Benvenuto Ospite

Forum Entomologi Italiani

www.entomologiitaliani.net/forum
 
Oggi è 04/10/2025, 15:53

Tutti gli orari sono UTC + 1 ora [ ora legale ]

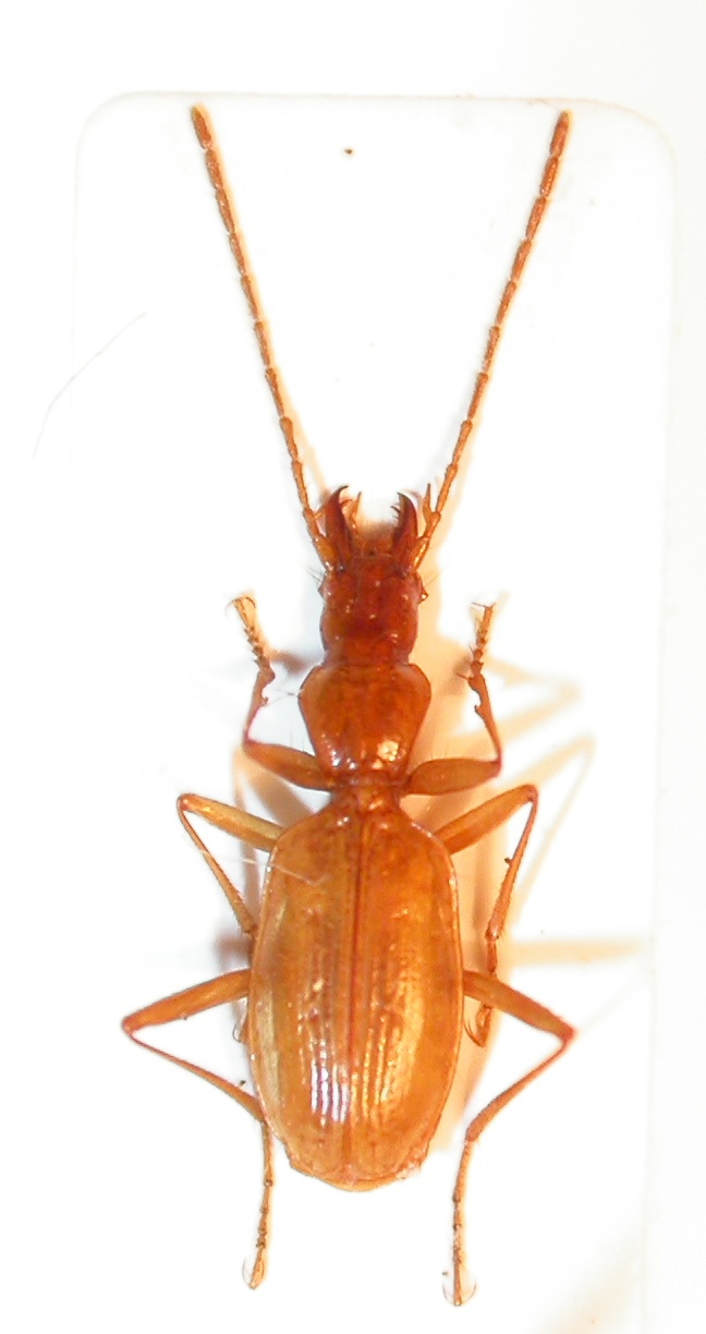
Duvalius (Duvalius) auruncus Vigna Taglianti & Magrini, 2008 Dettagli della specie

22.VIII.2010 - ITALIA - Lazio - FR, Esperia (FR), leg. Bastianini-Magrini


nuovo argomento
rispondi
Pagina 1 di 1 [ 5 messaggi ]
Autore Messaggio
MessaggioInviato: 20/12/2011, 18:46 
Avatar utente

Iscritto il: 02/09/2009, 20:57
Messaggi: 8703
Località: Cagliari
Nome: Roberto Rattu
Un altro regalo di Marco :hp: ; un Duvalius auruncus, esemplare lungo 6,5 mm:

DSCN9543.JPG



Top
profilo
MessaggioInviato: 20/12/2011, 18:51 
Avatar utente

Iscritto il: 08/11/2010, 12:40
Messaggi: 1722
Località: Brescia
Nome: Mauro Agosti
Questi Duvalius sono uno più bello dell'altro! :lov3:
Ti ha fatto proprio un bel regalo!!


Top
profilo
MessaggioInviato: 20/12/2011, 18:56 
Avatar utente

Iscritto il: 10/05/2010, 22:31
Messaggi: 4371
Località: Gavorrano (GR)
Nome: marco bastianini
A mio modesto avviso questo è uno dei Duvalius più belli, anzi, questo è "numero uno" tra i Duvalius. :hp: :hp: :hp:

_________________
:to: Marco
"Le foreste a precedere le civiltà, i deserti a seguire."
François-René de Chateaubriand


Top
profilo
MessaggioInviato: 20/12/2011, 20:09 
Avatar utente

Iscritto il: 08/07/2010, 10:53
Messaggi: 3171
Località: Matera
Nome: Domenico Cardinale
Roberto, ma a te (l'entomo)Babbo Natale è arrivato prima quest'anno?!?! :mrgreen: :mrgreen: :mrgreen: Di solito in Sardegna i pacchi ci impiegano un giorno in più per arrivare!!! :gh: :gh:

_________________
Saluti :hi: Mimmo


Top
profilo
MessaggioInviato: 20/12/2011, 22:34 
Avatar utente

Iscritto il: 09/11/2010, 19:52
Messaggi: 4518
Località: Brescia
Nome: Luca Bodei
...io sono stato cattivo....,mi sa nisba quest'anno da Babbo natale....però see... qualcuno....volesse c'è sempre il caro mp :to: :D :hi: :birra:

_________________
Tc70


Top
profilo
Visualizza ultimi messaggi:  Ordina per  
nuovo argomento
rispondi
Pagina 1 di 1 [ 5 messaggi ]

Tutti gli orari sono UTC + 1 ora [ ora legale ]


Chi c’è in linea

Visitano il forum: Nessuno e 6 ospiti


Non puoi aprire nuovi argomenti
Non puoi rispondere negli argomenti
Non puoi modificare i tuoi messaggi
Non puoi cancellare i tuoi messaggi
Non puoi inviare allegati

Cerca per:
Vai a: