Benvenuto Ospite

Forum Entomologi Italiani

www.entomologiitaliani.net/forum
 
Oggi è 10/10/2025, 20:36

Tutti gli orari sono UTC + 1 ora [ ora legale ]

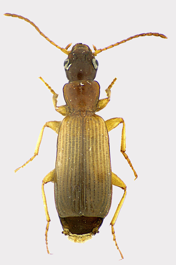
Paradromius (Manodromius) linearis (Olivier, 1795) - Carabidae

9.VIII.2010 - ITALIA - Veneto - BL, Feltre: Faè 46° 1'41"N 11°57'23"E


nuovo argomento
rispondi
Pagina 1 di 1 [ 3 messaggi ]
Autore Messaggio
MessaggioInviato: 30/12/2010, 19:30 
Avatar utente

Iscritto il: 08/06/2009, 0:06
Messaggi: 3415
Località: Feltre(BL)
Nome: Nicola Dal Zotto
Un' altra delle prove, anche qui se vi interessa basta chiederlo;)
trovato a sfalcio
carb+.jpg


_________________
Nicola Dal Zotto


Top
profilo
 Oggetto del messaggio: Re: Carabidae
MessaggioInviato: 30/12/2010, 19:58 
Avatar utente

Iscritto il: 05/02/2009, 17:31
Messaggi: 9527
Località: milano
Nome: maurizio pavesi
ciao nicola
beh, non esattamente una gran rarità :)

Paradromius (Manodromius) linearis (Olivier, 1795)

_________________
*****************
Immagine maurizio


Top
profilo
 Oggetto del messaggio: Re: Carabidae
MessaggioInviato: 30/12/2010, 20:04 
Avatar utente

Iscritto il: 08/06/2009, 0:06
Messaggi: 3415
Località: Feltre(BL)
Nome: Nicola Dal Zotto
gomphus ha scritto:
ciao nicola
beh, non esattamente una gran rarità :)

Paradromius (Manodromius) linearis (Olivier, 1795)


Grazie Maurizio! :D

Immagino sia comune, visto che l'ho trovato anch'io che loro non li cerco proprio, anzi :lol1:

_________________
Nicola Dal Zotto


Top
profilo
Visualizza ultimi messaggi:  Ordina per  
nuovo argomento
rispondi
Pagina 1 di 1 [ 3 messaggi ]

Tutti gli orari sono UTC + 1 ora [ ora legale ]


Chi c’è in linea

Visitano il forum: Nessuno e 4 ospiti


Non puoi aprire nuovi argomenti
Non puoi rispondere negli argomenti
Non puoi modificare i tuoi messaggi
Non puoi cancellare i tuoi messaggi
Non puoi inviare allegati

Cerca per:
Vai a: