Benvenuto Ospite

Forum Entomologi Italiani

www.entomologiitaliani.net/forum
 
Oggi è 08/11/2025, 23:00

Tutti gli orari sono UTC + 1 ora [ ora legale ]

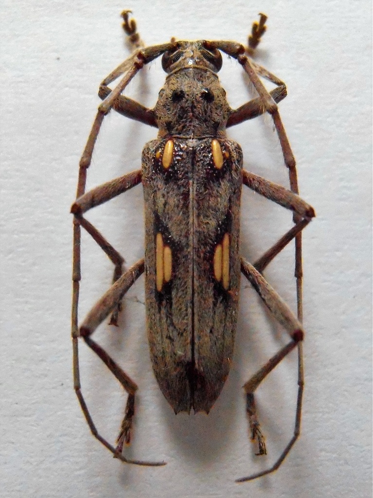
Eburia lanigera lanigera Linell 1898 - Cerambycidae

20.II.2012 - ECUADOR - EE, Puerto Villamil, Isla Isabela, Galapagos.


nuovo argomento
rispondi
Pagina 1 di 1 [ 4 messaggi ]
Autore Messaggio
MessaggioInviato: 18/04/2017, 11:15 
Avatar utente

Iscritto il: 06/11/2011, 23:59
Messaggi: 1134
Località: Casola Valsenio
Nome: Carlo Arrigo Casadio
Bellissima coppia di Cerambycidi provenienti da un posto "mitico" :hj: donatami da Danilo (halobates) :birra:

Maschio, 15 mm
Cerambycidae Galapagos m.jpg



Femmina, 15 m
Cerambycidae Galapagos f.jpg



Ne approfitto per rinnovare a Danilo gli auguri per una rapida "messa a punto" del suo motore...

_________________
Carlo Arrigo

"Solo un entomologo può capire il piacere da me provato nel cacciare per ore in qua e in là, sotto il sole cocente, tra i rami e i ramoscelli e la corteccia degli alberi caduti"
Alfred Russel Wallace


Top
profilo
 Oggetto del messaggio: Re: Cerambycidae delle Galapagos
MessaggioInviato: 18/04/2017, 11:19 
Avatar utente

Iscritto il: 16/02/2009, 23:39
Messaggi: 1368
Località: Mirano (Venezia)
Nome: Enrico Ruzzier
Eburia lanigera lanigera Linell 1898

E.

_________________
«Discendiamo da scimmie evolute, non da angeli caduti» Robert Ardrey


Top
profilo
 Oggetto del messaggio: Re: Cerambycidae delle Galapagos
MessaggioInviato: 18/04/2017, 11:33 
Avatar utente

Iscritto il: 06/11/2011, 23:59
Messaggi: 1134
Località: Casola Valsenio
Nome: Carlo Arrigo Casadio
Wow, che rapidità :shock:
Grazie Enrico

_________________
Carlo Arrigo

"Solo un entomologo può capire il piacere da me provato nel cacciare per ore in qua e in là, sotto il sole cocente, tra i rami e i ramoscelli e la corteccia degli alberi caduti"
Alfred Russel Wallace


Top
profilo
 Oggetto del messaggio: Re: Cerambycidae delle Galapagos
MessaggioInviato: 18/04/2017, 11:55 
Avatar utente

Iscritto il: 08/02/2010, 23:01
Messaggi: 6171
Località: Vicenza
Nome: Silvano Biondi
Infatti stavo per intervenire dicendo che mi ricorda questa.

:hi:

_________________



Silvano


Top
profilo
Visualizza ultimi messaggi:  Ordina per  
nuovo argomento
rispondi
Pagina 1 di 1 [ 4 messaggi ]

Tutti gli orari sono UTC + 1 ora [ ora legale ]


Chi c’è in linea

Visitano il forum: Nessuno e 1 ospite


Non puoi aprire nuovi argomenti
Non puoi rispondere negli argomenti
Non puoi modificare i tuoi messaggi
Non puoi cancellare i tuoi messaggi
Non puoi inviare allegati

Cerca per:
Vai a: