Benvenuto Ospite

Forum Entomologi Italiani

www.entomologiitaliani.net/forum
 
Oggi è 11/10/2025, 10:24

Tutti gli orari sono UTC + 1 ora [ ora legale ]

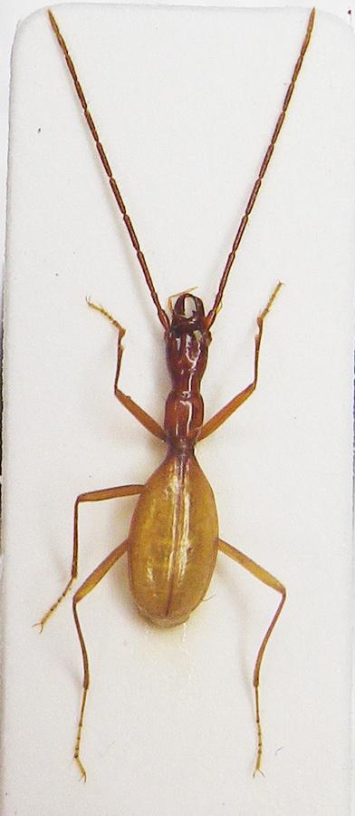
Orotrechus gigas dallarmi Daffner, 1987 - Carabidae

20.VI.1995 - ITALIA - Veneto - TV, Valdobbiadene, grotta Bortolomiol


nuovo argomento
rispondi
Pagina 1 di 1 [ 5 messaggi ]
Autore Messaggio
MessaggioInviato: 15/03/2012, 23:28 
Avatar utente

Iscritto il: 01/11/2010, 21:21
Messaggi: 2106
Località: Brescia
Nome: Mario Grottolo
Altra super rarità.


Odallarmi.JPG

Top
profilo
 Oggetto del messaggio: Re: Orotrechus dallarmi Daffner, 1987
MessaggioInviato: 15/03/2012, 23:37 
Avatar utente

Iscritto il: 18/02/2009, 0:24
Messaggi: 3907
Località: Asciano (Siena)
Nome: Andrea Petrioli
Wow Mario :sma: :sma: :sma: :sma: :sma:

Sempre meglio :hp: :hp: :hp: :hp:

_________________
:hi:
______
Andrea


Top
profilo
 Oggetto del messaggio: Re: Orotrechus dallarmi Daffner, 1987
MessaggioInviato: 16/03/2012, 0:27 
Avatar utente

Iscritto il: 19/09/2009, 22:25
Messaggi: 5912
Località: Brescia
Nome: Vinicio Salami
mi sembra che sia diventato ssp. di O. gigas... :to:...in ogni caso è una bestia spettacolare.


Top
profilo
 Oggetto del messaggio: Re: Orotrechus dallarmi Daffner, 1987
MessaggioInviato: 16/03/2012, 14:16 
Avatar utente

Iscritto il: 10/05/2010, 22:31
Messaggi: 4371
Località: Gavorrano (GR)
Nome: marco bastianini
eurinomio ha scritto:
mi sembra che sia diventato ssp. di O. gigas... :to:...in ogni caso è una bestia spettacolare.
:ok:
MONGUZZI R. e TREZZI G. Note sul "gruppo di Orotrechus gigas VIGNA TAGLIANTI, 1981", sensu novo, con descrizione di una nuova entità.(Coleoptera, Carabidae).Fragmenta entomologica, Roma, 37 (1): 9-31 (2005) :hi:

_________________
:to: Marco
"Le foreste a precedere le civiltà, i deserti a seguire."
François-René de Chateaubriand


Top
profilo
 Oggetto del messaggio: Re: Orotrechus dallarmi Daffner, 1987
MessaggioInviato: 16/03/2012, 20:27 
Avatar utente

Iscritto il: 06/02/2009, 9:03
Messaggi: 6363
Località: Bubano di Mordano (Bologna)
Nome: Augusto Degiovanni
Cita:
Altra super rarità.


Infatti :ok: :ok: :ok:

_________________
CIAO :hi: Augusto Degiovanni

http://anthicidaeecarabidae.altervista.org


Top
profilo
Visualizza ultimi messaggi:  Ordina per  
nuovo argomento
rispondi
Pagina 1 di 1 [ 5 messaggi ]

Tutti gli orari sono UTC + 1 ora [ ora legale ]


Chi c’è in linea

Visitano il forum: Google [Bot] e 6 ospiti


Non puoi aprire nuovi argomenti
Non puoi rispondere negli argomenti
Non puoi modificare i tuoi messaggi
Non puoi cancellare i tuoi messaggi
Non puoi inviare allegati

Cerca per:
Vai a: