| Autore |
Messaggio |
|
Loriscola
|
Inviato: 22/06/2010, 15:58 |
|
Iscritto il: 05/02/2009, 17:25 Messaggi: 4894 Località: Zola Predosa (BO)
Nome: Loris Colacurcio
|
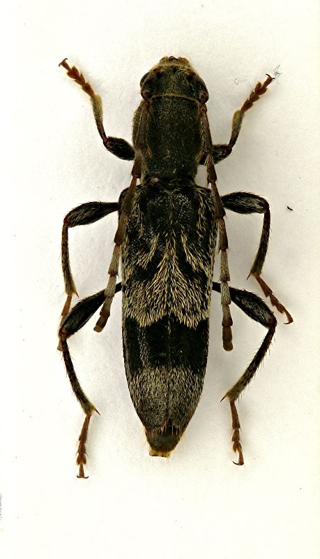
Spero di non aver toppato, avanzando addirittura anche la specie... Anaglyptus gibbosus (Fabricius, 1787) Questa splendida bestiola (la bestiola, non la foto  ), l'ho trovata battendo alcuni alberelli spinosi dai fiori gialli, molto attrattivi...ne avevamo già parlato con i crisidi di questa pianta, ma ovviamente non ricordo assolutamente più il nome. Sasso Marconi (BO) - Palazzo Rossi, giugno 2010
_________________ Loris
|
|
| Top |
|
 |
|
Plagionotus
|
Inviato: 22/06/2010, 16:39 |
|
Iscritto il: 21/05/2009, 14:59 Messaggi: 6994 Località: Parigi
Nome: Riccardo Poloni
|
Mi dispiace deluderti Loris, ma questo è un Anaglyptus mysticus (Linnaeus, 1758), il gibbosus ha l'apice elitrale terminante con una spina 
_________________ Riccardo Poloni La dignità degli elementi la libertà della poesia, al di là dei tradimenti degli uomini è magia, è magia, è magia... Negrita, Rotolando verso sud
|
|
| Top |
|
 |
|
Loriscola
|
Inviato: 22/06/2010, 16:42 |
|
Iscritto il: 05/02/2009, 17:25 Messaggi: 4894 Località: Zola Predosa (BO)
Nome: Loris Colacurcio
|
Porca paletta !! Bene lo stesso, visto che entrambi no li avevo mai raccolti a Palazzo Rossi Cavoli, siete velocissimi....non sono riuscito a modificare il titolo che si era già "aggiustato" da solo. Altro che precisione svizzera..... Siamo dei fenomeni ! Grazie mille 
_________________ Loris
|
|
| Top |
|
 |
|
Plagionotus
|
Inviato: 22/06/2010, 17:54 |
|
Iscritto il: 21/05/2009, 14:59 Messaggi: 6994 Località: Parigi
Nome: Riccardo Poloni
|
Darmi dello svizzero proprio no  , e poi, si sa che gli emiliani in quanto a taxamenti sono dei fenomeni  . Comunque in collina (diciamo non proprio bassissima, è meglio) sui fiori di biancospino dicono quelli che girano (alla fine vedo che basta girare e cercare molto, e le bestie, quelle non rare, saltano fuori prima o poi  ) che è comune 
_________________ Riccardo Poloni La dignità degli elementi la libertà della poesia, al di là dei tradimenti degli uomini è magia, è magia, è magia... Negrita, Rotolando verso sud
|
|
| Top |
|
 |
|
Julodis
|
Inviato: 22/06/2010, 17:58 |
|
Iscritto il: 30/12/2009, 22:20 Messaggi: 31564 Località: Roma
Nome: Maurizio Gigli
|
|
Non è proprio comunissimo, ma si trova sparso qua e là.
|
|
| Top |
|
 |
|
Trichoferus
|
Inviato: 23/06/2010, 10:32 |
|
Iscritto il: 18/09/2009, 17:23 Messaggi: 217 Località: Czech rep.
Nome: Jan Hrbek
|
|
my opinion: Anaglyptus gibbosus (Fabricius, 1787) A. mysticus does not have spines on antenal segments..This one has.. And acording to this photo, I am not sure, but this specimen HAS spines on elytra..
_________________ Cerambycidae of Western palearctic region http://www.cerambycidae-hrbek.cz
|
|
| Top |
|
 |
|
Plagionotus
|
Inviato: 23/06/2010, 10:54 |
|
Iscritto il: 21/05/2009, 14:59 Messaggi: 6994 Località: Parigi
Nome: Riccardo Poloni
|
|
Hi Jan, I wait, because of your opinion, to Gianfranco Sama (Isotomus). But I remain in my opinion, because spines of Anaglyptus gibbosus are long and evidents, and also A.gibbosus have some small spines on antenna, in some pictures I found on the web and in my specimens in collection. But It's true that A.gibbosus prefere hill localities to mountain localities. I wait to Isotomus.
_________________ Riccardo Poloni La dignità degli elementi la libertà della poesia, al di là dei tradimenti degli uomini è magia, è magia, è magia... Negrita, Rotolando verso sud
|
|
| Top |
|
 |
|
Trichoferus
|
Inviato: 23/06/2010, 11:54 |
|
Iscritto il: 18/09/2009, 17:23 Messaggi: 217 Località: Czech rep.
Nome: Jan Hrbek
|
OK, let´s wait for Gianfranco´s opinion 
_________________ Cerambycidae of Western palearctic region http://www.cerambycidae-hrbek.cz
|
|
| Top |
|
 |
|
Xylosteus
|
Inviato: 23/06/2010, 21:06 |
|
Iscritto il: 13/09/2009, 18:04 Messaggi: 881
Nome: Pierpaolo Rapuzzi
|
|
Ciao a tutti dal Nemrut dag dove ci troviamo confermiamo senza dubbio che si tratta di Anaglyptus gibbosus. Oltre alle spine non molto evidenti, il disegno elitrale non lascia dubbi in quanto caratteristico Pierpaolo & Gianfranco
|
|
| Top |
|
 |
|
Plagionotus
|
Inviato: 23/06/2010, 21:53 |
|
Iscritto il: 21/05/2009, 14:59 Messaggi: 6994 Località: Parigi
Nome: Riccardo Poloni
|
|
_________________ Riccardo Poloni La dignità degli elementi la libertà della poesia, al di là dei tradimenti degli uomini è magia, è magia, è magia... Negrita, Rotolando verso sud
|
|
| Top |
|
 |
|
dorbodervus
|
Inviato: 23/06/2010, 22:40 |
|
Iscritto il: 02/10/2009, 17:40 Messaggi: 924 Località: Osimo
Nome: Alberto Strocchi
|
|
Anche se la spina all'apice elitrale non si vede bene ... ma sembrerebbe intuirsi, direi A. gibbosus. Anche se di poco la pigmentazione è abbastanza diversa tra le due specie anche quando il mysticus si presenta nella forma melanica (senza la macchia rossa agli omeri). Direi, pertanto, A. gibbosus. Alberto
|
|
| Top |
|
 |
|
Loriscola
|
Inviato: 24/06/2010, 8:31 |
|
Iscritto il: 05/02/2009, 17:25 Messaggi: 4894 Località: Zola Predosa (BO)
Nome: Loris Colacurcio
|
|
Ormai è tardi e superata....ma ho avuto modo di guardare con attenzione la bestiola e confermo la presenza di due belle spine all'apice elitrale.
Saluti a tutti !!
_________________ Loris
|
|
| Top |
|
 |
|