Benvenuto Ospite

Forum Entomologi Italiani

www.entomologiitaliani.net/forum
 
Oggi è 06/10/2025, 2:55

Tutti gli orari sono UTC + 1 ora [ ora legale ]

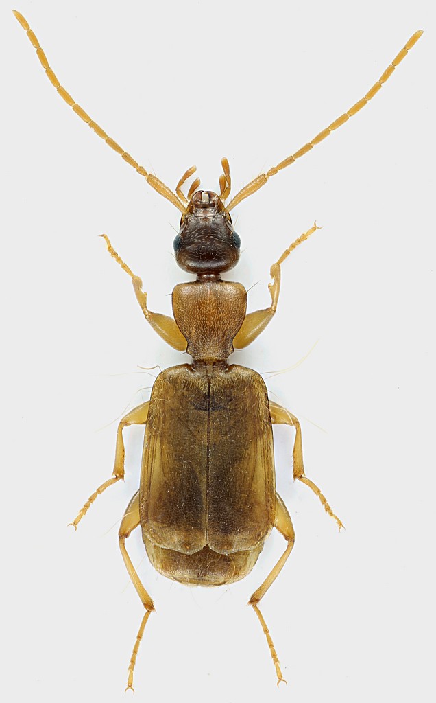
Parazuphium (Parazuphium) chevrolatii chevrolatii (Laporte, 1833) Dettagli della specie

VII.2012 - ITALIA - Lazio - FR, Serrone, 650 m


nuovo argomento
rispondi
Pagina 1 di 1 [ 7 messaggi ]
Autore Messaggio
MessaggioInviato: 31/08/2012, 18:04 
Avatar utente

Iscritto il: 30/12/2009, 22:20
Messaggi: 31564
Località: Roma
Nome: Maurizio Gigli
Questo penso di non averlo mai visto prima, e se non ho sbagliato ad identificarlo (cosa probabile) è pure il primo che appare sul Forum. Con quel colore testaceo e i peli lunghissimi, l'avevo preso per una bestia di grotta, ma questo ci vede bene,

Parazuphium (Parazuphium) chevrolatii chevrolatii (Laporte, 1833) ?

Lazio, Frosinone, Serrone, 650 m, alla luce nera sul terrazzo di casa, 15-30.VII.2012, M. Gigli legit

5 mm
Parazuphium_Serrone_15-30_VII-2012_5mm_grey.jpg


_________________
Maurizio Gigli
http://utenti.romascuola.net/bups
http://bup.xoom.it/


Top
profilo
MessaggioInviato: 31/08/2012, 21:36 
Avatar utente

Iscritto il: 06/02/2009, 9:03
Messaggi: 6363
Località: Bubano di Mordano (Bologna)
Nome: Augusto Degiovanni
Bella bestiolina Maurizio :ok: :ok:

_________________
CIAO :hi: Augusto Degiovanni

http://anthicidaeecarabidae.altervista.org


Top
profilo
MessaggioInviato: 31/08/2012, 21:52 
Avatar utente

Iscritto il: 30/12/2009, 22:20
Messaggi: 31564
Località: Roma
Nome: Maurizio Gigli
Tra le poche cose arrivate alla luce questa estate, ci sono un po' di Carabidae di piccole dimensioni (gli "Ophonus" ho fatto finta di non vederli). Spero che in mezzo ci sia qualcosa di interessante. Questo è il primo che preparo. La cosa che mi ha colpito sono i lunghissimi peli, soprattutto quelli sulla metà anteriore delle elitre, lunghi come o più dei tarsi posteriori.

_________________
Maurizio Gigli
http://utenti.romascuola.net/bups
http://bup.xoom.it/


Top
profilo
MessaggioInviato: 01/09/2012, 21:18 
Avatar utente

Iscritto il: 06/02/2009, 9:03
Messaggi: 6363
Località: Bubano di Mordano (Bologna)
Nome: Augusto Degiovanni
Cita:
Tra le poche cose arrivate alla luce questa estate, ci sono un po' di Carabidae di piccole dimensioni (gli "Ophonus" ho fatto finta di non vederli). Spero che in mezzo ci sia qualcosa di interessante.


Bè Maurizio, questo è sicuramente molto interessante ;) :ok:

_________________
CIAO :hi: Augusto Degiovanni

http://anthicidaeecarabidae.altervista.org


Top
profilo
MessaggioInviato: 01/09/2012, 22:01 
Avatar utente

Iscritto il: 30/12/2009, 22:20
Messaggi: 31564
Località: Roma
Nome: Maurizio Gigli
Notoxus59 ha scritto:

Bè Maurizio, questo è sicuramente molto interessante ;) :ok:

Controllerò se ne ho preso qualche altro.

_________________
Maurizio Gigli
http://utenti.romascuola.net/bups
http://bup.xoom.it/


Top
profilo
MessaggioInviato: 02/09/2012, 15:28 
Avatar utente

Iscritto il: 06/02/2009, 9:03
Messaggi: 6363
Località: Bubano di Mordano (Bologna)
Nome: Augusto Degiovanni
Julodis ha scritto:
Notoxus59 ha scritto:

Bè Maurizio, questo è sicuramente molto interessante ;) :ok:

Controllerò se ne ho preso qualche altro.


Se fosse !!.......che C..o.........io ne ho preso uno ogni 7 anni :sick:

Insisti con la lampadaaaaaaaaaaaaaaa :hp: :hp: :hp:

_________________
CIAO :hi: Augusto Degiovanni

http://anthicidaeecarabidae.altervista.org


Top
profilo
MessaggioInviato: 02/09/2012, 17:27 
Avatar utente

Iscritto il: 30/12/2009, 22:20
Messaggi: 31564
Località: Roma
Nome: Maurizio Gigli
Notoxus59 ha scritto:
Insisti con la lampadaaaaaaaaaaaaaaa :hp: :hp: :hp:


Ormai se ne riparla il prossimo anno. Nel barattolo con questo non mi è parso di vederne altri. Magari in qualche altro barattolo, o in quelli del 2010 e 2011, ancora quasi tutti da controllare, ed in cui c'era molta più roba.

_________________
Maurizio Gigli
http://utenti.romascuola.net/bups
http://bup.xoom.it/


Top
profilo
Visualizza ultimi messaggi:  Ordina per  
nuovo argomento
rispondi
Pagina 1 di 1 [ 7 messaggi ]

Tutti gli orari sono UTC + 1 ora [ ora legale ]


Chi c’è in linea

Visitano il forum: Nessuno e 4 ospiti


Non puoi aprire nuovi argomenti
Non puoi rispondere negli argomenti
Non puoi modificare i tuoi messaggi
Non puoi cancellare i tuoi messaggi
Non puoi inviare allegati

Cerca per:
Vai a: