| Autore |
Messaggio |
|
FORBIX
|
Inviato: 11/02/2011, 20:34 |
|
Iscritto il: 17/02/2009, 0:05 Messaggi: 8521 Località: Isola d'Elba - Arcipelago Toscano
Nome: Leonardo Forbicioni
|
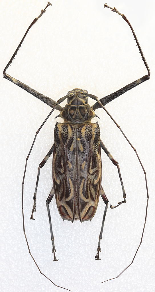
Oggi mi hanno regalato questa enorme e splendida bestia e volevo semplicemente condividerla con voi!! Averlo in bacheca è veramente una bella emozione!!
_________________ "Stay hungry, stay foolish". Steve Jobs, 2005 ___________________ jjuniper8(at)gmail.com Twitter: @weevil_forbixcell. 339/5275910 ___________________
|
|
| Top |
|
 |
|
cosmln
|
Inviato: 11/02/2011, 20:43 |
|
Iscritto il: 26/03/2010, 14:55 Messaggi: 5977 Località: Romania
Nome: Cosmin-Ovidiu Manci
|
|
| Top |
|
 |
|
Enrico Ruzzier
|
Inviato: 11/02/2011, 20:57 |
|
Iscritto il: 16/02/2009, 23:39 Messaggi: 1368 Località: Mirano (Venezia)
Nome: Enrico Ruzzier
|
Ho qualcosa che non mi torna  .. da quando Acrocinus longimanus si trova in Thailandia? Non può esser un altra specie? Boh 
_________________ «Discendiamo da scimmie evolute, non da angeli caduti» Robert Ardrey
|
|
| Top |
|
 |
|
FORBIX
|
Inviato: 11/02/2011, 21:08 |
|
Iscritto il: 17/02/2009, 0:05 Messaggi: 8521 Località: Isola d'Elba - Arcipelago Toscano
Nome: Leonardo Forbicioni
|
Anche io ero convinto che fosse originario dell'America Centro-Meridionale ed effettivamente la cosa non tornava neanche a me....ma ho telefonato poco fa al raccoglitore e mi ha confermato che l'ha raccolto proprio nel luogo e nella data che ho indicato!! Che dire, io ci capisco poco già di coleotteri "nazionali".....figuriamoci con gli extrapaleartici!! 
_________________ "Stay hungry, stay foolish". Steve Jobs, 2005 ___________________ jjuniper8(at)gmail.com Twitter: @weevil_forbixcell. 339/5275910 ___________________
|
|
| Top |
|
 |
|
cosmln
|
Inviato: 11/02/2011, 21:17 |
|
Iscritto il: 26/03/2010, 14:55 Messaggi: 5977 Località: Romania
Nome: Cosmin-Ovidiu Manci
|
|
| Top |
|
 |
|
Lucanus tetraodon
|
Inviato: 11/02/2011, 21:21 |
|
Iscritto il: 30/12/2010, 11:51 Messaggi: 4548 Località: San Giovanni Valdarno (AR)
Nome: Giovanni Altadonna
|
Potrebbe essere un esemplare acclimato... 
_________________ "L' uomo che è cieco alle bellezze della natura ha perduto metà del piacere di vivere" Sir Robert Baden Powell
Giovanni Altadonna
|
|
| Top |
|
 |
|
pazzo
|
Inviato: 11/02/2011, 22:02 |
|
Iscritto il: 16/06/2010, 9:44 Messaggi: 73
Nome: emanuele marcato
|
|
Temo ci sia un errore, In thailandia non c'è sicuramente a meno che non sia fuggito nelle riprese di Indiana Jones e il tempio maledetto. sicuramente c'è un errore ciao
|
|
| Top |
|
 |
|
FORBIX
|
Inviato: 11/02/2011, 22:14 |
|
Iscritto il: 17/02/2009, 0:05 Messaggi: 8521 Località: Isola d'Elba - Arcipelago Toscano
Nome: Leonardo Forbicioni
|
Infatti anche io ho trovato che la distribuzione dovrebbe essere la seguente: Belize • Brazil • Colombia • Costa Rica • Ecuador • El Salvador • Guatemala • Guyana • Honduras • Mexico • Nicaragua • Panama • Paraguay • Peru • Trinidad and Tobago • United States • Venezuela  Che dire......ci sono rimasto male!!! Provvedo a modificare per il momento le indicazioni, segnalandole come "incerte" in attesa di avere maggiori chiarimenti dall'ormai "presunto" raccoglitore!!!
_________________ "Stay hungry, stay foolish". Steve Jobs, 2005 ___________________ jjuniper8(at)gmail.com Twitter: @weevil_forbixcell. 339/5275910 ___________________
|
|
| Top |
|
 |
|
Julodis
|
Inviato: 11/02/2011, 23:36 |
|
Iscritto il: 30/12/2009, 22:20 Messaggi: 31564 Località: Roma
Nome: Maurizio Gigli
|
Ciao Leonardo, l'Acrocinus è sicuramente una specie dell'America latina. Presumo che, malgrado quanto ti ha detto chi te lo ha dato, la località sia semplicemente errata. Non è impossibile che si tratti di un esemplare acclimatato in Tailandia, ma mi sembra piuttosto improbabile, anche perchè ce li vedi i tailandesi ad importare legno o altra roba simile dal Perù, dal Brasile o dalla Guyana? Paradossalmente, sarebbe più probabile l'ipotesi di "Pazzo"! A meno che non si sia fatto un viaggetto su zattera dal Perù o dalla Colombia fino nel Sud Est asiatico! 
|
|
| Top |
|
 |
|
ruzzpa
|
Inviato: 12/02/2011, 0:38 |
|
Iscritto il: 23/06/2010, 11:11 Messaggi: 2784 Località: Cagliari
Nome: Gianpaolo Ruzzante
|
Julodis ha scritto: Ciao Leonardo, l'Acrocinus è sicuramente una specie dell'America latina. Presumo che, malgrado quanto ti ha detto chi te lo ha dato, la località sia semplicemente errata. Non è impossibile che si tratti di un esemplare acclimatato in Tailandia, ma mi sembra piuttosto improbabile, anche perchè ce li vedi i tailandesi ad importare legno o altra roba simile dal Perù, dal Brasile o dalla Guyana? Paradossalmente, sarebbe più probabile l'ipotesi di "Pazzo"! A meno che non si sia fatto un viaggetto su zattera dal Perù o dalla Colombia fino nel Sud Est asiatico!  Concordo co Julodis... La bestia che in natura ho fotografato viewtopic.php?f=349&t=9633&p=54517&hilit=acrocinus#p54517 si trovava infatti in Ecuador... 
|
|
| Top |
|
 |
|