Benvenuto Ospite

Forum Entomologi Italiani

www.entomologiitaliani.net/forum
 
Oggi è 07/11/2025, 11:09

Tutti gli orari sono UTC + 1 ora [ ora legale ]

Cortodera humeralis aspromontana G. Müller, 1948 Dettagli della specie

15.V.2008 - GRECIA - EE, Peloponez


nuovo argomento
rispondi
Pagina 1 di 1 [ 1 messaggio ]
Autore Messaggio
MessaggioInviato: 21/05/2022, 22:04 
Avatar utente

Iscritto il: 10/05/2009, 15:30
Messaggi: 7182
Località: Ancona
Nome: Giacomo Giovagnoli
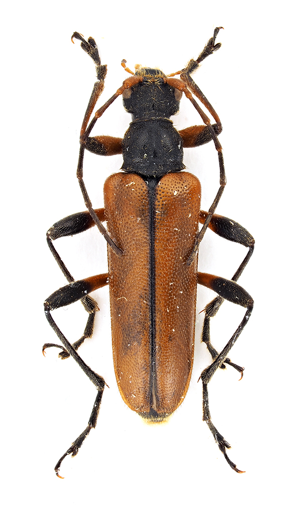
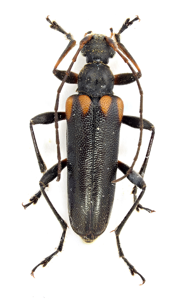
Cortodera humeralis aspromontana G. Müller, 1948

Peloponez (Grecia); 15.V.2008; lg. Radoslaw Plewa

[grazie zio per le foto!!! :birra: ]

Esemplare 1; dimensioni: 11mm
Comb3737cr-16L6.jpg



Esemplare 2; dimensioni: 11mm
Comb3739cr-18L6.jpg



Ciao :)

_________________
Immagine Giacomo


Top
profilo
Visualizza ultimi messaggi:  Ordina per  
nuovo argomento
rispondi
Pagina 1 di 1 [ 1 messaggio ]

Tutti gli orari sono UTC + 1 ora [ ora legale ]


Chi c’è in linea

Visitano il forum: Nessuno e 2 ospiti


Non puoi aprire nuovi argomenti
Non puoi rispondere negli argomenti
Non puoi modificare i tuoi messaggi
Non puoi cancellare i tuoi messaggi
Non puoi inviare allegati

Cerca per:
Vai a: