Benvenuto Ospite

Forum Entomologi Italiani

www.entomologiitaliani.net/forum
 
Oggi è 05/10/2025, 9:11

Tutti gli orari sono UTC + 1 ora [ ora legale ]

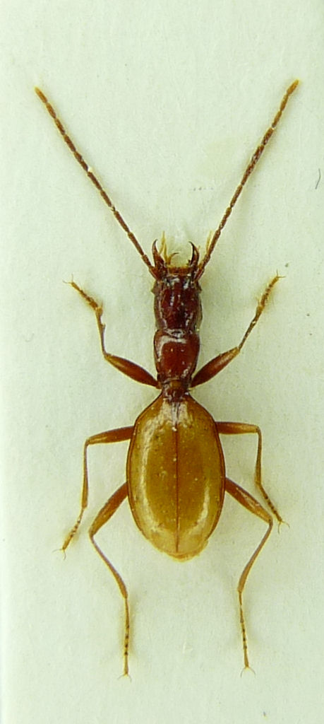
Orotrechus jamae G. Etonti & M. Etonti, 1979 Dettagli della specie

ITALIA - Veneto - BL, Pozzo dei bellunesi, ingresso secondario del Bus de la Lum


nuovo argomento
rispondi
Pagina 1 di 1 [ 9 messaggi ]
Autore Messaggio
MessaggioInviato: 09/01/2010, 14:01 
Avatar utente

Iscritto il: 14/03/2009, 15:34
Messaggi: 198
Località: Belluno
Nome: Andrea Fabbri
Friuli - Pozzo dei bellunesi
si tratta di un ingresso secondario del ben più famoso
Bus de la Lum, questo è il link del rilievo della
grotta http://www.catastogrotte.it/rilievi/350 ... lunesi.jpg" onclick="window.open(this.href);return false;
orotrechus jamae.jpg


_________________
Andrea


Top
profilo
MessaggioInviato: 09/01/2010, 14:08 
 

Iscritto il: 08/01/2010, 13:09
Messaggi: 8
Nome: manuel soppelsa
ciao andrea sono manuel! dai ancora qualche mese... :gun: ciao!


Top
profilo
MessaggioInviato: 09/01/2010, 14:11 
Avatar utente

Iscritto il: 10/05/2009, 15:30
Messaggi: 7182
Località: Ancona
Nome: Giacomo Giovagnoli
Quanto è grosso?? :oops:

Come si beccano queste belle bestiole di grotta? Con trappole?

Perchè conosco alcune grotte e ci farei un pensierino... :oops: :lol:

_________________
Immagine Giacomo


Top
profilo
MessaggioInviato: 09/01/2010, 14:15 
Avatar utente

Iscritto il: 14/03/2009, 15:34
Messaggi: 198
Località: Belluno
Nome: Andrea Fabbri
ciao Manuel,

pazzesco siamo a pochi chilometri e ci troviamo qui. Ci sentiamo
ciao

_________________
Andrea


Top
profilo
MessaggioInviato: 09/01/2010, 16:30 
Avatar utente

Iscritto il: 05/02/2009, 17:31
Messaggi: 9527
Località: milano
Nome: maurizio pavesi
StagBeetle ha scritto:
... Come si beccano queste belle bestiole di grotta? Con trappole?...

non necessariamente :no: ... dipende dalle bestie e dalle grotte :D , alcuni in certe grotte si acchiappano benino :hp: anche a caccia diretta, oppure con esche libere senza trappole :bpj ... per altri è più dura :cry:

certo, un filino di pratica non guasta ;) ...

_________________
*****************
Immagine maurizio


Top
profilo
MessaggioInviato: 09/01/2010, 21:24 
Avatar utente

Iscritto il: 14/03/2009, 15:34
Messaggi: 198
Località: Belluno
Nome: Andrea Fabbri
ciao,

per quanto riguarda la lunghezza circa 8 mm (è una gran bella bestia)

per la ricerca va bene quello che ti ha già detto gomphus, con un'avvertenza in più: se la grotta è una sala e basta tutta
orizzontale ci puoi fare anche un pensiero, se è qualcosa di più complicato è meglio essere preparati sia dal punto di vista
dell'attrezzattura che delle conoscenze dell'ambiente; la grotta è un ambiente estremo e quindi va affrontato con l'adeguata preparazione

_________________
Andrea


Top
profilo
MessaggioInviato: 09/01/2010, 21:49 
Avatar utente

Iscritto il: 05/02/2009, 17:31
Messaggi: 9527
Località: milano
Nome: maurizio pavesi
andreafabbri ha scritto:
... se la grotta è una sala e basta tutta orizzontale ci puoi fare anche un pensiero, se è qualcosa di più complicato è meglio essere preparati sia dal punto di vista dell'attrezzattura che delle conoscenze dell'ambiente; la grotta è un ambiente estremo e quindi va affrontato con l'adeguata preparazione...

anche se è una semplice sala bisogna essere preparati, e soprattutto non distrarsi mai (magari perché presi dall'entusiasmo), ad es. quando l'accesso a una sala è un'apertura stretta, al momento di tornare indietro possiamo scoprire che ricordarci da dove siamo venuti non è affatto così ovvio come ci era sembrato :cry: ...

in grotta non si può lasciare nulla al caso :sick: , una banalissima saletta in fondo a un cunicolo orizzontale, con la lampada che smette di funzionare e quella di scorta che non abbiamo controllato e che a funzionare non ci pensa proprio (o che abbiamo dimenticato di portare), può trasformarsi in una trappola da far invidia a quelle per carabi :cry: :cry: :cry: ...

_________________
*****************
Immagine maurizio


Top
profilo
MessaggioInviato: 09/01/2010, 22:13 
Avatar utente

Iscritto il: 14/03/2009, 15:34
Messaggi: 198
Località: Belluno
Nome: Andrea Fabbri
e di strettoie in grotta ne puoi trovare fin che vuoi, anche lunghe decine di metri
:mrgreen: :mrgreen: :mrgreen: :mrgreen: :mrgreen: :mrgreen:


STRETTOIA.jpg


_________________
Andrea
Top
profilo
MessaggioInviato: 10/11/2010, 21:41 
Avatar utente

Iscritto il: 09/11/2010, 19:52
Messaggi: 4518
Località: Brescia
Nome: Luca Bodei
Se posso aggiungere,oltre la preparazione tecnico/fisico/mentale,in grotta NON si va mai da soli :no: !! o al limite se lo si fa lasciare detto a qualcuno della zona e che conosca il posto dove si è andati ad entomologare!! :birra: :ok:

_________________
Tc70


Top
profilo
Visualizza ultimi messaggi:  Ordina per  
nuovo argomento
rispondi
Pagina 1 di 1 [ 9 messaggi ]

Tutti gli orari sono UTC + 1 ora [ ora legale ]


Chi c’è in linea

Visitano il forum: Nessuno e 8 ospiti


Non puoi aprire nuovi argomenti
Non puoi rispondere negli argomenti
Non puoi modificare i tuoi messaggi
Non puoi cancellare i tuoi messaggi
Non puoi inviare allegati

Cerca per:
Vai a: