Benvenuto Ospite

Forum Entomologi Italiani

www.entomologiitaliani.net/forum
 
Oggi è 06/10/2025, 17:54

Tutti gli orari sono UTC + 1 ora [ ora legale ]

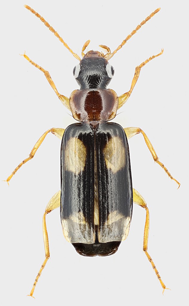
Dromius quadrimaculatus (Linnaeus, 1758) - Carabidae

11.II.2015 - ITALIA - Lazio - RM, Caldara di Manziana


nuovo argomento
rispondi
Pagina 1 di 1 [ 4 messaggi ]
Autore Messaggio
MessaggioInviato: 14/02/2015, 19:53 
Avatar utente

Iscritto il: 30/12/2009, 22:20
Messaggi: 31564
Località: Roma
Nome: Maurizio Gigli
Questo somiglia un po' a un Philorhizus ma il protorace mi sembra decisamente troppo largo.

Lazio, Roma, Caldara di Manziana, 11.II.2015, sotto corteccia di betulla, M. Gigli legit

5,7 mm
Carabidae_Caldara_Manziana_11-II-2015_5,7mm_grey.jpg


_________________
Maurizio Gigli
http://utenti.romascuola.net/bups
http://bup.xoom.it/


Top
profilo
 Oggetto del messaggio: Re: Carabidae
MessaggioInviato: 14/02/2015, 19:58 
Avatar utente

Iscritto il: 06/02/2009, 9:07
Messaggi: 1483
Località: Val Camonica (BS)
Nome: Davide Pedersoli
Dromius quadrimaculatus :roll:

_________________
Pedux Camuno


Top
profilo
 Oggetto del messaggio: Re: Carabidae
MessaggioInviato: 14/02/2015, 19:59 
Avatar utente

Iscritto il: 08/11/2010, 12:40
Messaggi: 1722
Località: Brescia
Nome: Mauro Agosti
:ok:
Sembra la fotocopia di questa :lol:


Top
profilo
 Oggetto del messaggio: Re: Carabidae
MessaggioInviato: 14/02/2015, 20:14 
Avatar utente

Iscritto il: 30/12/2009, 22:20
Messaggi: 31564
Località: Roma
Nome: Maurizio Gigli
Allora non ero molto lontano!

magosti ha scritto:
:ok:
Sembra la fotocopia di questa :lol:

Ma quello di Cosmin è preparato meglio.

_________________
Maurizio Gigli
http://utenti.romascuola.net/bups
http://bup.xoom.it/


Top
profilo
Visualizza ultimi messaggi:  Ordina per  
nuovo argomento
rispondi
Pagina 1 di 1 [ 4 messaggi ]

Tutti gli orari sono UTC + 1 ora [ ora legale ]


Chi c’è in linea

Visitano il forum: Nessuno e 6 ospiti


Non puoi aprire nuovi argomenti
Non puoi rispondere negli argomenti
Non puoi modificare i tuoi messaggi
Non puoi cancellare i tuoi messaggi
Non puoi inviare allegati

Cerca per:
Vai a: