Benvenuto Ospite

Forum Entomologi Italiani

www.entomologiitaliani.net/forum
 
Oggi è 04/10/2025, 10:32

Tutti gli orari sono UTC + 1 ora [ ora legale ]

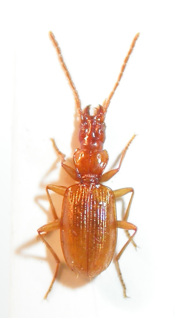
Duvalius (Duvalius) nardii Vigna Taglianti & Magrini, 2008 Dettagli della specie

25.IV.2009 - ITALIA - Lazio - LT, grotta della Cava, leg. M. Bastianini


nuovo argomento
rispondi
Pagina 1 di 1 [ 8 messaggi ]
Autore Messaggio
MessaggioInviato: 19/12/2011, 13:33 
Avatar utente

Iscritto il: 02/09/2009, 20:57
Messaggi: 8703
Località: Cagliari
Nome: Roberto Rattu
Il caro Marco Bastianini (hypotyphlus) mi ha gentilmente fatto dono di un piccolo lotto di interessanti carabidi :lov1: . Tra i vari anche questo magnifico Duvalius (Duvalius) nardii. L'esemplare è lungo 6 mm:

DSCN9541.JPG



Top
profilo
MessaggioInviato: 19/12/2011, 13:55 
Avatar utente

Iscritto il: 10/05/2010, 22:31
Messaggi: 4371
Località: Gavorrano (GR)
Nome: marco bastianini
.....e io che credevo che avevi trovato il Duvalius sardous :p :p :p uno dei pochi Duvalius che mi mancano :cry: :cry: :cry:

_________________
:to: Marco
"Le foreste a precedere le civiltà, i deserti a seguire."
François-René de Chateaubriand


Top
profilo
MessaggioInviato: 19/12/2011, 14:05 
Avatar utente

Iscritto il: 02/09/2009, 20:57
Messaggi: 8703
Località: Cagliari
Nome: Roberto Rattu
hypotyphlus ha scritto:
.....e io che credevo che avevi trovato il Duvalius sardous :p :p :p uno dei pochi Duvalius che mi mancano :cry: :cry: :cry:


Beh, posso sempre cambiare il titolo........ :gh: :gh: . Prima o poi magari lo prenderò....per ora volo basso e inizio per gradi con le Typhloreicheia.. :to:


Top
profilo
MessaggioInviato: 19/12/2011, 14:44 
Avatar utente

Iscritto il: 10/05/2010, 22:31
Messaggi: 4371
Località: Gavorrano (GR)
Nome: marco bastianini
Bravo Roberto
e poi ricordati che per ottenere buoni risultati non deve mai mancare
Costanza Umiltà Lungimiranza e Ostinazione (non ricordo di chi è la battuta, ma è ripresa qui dal forum :mrgreen: :mrgreen: :mrgreen: ).

_________________
:to: Marco
"Le foreste a precedere le civiltà, i deserti a seguire."
François-René de Chateaubriand


Top
profilo
MessaggioInviato: 19/12/2011, 15:48 
Avatar utente

Iscritto il: 05/02/2009, 17:31
Messaggi: 9527
Località: milano
Nome: maurizio pavesi
ciao roberto

hypotyphlus ha scritto:
... e poi ricordati che per ottenere buoni risultati non deve mai mancare
Costanza Umiltà Lungimiranza e Ostinazione (non ricordo di chi è la battuta, ma è ripresa qui dal forum :mrgreen: :mrgreen: :mrgreen: )

beh... di qualcuno che sta mooooolto :mrgreen: vicino a casa tua ;) ...

_________________
*****************
Immagine maurizio


Top
profilo
MessaggioInviato: 19/12/2011, 18:50 
Avatar utente

Iscritto il: 09/11/2010, 19:52
Messaggi: 4518
Località: Brescia
Nome: Luca Bodei
hypotyphlus ha scritto:
.....e io che credevo che avevi trovato il Duvalius sardous :p :p :p uno dei pochi Duvalius che mi mancano :cry: :cry: :cry:



...e non sei l'unico.... :mrgreen: :mrgreen: :mrgreen: :hi: :birra:

_________________
Tc70


Top
profilo
MessaggioInviato: 19/12/2011, 21:31 
Avatar utente

Iscritto il: 01/11/2010, 21:21
Messaggi: 2105
Località: Brescia
Nome: Mario Grottolo
Duvalius sardous è già di per se una specie rara, inoltre non è facile localizzare la grotta tipica, e per raggiungerla occorre fare una camminata pazzesca. Quando sono andato a cercare il Duvalius, arrivato alla grotta ero completamente distrutto e ho tovato solo resti ( :devil: :devil: ) in una vecchia trappola dimenticata da qualche ...... :no1: ).
Ciao
Mario


Top
profilo
MessaggioInviato: 19/12/2011, 22:21 
Avatar utente

Iscritto il: 19/09/2009, 22:25
Messaggi: 5912
Località: Brescia
Nome: Vinicio Salami
hypotyphlus ha scritto:
...ricordati che per ottenere buoni risultati non deve mai mancare
Costanza Umiltà Lungimiranza e Ostinazione...


senza queste "doti" è meglio starsene a casa.

:mrgreen: :mrgreen:


Top
profilo
Visualizza ultimi messaggi:  Ordina per  
nuovo argomento
rispondi
Pagina 1 di 1 [ 8 messaggi ]

Tutti gli orari sono UTC + 1 ora [ ora legale ]


Chi c’è in linea

Visitano il forum: Nessuno e 11 ospiti


Non puoi aprire nuovi argomenti
Non puoi rispondere negli argomenti
Non puoi modificare i tuoi messaggi
Non puoi cancellare i tuoi messaggi
Non puoi inviare allegati

Cerca per:
Vai a: