Benvenuto Ospite

Forum Entomologi Italiani

www.entomologiitaliani.net/forum
 
Oggi è 18/09/2025, 19:53

Tutti gli orari sono UTC + 1 ora [ ora legale ]

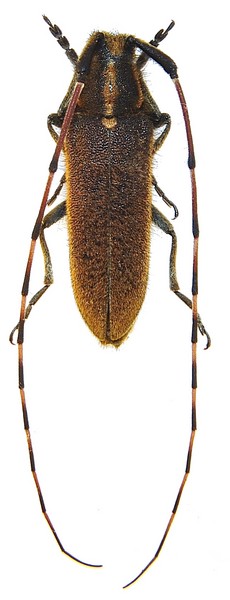
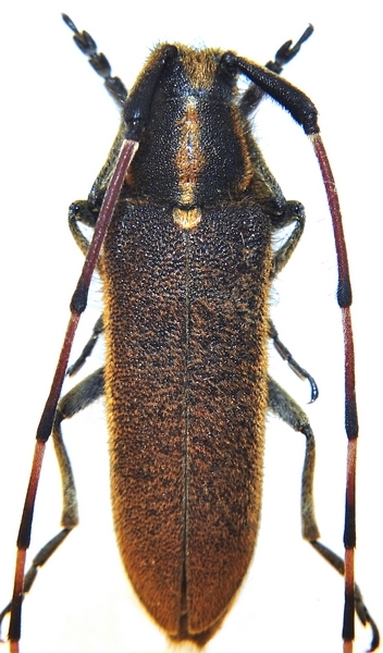
Agapanthia asphodeli (Latreille, 1804) - Cerambycidae

4.IV.2015 - GRECIA - EE, Rhodes isl., Faliraki town


nuovo argomento
rispondi
Pagina 1 di 1 [ 4 messaggi ]
Autore Messaggio
MessaggioInviato: 24/07/2015, 1:24 
Avatar utente

Iscritto il: 16/05/2010, 14:26
Messaggi: 761
Località: United Kingdom
Nome: Zdenko Lucbauer
Opinions please ? :idea:


DSC_0999 (2) - Copy.JPG

DSC_1004 - Copy.JPG

DSC_1015.JPG

DSC_1020.JPG

DSC_1008 - Copy.JPG

Top
profilo
 Oggetto del messaggio: Re: Agapanthia
MessaggioInviato: 24/07/2015, 9:05 
 

Iscritto il: 13/09/2009, 18:04
Messaggi: 881
Nome: Pierpaolo Rapuzzi
Hi Zdeno,
it is, in my opinion, Agapanthia asphodeli. The host?
Ciao Pierpaolo


Top
profilo
 Oggetto del messaggio: Re: Agapanthia
MessaggioInviato: 24/07/2015, 10:15 
Avatar utente

Iscritto il: 21/05/2009, 14:59
Messaggi: 6994
Località: Parigi
Nome: Riccardo Poloni
Asphodeli?

Aveva già risposto il boss, pazienza :lol:

_________________
Riccardo Poloni
La dignità degli elementi
la libertà della poesia,
al di là dei tradimenti degli uomini
è magia, è magia, è magia...
Negrita, Rotolando verso sud


Top
profilo
 Oggetto del messaggio: Re: Agapanthia
MessaggioInviato: 24/07/2015, 20:41 
Avatar utente

Iscritto il: 16/05/2010, 14:26
Messaggi: 761
Località: United Kingdom
Nome: Zdenko Lucbauer
Hi pips

Apiaceae and Aspodelus...

:hi:


Top
profilo
Visualizza ultimi messaggi:  Ordina per  
nuovo argomento
rispondi
Pagina 1 di 1 [ 4 messaggi ]

Tutti gli orari sono UTC + 1 ora [ ora legale ]


Chi c’è in linea

Visitano il forum: Nessuno e 9 ospiti


Non puoi aprire nuovi argomenti
Non puoi rispondere negli argomenti
Non puoi modificare i tuoi messaggi
Non puoi cancellare i tuoi messaggi
Non puoi inviare allegati

Cerca per:
Vai a: