Benvenuto Ospite

Forum Entomologi Italiani

www.entomologiitaliani.net/forum
 
Oggi è 07/11/2025, 4:57

Tutti gli orari sono UTC + 1 ora [ ora legale ]

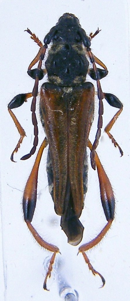
Stenopterus rufus geniculatus Kraatz, 1863 - Cerambycidae

24.IV.2001 - GRECIA - EE, Ahaia, Kalogria


nuovo argomento
rispondi
Pagina 1 di 1 [ 2 messaggi ]
Autore Messaggio
MessaggioInviato: 23/08/2010, 8:03 
Avatar utente

Iscritto il: 22/12/2009, 13:31
Messaggi: 9646
Località: Napoli
Nome: Francesco Izzillo
Idem per Isotomus.
GRECIA - Ahaia - Kalogria - 24/4/2001 - 12 mm ca.


DSCF1222.JPG


_________________
Francesco Izzillo


Ultima modifica di f.izzillo il 23/08/2010, 8:04, modificato 1 volta in totale.
Top
profilo
MessaggioInviato: 23/08/2010, 9:22 
Avatar utente

Iscritto il: 05/09/2009, 7:56
Messaggi: 3445
Località: Cesena
Nome: Gianfranco Sama
:ok: Vedi a proposito di S. rufus syriacus :hi:

_________________
Gianfranco Sama

"Benedetto colui che ti aiuta a correggere i tuoi errori invece di scagliarteli contro"
___________________________________
Gershom Sholem


Top
profilo
Visualizza ultimi messaggi:  Ordina per  
nuovo argomento
rispondi
Pagina 1 di 1 [ 2 messaggi ]

Tutti gli orari sono UTC + 1 ora [ ora legale ]


Chi c’è in linea

Visitano il forum: Bing [Bot] e 3 ospiti


Non puoi aprire nuovi argomenti
Non puoi rispondere negli argomenti
Non puoi modificare i tuoi messaggi
Non puoi cancellare i tuoi messaggi
Non puoi inviare allegati

Cerca per:
Vai a: