Benvenuto Ospite

Forum Entomologi Italiani

www.entomologiitaliani.net/forum
 
Oggi è 05/10/2025, 5:35

Tutti gli orari sono UTC + 1 ora [ ora legale ]

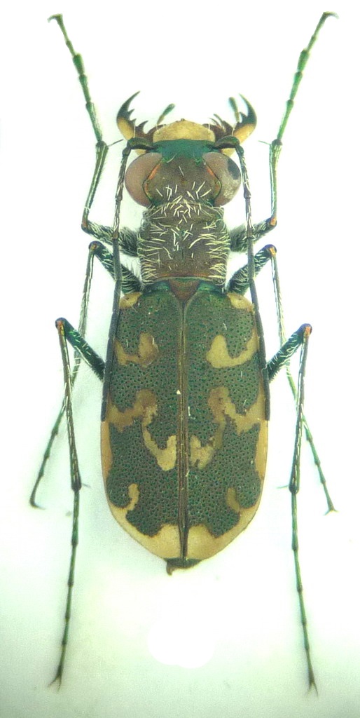
Cylindera (Eugrapha) arenaria arenaria (Füessly, 1775) Dettagli della specie

31.V.2014 - ITALIA - Emilia-Romagna - RE, Montecchio Emilia - Torrente Enza


nuovo argomento
rispondi
Pagina 1 di 1 [ 8 messaggi ]
Autore Messaggio
MessaggioInviato: 01/07/2014, 0:04 
Avatar utente

Iscritto il: 21/02/2011, 15:25
Messaggi: 3877
Località: Montecchio Emilia (RE)
Nome: Violi Michele
Stranamente non c'era ancora sul forum la sottospecie nominale e un esemplare italiano.
Trovata localmente comune sui banchi di sabbia e limo del Torrente Enza.
10 mm


P1500307.jpg


_________________
Michele :D
Top
profilo
MessaggioInviato: 01/07/2014, 6:30 
Avatar utente

Iscritto il: 09/11/2009, 14:12
Messaggi: 5144
Località: Hradec Kralove,Czech republik
Nome: Jan Matějíček
+ Cylindera (Eugrapha) arenaria viennensis (Schrank, 1781)
CZ - Bukovina nad Labem


DSC_0003.JPG

DSC_0001.JPG

BV9F2892.jpg

C.(Cylindera)     arenaria        viennens Schrank, 1781.jpg


_________________
Research Fields
Taxonomy, ecology, biomonitoring , faunistic of Staphylinidae
Top
profilo
MessaggioInviato: 02/07/2014, 19:59 
Avatar utente

Iscritto il: 21/02/2011, 15:25
Messaggi: 3877
Località: Montecchio Emilia (RE)
Nome: Violi Michele
Oggi sono tornato sul posto per verificare che girassero ancora, e per provare a fare foto in natura degli esemplari e dell'ambiente:


P1500339.jpg

P1500366.jpg

P1500362.jpg

P1500360.jpg

P1500357.jpg

P1500352.jpg


_________________
Michele :D
Top
profilo
MessaggioInviato: 02/07/2014, 20:49 
 

Iscritto il: 30/07/2010, 8:40
Messaggi: 596
Nome: vittorino.monzini
molto belle le foto, anche il caratteristico ambiente di ritrovamento corrisponde perfettamente a quelli che anch'io ho verificato in altri siti, per questa bella e rara specie :hi:


Top
profilo
MessaggioInviato: 02/07/2014, 20:51 
Avatar utente

Iscritto il: 01/07/2010, 22:26
Messaggi: 5646
Località: Viterbo
Nome: Marco Selis
Molto belle. I buchi nel terreno dell'ultima foto sono delle loro larve?


Top
profilo
MessaggioInviato: 02/07/2014, 21:27 
Avatar utente

Iscritto il: 10/10/2011, 22:02
Messaggi: 1329
Località: Reggio Emilia
Nome: Malavasi Marco
bellissime !!!!!!!!!!!!!! :birra: :birra:

_________________
http://www.entomoalex-gr.com


Top
profilo
MessaggioInviato: 02/07/2014, 21:35 
Avatar utente

Iscritto il: 21/02/2011, 15:25
Messaggi: 3877
Località: Montecchio Emilia (RE)
Nome: Violi Michele
Grazie Vittorino e... Marchi :D :birra: Se quelli siano i fori delle larve non te lo so dire, e non ci avevo neanche fatto caso. Ora che me lo hai detto si vede qualcosa che affiora da un foro molto simile ad una larva di cicindelide (vedi foto sul forum...)

_________________
Michele :D


Top
profilo
MessaggioInviato: 02/07/2014, 22:42 
Avatar utente

Iscritto il: 10/10/2011, 22:02
Messaggi: 1329
Località: Reggio Emilia
Nome: Malavasi Marco
:ok: :ok: sono proprio i fori delle larve , almeno nei posti dove li ho visti io sono uguali a quelli

_________________
http://www.entomoalex-gr.com


Top
profilo
Visualizza ultimi messaggi:  Ordina per  
nuovo argomento
rispondi
Pagina 1 di 1 [ 8 messaggi ]

Tutti gli orari sono UTC + 1 ora [ ora legale ]


Chi c’è in linea

Visitano il forum: Nessuno e 4 ospiti


Non puoi aprire nuovi argomenti
Non puoi rispondere negli argomenti
Non puoi modificare i tuoi messaggi
Non puoi cancellare i tuoi messaggi
Non puoi inviare allegati

Cerca per:
Vai a: