Benvenuto Ospite

Forum Entomologi Italiani

www.entomologiitaliani.net/forum
 
Oggi è 05/10/2025, 19:02

Tutti gli orari sono UTC + 1 ora [ ora legale ]

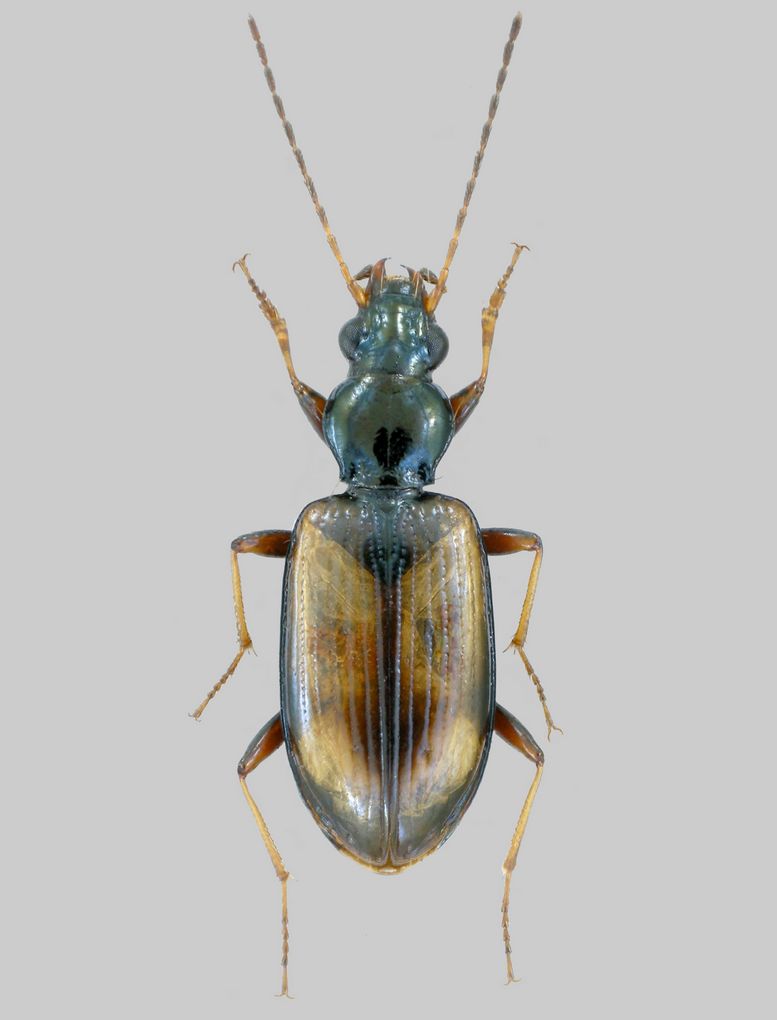
Bembidion (Euperyphus) tergluense Netolitzky, 1918 Dettagli della specie

4.X.2010 - ITALIA - Friuli-Venezia Giulia - UD, Venzone (UD), 230m, F. Tagliamento


nuovo argomento
rispondi
Pagina 1 di 1 [ 3 messaggi ]
Autore Messaggio
MessaggioInviato: 08/10/2010, 13:06 
Avatar utente

Iscritto il: 06/02/2009, 9:03
Messaggi: 6363
Località: Bubano di Mordano (Bologna)
Nome: Augusto Degiovanni
Questo Gabriele, è il tergluensis, è abbastanza differente dal distinguendus, il primo non ha le pieghe agli angoli posteriori del protorace, cosa che ha il distinguendus, poi sempre il distinguendus è di dimensioni nettamente più grandi, 6-6.5 contro i 4,5-5 mm del tergluensis.

Friuli Venezia Giulia: Venzone (UD), 230m, F. Tagliamento, 04.X.2010 leg. A. Degiovanni

tn_Ocydr. tergluense.jpg



tn_Ocydr. tergluense edeago.jpg



Spero di averti chiarito i dubbi che avevi, ora scappo vado al lavoro :xyz

_________________
CIAO :hi: Augusto Degiovanni

http://anthicidaeecarabidae.altervista.org


Top
profilo
MessaggioInviato: 08/10/2010, 18:00 
Avatar utente

Iscritto il: 14/03/2009, 12:59
Messaggi: 3223
Località: Milano
Nome: Gabriele Franzini
Ciao grazie,
:ok: è lo stesso che ho trovato anche io quest'estate non lontano da lì.

Saluti,
G.


Top
profilo
MessaggioInviato: 08/10/2010, 20:44 
Avatar utente

Iscritto il: 06/02/2009, 9:03
Messaggi: 6363
Località: Bubano di Mordano (Bologna)
Nome: Augusto Degiovanni
gabrif ha scritto:
Ciao grazie,
:ok: è lo stesso che ho trovato anche io quest'estate non lontano da lì.

Saluti,
G.


:ok: :ok:

non è molto comune, oppure il periodo che siamo andati noi (sicuramente ha influito l'assente sole) è troppo tardi per trovarlo in numero :roll: .

_________________
CIAO :hi: Augusto Degiovanni

http://anthicidaeecarabidae.altervista.org


Top
profilo
Visualizza ultimi messaggi:  Ordina per  
nuovo argomento
rispondi
Pagina 1 di 1 [ 3 messaggi ]

Tutti gli orari sono UTC + 1 ora [ ora legale ]


Chi c’è in linea

Visitano il forum: Nessuno e 9 ospiti


Non puoi aprire nuovi argomenti
Non puoi rispondere negli argomenti
Non puoi modificare i tuoi messaggi
Non puoi cancellare i tuoi messaggi
Non puoi inviare allegati

Cerca per:
Vai a: