martirosyan
Can anyone help with ID?
h 2400 m
probably was attracted by light


IMG_6189.JPG


_________________
Vahe Martirosyan
Top
profilo
 Oggetto del messaggio: Re: Carabidae sp.
MessaggioInviato: 06/10/2024, 20:05 
Avatar utente

Iscritto il: 24/07/2014, 20:03
Messaggi: 70
Località: Armenia
Nome: Vahe Martirosyan
Probably Cymindis sp.?

_________________
Vahe Martirosyan


Top
profilo
 Oggetto del messaggio: Re: Carabidae sp.
MessaggioInviato: 07/10/2024, 10:29 
Avatar utente

Iscritto il: 05/05/2016, 11:22
Messaggi: 2957
Località: Santa Maria delle mole, Marino, Rm
Nome: Roberto Vanzini
Tribe Dromiini

_________________
Roberto Vanzini


Top
profilo
 Oggetto del messaggio: Re: Carabidae sp.
MessaggioInviato: 18/10/2024, 21:56 
Avatar utente

Iscritto il: 24/07/2014, 20:03
Messaggi: 70
Località: Armenia
Nome: Vahe Martirosyan
Thanks for the ID!
wgliinsetti ha scritto:
Tribe Dromiini

_________________
Vahe Martirosyan


Top
profilo
 Oggetto del messaggio: Re: Carabidae sp.
MessaggioInviato: 19/10/2024, 8:39 
Avatar utente

Iscritto il: 09/11/2009, 14:12
Messaggi: 5144
Località: Hradec Kralove,Czech republik
Nome: Jan Matějíček
Demetrias sp.

_________________
Research Fields
Taxonomy, ecology, biomonitoring , faunistic of Staphylinidae


Top
profilo
 Oggetto del messaggio: Re: Carabidae sp.
MessaggioInviato: 19/10/2024, 10:04 
Avatar utente

Iscritto il: 19/06/2012, 14:35
Messaggi: 5625
Località: Alfonsine (RA)
Nome: Marco Villani
vahemart ha scritto:
Probably Cymindis sp.?

Concordo su Cymindis :ok:


Top
profilo
 Oggetto del messaggio: Re: Carabidae sp.
MessaggioInviato: 19/10/2024, 11:31 
Avatar utente

Iscritto il: 08/05/2010, 22:25
Messaggi: 1462
Località: Milano
Nome: Riccardo Sciaky
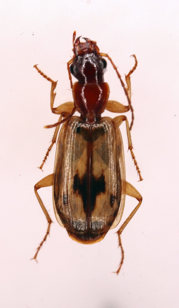
Cymindis (Arrhostus) andreae Menetries, 1832

_________________
Riccardo


Top
profilo
MessaggioInviato: 26/10/2024, 1:53 
Avatar utente

Iscritto il: 24/07/2014, 20:03
Messaggi: 70
Località: Armenia
Nome: Vahe Martirosyan
Thank you, dear colleagues for your input!
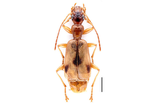
I also considered Demetrias imperialis.
But it seems Cymindis (Arrhostus) andreae fits better. (especially pronotum) and it is within the reported range (https://www.inaturalist.org/observation ... _id=715633).

Thanks again, I really appreciate all the suggestions!


Source: SYNTYPE of Cymindis Andreae Ménétries, 1832 MZH CM http://id.luomus.fi/GZ.2171
download.jpg

Source: Trautner et al. (2023) Ground beetles (Coleoptera, Carabidae) from a winter excursion to Georgia, Southern Caucasus ecoregion
Dorsal-view-of-Demetrias-imperialis-scale-bar-1mm_W640.jpg


_________________
Vahe Martirosyan
Top
profilo
Visualizza ultimi messaggi:  Ordina per  
nuovo argomento
rispondi
Pagina 1 di 1 [ 8 messaggi ]

Tutti gli orari sono UTC + 1 ora [ ora legale ]


Chi c’è in linea

Visitano il forum: Nessuno e 8 ospiti


Non puoi aprire nuovi argomenti
Non puoi rispondere negli argomenti
Non puoi modificare i tuoi messaggi
Non puoi cancellare i tuoi messaggi
Non puoi inviare allegati

Cerca per:
Vai a: