|
Tutti gli orari sono UTC + 1 ora [ ora legale ] |

|
| Autore | Messaggio | |||
|---|---|---|---|---|
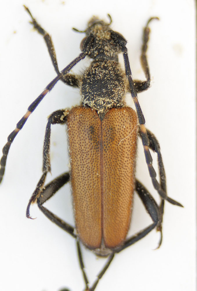
| Joro |
|
|||
|
Iscritto il: 03/09/2010, 14:07 Messaggi: 930 Località: Bulgaria Nome: Georgi |
|
|||
| Top |
|
|||
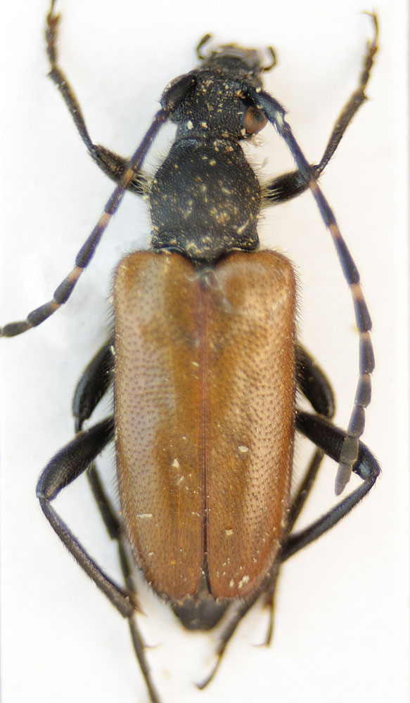
| Joro |
|
|||
|
Iscritto il: 03/09/2010, 14:07 Messaggi: 930 Località: Bulgaria Nome: Georgi |
|
|||
| Top |
|
|||
|
Tutti gli orari sono UTC + 1 ora [ ora legale ] |
Chi c’è in linea |
Visitano il forum: Nessuno e 3 ospiti |
Non puoi aprire nuovi argomenti Non puoi rispondere negli argomenti Non puoi modificare i tuoi messaggi Non puoi cancellare i tuoi messaggi Non puoi inviare allegati |