Benvenuto Ospite

Forum Entomologi Italiani

www.entomologiitaliani.net/forum
 
Oggi è 08/11/2025, 22:40

Tutti gli orari sono UTC + 1 ora [ ora legale ]

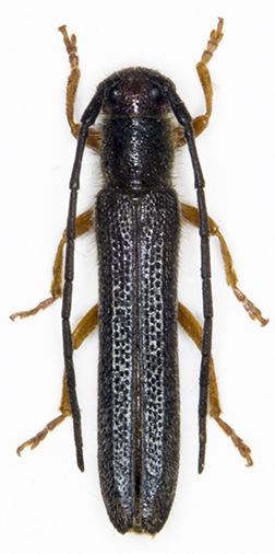
Oberea (Amaurostoma) erythrocephala erythrocephala (Schrank, 1776) Dettagli della specie

30.VI.1997 - ITALIA - Umbria - PG, Pass. Acera. 949 m.


nuovo argomento
rispondi
Pagina 1 di 1 [ 6 messaggi ]
Autore Messaggio
MessaggioInviato: 02/09/2013, 0:35 
 

Iscritto il: 23/07/2011, 16:51
Messaggi: 398
Nome: MARIO LUNA
Ritrovato lungo un sentiero, su di uno stelo di erba, all'epoca non sono riuscito a determinarla.

:hi: :hi:
Mario


Oberea Amaurostoma erythrocephala (Schrank,  ) W ...jpg

Top
profilo
MessaggioInviato: 02/09/2013, 7:09 
Avatar utente

Iscritto il: 30/12/2009, 22:20
Messaggi: 31564
Località: Roma
Nome: Maurizio Gigli
Visto così dà più l'idea di una Oberea linearis.

Potresti fare una foto meno contrastata? Con luce un po' più diffusa? Così non si riesce a capire se è di colore uniformemente nero/grigio scuro, oppure se è rossastro ad elitre grigie.

_________________
Maurizio Gigli
http://utenti.romascuola.net/bups
http://bup.xoom.it/


Top
profilo
MessaggioInviato: 02/09/2013, 11:42 
 

Iscritto il: 23/07/2011, 16:51
Messaggi: 398
Nome: MARIO LUNA
Ciao Maurizio, inserisco alcune foto, spero ti siano di aiuto.
La prima e per dar l'idea che ha la fronte è arancione-giallastra, non è molto nitida e per questo mi scuso.
I colori comparati con l'ex. sono affidabili.

:hi: :hi:
Mario


5+  fronte Oberea.jpg

4 Oberea.jpg

lung. 8,3 mm.
larg. 1,4 mm.

2 Oberea ...jpg

Top
profilo
MessaggioInviato: 02/09/2013, 16:51 
 

Iscritto il: 13/09/2009, 18:04
Messaggi: 881
Nome: Pierpaolo Rapuzzi
Direi Oberea erythrocephala. La colorazione e la pubescenza sono un po' strane. Se fosse possibile sarebbe da guardare meglio.
Ciao
Pierpaolo


Top
profilo
MessaggioInviato: 09/09/2013, 23:02 
 

Iscritto il: 23/07/2011, 16:51
Messaggi: 398
Nome: MARIO LUNA
Vedendo che il titolo non è ancora confermato, inserisco una nuova foto dello stesso ex. un pò più definita, e le misure, lung. 10 mm larg. 1,7 mm sperando che siano utili.
Gentilmente chiedo, anche per questo ex. se può apporre la ? alla fine del titolo grazie.
rimanendo in attesa

:hi: :hi:
Mario


Obera Amaurostoma erythrocephala (Schrak, 1776) lung.10 larg. 1,7.jpg

Top
profilo
MessaggioInviato: 10/09/2013, 16:39 
 

Iscritto il: 23/07/2011, 16:51
Messaggi: 398
Nome: MARIO LUNA
Ho ricevuto la risposta definitiva, in merito alla determinazione, da Gianfranco Sama: trattasi di Oberea (Amaurostoma) erythrocephala erythrocephala (Schrank, 1776). :hp:
In effetti è una delle tante variazioni di colore che può assumere questa Oberea, specie, per la verità non comune in l'Italia.
ps. Riportare all'attenzione dell'amministratore, per le dovute modifiche al titolo, essendo una determinazione definitiva. Grazie.

:hi: :hi:
Mario


Top
profilo
Visualizza ultimi messaggi:  Ordina per  
nuovo argomento
rispondi
Pagina 1 di 1 [ 6 messaggi ]

Tutti gli orari sono UTC + 1 ora [ ora legale ]


Chi c’è in linea

Visitano il forum: Nessuno e 1 ospite


Non puoi aprire nuovi argomenti
Non puoi rispondere negli argomenti
Non puoi modificare i tuoi messaggi
Non puoi cancellare i tuoi messaggi
Non puoi inviare allegati

Cerca per:
Vai a: