| Autore |
Messaggio |
|
StagBeetle
|
Inviato: 19/05/2009, 21:01 |
|
Iscritto il: 10/05/2009, 15:30 Messaggi: 7182 Località: Ancona
Nome: Giacomo Giovagnoli
|
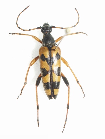
Trovate nell'agosto 2004 ad Auronzo di Cadore (Bl) su ombrellifere. Direi Ruptela maculata... Si distingue il sesso?  Ciao 
_________________  Giacomo
|
|
| Top |
|
 |
|
Hemerobius
|
Inviato: 19/05/2009, 21:07 |
|
Iscritto il: 02/02/2009, 23:32 Messaggi: 5645 Località: da Ferrara ad Alghero
Nome: Roberto A. Pantaleoni
|
Beh, io non lo so, ma quelle tibie posteriori del primo esemplare se non sono del maschio si chi sono? Sbaglio ? Roberto 
_________________ verum stabile cetera fumus
|
|
| Top |
|
 |
|
StagBeetle
|
Inviato: 20/05/2009, 6:22 |
|
Iscritto il: 10/05/2009, 15:30 Messaggi: 7182 Località: Ancona
Nome: Giacomo Giovagnoli
|
Hai ragione Roberto!! Oltretutto il nome esatto dovrebbe essere Leptura maculata! Ciao 
_________________  Giacomo
|
|
| Top |
|
 |
|
Velvet Ant
|
Inviato: 20/05/2009, 8:17 |
|
| Amministratore |
 |
Iscritto il: 02/02/2009, 23:30 Messaggi: 7102 Località: Capaci (Pa)
Nome: Marcello Romano
|
StagBeetle ha scritto: Hai ragione Roberto!! Oltretutto il nome esatto dovrebbe essere Leptura maculata! Ciao  Sarei felice se mi confermate che questa specie si può di nuovo taxare nel genere assegnatole originariamente da Poda nel 1761, cioè Leptura. Non ho mai sopportato il nome generico che negli ultimi anni gli era stato assegnato, ancora più sgradevole di quello scritto da Giacomo nel titolo originale. Infatti Nakane & Ohbayashi (immagino giapponesi), nel 1957 avevano istituito, per questa specie, il genere Rutpela 
_________________ Marcello Romano
|
|
| Top |
|
 |
|
vitalfranz
|
Inviato: 20/05/2009, 14:53 |
|
Iscritto il: 17/05/2009, 11:39 Messaggi: 254 Località: Luxembourg
Nome: Francesco Vitali
|
Si può taxare col nome che vuoi. Questa specie, col pretesto delle zampe spinose del maschio, é stata trattata come genere o sottogenere, a seconda degli autori. Secondo me é al massimo un sottogenere (e forse neanche quello), dal momento che non é mai stato dimostrato che Rutpela sia parafiletico di Leptura, cioè abbiano lo stesso grado evolutivo (e di conseguenza debbano essere trattati alla pari). Le zampe dentate del maschio sono una autoapomorfia, cioè un carattere derivato peculiare. Questo fa supporre che si tratti una specie terminale di un ramo evolutivo (difatti la femmina non ha caratteristiche particolari). In pratica, il carattere potrebbe essere trattato semplicemente come specifico. Ad essere generosi, si potrebbe parlare di sottogenere... ma ad essere generosi... 
_________________ Francesco Vitali
|
|
| Top |
|
 |
|
Salvatore Saitta
|
Inviato: 17/07/2009, 17:36 |
|
Iscritto il: 14/04/2009, 18:43 Messaggi: 805 Località: Messina
Nome: Salvatore Saitta
|
E' lei? Ho guardato le immagini sul web confrontandole con quelle di Strangalia attenuata, ma non sono sicuro di aver colto le differenze... Grazie, ciao 
|
|
| Top |
|
 |
|
vitalfranz
|
Inviato: 17/07/2009, 19:54 |
|
Iscritto il: 17/05/2009, 11:39 Messaggi: 254 Località: Luxembourg
Nome: Francesco Vitali
|
È proprio lei... o meglio, lui. Viene dalla Sicilia? Bene! Come puoi ben osservare, le antenne sono anellate di giallo (forma tipica), e non uniformemente nere (var. nigricornis). Varietá nigricornis, che Rapuzzi e Sama hanno elevato a sottospecie (tipica della Sicilia) nel 2006 ( qui il loro lavoro). Müller più 50 anni fa, notava come la nigricornis si trovi, oltre che in Sicilia, anche in Spagna, Corsica, Siria e Caucaso, sempre frammista alla forma tipica.
_________________ Francesco Vitali
|
|
| Top |
|
 |
|
Salvatore Saitta
|
Inviato: 17/07/2009, 20:36 |
|
Iscritto il: 14/04/2009, 18:43 Messaggi: 805 Località: Messina
Nome: Salvatore Saitta
|
Grazie Francesco Ho letto con molto interesse l'articolo che hai citato, beh insomma mi pare molto chiaro come stanno le cose L'esemplare è Sicilianissimo e viene esattamente dal bosco di Malabotta ciao
|
|
| Top |
|
 |
|
vitalfranz
|
Inviato: 18/07/2009, 9:27 |
|
Iscritto il: 17/05/2009, 11:39 Messaggi: 254 Località: Luxembourg
Nome: Francesco Vitali
|
Per amore di verità devo aggiungere che i due autori scrivono testualmente: " La popolazione siciliana, così come quella dell’Aspromonte, costituisce una vera razza geografica, distinta dalla forma tiponominale per la colorazione dei maschi, i quali presentano le antenne (ad eccezione degli articoli 4 a 7 che hanno uno stretto anello basale giallastro) e delle tibie posteriori costantemente nera" La descrizione originale (che potete leggere qui a pag. 153 e che riporto sotto) non parla affatto di anello basale giallo, ma di antenne completamente nere: "antennis pedibusque posticis nigris" = antenne e zampe posteriori nere Quella che i due hanno visto (la tua) è in realtà la var. maculipes Podany, con antenne normali e tibie posteriori nere.
_________________ Francesco Vitali
|
|
| Top |
|
 |
|
Salvatore Saitta
|
Inviato: 18/07/2009, 13:33 |
|
Iscritto il: 14/04/2009, 18:43 Messaggi: 805 Località: Messina
Nome: Salvatore Saitta
|
Capito, grazie 
|
|
| Top |
|
 |
|
Loriscola
|
Inviato: 21/09/2009, 22:23 |
|
Iscritto il: 05/02/2009, 17:25 Messaggi: 4894 Località: Zola Predosa (BO)
Nome: Loris Colacurcio
|
Anche questa comune, ma sempre splendida bestiola, credevo fermamente fosse presente solo in montagna....ed invece: Sasso Marconi (BO) - Palazzo Rossi luglio 2009 su fiori (gli stessi della C. fulva e C. cordigera) Rutpela maculata (Poda, 1761)
_________________ Loris
|
|
| Top |
|
 |
|
Plagionotus
|
Inviato: 22/09/2009, 14:10 |
|
Iscritto il: 21/05/2009, 14:59 Messaggi: 6994 Località: Parigi
Nome: Riccardo Poloni
|
esatto, è molto comune anche in collina, sui fiori appunto, questa è la varietà ad antenne quasi tutte gialle direi 
_________________ Riccardo Poloni La dignità degli elementi la libertà della poesia, al di là dei tradimenti degli uomini è magia, è magia, è magia... Negrita, Rotolando verso sud
|
|
| Top |
|
 |
|
hpl
|
Inviato: 16/10/2010, 18:02 |
|
Iscritto il: 04/04/2010, 22:20 Messaggi: 1041 Località: S.Pelagio (TS)
Nome: Alessandro Drago
|
Velvet Ant ha scritto: Infatti Nakane & Ohbayashi (immagino giapponesi), nel 1957 avevano istituito, per questa specie, il genere Rutpela  TUPLERA eh si, fra tutti gli anagrammi che potevano scegliere (Luptera,Tuplera, Peturla, Tuperla, Leturpa  , Ruptela, Petrula, e molti altri....) hanno scelto uno dei peggiori, anche perchè nell'italiano parlato viene evidenziata molto la prima parte Rutpela. Magari per i giapponesi ha un altro significato o il suono assomiglia a qualcosa di migliore...chi lo sa!
_________________ - SoNo un PoMpIeRe -
|
|
| Top |
|
 |
|
Isotomus
|
Inviato: 17/10/2010, 12:47 |
|
Iscritto il: 05/09/2009, 7:56 Messaggi: 3445 Località: Cesena
Nome: Gianfranco Sama
|
vitalfranz ha scritto: Si può taxare col nome che vuoi. Questa specie, col pretesto delle zampe spinose del maschio, é stata trattata come genere o sottogenere, a seconda degli autori. Secondo me é al massimo un sottogenere (e forse neanche quello), dal momento che non é mai stato dimostrato che Rutpela sia parafiletico di Leptura, cioè abbiano lo stesso grado evolutivo (e di conseguenza debbano essere trattati alla pari). Le zampe dentate del maschio sono una autoapomorfia, cioè un carattere derivato peculiare. Questo fa supporre che si tratti una specie terminale di un ramo evolutivo (difatti la femmina non ha caratteristiche particolari). In pratica, il carattere potrebbe essere trattato semplicemente come specifico. Ad essere generosi, si potrebbe parlare di sottogenere... ma ad essere generosi...  Non so come sia rispuntata questa discussione del 2009 che non avevo letto attentamente e di cui ho notato l'ammasso di (c.z..te) imprecisioni che (frammiste a paroloni inutili, ma di grande effetto) vi sono state scritte. Il genere Rutpela Nakane & K. Ohbayashi, 1957 viene attualmente accettato come genere distinto da tutti i testi e da tutti gli autori tranne che dal Biolib gestito da Francesco Vitali. Vitalfranz scrive „ Questa specie, col pretesto delle zampe spinose del maschio, é stata trattata come genere o sottogenere, a seconda degli autori.” Il carattere dimorfico delle tibie è certamente di valore specifico, ma non è questo il carattere che distingue il genere dal genere Leptura. Rutpela inermis, infatti, la seconda specie (a diffusione transcaucasica e iranica), attribuita a Rutpela, ne è privo e il maschio di questa specie possiede tibie del tutto simili a quelle della femmina. Oltre che nella struttura degli apparati genitali, sono presenti differenze sostanziali nella morfologia preimmaginale (larve). Riporto quanto scritto da Švácha (1989) universalmente riconosciuto come il maggior esperto in questo campo, nella sua monografia sulle larve dei Cerambycidae (presente nella Biblioteca virtuale del Forum), ma che Vitali, evidentemente, non ritiene degno di considerazione "I call attention to the fact that Rutpela is unrelated to Leptura, and closely related to Strangalia“.
_________________ Gianfranco Sama
"Benedetto colui che ti aiuta a correggere i tuoi errori invece di scagliarteli contro" ___________________________________ Gershom Sholem
|
|
| Top |
|
 |
|
Plagionotus
|
Inviato: 17/10/2010, 14:24 |
|
Iscritto il: 21/05/2009, 14:59 Messaggi: 6994 Località: Parigi
Nome: Riccardo Poloni
|
|
Calma.....
_________________ Riccardo Poloni La dignità degli elementi la libertà della poesia, al di là dei tradimenti degli uomini è magia, è magia, è magia... Negrita, Rotolando verso sud
|
|
| Top |
|
 |
|