Benvenuto Ospite

Forum Entomologi Italiani

www.entomologiitaliani.net/forum
 
Oggi è 06/10/2025, 18:09

Tutti gli orari sono UTC + 1 ora [ ora legale ]

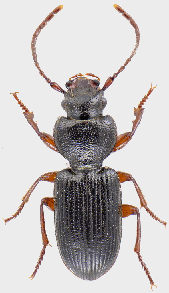
Carterus (Carterus) dama (P. Rossi, 1792) Dettagli della specie

12.V.2012 - ITALIA - Puglia - LE, Torre Mozza - P.R. litorale di Ugento - m. 0


nuovo argomento
rispondi
Pagina 1 di 1 [ 11 messaggi ]
Autore Messaggio
MessaggioInviato: 14/05/2012, 17:23 
Avatar utente

Iscritto il: 25/11/2009, 9:31
Messaggi: 8157
Località: Lecce
Nome: Maurizio Bollino
Grazie a Enrico Ruzzier ho chiarito che questa bestiola, atterrata sull'asciugamano di mia moglie mentre prendeva il sole in spiaggia, è un Carabidae. Quei processi cefalici mi avevano mandato in crisi, e per .... pudore non dico a che famiglia avevo pensato :oops: :oops: :oops:

Dimensioni: 8 mm
Carabidae-Torre-Mozza.jpg


_________________
Maurizio Bollino


Top
profilo
 Oggetto del messaggio: Re: Carabidae
MessaggioInviato: 14/05/2012, 18:12 
Avatar utente

Iscritto il: 30/12/2010, 11:51
Messaggi: 4544
Località: San Giovanni Valdarno (AR)
Nome: Giovanni Altadonna
Ciao Maurizio! Mi sembra un Ditomus... :roll:

_________________
"L' uomo che è cieco alle bellezze della natura ha perduto metà del piacere di vivere"
Sir Robert Baden Powell

Giovanni Altadonna


Top
profilo
 Oggetto del messaggio: Re: Carabidae
MessaggioInviato: 14/05/2012, 18:14 
Avatar utente

Iscritto il: 04/02/2009, 17:49
Messaggi: 5506
Località: Cagliari
Nome: Daniele Sechi
Maurizio Bollino ha scritto:
Quei processi cefalici mi avevano mandato in crisi, e per .... pudore non dico a che famiglia avevo pensato :oops: :oops: :oops:


Bovidae? :lol:

_________________
:hi:
Daniele


Top
profilo
 Oggetto del messaggio: Re: Carabidae
MessaggioInviato: 14/05/2012, 18:17 
Avatar utente

Iscritto il: 25/11/2009, 9:31
Messaggi: 8157
Località: Lecce
Nome: Maurizio Bollino
Daniele Sechi ha scritto:
Maurizio Bollino ha scritto:
Quei processi cefalici mi avevano mandato in crisi, e per .... pudore non dico a che famiglia avevo pensato :oops: :oops: :oops:


Bovidae? :lol:


:gun: :gun: :gun: :gun:

_________________
Maurizio Bollino


Top
profilo
 Oggetto del messaggio: Re: Carabidae
MessaggioInviato: 14/05/2012, 18:18 
Avatar utente

Iscritto il: 30/12/2010, 11:51
Messaggi: 4544
Località: San Giovanni Valdarno (AR)
Nome: Giovanni Altadonna
Daniele Sechi ha scritto:
Maurizio Bollino ha scritto:
Quei processi cefalici mi avevano mandato in crisi, e per .... pudore non dico a che famiglia avevo pensato :oops: :oops: :oops:


Bovidae? :lol:

Ho appena controllato nell' archivio del forum e non mi sembra nè il clypeatus nè lo sphaerocephalus: quindi, o è una specie nuova per il forum o ho sbagluiato il genere! :to:

_________________
"L' uomo che è cieco alle bellezze della natura ha perduto metà del piacere di vivere"
Sir Robert Baden Powell

Giovanni Altadonna


Top
profilo
 Oggetto del messaggio: Re: Carabidae
MessaggioInviato: 14/05/2012, 18:21 
Avatar utente

Iscritto il: 04/02/2009, 17:49
Messaggi: 5506
Località: Cagliari
Nome: Daniele Sechi
Giovanni prova a controllare tra i Carterus ;)

_________________
:hi:
Daniele


Top
profilo
 Oggetto del messaggio: Re: Carabidae
MessaggioInviato: 14/05/2012, 19:16 
Avatar utente

Iscritto il: 16/02/2009, 23:39
Messaggi: 1368
Località: Mirano (Venezia)
Nome: Enrico Ruzzier
Maurizio Bollino ha scritto:
Grazie a Enrico Ruzzier ho chiarito che questa bestiola, atterrata sull'asciugamano di mia moglie mentre prendeva il sole in spiaggia, è un Carabidae. Quei processi cefalici mi avevano mandato in crisi, e per .... pudore non dico a che famiglia avevo pensato :oops: :oops: :oops:

Dimensioni: 8 mm
Carabidae-Torre-Mozza.jpg


Il dettaglio del metodo di cattura me lo avevi omesso :gh: :gh: :gh: :gh:


:hi:

_________________
«Discendiamo da scimmie evolute, non da angeli caduti» Robert Ardrey


Top
profilo
 Oggetto del messaggio: Re: Carabidae
MessaggioInviato: 15/05/2012, 1:13 
Avatar utente

Iscritto il: 17/12/2009, 19:19
Messaggi: 571
Località: Miane (TV)
Nome: Franco Sandel
Daniele Sechi ha scritto:
Giovanni prova a controllare tra i Carterus ;)


Sembrerebbe il Carterus dama,
ma meglio aspettare qualche specialista.

_________________
Effe Esse


Top
profilo
 Oggetto del messaggio: Re: Carabidae
MessaggioInviato: 21/10/2012, 19:04 
Avatar utente

Iscritto il: 09/07/2011, 13:43
Messaggi: 2210
Località: Marmirolo (MN)
Nome: Maura Bocci
Visto che siamo ancora in attesa di una conferma, ne approfitto per chiedere un chiarimento: il margine anteriore del clipeo è quello indicato dalla freccia?

285_6515d828c39baf2578e93d66443ca42f.jpg


_________________
Maura
(Mitakuye oyasin)


Top
profilo
 Oggetto del messaggio: Re: Carabidae
MessaggioInviato: 21/10/2012, 22:31 
Avatar utente

Iscritto il: 06/02/2009, 9:03
Messaggi: 6363
Località: Bubano di Mordano (Bologna)
Nome: Augusto Degiovanni
Ciao Maura,
quello che tu indichi in giallo è proprio il bordo o margine anteriore del Clypeo :ok: :ok:

Per la determinazione anche io propendo per il dama, visto il primo articolo antennale molto lungo e le escrescenze sulle mandibole, lo confermerei ;)

_________________
CIAO :hi: Augusto Degiovanni

http://anthicidaeecarabidae.altervista.org


Top
profilo
 Oggetto del messaggio: Re: Carabidae
MessaggioInviato: 21/10/2012, 22:46 
Avatar utente

Iscritto il: 09/07/2011, 13:43
Messaggi: 2210
Località: Marmirolo (MN)
Nome: Maura Bocci
Grazie!

_________________
Maura
(Mitakuye oyasin)


Top
profilo
Visualizza ultimi messaggi:  Ordina per  
nuovo argomento
rispondi
Pagina 1 di 1 [ 11 messaggi ]

Tutti gli orari sono UTC + 1 ora [ ora legale ]


Chi c’è in linea

Visitano il forum: Nessuno e 6 ospiti


Non puoi aprire nuovi argomenti
Non puoi rispondere negli argomenti
Non puoi modificare i tuoi messaggi
Non puoi cancellare i tuoi messaggi
Non puoi inviare allegati

Cerca per:
Vai a: