Benvenuto Ospite

Forum Entomologi Italiani

www.entomologiitaliani.net/forum
 
Oggi è 06/10/2025, 5:31

Tutti gli orari sono UTC + 1 ora [ ora legale ]

Anthracus longicornis (Schaum, 1857) - Carabidae

2.II.2013 - ITALIA - Emilia-Romagna - RA, Punta Alberete


nuovo argomento
rispondi
Pagina 1 di 1 [ 2 messaggi ]
Autore Messaggio
MessaggioInviato: 09/02/2013, 9:01 
Avatar utente

Iscritto il: 05/02/2009, 17:25
Messaggi: 4894
Località: Zola Predosa (BO)
Nome: Loris Colacurcio
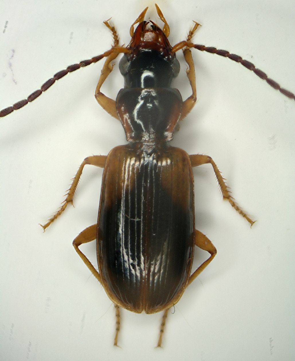
La recentissima spedizione con Augusto in una splendida palude del ravennate, mi ha permesso di raccogliere anche qualche carabidino. Ovviamente il mio compagno di caccia mi subissava di nomi (per gli animali, non per offendermi ;) ), ma figuratevi se mi ricordo qualche cosa.
Mi sembra che i generi "suonavano" circa come Atranus, Antracus e Acupalpus.....beh, i prossimi 3 dovrebbero capitare tra questi generi.

Erano abbastanza frequenti, nel lavaggio di terreno a ridosso dell'acqua.

Questo è l'unico dove posso azzardare qualche cosa, visto che mi sembra molto simile ad un altro già raccolto dalle mie parti: potrebbe essere l' Anthracus longicornis (Schaum, 1857) ??

Lunghezza: 3.8 mm. circa

carabide05.JPG


_________________
Loris


Top
profilo
 Oggetto del messaggio: Re: Atra-Acupalp -us 3 - Carabidae
MessaggioInviato: 09/02/2013, 14:06 
Avatar utente

Iscritto il: 06/02/2009, 9:03
Messaggi: 6363
Località: Bubano di Mordano (Bologna)
Nome: Augusto Degiovanni
Ciao Loris,
se ha un solo punto elitrale è lui :ok:

_________________
CIAO :hi: Augusto Degiovanni

http://anthicidaeecarabidae.altervista.org


Top
profilo
Visualizza ultimi messaggi:  Ordina per  
nuovo argomento
rispondi
Pagina 1 di 1 [ 2 messaggi ]

Tutti gli orari sono UTC + 1 ora [ ora legale ]


Chi c’è in linea

Visitano il forum: Nessuno e 1 ospite


Non puoi aprire nuovi argomenti
Non puoi rispondere negli argomenti
Non puoi modificare i tuoi messaggi
Non puoi cancellare i tuoi messaggi
Non puoi inviare allegati

Cerca per:
Vai a: