Benvenuto Ospite

Forum Entomologi Italiani

www.entomologiitaliani.net/forum
 
Oggi è 06/10/2025, 4:44

Tutti gli orari sono UTC + 1 ora [ ora legale ]

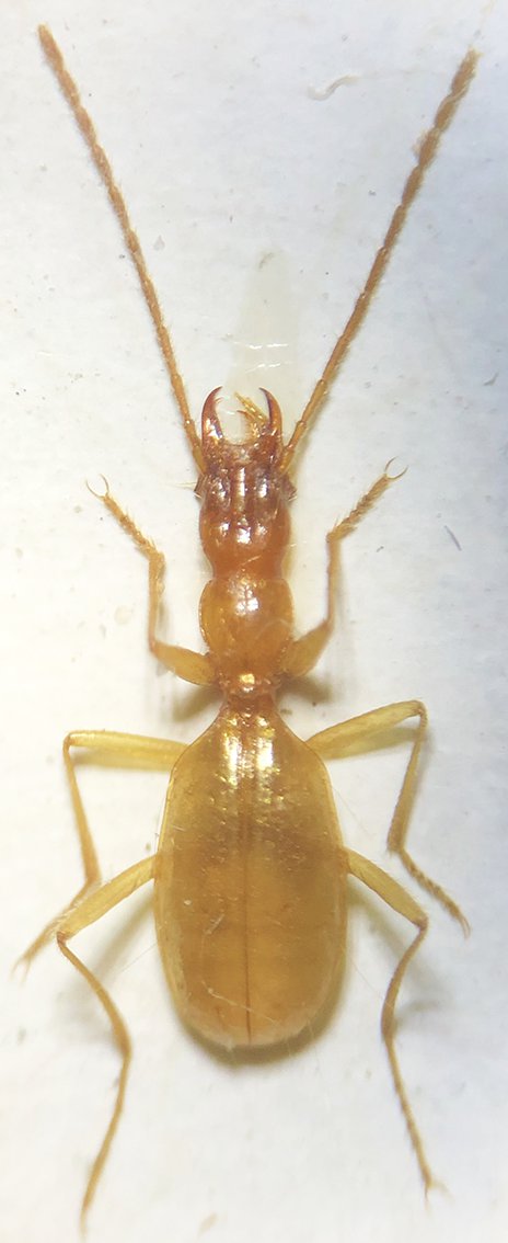
Orotrechus gracilis Meggiolaro, 1961 Dettagli della specie

15.VI.1990 - ITALIA - Veneto - TV, Possagno


nuovo argomento
rispondi
Pagina 1 di 1 [ 10 messaggi ]
Autore Messaggio
MessaggioInviato: 30/01/2021, 2:43 
Avatar utente

Iscritto il: 19/09/2009, 22:25
Messaggi: 5912
Località: Brescia
Nome: Vinicio Salami
bestiolina abbastanza rara...proveniente dalla Grotta del Dinosauro, G.Trezzi legit

:birra: :birra: :birra:

IMG_5783.jpg



Top
profilo
MessaggioInviato: 30/01/2021, 11:21 
Avatar utente

Iscritto il: 08/02/2010, 23:01
Messaggi: 6167
Località: Vicenza
Nome: Silvano Biondi
Non so dove sia la grotta, ma segnalo che il comune di Possagno è in provincia di Treviso, non di Vicenza.

:hi:

_________________



Silvano


Top
profilo
MessaggioInviato: 30/01/2021, 17:47 
Avatar utente

Iscritto il: 22/05/2009, 21:00
Messaggi: 2773
Località: Pergine Valsugana (TN)
Nome: Andrea Carlin
:ok: TV, come dice Silvano! :birra: Bella bestiola Vinicio!
:oops: Aggiungo che mi piacerebbe averne uno! eheheh :lol1:
:birra:

_________________
Andrea Carlin, Pergine Valsugana (TN) carlin.andrea(AT)gmail.com

Nota: tutti gli esemplari inseriti nelle discussioni aperte da me sono da ritenere "Andrea Carlin legit" se non diversamente specificato.


Top
profilo
MessaggioInviato: 30/01/2021, 18:39 
Avatar utente

Iscritto il: 19/09/2009, 22:25
Messaggi: 5912
Località: Brescia
Nome: Vinicio Salami
in effetti avete ragione, la provincia è Treviso (non conoscendo la grotta non mi sono posto il problema di controllare); non modificherò il cartellino, dal quale ho ricopiato pedissequamente i dati, per vari motivi...è quasi un pezzo storico, per la sua raritò, perchè è stato catturato 30 anni fa e perchè ritengo che in pochi entomologi decideranno di rifarsi un giro in quell'abisso, vista la pericolosità dell'escursione.

grazie per la precisazione
:birra: :birra: :birra: :birra:


Top
profilo
MessaggioInviato: 30/01/2021, 20:03 
Avatar utente

Iscritto il: 09/11/2010, 19:52
Messaggi: 4518
Località: Brescia
Nome: Luca Bodei
Si la "grotticella" è abbastanza tosta...e insieme a questo c è anche un altra rarità l' Orotrechus stephani prenottoi... ;)

_________________
Tc70


Top
profilo
MessaggioInviato: 30/01/2021, 20:10 
Avatar utente

Iscritto il: 19/09/2009, 22:25
Messaggi: 5912
Località: Brescia
Nome: Vinicio Salami
Tc70 ha scritto:
Si la "grotticella" è abbastanza tosta...e insieme a questo c è anche un altra rarità l' Orotrechus stephani prenottoi... ;)


giusto, infatti ho un esemplare di prenottoi proprio dell'Abisso del Dinosauro.

:birra: :birra:


Top
profilo
MessaggioInviato: 31/01/2021, 15:34 
Avatar utente

Iscritto il: 09/11/2010, 19:52
Messaggi: 4518
Località: Brescia
Nome: Luca Bodei
eurinomio ha scritto:
Tc70 ha scritto:
Si la "grotticella" è abbastanza tosta...e insieme a questo c è anche un altra rarità l' Orotrechus stephani prenottoi... ;)


giusto, infatti ho un esemplare di prenottoi proprio dell'Abisso del Dinosauro.

:birra: :birra:


Io ho entranbe le specie raccolte da me...a suo tempo misi pure le foto sul forum... ;) :hi:

_________________
Tc70


Top
profilo
MessaggioInviato: 31/01/2021, 20:31 
Avatar utente

Iscritto il: 19/09/2009, 22:25
Messaggi: 5912
Località: Brescia
Nome: Vinicio Salami
Tc70 ha scritto:
...Io ho entranbe le specie raccolte da me...a suo tempo misi pure le foto sul forum... ;) :hi:


se non ricordo male, dovrei avere un prenottoi, non del Dinosauro, proprio preso da te.

:birra: :birra: :birra:


Top
profilo
MessaggioInviato: 09/02/2021, 12:23 
Avatar utente

Iscritto il: 09/11/2010, 19:52
Messaggi: 4518
Località: Brescia
Nome: Luca Bodei
eurinomio ha scritto:
Tc70 ha scritto:
...Io ho entranbe le specie raccolte da me...a suo tempo misi pure le foto sul forum... ;) :hi:


se non ricordo male, dovrei avere un prenottoi, non del Dinosauro, proprio preso da te.

:birra: :birra: :birra:



Ricordi male... :D

_________________
Tc70


Top
profilo
MessaggioInviato: 09/02/2021, 23:25 
Avatar utente

Iscritto il: 19/09/2009, 22:25
Messaggi: 5912
Località: Brescia
Nome: Vinicio Salami
Tc70 ha scritto:
...Ricordi male... :D


credo che tu abbia ragione...non lo trovo più...forse l'ho dato via. Ne riparliamo di persona. ciao

:birra: :birra:


Top
profilo
Visualizza ultimi messaggi:  Ordina per  
nuovo argomento
rispondi
Pagina 1 di 1 [ 10 messaggi ]

Tutti gli orari sono UTC + 1 ora [ ora legale ]


Chi c’è in linea

Visitano il forum: Nessuno e 5 ospiti


Non puoi aprire nuovi argomenti
Non puoi rispondere negli argomenti
Non puoi modificare i tuoi messaggi
Non puoi cancellare i tuoi messaggi
Non puoi inviare allegati

Cerca per:
Vai a: