Benvenuto Ospite

Forum Entomologi Italiani

www.entomologiitaliani.net/forum
 
Oggi è 13/12/2025, 23:37

Tutti gli orari sono UTC + 1 ora [ ora legale ]

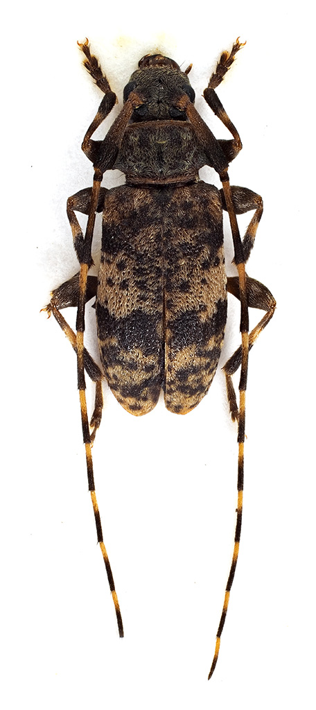
Leiopus nebulosus nebulosus (Linnaeus, 1758) Dettagli della specie

V.2022 - ITALIA - Marche - MC, Torricchio


nuovo argomento
rispondi
Pagina 1 di 1 [ 1 messaggio ]
Autore Messaggio
MessaggioInviato: 02/12/2022, 14:38 
Avatar utente

Iscritto il: 10/05/2009, 15:30
Messaggi: 7182
Località: Ancona
Nome: Giacomo Giovagnoli
Su questo andrei sicuro su Leiopus nebulosus nebulosus (Linnaeus, 1758).

A convincermi in tal senso è la venatura alare.
IMG-20220701-WA0006.jpg



Mi viene il dubbio che quest'altro esemplare non sia la stessa specie per via delle dimensioni, il diverso pattern elitrale ed il secondo articolo antennale decisamente più chiaro.
viewtopic.php?f=145&t=100613

Torricchio (Macerata); V.2022; ex tronco da ramo secco e morbido di nocciolo

[grazie zio per le foto!!! :birra: ]

Dimensioni: 6mm
13Comb3842cr-32L6.jpg



Ciao :)

_________________
Immagine Giacomo


Top
profilo
Visualizza ultimi messaggi:  Ordina per  
nuovo argomento
rispondi
Pagina 1 di 1 [ 1 messaggio ]

Tutti gli orari sono UTC + 1 ora [ ora legale ]


Chi c’è in linea

Visitano il forum: Nessuno e 1 ospite


Non puoi aprire nuovi argomenti
Non puoi rispondere negli argomenti
Non puoi modificare i tuoi messaggi
Non puoi cancellare i tuoi messaggi
Non puoi inviare allegati

Cerca per:
Vai a: