Benvenuto Ospite

Forum Entomologi Italiani

www.entomologiitaliani.net/forum
 
Oggi è 08/11/2025, 8:42

Tutti gli orari sono UTC + 1 ora [ ora legale ]

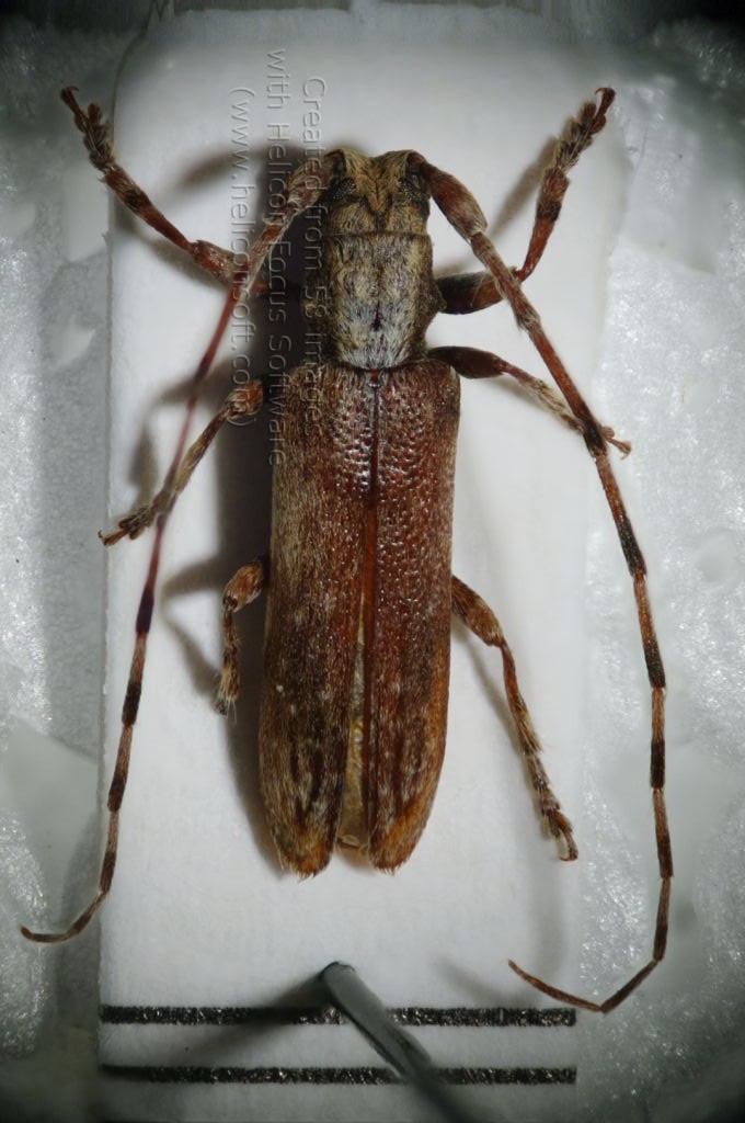
Deroplia troberti troberti (Mulsant, 1843) Dettagli della specie

27.VI.2018 - ITALIA - Sardegna - OR, Laconi - Rio Bidissariu


nuovo argomento
rispondi
Pagina 1 di 1 [ 3 messaggi ]
Autore Messaggio
MessaggioInviato: 01/07/2018, 19:16 
 

Iscritto il: 30/12/2014, 18:57
Messaggi: 1027
Nome: Adriana Lecis
Salve! Somiglia ad un Icosium ma troppi particolari non coincidono..... :roll: :roll: :roll: :roll: misura 10 mm. :? :? :?


22.jpg

Top
profilo
 Oggetto del messaggio: Re: determinazione Cerambycidae
MessaggioInviato: 01/07/2018, 19:19 
Avatar utente

Iscritto il: 02/09/2009, 20:57
Messaggi: 8703
Località: Cagliari
Nome: Roberto Rattu
Ciao Adriana, Deroplia troberti troberti (Mulsant, 1843)

:hi:


Top
profilo
 Oggetto del messaggio: Re: determinazione Cerambycidae
MessaggioInviato: 02/07/2018, 7:39 
 

Iscritto il: 30/12/2014, 18:57
Messaggi: 1027
Nome: Adriana Lecis
Grazie Roberto! Per me è nuova! :hp: :hp: :hp: :hp:


Top
profilo
Visualizza ultimi messaggi:  Ordina per  
nuovo argomento
rispondi
Pagina 1 di 1 [ 3 messaggi ]

Tutti gli orari sono UTC + 1 ora [ ora legale ]


Chi c’è in linea

Visitano il forum: Nessuno e 1 ospite


Non puoi aprire nuovi argomenti
Non puoi rispondere negli argomenti
Non puoi modificare i tuoi messaggi
Non puoi cancellare i tuoi messaggi
Non puoi inviare allegati

Cerca per:
Vai a: