Benvenuto Ospite

Forum Entomologi Italiani

www.entomologiitaliani.net/forum
 
Oggi è 10/10/2025, 3:38

Tutti gli orari sono UTC + 1 ora [ ora legale ]

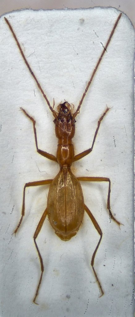
Orotrechus schwienbacheri Grottolo & Martinelli, 1991 Dettagli della specie

19.V.1990 - ITALIA - Friuli-Venezia Giulia - PN, Val Cellina, Grotte Vecchia Diga


nuovo argomento
rispondi
Pagina 1 di 1 [ 4 messaggi ]
Autore Messaggio
MessaggioInviato: 09/12/2020, 18:38 
Avatar utente

Iscritto il: 01/11/2010, 21:21
Messaggi: 2106
Località: Brescia
Nome: Mario Grottolo
Olotipo!
Bestiola mitica!
Ciao
Mario


o. schwienbacheri.jpg

Top
profilo
MessaggioInviato: 09/12/2020, 18:48 
 

Iscritto il: 08/12/2013, 1:52
Messaggi: 7496
Località: Bagnacavallo (RA)
Nome: Giorgio Pezzi
Che carini! :hi:


Top
profilo
MessaggioInviato: 09/12/2020, 19:04 
Avatar utente

Iscritto il: 10/05/2010, 22:31
Messaggi: 4371
Località: Gavorrano (GR)
Nome: marco bastianini
Mario.... hai deciso di andarci giù pesante ehhhhhhhhhhhh!!!!! :x :x
Vabbè in realtà ti devo ringraziare visto che per me è l'unico modo per vederli. :mrgreen: :mrgreen: :mrgreen:

_________________
:to: Marco
"Le foreste a precedere le civiltà, i deserti a seguire."
François-René de Chateaubriand


Top
profilo
MessaggioInviato: 09/12/2020, 20:56 
Avatar utente

Iscritto il: 09/11/2010, 19:52
Messaggi: 4518
Località: Brescia
Nome: Luca Bodei
Chalybion ha scritto:
Che carini! :hi:


Carini? Solo?! :shock:
Son bestie mitiche...pochi, ma veramente pochi posson vantar di aver 1 o forse 2 esemplari...bestie rarissime, di cui ancora si conosce poco o nulla, visto l'estrema severitá degli ambienti in cui vengono studiati e raccolti...servono nuove leve...le "vecchie" iniziano ad esser stanche o quasi, altre come me, si son momentaneamente perse...forza giovani che leggete :D !! ;)

_________________
Tc70


Top
profilo
Visualizza ultimi messaggi:  Ordina per  
nuovo argomento
rispondi
Pagina 1 di 1 [ 4 messaggi ]

Tutti gli orari sono UTC + 1 ora [ ora legale ]


Chi c’è in linea

Visitano il forum: Nessuno e 1 ospite


Non puoi aprire nuovi argomenti
Non puoi rispondere negli argomenti
Non puoi modificare i tuoi messaggi
Non puoi cancellare i tuoi messaggi
Non puoi inviare allegati

Cerca per:
Vai a: