Benvenuto Ospite

Forum Entomologi Italiani

www.entomologiitaliani.net/forum
 
Oggi è 09/11/2025, 1:54

Tutti gli orari sono UTC + 1 ora [ ora legale ]

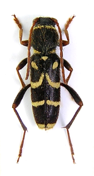
Clytus rhamni Germar, 1817 Dettagli della specie

20.VI.2004 - GRECIA - EE, Nord, Stavros


nuovo argomento
rispondi
Pagina 1 di 1 [ 4 messaggi ]
Autore Messaggio
MessaggioInviato: 15/11/2012, 14:04 
Avatar utente

Iscritto il: 23/06/2010, 19:05
Messaggi: 2588
Località: Pescara
Nome: Alessio Morelli
Uno dei 4 Clytus dal legit anonimo che ricordo di aver preso durante l'edizione di Entomodena dell'aprile di quest'anno, dalla miscellanea di insetti messi a disposizione degli iscritti del forum. All'inizio pensavo C. lama, ma dopo osservandolo meglio mi sono orientato più verso C. rhamni, non pensavo fossero così villosi.
Mi piacerebbe conoscere, oltre all'identità del cerambicide anche il legit, magari se il raccoglitore passasse di qui... :roll: :D
Grazie :hi:

Dimensioni: 9 mm
Clytus sp.jpg


Clytus sp2.jpg


Clytus dati.jpg



Top
profilo
 Oggetto del messaggio: Re: Clytus rhamni - Cerambycidae ?
MessaggioInviato: 15/11/2012, 20:34 
Avatar utente

Iscritto il: 01/07/2010, 22:26
Messaggi: 5650
Località: Viterbo
Nome: Marco Selis
Per me la specie è quella, ma non so se in Grecia ci sono altre specie :roll:


Top
profilo
 Oggetto del messaggio: Re: Clytus rhamni - Cerambycidae ?
MessaggioInviato: 15/11/2012, 21:13 
 

Iscritto il: 13/09/2009, 18:04
Messaggi: 881
Nome: Pierpaolo Rapuzzi
Si tratta proprio di Clytus rhamni. Specie diffusa dalla Spagna alla Turchia ed al Caucaso. È divisa in alcune più o meno valide razze locali.
Ciao
Pierpaolo


Top
profilo
MessaggioInviato: 15/11/2012, 22:50 
Avatar utente

Iscritto il: 23/06/2010, 19:05
Messaggi: 2588
Località: Pescara
Nome: Alessio Morelli
Vi ringrazio entrambi per la determinazione. :birra:
:hi:


Top
profilo
Visualizza ultimi messaggi:  Ordina per  
nuovo argomento
rispondi
Pagina 1 di 1 [ 4 messaggi ]

Tutti gli orari sono UTC + 1 ora [ ora legale ]


Chi c’è in linea

Visitano il forum: Nessuno e 1 ospite


Non puoi aprire nuovi argomenti
Non puoi rispondere negli argomenti
Non puoi modificare i tuoi messaggi
Non puoi cancellare i tuoi messaggi
Non puoi inviare allegati

Cerca per:
Vai a: